ՀԱՅԱՍՏԱՆԻ ՀԱՆՐԱՊԵՏՈՒԹՅԱՆ ԿԱՌԱՎԱՐՈՒԹՅՈՒՆ
Ո Ր Ո Շ ՈՒ Մ
1 ապրիլի 2010 թվականի N 357-Ն
ՀԱՅԱՍՏԱՆԻ ՀԱՆՐԱՊԵՏՈՒԹՅԱՆ ԿԱՌԱՎԱՐՈՒԹՅԱՆ 2009 ԹՎԱԿԱՆԻ ՓԵՏՐՎԱՐԻ 19-Ի N 168-Ն ՈՐՈՇՄԱՆ ՄԵՋ ՓՈՓՈԽՈՒԹՅՈՒՆՆԵՐ ԿԱՏԱՐԵԼՈՒ ՄԱՍԻՆ
Ղեկավարվելով «Իրավական ակտերի մասին» Հայաստանի Հանրապետության օրենքի 70-րդ հոդվածի 2-րդ մասով, «Հասարակության և պետության կարիքների համար սեփականության օտարման մասին» Հայաստանի Հանրապետության օրենքի 7-րդ հոդվածի 2-րդ մասով և հիմք ընդունելով Հայաստանի Հանրապետության կառավարության 2009 թվականի փետրվարի 19-ի N 168-Ն որոշման 3-րդ կետի պահանջները և Երևանի քաղաքապետարանի պետական և համայնքային սեփականություն հանդիսացող հողամասերի հրապարակային սակարկությունների (մրցույթների և աճուրդների) կազմակերպման և անցկացման հանձնաժողովի կողմից 2010 թվականի մարտի 1-ին և 2-ին կայացված` գերակա հանրային շահ ճանաչված տարածքներում հասարակության և պետության կարիքների համար օտարվող սեփականությունը ձեռք բերողների մրցույթի արդյունքները` Հայաստանի Հանրապետության կառավարությունը որոշում է.
1. Հայաստանի Հանրապետության կառավարության 2009 թվականի փետրվարի 19-ի «Երևան քաղաքի վարչական սահմաններում գտնվող որոշ տարածքներում բացառիկ` գերակա հանրային շահ ճանաչելու մասին» N 168-Ն որոշման մեջ կատարել հետևյալ փոփոխությունները`
1) 2-րդ կետի 1-ին ենթակետը շարադրել հետևյալ խմբագրությամբ.
«1) uույն որոշման հավելվածի 1, 2, 3 և 5-րդ կետերում նշված տարածքների ձեռք բերող է հանդիuանում Հայաuտանի Հանրապետությունը, որի անունից հանդեu է գալիu Երևանի քաղաքապետը, 4-րդ կետում նշված տարածքի ձեռք բերող է հանդիսանում «Նոր Երևան» սահմանափակ պատասխանատվությամբ ընկերությունը, ինչպես նաև Հայաստանի Հանրապետությունը, որի անունից հանդեu է գալիu Երևանի քաղաքապետը, 6-11-րդ կետերում նշված տարածքների ձեռք բերողներ են հանդիuանում սույն որոշման հավելվածում նշված իրավաբանական անձինք».
2) 2-րդ կետի 5-րդ ենթակետը շարադրել հետևյալ խմբագրությամբ.
«2) նախատեսված օտարման գործառույթների իրականացումը համակարգող մարմինը Երևանի քաղաքապետն է».
3) հավելվածի 4-րդ կետի 4-րդ սյունակում «Հայաստանի Հանրապետություն» բառերը փոխարինել «Հայաստանի Հանրապետություն և «Նոր Երևան» ՍՊԸ ( NN 4 և 4.1 սխեմաները կցվում են) բառերով.
4) հավելվածի 4-րդ սխեման շարադրել նոր խմբագրությամբ` համաձայն N 1 հավելվածի.
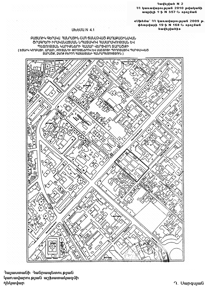
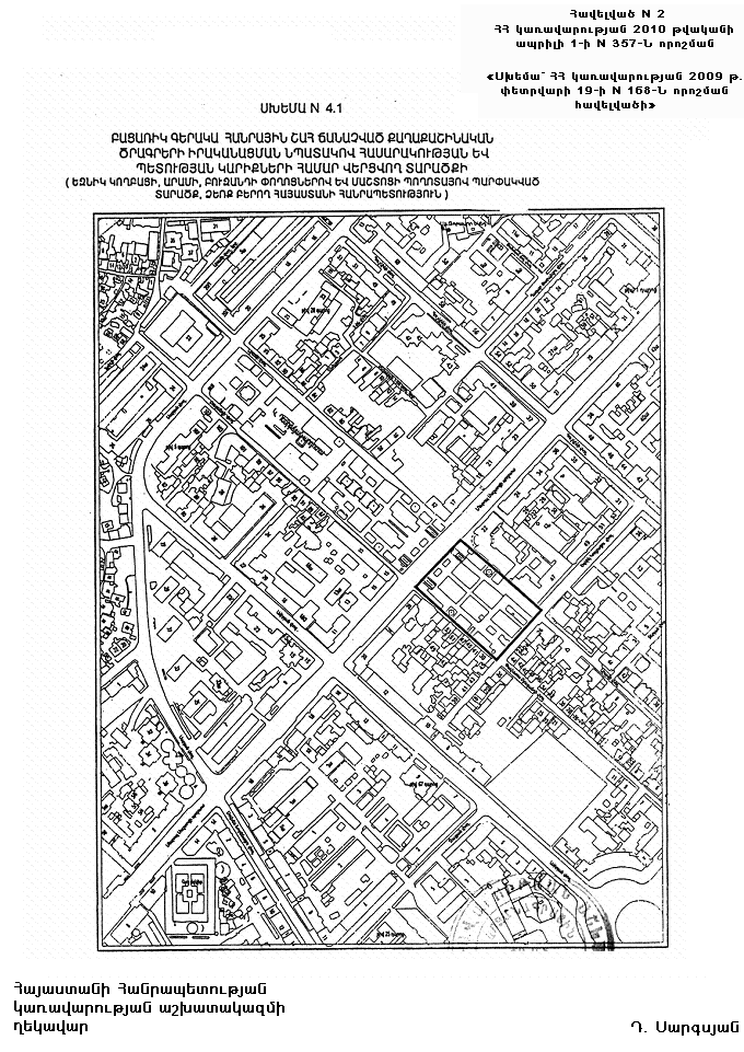
5) հավելվածը լրացնել նոր` 4.1-ին սխեմայով` համաձայն N 2 հավելվածի։
2. Լիազորել Երևանի քաղաքապետին`
1) «Նոր Երևան» սահմանափակ պատասխանատվությամբ ընկերության հետ պետության անունից կնքել «Հաuարակության և պետության կարիքների համար սեփականության oտարման մասին» Հայաuտանի Հանրապետության oրենքի 7-րդ հոդվածի 3-րդ մաuով նախատեսված պայմանագիր.
