ՀԱՅԱՍՏԱՆԻ ՀԱՆՐԱՊԵՏՈՒԹՅԱՆ ԿԱՌԱՎԱՐՈՒԹՅՈՒՆ
Ո Ր Ո Շ ՈՒ Մ
29 հունվարի 2010 թվականի N 68-Ն
ՀՈՂԵՐԻ ԿԱՏԵԳՈՐԻԱՆ ՓՈԽԵԼՈՒ ԵՎ ՈՐՈՇ ՏԱՐԱԾՔՆԵՐՈՒՄ ԲԱՑԱՌԻԿ` ԳԵՐԱԿԱ ՀԱՆՐԱՅԻՆ ՇԱՀ ՃԱՆԱՉԵԼՈՒ ՄԱՍԻՆ
Ղեկավարվելով Հայաստանի Հանրապետության հողային օրենսգրքի 7-րդ հոդվածի 2-րդ կետի, 46-րդ հոդվածի, 75-րդ հոդվածի 1-ին մասի 4-րդ կետի, «Հասարակության և պետության կարիքների համար սեփականության օտարման մասին» Հայաստանի Հանրապետության օրենքի 4-րդ, 7-րդ հոդվածների դրույթներով և 2006 թվականի մարտի 27-ին Հայաստանի Հանրապետության կառավարության և Ամերիկայի Միացյալ Նահանգների` ի դեմս Հազարամյակի մարտահրավեր կորպորացիայի միջև ստորագրված Հազարամյակի մարտահրավեր համաձայնագրով` Հայաստանի Հանրապետության կառավարությունը որոշում է.
1. «Հազարամյակի մարտահրավեր» հիմնադրամ - Հայաստան» ծրագրի շրջանակներում Արարատյան հարթավայրի դրենաժային համակարգի (փաթեթ 2) վերականգնման համար սույն որոշման 2-րդ կետում նշված, բացառությամբ 9-րդ ենթակետի «բ» պարբերության, համայնքների և քաղաքացիների սեփականությունը հանդիսացող` 7.6784 հեկտար հողամասերի օտարման նպատակով «Հասարակության և պետության կարիքների համար սեփականության օտարման մասին» Հայաստանի Հանրապետության օրենքով սահմանված կարգով ճանաչել բացառիկ` գերակա հանրային շահ` համաձայն N 1 հավելվածի, հետևյալ հիմնավորումներով`
1) սույն որոշման 1-ին կետում նշված ծրագրի իրականացման շահը գերակայում է օտարվող սեփականության սեփականատերերի շահերից, քանի որ ծրագրի իրականացումը նպատակաուղղված է Հայաստանի Հանրապետության միջազգային պայմանագրով նախատեսված պարտավորությունների կատարման ապահովմանը, ինչպես նաև հողամասերի ճահճացման և կրկնակի աղակալման կանխարգելմանն ու ոռոգման ջրով ապահովմանը.
2) սույն որոշման 1-ին կետում նշված ծրագրի արդյունավետ իրականացումը չի կարող ապահովվել` առանց նշված սեփականության օբյեկտների օտարման, քանի որ հողամասերի վրա կատարվող աշխատանքները դրենաժային համակարգերի և արտեզյան խորքային հորերի անբաժան մասերն են։
2. Հայաստանի Հանրապետության Արարատյան դաշտավայրի դրենաժային համակարգերի վերականգնման ծրագրի իրականացման նպատակով Հայաստանի Հանրապետության Արարատի մարզի գյուղատնտեսական նշանակության 6.9289 հեկտար, հատուկ պահպանվող 0.4721 հեկտար և Հայաստանի Հանրապետության Արմավիրի մարզի գյուղատնտեսական նշանակության 0.7495 հեկտար հողերը փոխադրել ջրային հողերի կատեգորիա, որից`
1) Հայաստանի Հանրապետության Արարատի մարզի Արտաշատի քաղաքային համայնքի վարչական սահմաններում գտնվող` համայնքային սեփականություն հանդիսացող` գյուղատնտեսական նշանակության այլ հողերից 0.015 հեկտար` համաձայն N 2 հավելվածի.
