«Վավերացնում եմ»
Հայաստանի Հանրապետության
Նախագահ Ռ. Քոչարյան
27 հունիսի 2005 թ.
ՀԱՅԱՍՏԱՆԻ ՀԱՆՐԱՊԵՏՈՒԹՅԱՆ ԿԱՌԱՎԱՐՈՒԹՅՈՒՆ
Ո Ր Ո Շ ՈՒ Մ
25 մայիսի 2005 թվականի N 776-Ն
ՀԱՅԱՍՏԱՆԻ ՀԱՆՐԱՊԵՏՈՒԹՅԱՆ ՇԻՐԱԿԻ ՄԱՐԶԻ ՄԻ ՇԱՐՔ ԳՅՈՒՂԱԿԱՆ ՀԱՄԱՅՆՔՆԵՐԻ ՎԱՐՉԱԿԱՆ ՍԱՀՄԱՆՆԵՐԻ ՆԿԱՐԱԳԻՐԸ ՀԱՍՏԱՏԵԼՈՒ ՄԱՍԻՆ
«Տեղական ինքնակառավարման մասին» և «Հայաստանի Հանրապետության վարչատարածքային բաժանման մասին» Հայաստանի Հանրապետության օրենքների 6-րդ հոդվածներին համապատասխան և հաշվի առնելով Հայաստանի Հանրապետության մարզերի և համայնքների վարչական սահմանների նկարագրման աշխատանքների կարգավորման կառավարական հանձնաժողովի եզրակացությունը` Հայաստանի Հանրապետության կառավարությունը որոշում է.
1. Հաստատել Հայաստանի Հանրապետության Շիրակի մարզի`
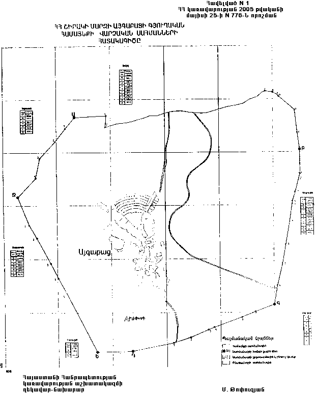
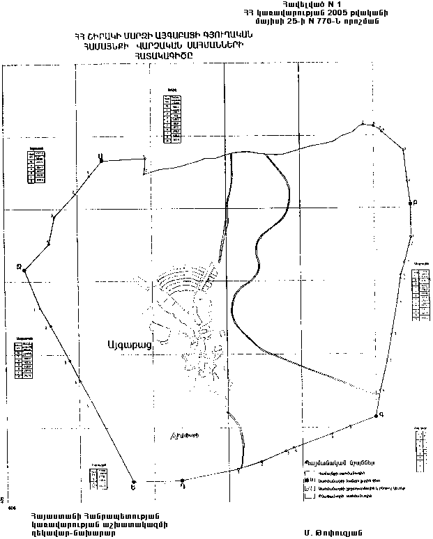
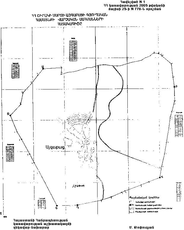
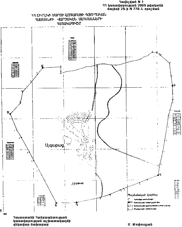
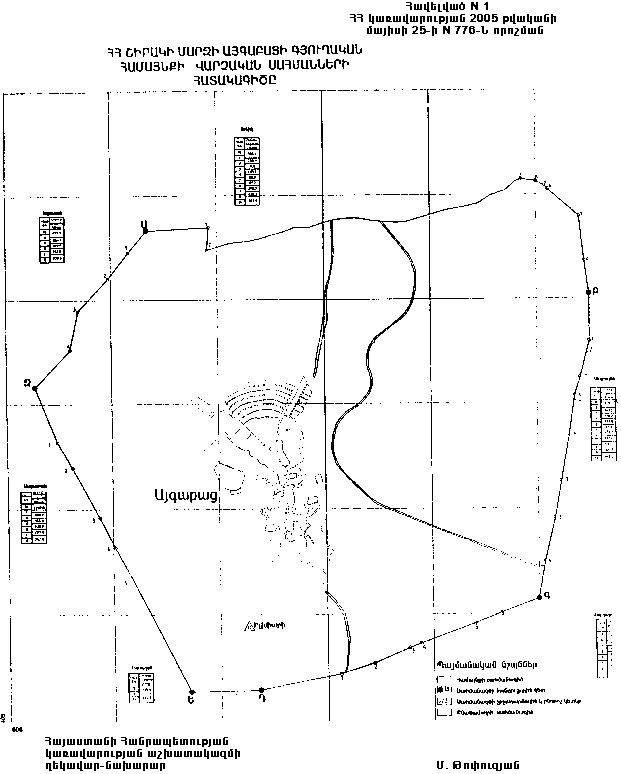
1) Այգեբացի գյուղական համայնքի վարչական սահմանների նկարագիրը` համաձայն NN 1 և 11 հավելվածների,
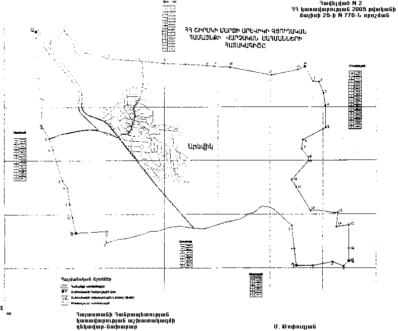
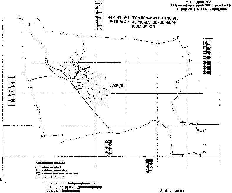
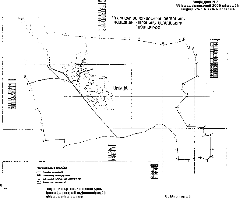
2) Արևիկի գյուղական համայնքի վարչական սահմանների նկարագիրը` համաձայն NN 2 և 21 հավելվածների,
3) (ենթակետն ուժը կորցրել է 03.12.09 N 1418-Ն)
4) (ենթակետն ուժը կորցրել է 03.12.09 N 1418-Ն)
5) Գեղանիստի գյուղական համայնքի վարչական սահմանների նկարագիրը` համաձայն NN 5 և 51 հավելվածների,
6) Գետքի գյուղական համայնքի վարչական սահմանների նկարագիրը` համաձայն NN 6 և 61 հավելվածների,
7) Գետափի գյուղական համայնքի վարչական սահմանների նկարագիրը` համաձայն NN 7 և 71 հավելվածների,
8) Գուսանագյուղի գյուղական համայնքի վարչական սահմանների նկարագիրը` համաձայն NN 8 և 81 հավելվածների,
9) Իսահակյանի գյուղական համայնքի վարչական սահմանների նկարագիրը` համաձայն NN 9 և 91 հավելվածների,
10) Լանջիկի գյուղական համայնքի վարչական սահմանների նկարագիրը` համաձայն NN 10 և 101 հավելվածների,
