ՀԱՅԱՍՏԱՆԻ ՀԱՆՐԱՊԵՏՈՒԹՅԱՆ ԿԱՌԱՎԱՐՈՒԹՅՈՒՆ
Ո Ր Ո Շ ՈՒ Մ
20 նոյեմբերի 2008 թվականի N 1405-Ն
ԵՐԵՎԱՆ ՔԱՂԱՔԻ ՎԱՐՉԱԿԱՆ ՍԱՀՄԱՆՆԵՐՈՒՄ ԳՏՆՎՈՂ ՈՐՈՇ ՏԱՐԱԾՔՆԵՐՈՒՄ ԲԱՑԱՌԻԿ` ԳԵՐԱԿԱ ՀԱՆՐԱՅԻՆ ՇԱՀ ՃԱՆԱՉԵԼՈՒ ՄԱՍԻՆ
Ղեկավարվելով Հայաստանի Հանրապետության հողային օրենսգրքի 61-րդ հոդվածով, «Հասարակության և պետության կարիքների համար սեփականության օտարման մասին» Հայաստանի Հանրապետության օրենքի 4-րդ, 5-րդ, 6-րդ, 7-րդ հոդվածներով, 16-րդ հոդվածի 1-ին կետով և 18-րդ հոդվածով, հիմք ընդունելով Երևան քաղաքի գլխավոր հատակագիծն ու դրա հիման վրա առաջացած քաղաքի զարգացման հեռանկարները` Հայաստանի Հանրապետության կառավարությունը որոշում է.
1. Սույն որոշման հավելվածում նշված տարածքներում իրականացվող քաղաքաշինական ծրագրերի նկատմամբ ճանաչել բացառիկ` գերակա հանրային շահ` հետևյալ հիմնավորումներով`
1) նշված քաղաքաշինական ծրագրերի իրականացման շահը գերակայում է օտարվող սեփականության սեփականատերերի շահերից, քանի որ`
ա. քաղաքաշինական ծրագրերի իրականացմամբ Երևանի կենտրոնից կվերանա կիսախարխուլ, ոչ սեյսմակայուն, ոչ բավարար խտությամբ և հիմնականում վթարային բնակելի ֆոնդը, որի փոխարեն պետք է կառուցվեն բազմաֆունկցիոնալ միջին և բարձր հարկայնությամբ շենքեր ու շինություններ, որոնք ապահովելու են նոր բնակարանային ֆոնդի ավելացումը: Որոշ տարածքներում կառուցապատման քաղաքաշինական ծրագրերի շրջանակներում ստեղծվելու են նոր ճանապարհներ, ավտոկայանատեղեր, կանաչապատ տարածքներ, ինչպես նաև հիմնովին նորացվելու են ինժեներատեխնիկական ենթակառուցվածքները,
բ. համաձայն Երևան քաղաքի գլխավոր հատակագծի` սույն որոշման հավելվածի ցանկում նշված տարածքները և արդեն իսկ կառուցապատված ու կառուցապատվող տարածքները կհանդիսանան ճարտարապետական մեկ համալիր` ապահովելով ներդաշնակ կառուցապատում, ստեղծելով ժամանակակից պահանջներին համապատասխան փողոցներ և մայթեր, ինչպես նաև նշված տարածքներում առկա բնակարանային ֆոնդը մի քանի անգամ գերազանցող նոր բնակարանային ֆոնդ։ Կառուցվող նոր փողոցներն ստեղծում են այլընտրանքային երթևեկության ճանապարհներ, ինչպես նաև կառուցվող ստորգետնյա ավտոկայանատեղերը հնարավորություն են ընձեռում նվազեցնելու Երևան քաղաքի կենտրոնում փողոցների ծանրաբեռնվածությունը.