2) Հայաստանի Հանրապետության Արարատի մարզի Ազատավանի գյուղական համայնքի վարչական սահմաններում գտնվող` համայնքային սեփականություն հանդիսացող` գյուղատնտեսական նշանակության հողերից 0.303 հեկտար, այդ թվում` վարելահող` 0.1152 հեկտար, այլ հողեր` 0.1878 հեկտար` համաձայն N 3 հավելվածի.
3) Հայաստանի Հանրապետության Արարատի մարզի Բուրաստանի գյուղական համայնքի վարչական սահմաններում գտնվող` համայնքային սեփականություն հանդիսացող` գյուղատնտեսական նշանակության այլ հողերից 0.1992 հեկտար` համաձայն N 4 հավելվածի.
4) Հայաստանի Հանրապետության Արարատի մարզի Հովտաշենի գյուղական համայնքի վարչական սահմաններում գտնվող` գյուղատնտեսական նշանակության այլ հողերից 2.1096 հեկտար` համաձայն N 5 հավելվածի, այդ թվում` 0.7579 հեկտար` քաղաքացիների և 1.3517 հեկտար` համայնքային սեփականություն հանդիսացող.
5) Հայաստանի Հանրապետության Արարատի մարզի Մխչյանի գյուղական համայնքի վարչական սահմաններում գտնվող` համայնքային սեփականություն հանդիսացող` գյուղատնտեսական նշանակության այլ հողերից 0.005 հեկտար` համաձայն N 6 հավելվածի.
6) Հայաստանի Հանրապետության Արարատի մարզի Նորամարգի գյուղական համայնքի վարչական սահմաններում գտնվող` համայնքային սեփականություն հանդիսացող` գյուղատնտեսական նշանակության հողերից 4.1985 հեկտար` համաձայն N 7 հավելվածի, այդ թվում` վարելահող` 0.7427 հեկտար, արոտ` 1.2777 հեկտար և այլ հողեր` 2.1781 հեկտար.
7) Հայաստանի Հանրապետության Արարատի մարզի Շահումյանի գյուղական համայնքի վարչական սահմաններում գտնվող` համայնքային սեփականություն հանդիսացող` գյուղատնտեսական նշանակության այլ հողերից 0.005 հեկտար` համաձայն N 8 հավելվածի.
8) Հայաստանի Հանրապետության Արարատի մարզի Սուրենավանի գյուղական համայնքի վարչական սահմաններում գտնվող` համայնքային սեփականություն հանդիսացող` գյուղատնտեսական նշանակության այլ հողերից 0.005 հեկտար` համաձայն N 9 հավելվածի.
9) Հայաստանի Հանրապետության Արարատի մարզի Փոքր Վեդիի գյուղական համայնքի վարչական սահմաններում գտնվող հողերից 0.5607 հեկտար` համաձայն N 10 հավելվածի, այդ թվում`
ա. համայնքային սեփականություն հանդիսացող` գյուղատնտեսական նշանակության այլ հողերից 0.0886 հեկտար,
բ. պետական սեփականություն հանդիսացող` հատուկ պահպանվող հողերից (Խոր Վիրապի արգելավայր) 0.4721 հեկտար (փոխհատուցման ենթակա չէ).
10) Հայաստանի Հանրապետության Արմավիրի մարզի Ակնաշենի գյուղական համայնքի վարչական սահմաններում գտնվող` համայնքային սեփականություն հանդիսացող` գյուղատնտեսական նշանակության այլ հողերից 0.005 հեկտար` համաձայն N 11 հավելվածի.
11) Հայաստանի Հանրապետության Արմավիրի մարզի Ապագայի գյուղական համայնքի վարչական սահմաններում գտնվող` համայնքային սեփականություն հանդիսացող` գյուղատնտեսական նշանակության հողերից 0.6393 հեկտար` համաձայն N 12 հավելվածի, այդ թվում` վարելահող` 0.0084 հեկտար, այլ հողեր` 0.6309 հեկտար.
12) Հայաստանի Հանրապետության Արմավիրի մարզի Առատաշենի գյուղական համայնքի վարչական սահմաններում գտնվող` համայնքային սեփականություն հանդիսացող` գյուղատնտեսական նշանակության այլ հողերից 0.005 հեկտար` համաձայն N 13 հավելվածի.
