ՀԱՅԱՍՏԱՆԻ ՀԱՆՐԱՊԵՏՈՒԹՅԱՆ ԿԱՌԱՎԱՐՈՒԹՅՈՒՆ
Ո Ր Ո Շ ՈՒ Մ
19 փետրվարի 2009 թվականի N 168-Ն
ԵՐԵՎԱՆ ՔԱՂԱՔԻ ՎԱՐՉԱԿԱՆ ՍԱՀՄԱՆՆԵՐՈՒՄ ԳՏՆՎՈՂ ՈՐՈՇ ՏԱՐԱԾՔՆԵՐՈՒՄ ԲԱՑԱՌԻԿ` ԳԵՐԱԿԱ ՀԱՆՐԱՅԻՆ ՇԱՀ ՃԱՆԱՉԵԼՈՒ ՄԱՍԻՆ
Ղեկավարվելով Հայաստանի Հանրապետության հողային օրենսգրքի 61-րդ հոդվածով, «Հասարակության և պետության կարիքների համար սեփականության օտարման մասին» Հայաստանի Հանրապետության օրենքի 4-րդ, 5-րդ, 6-րդ, 7-րդ և 18-րդ հոդվածներով, 16-րդ հոդվածի 1-ին կետով, ինչպես նաև հիմք ընդունելով Երևան քաղաքի գլխավոր հատակագիծն ու դրա հիման վրա առաջացած քաղաքի զարգացման հեռանկարները` Հայաստանի Հանրապետության կառավարությունը որոշում է.
1. Սույն որոշման հավելվածում նշված տարածքներում իրականացվող քաղաքաշինական ծրագրերի նկատմամբ ճանաչել բացառիկ` գերակա հանրային շահ` հետևյալ հիմնավորումներով`
1) նշված ծրագրերի իրականացման շահը գերակայում է օտարվող սեփականության սեփականատերերի շահերից, քանի որ`
ա. ծրագրերի իրականացմամբ Երևանի կենտրոնից կվերանա կիսախարխուլ, ոչ սեյսմակայուն, ոչ բավարար խտությամբ և հիմնականում վթարային հանդիսացող բնակելի ֆոնդը, որի փոխարեն պետք է կառուցվեն բազմաֆունկցիոնալ միջին և բարձր հարկայնությամբ շենքեր և շինություններ, որոնք ապահովելու են նոր բնակարանային ֆոնդի ավելացումը: Որոշ տարածքներում կառուցապատման ծրագրերի շրջանակներում ստեղծվելու են նոր ճանապարհներ, ավտոկայանատեղեր, կանաչապատ տարածքներ, ինչպես նաև հիմնովին նորացվելու են ինժեներատեխնիկական ենթակառուցվածքները,
բ. համաձայն Երևան քաղաքի գլխավոր հատակագծի` սույն որոշման հավելվածում նշված տարածքները և արդեն իսկ կառուցապատված և կառուցապատվող տարածքները կհանդիսանան որպես ճարտարապետական մեկ համալիր` պահպանելով ներդաշնակ կառուցապատում, ժամանակակից պահանջներին համապատասխան փողոցներ և մայթեր, ինչպես նաև սույն որոշման 1-ին կետում նշված տարածքներում առկա բնակարանային ֆոնդին մի քանի անգամ գերազանցող նոր բնակարանային ֆոնդի կառուցում, կառուցվող նոր փողոցներն ստեղծում են այլընտրանքային երթևեկության ճանապարհներ, ինչպես նաև կառուցվող ստորգետնյա ավտոկայանատեղերը հնարավորություն են ընձեռում նվազեցնելու Երևան քաղաքի կենտրոնում փողոցների ծանրաբեռնվածությունը.