2) սույն որոշման 1-ին կետում նշված քաղաքաշինական ծրագրերի արդյունավետ իրականացումը չի կարող ապահովվել` առանց նշված սեփականության օբյեկտների օտարման, քանի որ`
ա. վերջիններիս անմիջական հարևանությամբ գտնվող և Հայաստանի Հանրապետության սեփականությունը հանդիսացող տարածքների համար նախագծվել և մասնակիորեն իրականացվել են համաքաղաքային ենթակառուցվածքների անբաժանելի մասը կազմող հանգույցներ, արդեն իսկ մասնակիորեն կառուցապատվել է գլխավոր պողոտան,
բ. անհնար է ապահովել նշված տարածքներում բնականոն երթևեկություն, ջրամատակարարում, ջրահեռացում և քաղաքի համար կենսական նշանակություն ունեցող այլ պայմաններ, որոնք նախատեսված են Երևան քաղաքի գլխավոր հատակագծով։ Տարածքներում առկա են մեծ թվով` հանրապետական և տեղական նշանակության հուշարձան շենքեր, շինություններ, որոնք այժմ գտնվում են անմխիթար վիճակում: Կառուցապատման աշխատանքները թույլ կտան մասնավոր ներդրումների հաշվին վերակառուցել այդ շենքերն ու շինությունները` հին Երևանի ճարտարապետական ոճը համադրելով կառուցվող շենքերի, շինությունների հետ։ Տարածքներում արդեն իսկ մասնակիորեն կատարված են սեփականության իրացման աշխատանքներ:
2. Սահմանել, որ`
1) սույն որոշման հավելվածում նշված տարածքները ձեռք բերողներ են սույն որոշման հավելվածում նշված իրավաբանական անձինք.
2) սեփականության օտարման գործընթացն սկսելու վերջնական ժամկետը 2010 թվականի հունվարի 1-ն է.
3) այն տարածքի, որի նկատմամբ ճանաչված է բացառիկ` գերակա հանրային շահ, և դրանում առկա սեփականության օբյեկտների նկարագրության արձանագրության կազմման գործառույթներն իրականացնում է Երևանի քաղաքապետը.
4) այն տարածքի, որի նկատմամբ ճանաչված է բացառիկ` գերակա հանրային շահ, և դրանում առկա սեփականության օբյեկտների նկարագրության արձանագրության կազմման աշխատանքներն իրականացվում են Հայաստանի Հանրապետության կառավարության 2007 թվականի հունվարի 25-ի N 108-Ն որոշմամբ սահմանված կարգով և որոշմամբ սահմանված նկարագրության արձանագրության օրինակելի ձևով.
5) սեփականության օտարման գործառույթների իրականացման աշխատանքները համակարգող պետական լիազոր մարմինը Երևանի քաղաքապետարանն է.
6) սույն որոշման հավելվածում նշված տարածքները ձեռք բերողների իրավունքները և պարտականությունները uահմանվում են «Հասարակության և պետության կարիքների համար սեփականության օտարման մասին» Հայաստանի Հանրապետության օրենքի հիման վրա տարածքները ձեռք բերողների և լիազոր մարմնի միջև կնքված պայմանագրերին, «Պատմության և մշակույթի անշարժ հուշարձանների ու պատմական միջավայրի պահպանության և օգտագործման մասին» Հայաստանի Հանրապետության օրենքին և Հայաստանի Հանրապետության կառավարության 2002 թվականի ապրիլի 20-ի «Պատմության և մշակույթի անշարժ հուշարձանների պետական հաշվառման, ուսումնասիրման, պահպանության, ամրակայման, նորոգման, վերականգնման և օգտագործման կարգը հաստատելու մասին» N 438 որոշմանը համապատասխան:
3. Երևանի քաղաքապետին`
1) սույն որոշման հավելվածում նշված տարածքներում առկա` պետական սեփականություն հանդիսացող անշարժ գույքի` պետության և հասարակության կարիքների համար գույքի օտարման գործառույթների իրականացման ընթացքում հանդես գալ Հայաստանի Հանրապետության անունից.