13) Հայաստանի Հանրապետության Արմավիրի մարզի Արտաշարի գյուղական համայնքի վարչական սահմաններում գտնվող` համայնքային սեփականություն հանդիսացող` գյուղատնտեսական նշանակության այլ հողերից 0.1002 հեկտար` համաձայն N 14 հավելվածի։
3. Հայաստանի Հանրապետության Արարատի մարզպետին` սույն որոշման 2-րդ կետի 9-րդ ենթակետի «բ» պարբերության համաձայն փոխադրված` պետական սեփականություն հանդիսացող 0.4721 հեկտար հողերն ամրացնել «Հայաստանի Հանրապետության տարածքային կառավարման նախարարության ջրային տնտեսության պետական կոմիտեի աշխատակազմ» պետական կառավարչական հիմնարկին:
4. Սահմանել, որ`
1) սույն որոշման 1-ին կետում նշված տարածքները ձեռք բերող է Հայաստանի Հանրապետությունը` ի դեմս Հայաստանի Հանրապետության Արարատի և Արմավիրի մարզպետարանների.
2) բացառիկ` գերակա հանրային շահ ճանաչված տարածքների և դրանցում առկա սեփականության օբյեկտների նկարագրության արձանագրության կազմման և սեփականության օտարման գործառույթների իրականացումը համակարգողը և պատասխանատուն Հայաստանի Հանրապետության Արարատի և Արմավիրի մարզպետներն են.
3) բացառիկ` գերակա հանրային շահ ճանաչված տարածքների և դրանցում առկա սեփականության օբյեկտների նկարագրության արձանագրության կազմման աշխատանքներն իրականացվում են Հայաստանի Հանրապետության կառավարության 2007 թվականի հունվարի 25-ի N 108-Ն որոշմամբ սահմանված նկարագրության արձանագրության օրինակելի ձևով.
4) սեփականության օտարման գործընթացն սկսելու վերջնական ժամկետը սույն որոշումն ուժի մեջ մտնելու օրվան հաջորդող 15-րդ օրն է։
5. Սույն որոշման 2-րդ կետով (բացառությամբ 9-րդ ենթակետի «բ» պարբերության) նախատեսված հողամասերի ձեռքբերման, պայմանագրերի նոտարական վավերացման և վնասների փոխհատուցման համար Հայաստանի Հանրապետության 2010 թվականի պետական բյուջեով նախատեսված Հայաստանի Հանրապետության կառավարության պահուստային ֆոնդից (բյուջետային ծախսերի տնտեսագիտական դասակարգման «Այլ նպաստներ բյուջեից» հոդվածովուղղ.) 2010 թվականի առաջին եռամսյակում հատկացնել 15769 հազ. դրամ, այդ թվում`
1) Հայաստանի Հանրապետության Արարատի մարզպետարանին` 14479 հազ. դրամ.
2) Հայաստանի Հանրապետության Արմավիրի մարզպետարանին` 1290 հազ. դրամ։
6. Հայաստանի Հանրապետության Արարատի և Արմավիրի մարզպետներին`
1) սույն որոշման 5-րդ կետով նախատեսված հատկացումների հաշվին իրականացնել սույն որոշման N 15 հավելվածով նախատեսված աշխատանքները.