2) սույն որոշման 1-ին կետում նշված ծրագրի արդյունավետ իրագործումը չի կարող ապահովվել առանց նշված սեփականության օբյեկտների օտարման, քանի որ`
ա. դրանց անմիջական հարևանությամբ գտնվող և Հայաստանի Հանրապետության սեփականությունը հանդիսացող տարածքների համար նախագծվել և մասնակիորեն իրականացվել են համաքաղաքային ենթակառուցվածքների անբաժանելի մասը կազմող հանգույցներ, արդեն իսկ մասնակիորեն կառուցապատվել է գլխավոր պողոտան,
բ. անհնար է ապահովել տարածքների բնականոն երթևեկություն, ջրամատակարարում, ջրահեռացում և քաղաքի համար կենսական նշանակություն ունեցող այլ պայմաններ, որոնք նախատեսված են Երևան քաղաքի գլխավոր հատակագծով, տարածքներում առկա են մեծ քանակությամբ հանրապետական և տեղական նշանակության հուշարձան շենքեր, շինություններ, որոնք այժմ գտնվում են անմխիթար վիճակում: Կառուցապատման աշխատանքները թույլ կտան մասնավոր ներդրումների հաշվին վերակառուցել այդ շենքերն ու շինությունները` համադրելով հին Երևանի ճարտարապետական ոճն այժմյան կառուցվող շենքերի, շինությունների հետ, տարածքներում արդեն իսկ մասնակիորեն կատարված են սեփականության իրացման աշխատանքներ:
2. Սահմանել, որ`
1) սույն որոշման հավելվածի 1-5-րդ կետերում նշված տարածքների ձեռք բերող է հանդիսանում Հայաստանի Հանրապետությունը, որի անունից հանդես է գալիս Երևանի քաղաքապետարանը, 6-11-րդ կետերում նշված տարածքների ձեռք բերողներ են հանդիսանում սույն որոշման հավելվածում նշված իրավաբանական անձինք.
2) սեփականության օտարման գործընթացն սկսելու վերջնական ժամկետը 2011 թվականի հունվարի 1-ն է` բացառությամբ սույն որոշման հավելվածի 6-րդ կետում նշված տարածքի, որտեղ սեփականության օտարման գործընթացն սկսելու վերջնական ժամկետը 2012 թվականի հունվարի 1-ն է.
3) սույն որոշմամբ գերակա հանրային շահ ճանաչված տարածքների և դրանցում առկա սեփականության օբյեկտների նկարագրության արձանագրության կազմման գործառույթներն իրականացնում է Երևանի քաղաքապետարանը.
4) սույն որոշմամբ գերակա հանրային շահ ճանաչված տարածքների և դրանցում առկա սեփականության օբյեկտների նկարագրության արձանագրության կազմման աշխատանքներն իրականացվում են Հայաստանի Հանրապետության կառավարության 2007 թվականի հունվարի 25-ի N 108-Ն որոշմամբ սահմանված կարգով և որոշմամբ սահմանված նկարագրության արձանագրության օրինակելի ձևով.
5) սեփականության օտարման գործառույթների իրականացումը համակարգող պետական լիազոր մարմինը Երևանի քաղաքապետարանն է.
6) սույն որոշման հավելվածում նշված ձեռք բերողների իրավունքները և պարտականությունները uահմանվում են «Հասարակության և պետության կարիքների համար սեփականության օտարման մասին» Հայաստանի Հանրապետության օրենքի հիման վրա ձեռք բերողների ու լիազոր մարմնի միջև կնքված և որոշմանը կցված պայմանագրերին, «Պատմության և մշակույթի անշարժ հուշարձանների ու պատմական միջավայրի պահպանության և օգտագործման մասին» Հայաստանի Հանրապետության օրենքին ու Հայաստանի Հանրապետության կառավարության 2002 թվականի ապրիլի 20-ի «Պատմության և մշակույթի անշարժ հուշարձանների պետական հաշվառման, ուսումնասիրման, պահպանության, ամրակայման, նորոգման, վերականգնման և օգտագործման կարգը հաստատելու մասին» N 438 որոշմանը համապատասխան:
3. Երևանի քաղաքապետին`
1) սույն որոշմամբ բացառիկ` գերակա հանրային շահ ճանաչված տարածքում առկա պետական սեփականություն հանդիսացող անշարժ գույքերի` պետության և հասարակության կարիքների համար գույքի օտարման գործառույթների իրականացման ընթացքում հանդես գալ Հայաստանի Հանրապետության անունից.