2) սույն որոշումն ուժի մեջ մտնելուն հաջորդող 7-օրյա ժամկետում որոշումը պատշաճ ձևով ուղարկել օտարվող սեփականության սեփականատերերին և օտարվող սեփականության նկատմամբ պետական գրանցում ունեցող գույքային իրավունքներ ունեցող անձանց:
4. Սույն որոշումն ուժի մեջ է մտնում պաշտոնական հրապարակման օրվան հաջորդող տասներորդ օրը:
|
Հայաստանի Հանրապետության |
Տ. Սարգսյան |
|
2008 թ. դեկտեմբերի 4 Երևան |
|
|
Հավելված ՀՀ կառավարության 2008 թվականինոյեմբերի 20-ի N 1405-Ն որոշման |
Ց Ա Ն Կ
ԵՐԵՎԱՆ ՔԱՂԱՔԻ ՎԱՐՉԱԿԱՆ ՍԱՀՄԱՆՆԵՐՈՒՄ ԳՏՆՎՈՂ ԱՅՆ ՏԱՐԱԾՔՆԵՐԻ, ՈՐՈՆՑ ՆԿԱՏՄԱՄԲ ՃԱՆԱՉՎԱԾ Է ԲԱՑԱՌԻԿ` ԳԵՐԱԿԱ ՀԱՆՐԱՅԻՆ ՇԱՀ
| NN ը/կ |
Գտնվելու վայրը և նկարագիրը |
Ձեռք բերողները | Նկարագրու-թյան արձա-նագրության կազմման ժամկետը |
| 1 |
2 |
3 | 4 |
| 1. | Տերյան 11 հասցեում գտնվող բազմաբնակարան շենքի 1, 2, 4, 5, 6, 9, 14, Տերյան 13 շենքի 7, 10 և 13 բնակարաններ (N 1 սխեման կցվում է) | «Դվին Հոլդինգ» ՓԲԸ |
9 ամիս |
| 2. | Արամի 28, Արամի 30, բն. 4, Արամի 30, բն. 22, Աբովյան 4 (N 4 վարսավիրանոց) (N 2 սխեման կցվում է) | «ԱՎՈ Ֆ.Մ.Հ» ՍՊԸ | 9 ամիս |
| 3. | Փավստոս Բուզանդի 49 (N 3 սխեման կցվում է) | «Վահե Գևորգյան» ՍՊԸ | 9 ամիս |
| 4. | Ամիրյան 76, Ամիրյան 78, Ամիրյան 80, Ամիրյան 80/1, Ամիրյան 80/3, Փավստոս Բուզանդի 107 (N 4 սխեման կցվում է) | «Լիդեր Մոբիլ» ՍՊԸ | 9 ամիս |
| 5. | Եզնիկ Կողբացու 37, Եզնիկ Կողբացու 39 , Եզնիկ Կողբացու 41, բն. 1, 2, 3, 5, 7, 9, 10, 12, Եզնիկ Կողբացու 43, բն. 7, Եզնիկ Կողբացու 43, Եզնիկ Կողբացու 45, Փավստոս Բուզանդի 37, 39, 39 նկուղ, Փավստոս Բուզանդի 41, բն. 1, Փավստոս Բուզանդի 41, Փավստոս Բուզանդի 41, բն. 9, Ամիրյան 36 (N 5 սխեման կցվում է) | «Գրիար» ՓԲԸ | 9 ամիս |
| 6. | 1-ին Արհեստավորների 6, 1-ին Արհեստա-վորների 15, 1-ին Արհեստավորների 19, 1-ին Արհեստավորների 21, 2-րդ Արհեստավորների 8, Կրիվոյի 12 (N 6 սխեման կցվում է) | «Զենիթ ԲՍ» ՓԲԸ | 9 ամիս |