2) սույն որոշումն ուժի մեջ մտնելուն հաջորդող 7-օրյա ժամկետում սույն որոշումը պատշաճ ձևով ուղարկել օտարվող սեփականության սեփականատերերին և օտարվող սեփականության նկատմամբ պետական գրանցում ունեցող գույքային իրավունքներ ունեցող անձանց:
7. Սույն որոշումն ուժի մեջ է մտնում պաշտոնական հրապարակմանը հաջորդող օրվանից:
|
Հայաստանի Հանրապետության |
Տ. Սարգսյան |
|
2010 թ. փետրվարի 4 Երևան |
|
Հավելված N 1 ՀՀ կառավարության 2010 թվականի հունվարի 29-ի N 68-Ն որոշման |
Ց Ա Ն Կ
ՀԱՅԱՍՏԱՆԻ ՀԱՆՐԱՊԵՏՈՒԹՅԱՆ ԱՐԱՐԱՏՅԱՆ ԴԱՇՏԱՎԱՅՐԻ ԴՐԵՆԱԺԱՅԻՆ ՀԱՄԱԿԱՐԳԻ ՎԵՐԱԿԱՆԳՆՄԱՆ ՀԱՄԱՐ ՕՏԱՐՄԱՆ ԵՆԹԱԿԱ ՀՈՂԵՐԻ ՍԵՓԱԿԱՆԱՏԵՐԵՐԻ
|
N/N |
Սեփականության սուբյեկտը |
Ծածկագիրը |
Գերակա շահ ճանաչված հողամասի մակերեսը (հա) |
|
Արարատի մարզ | |||
| Արտաշատ համայնքի վարչական սահմաններում | |||
| 1. | Արտաշատ համայնք | 761-020 | 0.005 |
| 2. | Արտաշատ համայնք | 1230-001 | 0.005 |
| 3. | Արտաշատ համայնք | 766-031 | 0.005 |
| Ընդամենը |
0.015 | ||
| Ազատավան համայնքի վարչական սահմաններում | |||
| 1. | Ազատավան համայնք | 217-001-01 | 0.1152 |
| 2. | Ազատավան համայնք | 217-001 | 0.0086 |
| 3. | Ազատավան համայնք | 217-001-02 | 0.0938 |
| 4. | Ազատավան համայնք | 222-01 | 0.0367 |
| 5. | Ազատավան համայնք | 508-001 | 0.0437 |
| 6. | Ազատավան համայնք | 203-001 | 0.005 |
| Ընդամենը |
0.303 | ||
| Բուրաստան համայնքի վարչական սահմաններում | |||
| 1. | Բուրաստան համայնք | 156-001-03 | 0.0857 |
| 2. | Բուրաստան համայնք | 385-001 | 0.0533 |
| 3. | Բուրաստան համայնք | 391-001 | 0.0502 |
| 4. | Բուրաստան համայնք | 116-001 | 0.005 |
| 5. | Բուրաստան համայնք | 143-001 | 0.005 |
| Ընդամենը | 0.1992 | ||
| Հովտաշեն համայնքի վարչական սահմաններում | |||
| 1. | Հովտաշեն համայնք | 936-004 | 0.53 |