2) անցկացնել հասարակության և պետության կարիքների համար օտարվող սեփականությունը ձեռք բերողի հրապարակային սակարկություն` մրցույթ սույն որոշման հավելվածում նշված այն տարածքների համար, որոնց ձեռք բերող է հանդիսանում Հայաստանի Հանրապետությունը.
3) սույն որոշումն ուժի մեջ մտնելուն հաջորդող 7-օրյա ժամկետում որոշումը պատշաճ ձևով ուղարկել օտարվող սեփականության սեփականատերերին և օտարվող սեփականության նկատմամբ պետական գրանցում ունեցող գույքային իրավունքներ ունեցող անձանց:
4. Սույն որոշումն ուժի մեջ է մտնում պաշտոնական հրապարակման օրվան հաջորդող տասներորդ օրը:
|
Հայաստանի Հանրապետության |
Տ. Սարգսյան |
|
2009 թ. փետրվարի 26 Երևան |
|
|
Հավելված ՀՀ կառավարության 2009 թվականիփետրվարի 19-ի N 168-Ն որոշման |
Ց Ա Ն Կ
ԵՐԵՎԱՆ ՔԱՂԱՔԻ ՎԱՐՉԱԿԱՆ ՍԱՀՄԱՆՆԵՐՈՒՄ ԳՏՆՎՈՂ ԱՅՆ ՏԱՐԱԾՔՆԵՐԻ, ՈՐՈՆՑ ՆԿԱՏՄԱՄԲ ՃԱՆԱՉՎԱԾ Է ԲԱՑԱՌԻԿ` ԳԵՐԱԿԱ ՀԱՆՐԱՅԻՆ ՇԱՀ
|
NN |
Գտնվելու վայրը և նկարագիրը |
Նկարա- |
Ձեռք բերողը |
|
1 |
2 |
3 |
4 |
|
1. |
Վրացյան 79, Վրացյան 81, Վրացյան 83, Վրացյան 85, Վրացյան 85/1, Վրացյան 85/2, Վրացյան 85/3, Վրացյան 85/4, Վրացյան 85/6, Վրացյան 85 հասցեին հարող պահեստ, Վրացյան 87, Վրացյան 89, Վրացյան 91, Վրացյան 93, Վրացյան 93/1, Վրացյան 95, Վարդանանց նրբ. 172, Վարդանանց նրբ. 174, Վարդանանց նրբ. 174 հասցեին կից պահեստ (N 1 սխեման կցվում է) |
9 ամիս |
Հայաս-տանի Հանրապե-տություն |
|
2. |
Երևան քաղաքի Պարոնյան 3-րդ նրբ. 7/2 հասցեում շինություն, Պարոնյան 3-րդ նրբ. 16 հասցեում շինություններ, Պարոնյան 3-րդ նրբ. 18 հասցեում շինություններ, Պարոնյան 3-րդ նրբ. 20 հասցեում շինություններ, Լեոյի 33 հասցեում մանկապարտեզ և շինություններ, Լեոյի 35 հասցեում շինություններ, Լեոյի 37 հասցեում շինություններ, Լեոյի 9 շենքի բակում ավտոտնակներ, Լեոյի 7 հասցեում սանէպիդկայան, Պարոնյան 6 շենքի բակում ավտոտնակ և ավտոլվացման կետ, Պարոնյան 4ա շենքի մոտ մսի տաղավար, Պարոնյան 4ա շենքին կից պատճենահանման կետ, Պարոնյան 4 շենքի մոտ ծաղկի խանութ, Պարոնյան 4 շենքին կից մթերային խանութ, Լեոյի 11 բազմաբնակարան շենք, Մեսրոպ Մաշտոցի 3 հասցեում գտնվող շենքին հարակից «Արցախ» սահմանափակ պատասխանատվությամբ ընկերության տարածք (նախկին կաթսայատուն), Մեսրոպ Մաշտոցի 5գ շենքի հարևանությամբ ցանկապատված ավտոտնակի տարածք, Մեսրոպ Մաշտոցի 5գ շենքի հարևանությամբ ավտոլվացման կետ (N 2 սխեման կցվում է) |