| 7. | Բնակելի տուն 2-րդ Արհեստավորների 8 հասցեում, բնակելի տուն 2-րդ Արհեստավորների 12 հասցեում, 2 բնակելի տուն Կրիվոյի 12 հասցեում, 2 բնակելի տուն 2-րդ Արհեստավորների 3 հասցեում, 2 բնակելի տուն 2-րդ Արհեստավորների 5 հասցեում, բնակելի տուն Կրիվոյի 14 հասցեում, 2 բնակելի տուն Կրիվոյի 16 հասցեում, բնակելի տուն 2-րդ Արհեստավորների 7 հասցեում, բնակելի տուն Կրիվոյի 16/1 հասցեում, 2 բնակելի տուն Կրիվոյի 18 հասցեում, 3 բնակելի տուն և ավտոտնակ Կրիվոյի 20 հասցեում, 3 բնակելի տուն Կրիվոյի 32 հասցեում, բնակելի տուն 2-րդ Արհեստավորների 9 հասցեում, բնակելի տուն 2-րդ Արհեստավորների 11 հասցեում, 2 բնակելի տուն 2-րդ Արհեստավորների 13 |
«Դ. Հունան-յան» ՍՊԸ | 9 ամիս |
| հասցեում, բնակելի տուն 2-րդ Արհեստավորների 15 հասցեում, բնակելի տուն Կրիվոյի 40 հասցեում, 2 բնակելի տուն Կրիվոյի 38 հասցեում, բնակելի տուն Կրիվոյի 34 հասցեում, բնակելի տուն Կրիվոյի 34/2 հասցեում, բնակելի տուն Կրիվոյի 32 հասցեում, բնակելի տուն Կրիվոյի 36 հասցեում, 3 բնակելի տուն Կրիվոյի 24 հասցեում, բնակելի տուն Կրիվոյի 26 հասցեում, բնակելի տուն Կրիվոյի 28 հասցեում, ավտոտնակ Կրիվոյի 24 հասցեում գտնվող տան դիմաց, 3 ավտոտնակ Կրիվոյի 24 հասցեում, ավտոտնակ Կրիվոյի 32 հասցեում, 3 ավտոտնակ և 3 բնակելի տուն Կրիվոյի 46 հասցեում, բնակելի տուն Կրիվոյի 48 հասցեում, բնակելի տուն Կրիվոյի 50 հասցեում, 2 բնակելի տուն Կրիվոյի 52 հասցեում, բնակելի տուն Կրիվոյի 48 հասցեում, ավտոտնակ Կրիվոյի 12 հասցեում, ավտոտնակ Կրիվոյի 16 հասցեում, ավտոտնակ Կրիվոյի 16/1 հասցեում, բնակելի տուն Կրիվոյի 44 հասցեում, բնակելի տուն Կրիվոյի 46/2 հասցեում, բնակելի տուն Կրիվոյի 42 հասցեում (N 7 սխեման կցվում է) | |||
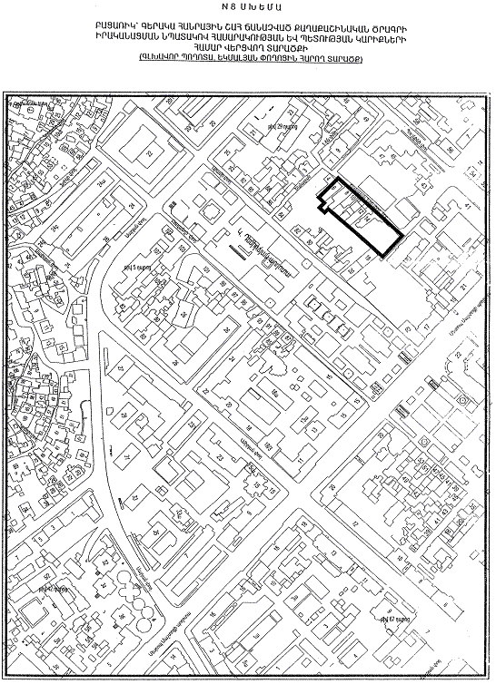
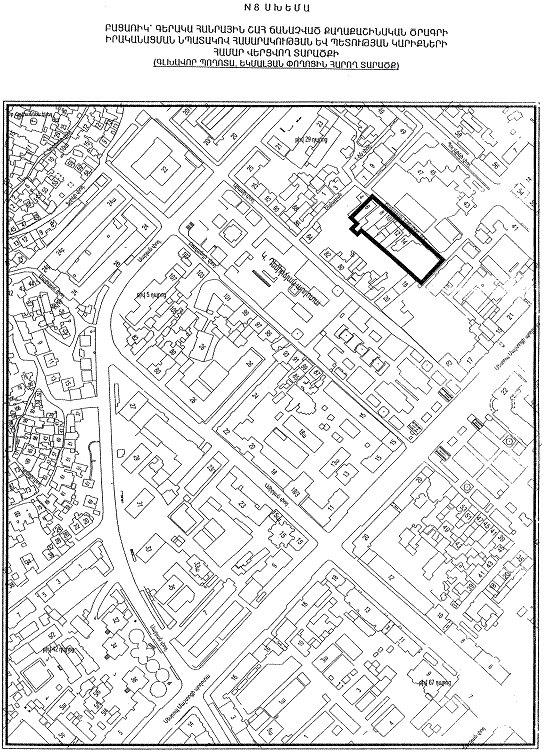
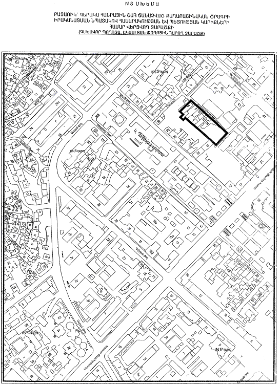
| 8. | Կարապետ Ուլնեցու 1, 1-ին Եկմալյան 6, 1-ին Եկմալյան 8, 1-ին Եկմալյան 14 (N 8 սխեման կցվում է) | «Նարեկգրադ» ՍՊԸ | 9 ամիս |