| 2. | Հովտաշեն համայնք | 937-003 | 0.0174 |
| 3. | Հովտաշեն համայնք | 937-001 | 0.0115 |
| 4. | Հովտաշեն համայնք | 218-001 | 0.0311 |
| 5. | Հովտաշեն համայնք | 226-001 | 0.7724 |
| 6. | Քաղաքացի | 185-002 | 0.3046 |
| 7. | Քաղաքացի | 185-006 | 0.4533 |
| 8. | Հովտաշեն համայնք | 220-001 | 0.0258 |
| 9. | Հովտաշեն համայնք | 940-001 | 0.0328 |
| 10. | Հովտաշեն համայնք | 942-001 | 0.2528 |
| 11. | Հովտաշեն համայնք | 928-002 | 0.1549 |
| Ընդամենը |
2.1096 | ||
| Մխչյան համայնքի վարչական սահմաններում | |||
| 1. | Մխչյան համայնք | 270-002 | 0.005 |
| Ընդամենը |
0.005 | ||
| Նորամարգ համայնքի վարչական սահմաններում | |||
| 1. | Նորամարգ համայնք | 364-002-02 | 0.28 |
| 2. | Նորամարգ համայնք | 395-001-01 | 0.0.731 |
| 3. | Նորամարգ համայնք | 396-001-01 | 0.1213 |
| 4. | Նորամարգ համայնք | 396-001-02 | 0.3928 |
| 5. | Նորամարգ համայնք | 396-001-04 | 0.4627 |
| 6. | Նորամարգ համայնք | 396-001-05 | 0.0015 |
| 7. | Նորամարգ համայնք | 404-002-01 | 0.7636 |
| 8. | Նորամարգ համայնք | 364-002-01 | 0.1577 |
| 9. | Նորամարգ համայնք | 398-001 | 0.044 |
| 10. | Նորամարգ համայնք | 767-001 | 0.0146 |
| 11. | Նորամարգ համայնք | 765-001 | 1.2293 |
| Ընդամենը | 4.1985 | ||
| Շահումյան համայնքի վարչական սահմաններում | |||
| 1. | Շահումյան համայնք | 237-010 | 0.005 |
| Ընդամենը |
0.005 | ||
| Սուրենավան համայնքի վարչական սահմաններում | |||
| 1. | Սուրենավան համայնք | 547-001 | 0.005 |
| Ընդամենը |
0.005 | ||
| Փոքր Վեդի համայնքի վարչական սահմաններում | |||
| 1. | Փոքր Վեդի համայնք | 188-01-01 | 0.0441 |
| 2. | Պետական | 188-001-02 | 0.4721* |
| 3. | Փոքր Վեդի համայնք | 188-001-03 | 0.0445 |
| Ընդամենը |
0.5607 | ||