11) Լուսակերտի գյուղական համայնքի վարչական սահմանների նկարագիրը` համաձայն NN 11 և 111 հավելվածների,
12) Կապսի գյուղական համայնքի վարչական սահմանների նկարագիրը` համաձայն NN 12 և 121 հավելվածների,
13) (ենթակետն ուժը կորցրել է 03.12.09 N 1418-Ն)
14) Հայկավանի գյուղական համայնքի վարչական սահմանների նկարագիրը` համաձայն NN 14 և 141 հավելվածների,
15) (ենթակետն ուժը կորցրել է 03.12.09 N 1418-Ն)
16) Մեղրաշենի գյուղական համայնքի վարչական սահմանների նկարագիրը` համաձայն NN 16 և 161 հավելվածների,
17) (ենթակետն ուժը կորցրել է 03.12.09 N 1418-Ն)
18) (ենթակետն ուժը կորցրել է 03.12.09 N 1418-Ն)
19) Շիրակի գյուղական համայնքի վարչական սահմանների նկարագիրը` համաձայն NN 19 և 191 հավելվածների,
20) Ջաջուռի գյուղական համայնքի վարչական սահմանների նկարագիրը` համաձայն NN 20 և 201 հավելվածների,
21) (ենթակետն ուժը կորցրել է 03.12.09 N 1418-Ն)
22) Սարատակի գյուղական համայնքի վարչական սահմանների նկարագիրը` համաձայն NN 22 և 221 հավելվածների,
23) (ենթակետն ուժը կորցրել է 03.12.09 N 1418-Ն)
24) Վարդաքարի գյուղական համայնքի վարչական սահմանների նկարագիրը` համաձայն NN 24 և 241 հավելվածների,
25) Տուֆաշենի գյուղական համայնքի վարչական սահմանների նկարագիրը` համաձայն NN 25 և 251 հավելվածների,
26) Փանիկի գյուղական համայնքի վարչական սահմանների նկարագիրը` համաձայն NN 26 և 261 հավելվածների,
27) Քարաբերդի գյուղական համայնքի վարչական սահմանների նկարագիրը` համաձայն NN 27 և 271 հավելվածների:
(1-ին կետը փոփ. 03.12.09 N 1418-Ն)
2. Թույլատրել Հայաստանի Հանրապետության կառավարությանն առընթեր անշարժ գույքի կադաստրի պետական կոմիտեի նախագահին Հայաստանի Հանրապետության պետական գեոդեզիական ցանցի հավասարակշռման արդյունքների հիման վրա հողային ֆոնդի ընթացիկ հաշվառման ժամանակ` սույն որոշմամբ սահմանված համայնքների հողային հաշվեկշիռներում սահմանված կարգով կատարել համապատասխան փոփոխություններ:
3. Սույն որոշումն ուժի մեջ է մտնում պաշտոնական հրապարակմանը հաջորդող օրվանից:
|
|
Ա. Մարգարյան |
|
|
|
| |
|
| |
|
| |
|
| |
Հայաստանի Հանրապետության կառավարության աշխատակազմի ղեկավար-նախարար |
Մ. Թոփուզյան |
|
| |
|
| |
|
| |
|
| |
Հայաստանի Հանրապետության կառավարության աշխատակազմի ղեկավար-նախարար |
Մ. Թոփուզյան |
|
| |
|
| |
|
| |
|
| |
|
| |
|
| |
|
| |
|
| |
|
| |
|
| |
Հայաստանի Հանրապետության կառավարության աշխատակազմի ղեկավար-նախարար |
Մ. Թոփուզյան |
|
| |
|
| |
Հայաստանի Հանրապետության կառավարության աշխատակազմի ղեկավար-նախարար |
Մ. Թոփուզյան |
|
| |
|
| |
Հայաստանի Հանրապետության կառավարության աշխատակազմի ղեկավար-նախարար |
Մ. Թոփուզյան |
|
| |
|
| |
Հայաստանի Հանրապետության կառավարության աշխատակազմի ղեկավար-նախարար |
Մ. Թոփուզյան |
|
| |
|
| |
Հայաստանի Հանրապետության կառավարության աշխատակազմի ղեկավար-նախարար |
Մ. Թոփուզյան |
|
| |
|
| |
Հայաստանի Հանրապետության կառավարության աշխատակազմի ղեկավար-նախարար |
Մ. Թոփուզյան |
|
| |
|
| |
Հայաստանի Հանրապետության կառավարության աշխատակազմի ղեկավար-նախարար |
Մ. Թոփուզյան |
|
| |
|
| |
Հայաստանի Հանրապետության կառավարության աշխատակազմի ղեկավար-նախարար |
Մ. Թոփուզյան |
|
| |
|
| |
Հայաստանի Հանրապետության կառավարության աշխատակազմի ղեկավար-նախարար |
Մ. Թոփուզյան |
|
| |
|
| |
Հայաստանի Հանրապետության կառավարության աշխատակազմի ղեկավար-նախարար |
Մ. Թոփուզյան |
|
| |
|
| |
Հայաստանի Հանրապետության կառավարության աշխատակազմի ղեկավար-նախարար |
Մ. Թոփուզյան |
|
| |
|
| |
Հայաստանի Հանրապետության կառավարության աշխատակազմի ղեկավար-նախարար |
Մ. Թոփուզյան |
|
| |
|
| |
Հայաստանի Հանրապետության կառավարության աշխատակազմի ղեկավար-նախարար |
Մ. Թոփուզյան |
|
| |
|
| |
Հայաստանի Հանրապետության կառավարության աշխատակազմի ղեկավար-նախարար |
Մ. Թոփուզյան |
|
| |
|
| |
Հայաստանի Հանրապետության կառավարության աշխատակազմի ղեկավար-նախարար |
Մ. Թոփուզյան |
|
| |
|
| |
Հայաստանի Հանրապետության կառավարության աշխատակազմի ղեկավար-նախարար |
Մ. Թոփուզյան |
|
| |
|
| |
|
| |