| 9. | Սուրենյանց փող., տուն 2, բն. 1, Սուրենյանց փող. 2-րդ հասցեն ամբողջությամբ, Հանրապետության փող. 6 հասցեն ամբողջությամբ, Դեղատան փող. 13, բն. 5, 8, 12, 14, Դեղատան փող. 13 հասցեն ամբողջությամբ (N 9 սխեման կցվում է) | «Էն Դաքսի» ՍՊԸ | 9 ամիս |
| 10. | Հանրապետության նրբ. 2/1, Հանրապետության նրբ. 2/2, Հանրապետության նրբ. 2/4, Հանրապետության նրբ. 2/5, Հանրապետության նրբ. 2/6, Հանրապետության նրբ. 2/7, Հանրապետության նրբ. 2/8, Հանրապետության նրբ. 4/1, Հանրապետության նրբ. 4/3, Հանրապետության նրբ. 4/4, Հանրապետության նրբ. 6, Հանրապետության նրբ. 6/8, Հանրապետության նրբ. 6/12, Հանրապետության նրբ. 6/13, Հանրապետության նրբ. 8, Հանրապետության նրբ. 8ա, Հանրապետության նրբ. 10, Հանրապետության նրբ. 11, Հանրապետության նրբ. 12, Հանրապետության նրբ. 12բ, Հանրապետության նրբ. 13, Հանրապետության նրբ. 15, Հանրապետության նրբ. 17, Հանրապետության նրբ. 19, Հանրապետության նրբ. 21, Հանրապետության նրբ. 21/1, | «Սիթի Սենթր Դիվելըփմենթ» ՓԲԸ | 9 ամիս |
| Հանրապետության նրբ. 31, Հանրապետության 32/21, Հանրապետության 32/24, Հանրապետության 32/25, Հանրապետության 32/26, Հանրապետության 32/29, Հանրապետության 32/34, Հանրապետության 37, Հանրապետության 40, Հանրապետության 42, Հանրապետության 44, Հանրապետության 46, Հանրապետության 46/1, Հանրապետության 46/4, Հանրապետության 46/5, Հանրապետության 46/13, Հանրապետության 46/14ա, Հանրապետության 46/15, Հանրապետության 46/16, Հանրապետության 46 շենքի բակային տարածք, Ֆիրդուսու 1, Ֆիրդուսու 5, Ֆիրդուսու 7, Ֆիրդուսու 9, Ֆիրդուսու 10, Ֆիրդուսու 12, Ֆիրդուսու 12/5, Ֆիրդուսու 12/6, Ֆիրդուսու 12/7, Ֆիրդուսու 13, Ֆիրդուսու 14, Ֆիրդուսու 14ա, Ֆիրդուսու 15, Ֆիրդուսու 17ա, Ֆիրդուսու 17/3, Ֆիրդուսու 17/4, Ֆիրդուսու 17/4ա, Ֆիրդուսու 17/5, Ֆիրդուսու 17/6, Ֆիրդուսու 17/7, Ֆիրդուսու 17/8, Ֆիրդուսու 17/9, Ֆիրդուսու 17/10, Ֆիրդուսու 17/11, Ֆիրդուսու 18, Ֆիրդուսու 20, Ֆիրդուսու 24, Ֆիրդուսու 26, Ֆիրդուսու 28, Ֆիրդուսու 30, Ֆիրդուսու 32, Ֆիրդուսու 34, Ֆիրդուսու 36, Ֆիրդուսու 