| Ընդամենը մարզում |
7.401 | ||
|
Արմավիրի մարզ | |||
| Արտաշար համայնքի վարչական սահմաններում | |||
| 1. | Արտաշար համայնք | 105-001 | 0.0476 |
| 2. | Արտաշար համայնք | 255-001-01 | 0.0526 |
| Ընդամենը |
0.1002 | ||
| Առատաշեն համայնքի վարչական սահմաններում | |||
| 1. | Առատաշեն համայնք | 980-001 | 0.005 |
| Ընդամենը |
0.005 | ||
| Ապագա համայնքի վարչական սահմաններում | |||
| 1. | Ապագա համայնք | 101-001 | 0.4034 |
| 2. | Ապագա համայնք | 102-001-01 | 0.0084 |
| 3. | Ապագա համայնք | 102-001 | 0.2109 |
| 4. | Ապագա համայնք | 905-001 | 0.0166 |
| Ընդամենը |
0.6393 | ||
| Ակնաշեն համայնքի վարչական սահմաններում | |||
| 1. | Ակնաշեն համայնք | 907-001 | 0.005 |
| Ընդամենը |
0.005 | ||
| Ընդամենը մարզում |
0.7495 | ||
| Ամբողջը |
8.1505 | ||
* Ծանոթություն - Արարատի մարզի Փոքր Վեդի համայնքի վարչական սահմաններում 188-001-02 ծածկագրի տակ գտնվող հողամասը պետական սեփականության հատուկ պահպանվող հող է և փոխհատուցման ենթակա չէ:
|
Հայաստանի Հանրապետության կառավարության աշխատակազմի ղեկավար |
Դ. Սարգսյան |
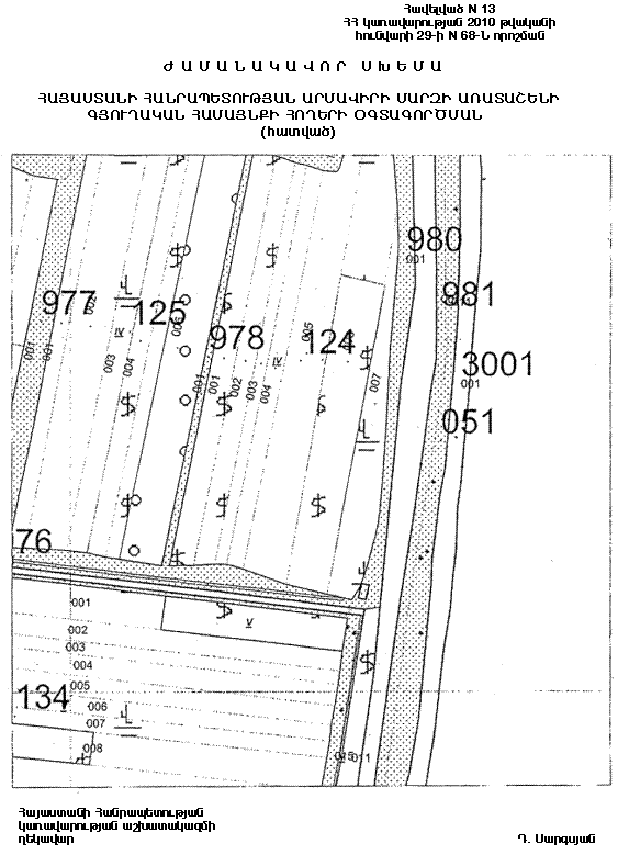
Ժ Ա Մ Ա Ն Ա Կ Ա Վ Ո Ր Ս Խ Ե Մ Ա
ՀԱՅԱՍՏԱՆԻ ՀԱՆՐԱՊԵՏՈՒԹՅԱՆ ԱՐԱՐԱՏԻ ՄԱՐԶԻ ԱՐՏԱՇԱՏԻ ՔԱՂԱՔԱՅԻՆ ՀԱՄԱՅՆՔԻ ՀՈՂԵՐԻ ՕԳՏԱԳՈՐԾՄԱՆ
(հատված)
|
Հայաստանի Հանրապետության կառավարության աշխատակազմի ղեկավար |
Դ. Սարգսյան |
|
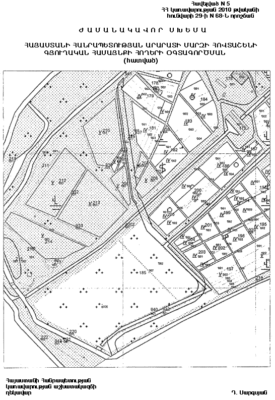
Հավելված N 3 ՀՀ կառավարության 2010 թվականի հունվարի 29-ի N 68-Ն որոշման
|
Ժ Ա Մ Ա Ն Ա Կ Ա Վ Ո Ր Ս Խ Ե Մ Ա
ՀԱՅԱՍՏԱՆԻ ՀԱՆՐԱՊԵՏՈՒԹՅԱՆ ԱՐԱՐԱՏԻ ՄԱՐԶԻ ԱԶԱՏԱՎԱՆԻ ԳՅՈՒՂԱԿԱՆ ՀԱՄԱՅՆՔԻ ՀՈՂԵՐԻ ՕԳՏԱԳՈՐԾՄԱՆ
(հատված)
|
Հայաստանի Հանրապետության կառավարության աշխատակազմի ղեկավար |
Դ. Սարգսյան |
|
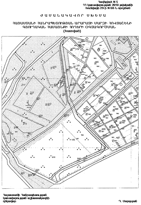