2) սույն որոշումն ուժի մեջ մտնելուց հետո 7-օրյա ժամկետում որոշումը պատշաճ ձևով ուղարկել Հայաստանի Հանրապետության կառավարության 2009 թվականի փետրվարի 19-ի N 168-Ն որոշման հավելվածի 4-րդ կետի N 4 սխեմայում նշված տարածքում օտարվող սեփականության սեփականատերերին և օտարվող սեփականության նկատմամբ պետական գրանցում ունեցող գույքային իրավունքներ ունեցող անձանց:
3. Սույն որոշումն ուժի մեջ է մտնում պաշտոնական հրապարակման օրվան հաջորդող տասներորդ օրը:
Հայաստանի Հանրապետության
վարչապետՏ. Սարգսյան
2010 թ. ապրիլի 14
Երևան
|
Հավելված N 1 |
|
«Սխեմա` ՀՀ կառավարության 2009 թ. |
ՍԽԵՄԱ N 4
ԲԱՑԱՌԻԿ ԳԵՐԱԿԱ ՀԱՆՐԱՅԻՆ ՇԱՀ ՃԱՆԱՉՎԱԾ ՔԱՂԱՔԱՇԻՆԱԿԱՆ ԾՐԱԳՐԵՐԻ ԻՐԱԿԱՆԱՑՄԱՆ ՆՊԱՏԱԿՈՎ ՀԱՍԱՐԱԿՈՒԹՅԱՆ ԵՎ ՊԵՏՈՒԹՅԱՆ ԿԱՐԻՔՆԵՐԻ ՀԱՄԱՐ ՎԵՐՑՎՈՂ ՏԱՐԱԾՔԻ
(ՍԱՐՅԱՆ, ԱՐԱՄԻ, ԲՈՒԶԱՆԴԻ ՓՈՂՈՑՆԵՐՈՎ ԵՎ ՄԱՇՏՈՑԻ ՊՈՂՈՏԱՅՈՎ ՊԱՐՓԱԿՎԱԾ ՏԱՐԱԾՔ, ՄՐՑՈՒՅԹԻ ՀԱՂԹՈՂ «ՆՈՐ ԵՐԵՎԱՆ» ՍՊԸ)
|
Հայաստանի Հանրապետության կառավարության աշխատակազմի ղեկավար |
Դ. Սարգսյան |
|
Հավելված N 2 |
|
«Սխեմա` ՀՀ կառավարության 2009 թ. |
ՍԽԵՄԱ N 4.1
ԲԱՑԱՌԻԿ ԳԵՐԱԿԱ ՀԱՆՐԱՅԻՆ ՇԱՀ ՃԱՆԱՉՎԱԾ ՔԱՂԱՔԱՇԻՆԱԿԱՆ ԾՐԱԳՐԵՐԻ ԻՐԱԿԱՆԱՑՄԱՆ ՆՊԱՏԱԿՈՎ ՀԱՍԱՐԱԿՈՒԹՅԱՆ ԵՎ ՊԵՏՈՒԹՅԱՆ ԿԱՐԻՔՆԵՐԻ ՀԱՄԱՐ ՎԵՐՑՎՈՂ ՏԱՐԱԾՔԻ
(ԵԶՆԻԿ ԿՈՂԲԱՑԻ, ԱՐԱՄԻ, ԲՈՒԶԱՆԴԻ ՓՈՂՈՑՆԵՐՈՎ ԵՎ ՄԱՇՏՈՑԻ ՊՈՂՈՏԱՅՈՎ ՊԱՐՓԱԿՎԱԾ ՏԱՐԱԾՔ, ՁԵՌՔ ԲԵՐՈՂ ՀԱՅԱՍՏԱՆԻ ՀԱՆՐԱՊԵՏՈՒԹՅՈՒՆ)
|
Հայաստանի Հանրապետության կառավարության աշխատակազմի ղեկավար |
Դ. Սարգսյան |