38, Ֆիրդուսու 40, Ֆիրդուսու 44, Ֆիրդուսու 46, Ֆիրդուսու 48, Ֆիրդուսու 50, Ֆիրդուսու 52, Ֆիրդուսու 68, Ֆիրդուսու 70, Ֆիրդուսու 74, Ֆիրդուսու 76, Ֆիրդուսու 78, Ֆիրդուսու 80, Տիգրան Մեծի 1/12, Տիգրան Մեծի 1/13, Տիգրան Մեծի 1/14, Տիգրան Մեծի 1/18, Տիգրան Մեծի 3, Տիգրան Մեծի 3/3, Տիգրան Մեծի 3/4, Տիգրան Մեծի 3/5, Տիգրան Մեծի 3/8, Տիգրան Մեծի 3/15, Տիգրան Մեծի 5, Տիգրան Մեծի 7, Տիգրան Մեծի 7/5, Տիգրան Մեծի 7/7, Տիգրան Մեծի 13, Տիգրան Մեծի 13/1, Տիգրան Մեծի 13/5, Տիգրան Մեծի 13/13, Տիգրան Մեծի 13/15, Տիգրան Մեծի 13/16, Տիգրան Մեծի 13/19, Տիգրան Մեծի 13/27, Տիգրան Մեծի 13/28, Տիգրան Մեծի 13/33, Տիգրան Մեծի 15, Տիգրան Մեծի 15/2, Տիգրան Մեծի 15/3, Տիգրան Մեծի 15/5, Տիգրան Մեծի 15/8, Տիգրան Մեծի 15/6, Տիգրան Մեծի 15/17, Տիգրան Մեծի 15/18, Տիգրան Մեծի 15/19, Տիգրան Մեծի 15/21, Չայկովսկու 30/1, Չայկովսկու 30/3, Խանջյան նրբ. 5ա, Խանջյան 1-ին նրբ. 5ա, Խանջյան նրբ. 5ա/10, Խանջյան նրբ. 7, Խանջյան նրբ. 7/1, Խանջյան նրբ. 7/2, Խանջյան նրբ. 7/3, Խանջյան նրբ. 7/4-7/5, Խանջյան նրբ. 7ա/4, Խանջյան նրբ. 7ա/6, Խանջյան նրբ. 7/8, Խանջյան նրբ. 7/9, Խանջյան նրբ. 7/11, Խանջյան նրբ. 7/12, Խանջյան նրբ. 7/13, Խանջյան նրբ. 7/14, Խանջյան նրբ. 7/15, Խանջյան նրբ. 7/16, Խանջյան նրբ. 7/17, Խանջյան նրբ. 7/23, Խանջյան 1-ին նրբ. 8, Խանջյան 1-ին նրբ. 9, |
|||
| Խանջյան 1-ին նրբ. 10, Խանջյան նրբ. 9, Խանջյան նրբ. 10/1, Խանջյան նրբ. 10/2, Խանջյան նրբ. 10/3, Խանջյան նրբ. 10/4, Խանջյան նրբ. 10/5, Խանջյան նրբ. 10/6, Խանջյան նրբ. 10/7 (N 10 սխեման կցվում է) | |||
| 11. | Մովսես Խորենացու 24ա տուն 6, 7, 9, 10, 12, 13, Մովսես Խորենացու 1-ին փակ. 13 տան ավտոտնակ (N 11 սխեման կցվում է) | «Սպիտակ-1» ԲԲԸ | 9 ամիս |
| 12. | Մովսես Խորենացու 1-ին փակ. տուն 1, 11 (բնակելի տուն և օժանդակ կառույց), 13, 19, 29, 35 և 58, Մովսես Խորենացու 1-ին նրբ. տուն 3, 17, 21, 31, 33 (N 12 սխեման կցվում է) | «Վարդան Կարագյոզյան» ՍՊԸ | 9 ամիս |