Հավելված N 4 ՀՀ կառավարության 2010 թվականի հունվարի 29-ի N 68-Ն որոշման
|
Ժ Ա Մ Ա Ն Ա Կ Ա Վ Ո Ր Ս Խ Ե Մ Ա
ՀԱՅԱՍՏԱՆԻ ՀԱՆՐԱՊԵՏՈՒԹՅԱՆ ԱՐԱՐԱՏԻ ՄԱՐԶԻ ԲՈՒՐԱՍՏԱՆԻ ԳՅՈՒՂԱԿԱՆ
ՀԱՄԱՅՆՔԻ ՀՈՂԵՐԻ ՕԳՏԱԳՈՐԾՄԱՆ
(հատված)
|
Հայաստանի Հանրապետության կառավարության աշխատակազմի ղեկավար |
Դ. Սարգսյան |
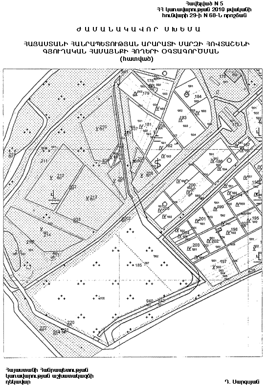
Ժ Ա Մ Ա Ն Ա Կ Ա Վ Ո Ր Ս Խ Ե Մ Ա
ՀԱՅԱՍՏԱՆԻ ՀԱՆՐԱՊԵՏՈՒԹՅԱՆ ԱՐԱՐԱՏԻ ՄԱՐԶԻ ՀՈՎՏԱՇԵՆԻ ԳՅՈՒՂԱԿԱՆ
ՀԱՄԱՅՆՔԻ ՀՈՂԵՐԻ ՕԳՏԱԳՈՐԾՄԱՆ
(հատված)
|
Հայաստանի Հանրապետության կառավարության աշխատակազմի ղեկավար |
Դ. Սարգսյան |
Ժ Ա Մ Ա Ն Ա Կ Ա Վ Ո Ր Ս Խ Ե Մ Ա
ՀԱՅԱՍՏԱՆԻ ՀԱՆՐԱՊԵՏՈՒԹՅԱՆ ԱՐԱՐԱՏԻ ՄԱՐԶԻ ՄԽՉՅԱՆԻ ԳՅՈՒՂԱԿԱՆ
ՀԱՄԱՅՆՔԻ ՀՈՂԵՐԻ ՕԳՏԱԳՈՐԾՄԱՆ
(հատված)
|
Հայաստանի Հանրապետության կառավարության աշխատակազմի ղեկավար |
Դ. Սարգսյան |
Ժ Ա Մ Ա Ն Ա Կ Ա Վ Ո Ր Ս Խ Ե Մ Ա
ՀԱՅԱՍՏԱՆԻ ՀԱՆՐԱՊԵՏՈՒԹՅԱՆ ԱՐԱՐԱՏԻ ՄԱՐԶԻ ՆՈՐԱՄԱՐԳԻ ԳՅՈՒՂԱԿԱՆ
ՀԱՄԱՅՆՔԻ ՀՈՂԵՐԻ ՕԳՏԱԳՈՐԾՄԱՆ
|
Հայաստանի Հանրապետության կառավարության աշխատակազմի ղեկավար |
Դ. Սարգսյան |
Ժ Ա Մ Ա Ն Ա Կ Ա Վ Ո Ր Ս Խ Ե Մ Ա
ՀԱՅԱՍՏԱՆԻ ՀԱՆՐԱՊԵՏՈՒԹՅԱՆ ԱՐԱՐԱՏԻ ՄԱՐԶԻ ՇԱՀՈՒՄՅԱՆԻ ԳՅՈՒՂԱԿԱՆ
ՀԱՄԱՅՆՔԻ ՀՈՂԵՐԻ ՕԳՏԱԳՈՐԾՄԱՆ
(հատված)
|
Հայաստանի Հանրապետության կառավարության աշխատակազմի ղեկավար |
Դ. Սարգսյան |
Ժ Ա Մ Ա Ն Ա Կ Ա Վ Ո Ր Ս Խ Ե Մ Ա
ՀԱՅԱՍՏԱՆԻ ՀԱՆՐԱՊԵՏՈՒԹՅԱՆ ԱՐԱՐԱՏԻ ՄԱՐԶԻ ՍՈՒՐԵՆԱՎԱՆԻ ԳՅՈՒՂԱԿԱՆ
ՀԱՄԱՅՆՔԻ ՀՈՂԵՐԻ ՕԳՏԱԳՈՐԾՄԱՆ
(հատված)
|
Հայաստանի Հանրապետության կառավարության աշխատակազմի ղեկավար |
Դ. Սարգսյան |
Ժ Ա Մ Ա Ն Ա Կ Ա Վ Ո Ր Ս Խ Ե Մ Ա
ՀԱՅԱՍՏԱՆԻ ՀԱՆՐԱՊԵՏՈՒԹՅԱՆ ԱՐԱՐԱՏԻ ՄԱՐԶԻ ՓՈՔՐ ՎԵԴԻԻ ԳՅՈՒՂԱԿԱՆ
ՀԱՄԱՅՆՔԻ ՀՈՂԵՐԻ ՕԳՏԱԳՈՐԾՄԱՆ
(հատված)
|
Հայաստանի Հանրապետության կառավարության աշխատակազմի ղեկավար |
Դ. Սարգսյան |
Ժ Ա Մ Ա Ն Ա Կ Ա Վ Ո Ր Ս Խ Ե Մ Ա
ՀԱՅԱՍՏԱՆԻ ՀԱՆՐԱՊԵՏՈՒԹՅԱՆ ԱՐՄԱՎԻՐԻ ՄԱՐԶԻ ԱԿՆԱՇԵՆԻ ԳՅՈՒՂԱԿԱՆ