9 ամիս |
Հայաս-տանի Հանրապե-տություն |
|
3. |
Երևան քաղաքի Շինարարների փողոցի բազմաբնակարան շենքերի կառուցապատման գծով Լենինգրադյան փողոցից մինչև Աբելյան փողոցի շինությունները, Շինարարների 15 հասցեում բազմաբնակարանային վթարային շինություն, Շինարարների 15 շենքի բակում 8 ավտոտնակ, Շինարարների 15 շենքի բակում մետաղական տաղավար և մետաղական կրպակներ, Շինարարների 15/1 շենքի բակում ստորգետնյա ավտոհանգրվան և մետաղական կրպակ, Սիսակյան 21 շենքի հարևանությամբ ավտոտնակներ, Առաքելյան 70 շենքի բակում ավտոտնակներ, Աբելյան 68 և 70 շենքի բակում ավտոտնակներ և ենթակայան, Առաքելյան 66 շենքի բակում ավտոտնակներ, Առաքելյան 66 և 68 շենքի բակում շինություն և ավտոտնակներ, Շինարարների 15 և Առաքելյան 66 և 68 շենքերի միջանկյալ հատվածում շուկա և ավտոտնակներ (N 3 սխեման կցվում է) |
9 ամիս |
Հայաս-տանի Հանրապե-տություն |
|
4. |
Գլխավոր պողոտայի Մ. Սարյան, Արամի, Ե. Կողբացու և Փ. Բուզանդի փողոցների միջակայքում գտնվող տարածք (N 4 սխեման կցվում է) |
9 ամիս |
Հայաս-տանի Հանրապե-տություն |
|
5. |
Գլխավոր պողոտայի Նալբանդյան, Արամի, Խանջյան և Փ. Բուզանդի փողոցների միջակայքում գտնվող տարածք (N 5 սխեման կցվում է) |
9 ամիս |
Հայաս-տանի Հանրապե-տություն |
|
6. |
Սարյան փող. և Ամիրյան փող. հատման մասից, Սարյան փող. աջակողմյան մայթով, Լեոյի փողոցով, Պարոնյան փողոցով, «Դվին» հյուրանոցի հողամասի սահմանագծով, Դեմիրճյան փողոցով, Ֆրիկի փողոցով պարփակված տարածք |
12 ամիս |
«Դաուն-թաուն |
|
7. |
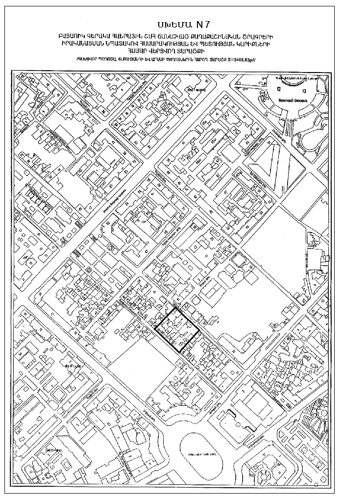
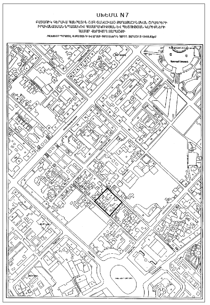
Երևան քաղաքի Բուզանդի 18, Բուզանդի 20, Բուզանդի 22, Բուզանդի 24, Բուզանդի 24, բն. 1, Բուզանդի 26, Բուզանդի 26, բն. 3, Բուզանդի 26, բն.11-12, Արամի 17, Արամի 19, Արամի 19 (Բուզանդի 22), Արամի 21, բն. 3, Արամի 21, բն. 6, Արամի 21, բն. 7 հասցեները (N 7 սխեման կցվում է) |
9 ամիս |
«Ի ԷՄ ՍԻ» |
|
8. |