| 13. | Մովսես Խորենացու 1-ին փակ. տուն 35 և 58, 56, 58, Մովսես Խորենացու 1-ին նրբ. տուն 30, 46, (N 13 սխեման կցվում է) | «Աշոտ Բաղդասար-յան» ՍՊԸ | 9 ամիս |
| 14. | Մովսես Խորենացու 1-ին փակ. 1 և Մովսես Խորենացու 1-ին փակ. 13 տան ավտոտնակ (N 14 սխեման կցվում է) | «Նունե Նալբանդյան» ՍՊԸ | 9 ամիս |
| 15. | Ագաթանգեղոսի 1 (արհեստանոց), Ագաթանգեղոսի 3, 3ա, Ագաթանգեղոսի 3 հասցեին հարող տարածք (ավտոտեխսպասարկման կենտրոն) և Ագաթանգեղոսի 3 և 3ա (եռահարկ շինություն) (N 15 սխեման կցվում է) | «Թայմ Զիրոու» ՍՊԸ | 9 ամիս |
| 16. | Փավստոս Բուզանդի 28, Փավստոս Բուզան-դի 28, բն. 2, Փավստոս Բուզանդի 30, Փավստոս Բուզանդի 32, Փավստոս Բուզանդի 34, Արամի 23, բն. 1, Արամի 23, բն. 3, Արամի 23, Արամի 25, Արամի 29 (N 16 սխեման կցվում է) | «Ավիա-սերվիս» ՀՁ ՓԲԸ | 9 ամիս |
| 17. | Փավստոս Բուզանդի 12, Փավստոս Բուզանդի 16, Փավստոս Բուզանդի 18, Փավստոս Բուզանդի 18, բն. 2, Արամի 13, Արամի 15, Արամի 15ա (N 17 սխեման կցվում է) | «Սերգե-Ագոպիգ Դեր-Սահագույան» ՍՊԸ | 9 ամիս |
| 18. | Փավստոս Բուզանդի 4, Փավստոս Բուզանդի 4, բն. 1, Փավստոս Բուզանդի 6, Փավստոս Բուզանդի 8, Փավստոս Բուզանդի 8, բն. 3, Փավստոս Բուզանդի 10, Արամի 7, Արամի 7, բն. 1, Արամի 7, բն. 3, Արամի 7, բն. 5, Արամի 7, բն. 6, Արամի 9, բն. 2ա, Արամի 9, բն. 5, Արամի 9, բն. 11, Արամի 11 (N 18 սխեման կցվում է) | «Գլենդել հիլզ» ՓԲԸ | 9 ամիս |
| 19. | Խորհրդարանի (նախկին Շահումյան) փող. 44/1 (N 19 սխեման կցվում է) | «ԷՅ ՋԻ դիվելըփմենթ» ՓԲԸ | 9 ամիս |
| 20. | 1-ին Եկմալյան 6 (N 20 սխեման կցվում է) | «Հերմեկ» ՍՊԸ | 9 ամիս |
| 21. | Հանրապետության նրբ., տուն 3, Հանրապետության նրբ., տուն 5, Հանրապետության նրբ., տուն 7, Հանրապետության նրբ., տուն 9, Հանրապետության փող., տուն 38 (N 21 սխեման կցվում է) | «Եվրոպա հյուրանոց» ՓԲԸ | 9 ամիս |
| 22. | Սարալանջի 143 (N 22 սխեման կցվում է) | «Ավանգարդ Մոթորս» ՍՊԸ | 9 ամիս |
|
Հայաստանի Հանրապետության կառավարության աշխատակազմի ղեկավար |
Դ. Սարգսյան |