ՀԱՄԱՅՆՔԻ ՀՈՂԵՐԻ ՕԳՏԱԳՈՐԾՄԱՆ
(հատված)
|
Հայաստանի Հանրապետության կառավարության աշխատակազմի ղեկավար |
Դ. Սարգսյան |
Ժ Ա Մ Ա Ն Ա Կ Ա Վ Ո Ր Ս Խ Ե Մ Ա
ՀԱՅԱՍՏԱՆԻ ՀԱՆՐԱՊԵՏՈՒԹՅԱՆ ԱՐՄԱՎԻՐԻ ՄԱՐԶԻ ԱՊԱԳԱՅԻ ԳՅՈՒՂԱԿԱՆ
ՀԱՄԱՅՆՔԻ ՀՈՂԵՐԻ ՕԳՏԱԳՈՐԾՄԱՆ
Հայաստանի Հանրապետության կառավարության աշխատակազմի ղեկավար
Դ. Սարգսյան
Ժ Ա Մ Ա Ն Ա Կ Ա Վ Ո Ր Ս Խ Ե Մ Ա
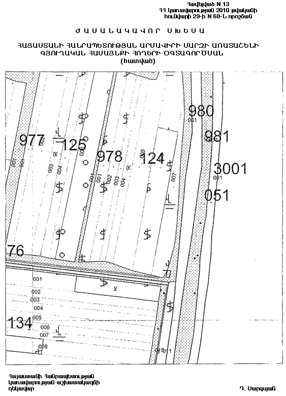
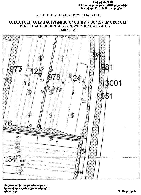
ՀԱՅԱՍՏԱՆԻ ՀԱՆՐԱՊԵՏՈՒԹՅԱՆ ԱՐՄԱՎԻՐԻ ՄԱՐԶԻ ԱՌԱՏԱՇԵՆԻ ԳՅՈՒՂԱԿԱՆ
ՀԱՄԱՅՆՔԻ ՀՈՂԵՐԻ ՕԳՏԱԳՈՐԾՄԱՆ
(հատված)
|
Հայաստանի Հանրապետության կառավարության աշխատակազմի ղեկավար |
Դ. Սարգսյան |
Ժ Ա Մ Ա Ն Ա Կ Ա Վ Ո Ր Ս Խ Ե Մ Ա
ՀԱՅԱՍՏԱՆԻ ՀԱՆՐԱՊԵՏՈՒԹՅԱՆ ԱՐՄԱՎԻՐԻ ՄԱՐԶԻ ԱՐՏԱՇԱՐԻ ԳՅՈՒՂԱԿԱՆ
ՀԱՄԱՅՆՔԻ ՀՈՂԵՐԻ ՕԳՏԱԳՈՐԾՄԱՆ
|
Հայաստանի Հանրապետության կառավարության աշխատակազմի ղեկավար |
Դ. Սարգսյան |
|
Հավելված N 15 ՀՀ կառավարության 2010 թվականի հունվարի 29-ի N 68-Ն որոշման |
ՀԱՅԱՍՏԱՆԻ ՀԱՆՐԱՊԵՏՈՒԹՅԱՆ ԱՐԱՐԱՏԻ ՄԱՐԶԻՆ ՀԱՏԿԱՑՎԱԾ ԳՈՒՄԱՐՆԵՐԻ ԲԱՇԽՈՒՄԸ
|
NN |
Աշխատանքի անվանումը |
Գումարը |
| 1. | Քաղաքացիների և իրավաբանական անձանց հողամասերի փոխհատուցում | 1177 |
| 2. | Համայնքներին հողամասերի փոխհատուցում | 12717 |
| 3. | Ձեռքբերման պայմանագրերի նոտարական վավերացում | 420 |
| 4. | Իրավունքների պետական գրանցում | 165 |
| ԸՆԴԱՄԵՆԸ | 14479 | |
ՀԱՅԱՍՏԱՆԻ ՀԱՆՐԱՊԵՏՈՒԹՅԱՆ ԱՐՄԱՎԻՐԻ ՄԱՐԶԻՆ ՀԱՏԿԱՑՎԱԾ ԳՈՒՄԱՐՆԵՐԻ ԲԱՇԽՈՒՄԸ
|
NN |
Աշխատանքի անվանումը |
Գումարը |
| 1. | Քաղաքացիների հողամասերի փոխհատուցում | - |
| 2. | Համայնքներին հողամասերի փոխհատուցում | 1180 |
| 3. | Ձեռքբերման պայմանագրերի նոտարական վավերացում | 80 |
| 4. | Իրավունքների պետական գրանցում | 30 |
| ԸՆԴԱՄԵՆԸ | 1290 | |
|
Հայաստանի Հանրապետության կառավարության աշխատակազմի ղեկավար |
Դ. Սարգսյան |