Տերյան 23 կիսանկուղային արվեստանոց, Տերյան 23 բազմաբնակարան շենքի 2, 5, 6, 7, 8, 10, 13, 14, 15, 16 և 19 բնակարաններ, Տերյան 25 կիսանկուղ, Տերյան 25 կիսանկուղային արվեստանոց, Տերյան 25 բազմաբնակարան շենքի 2 և 3, 5, 6, 8, 10, 11, 12-13, 14, 19, 22 և 23, 25, 26, 29, 30, 30 խորդանոց, Տերյան 25, 21 գրասենյակ և նկուղ, Տերյան 25 շենքի բակում ավտոտնակ, Տերյան 25 և Լալայանց 37 շենքերի բակում ավտոտնակ, Լալայանց 37 արվեստանոց, Լալայանց 37 շենքի 3, 4, 5, 8, 11, 16, 17 և 19 բնակարաններ, Լալայանց 37 շենքի բակում ավտոտնակ, Կողբացի 42 հասցեում N 6 կաթսայատուն, Կողբացու 42/4, Կողբացու 42 հասցեում N 2 ավտոտնակ, Կողբացու 42 հասցեին կից սպորտդահլիճ, Կողբացու 42/2 հասցեում հողամաս, Կողբացու 42 շենքի բակում 3 ավտոտնակ, Կողբացու 42ա շենքի բակում ավտոտնակ, Կողբացու 50, Կողբացու 50ա, Կողբացու փող. էլ. ենթակայան, Պուշկինի 38, բն.1, 17, Պուշկինի 38, բն.1 և բն.17 բնակարանների միջև ավտոտնակ, Պուշկինի 38, տուն 18, Պուշկինի 40 շենքի բակում 3 ավտոտնակ (N 8 սխեման կցվում է) |
9 ամիս |
«Լոկալ |
|
9. |
1-ին Արհեստավորների 117, 119, 121, 123, 125, 127, 129, 131, 133, 135, 137, 139, 141, 143, 145, 147, 149, 151, 153, 155, 157, 159, 161, 163, 165 տներին հարակից, Նար-Դոսի 39 հին տպարանի շենքը և բակի շինությունները, Նար-Դոսի 35, 39, 41, 43, 45, 47, 49, Զավարյան 18, 20, 22, 24, 26, Տոլստոյ 44, 46, 48, 50, 50/1, 52, 54, 56, 58, 60, 62, 64 (N 9 սխեման կցվում է) |
9 ամիս |
«Արևիկ-Տուր» |
|
10. |
Պռոշյան 1-ին փակուղի տուն 1, 1/3, 2, 3, 3/4, 3/8, 3/9, 3/10, 7, 9, 9/1, 14, 14/3, 19, 20, 20/3, 54, 54/2, 58, 58/5, 60, 62/3, 70, 70/2, 72, 74, Պռոշյան 1-ին նրբանցք տուն 2, 3, 3/5, 3/14, 7, 11/6, 14, 14/2, 14/5, 19, 19/2, 20, 21, 24/1, 26/1, 28/1, 30/1, 30/2, 36, 36ա, 39/3, 39/4, 39/7, 42, 42/2, 44, 48, 52, 52/1, 54, 56, 58, 58/1, 58/2, 58/3, 58/5, 60, 60/3, 62, 62/1, 62/2, 62/3, 70, 70/2, 72, 74, 74/3, Պռոշյան 11, 11/6, 35, 35/1, 39, 39/1, 41, 45, 47, 125, Դեմիրճյան 40/9 (N 10 սխեման կցվում է) |
9 ամիս |
«Լոկալ |
|
11. |
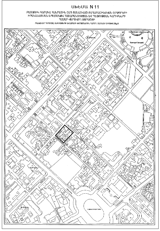
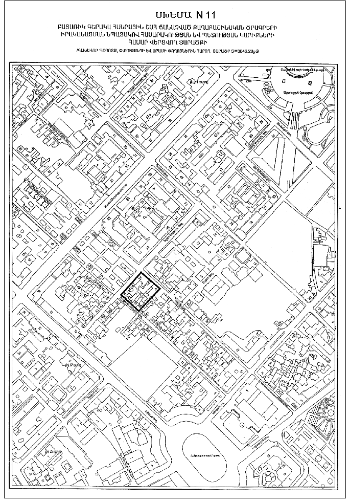
Բուզանդի 36, Բուզանդի 38, Բուզանդի 40, Կողբացու 22, Արամի 29, Արամի 29, բն. 1, 29, բն. 4, 29, բն. 6, 29, բն. 12, 29, բն. 17 (N 11 սխեման կցվում է) |
9 ամիս |
«Ի ԷՄ ՍԻ» |
|
Հայաստանի Հանրապետության կառավարության աշխատակազմի ղեկավար |
Դ. Սարգսյան |