|
| |
|
| |
|
| |
Հայաստանի Հանրապետության կառավարության աշխատակազմի ղեկավար-նախարար |
Մ. Թոփուզյան |
|
| |
|
| |
Հայաստանի Հանրապետության կառավարության աշխատակազմի ղեկավար-նախարար |
Մ. Թոփուզյան |
|
| |
|
| |
|
| |
|
| |
|
| |
|
| |
Հայաստանի Հանրապետության կառավարության աշխատակազմի ղեկավար-նախարար |
Մ. Թոփուզյան |
|
| |
|
| |
Հայաստանի Հանրապետության կառավարության աշխատակազմի ղեկավար-նախարար |
Մ. Թոփուզյան |
|
| |
|
| |
|
| |
|
| |
|
| |
|
| |
|
| |
|
| |
|
| |
|
| |
Հայաստանի Հանրապետության կառավարության աշխատակազմի ղեկավար-նախարար |
Մ. Թոփուզյան |
|
| |
|
| |
Հայաստանի Հանրապետության կառավարության աշխատակազմի ղեկավար-նախարար |
Մ. Թոփուզյան |
|
| |
|
| |
Հայաստանի Հանրապետության կառավարության աշխատակազմի ղեկավար-նախարար |
Մ. Թոփուզյան |
|
| |
|
| |
Հայաստանի Հանրապետության կառավարության աշխատակազմի ղեկավար-նախարար |
Մ. Թոփուզյան |
|
| |
|
| |
|
| |
|
| |
|
| |
|
| |
Հայաստանի Հանրապետության կառավարության աշխատակազմի ղեկավար-նախարար |
Մ. Թոփուզյան |
|
| |
|
| |
Հայաստանի Հանրապետության կառավարության աշխատակազմի ղեկավար-նախարար |
Մ. Թոփուզյան |
|
| |
|
| |
|
| |
|
| |
|
| |
|
| |
Հայաստանի Հանրապետության կառավարության աշխատակազմի ղեկավար-նախարար |
Մ. Թոփուզյան |
|
| |
|
| |
Հայաստանի Հանրապետության կառավարության աշխատակազմի ղեկավար-նախարար |
Մ. Թոփուզյան |
|
| |
|
| |
Հայաստանի Հանրապետության կառավարության աշխատակազմի ղեկավար-նախարար |
Մ. Թոփուզյան |
|
| |
|
| |
Հայաստանի Հանրապետության կառավարության աշխատակազմի ղեկավար-նախարար |
Մ. Թոփուզյան |
|
| |
|
| |
Հայաստանի Հանրապետության կառավարության աշխատակազմի ղեկավար-նախարար |
Մ. Թոփուզյան |
|
| |
|
| |
Հայաստանի Հանրապետության կառավարության աշխատակազմի ղեկավար-նախարար |
Մ. Թոփուզյան |
|
| |
|
| |
Հայաստանի Հանրապետության կառավարության աշխատակազմի ղեկավար-նախարար |
Մ. Թոփուզյան |
|
| |
|
| |
Հայաստանի Հանրապետության կառավարության աշխատակազմի ղեկավար-նախարար |
Մ. Թոփուզյան |