ՀԱՅԱՍՏԱՆԻ ՀԱՆՐԱՊԵՏՈՒԹՅԱՆ ԿԱՌԱՎԱՐՈՒԹՅՈՒՆ
Ո Ր Ո Շ ՈՒ Մ
8 մայիսի 2008 թվականի N 466-Ն
ԵՐԵՎԱՆ ՔԱՂԱՔԻ ՓԱՎՍՏՈՍ ԲՈՒԶԱՆԴԻ ՓՈՂՈՑԻ N 107 ՀԱՍՑԵՈՒՄ ԵՎ ԴՐԱ ՀԱՐԵՎԱՆՈՒԹՅԱՄԲ ԳՏՆՎՈՂ ՏԱՐԱԾՔՆԵՐԻ ՆԿԱՏՄԱՄԲ ԲԱՑԱՌԻԿ` ԳԵՐԱԿԱ ՀԱՆՐԱՅԻՆ ՇԱՀ ՃԱՆԱՉԵԼՈՒ ՄԱՍԻՆ
Հաշվի առնելով Երևանի քաղաքապետի միջնորդությունը, ղեկավարվելով «Հասարակության և պետության կարիքների համար սեփականության օտարման մասին» Հայաստանի Հանրապետության օրենքի 4-րդ, 7-րդ և 18-րդ հոդվածներով և հիմք ընդունելով Երևան քաղաքի գլխավոր հատակագիծն ու դրանից բխող քաղաքի զարգացման հեռանկարները` Հայաստանի Հանրապետության կառավարությունը որոշում է.
1. Սույն որոշման հավելվածում նշված տարածքում իրականացվող քաղաքաշինական ծրագրի նկատմամբ ճանաչել բացառիկ` գերակա հանրային շահ` հետևյալ հիմնավորումներով`
1) նշված ծրագրի իրականացման շահը գերակայում է օտարվող սեփականության սեփականատերերի շահերից, քանի որ`
ա. ծրագրի իրականացմամբ Երևանի կենտրոնից, Փավստոս Բուզանդի փողոցի N 107 հասցեից և դրա հարևանությամբ գտնվող տարածքից կվերանա կիսախարխուլ, ոչ սեյսմակայուն և հիմնականում վթարային բնակելի ֆոնդը, որի փոխարեն պետք է կառուցվեն բազմաֆունկցիոնալ` միջին և բարձր հարկայնությամբ շենք և շինություններ, որոնք ապահովելու են նոր բնակարանային ֆոնդի ավելացումը: Տարածքում` կառուցապատման ծրագրի շրջանակներում ստեղծվելու են ավտոկայանատեղեր, կանաչապատ տարածքներ, նոր ճանապարհ, ինչպես նաև հիմնովին նորացվելու են ինժեներատեխնիկական ենթակառուցվածքները,
բ. համաձայն Երևան քաղաքի գլխավոր հատակագծի` Փավստոս Բուզանդի փողոցի N 107 հասցեում և դրա հարևանությամբ գտնվող տարածքները` հարակից` արդեն իսկ կառուցապատված ու կառուցապատվող տարածքների հետ միասին կհանդիսանան ճարտարապետական մեկ համալիր` պահպանելով ներդաշնակ կառուցապատումը, քանի որ գլխավոր պողոտան կառուցապատելիս` այդ տարածքի ներկա վիճակի պահպանման դեպքում ակնհայտ է աններդաշնակությունը նշված հատվածի ընդհանուր քաղաքաշինական միջավայրին,
գ. կառուցվող ստորգետնյա ավտոկայանատեղերը հնարավորություն են ընձեռում նվազեցնելու Երևան քաղաքի կենտրոնում փողոցների ծանրաբեռնվածությունը.
2) նշված ծրագրի արդյունավետ իրականացումը չի կարող ապահովվել` առանց նշված սեփականության օբյեկտների օտարման, քանի որ`
ա. սույն որոշման 1-ին կետում նշված տարածքի անմիջական հարևանությամբ գտնվող տարածքների համար նախագծվել և մասնակիորեն իրականացվել են համաքաղաքային ենթակառուցվածքների անբաժանելի մաս կազմող հանգույցներ,
բ. անհնար է ապահովել տարածքներում բնականոն երթևեկություն, ջրամատակարարում, ջրահեռացում և քաղաքի համար կենսական նշանակություն ունեցող այլ պայմաններ, որոնք նախատեսված են Երևան քաղաքի գլխավոր հատակագծով։
2. Սահմանել, որ`
1) սույն որոշման 1-ին կետում նշված տարածքը ձեռք բերող է «ԴԱԿՌՈՒՍ» սահմանափակ պատասխանատվությամբ ընկերությունը.
2) սեփականության օտարման գործընթացն սկսելու վերջնական ժամկետը սույն որոշումն ուժի մեջ մտնելու պահից հաշված մեկ տարի է.
3) սեփականության oտարման գործառույթների իրականացման աշխատանքները համակարգող պետական լիազոր մարմինը Երևանի քաղաքապետարանն է.
4) սույն որոշման 1-ին կետում նշված տարածքը ձեռք բերողի իրավունքները և պարտականությունները սահմանվում են «Հասարակության և պետության կարիքների համար սեփականության օտարման մասին» Հայաստանի Հանրապետության օրենքի հիման վրա` նշված տարածքը ձեռք բերողի ու լիազոր մարմնի միջև կնքված պայմանագրին համապատասխան:
3. Գերակա հանրային շահ ճանաչված տարածքների ու դրանցում առկա սեփականության օբյեկտների նկարագրության արձանագրության կազմման աշխատանքներն իրականացնել Հայաստանի Հանրապետության կառավարության 2007 թվականի հունվարի 25-ի N 108-Ն որոշմամբ սահմանված կարգով և նկարագրության արձանագրության օրինակելի ձևով:
4. Լիազորել Երևանի քաղաքապետին սույն որոշումն ուժի մեջ մտնելու օրվան հաջորդող 7-օրյա ժամկետում որոշումը պատշաճ ձևով ուղարկել օտարվող սեփականության սեփականատերերին և օտարվող սեփականության նկատմամբ պետական գրանցմամբ գույքային իրավունքներ ունեցող անձանց:
5. Սույն որոշումն ուժի մեջ է մտնում պաշտոնական հրապարակման օրվան հաջորդող տասներորդ օրը:
|
Հայաստանի Հանրապետության |
Տ. Սարգսյան |
|
|
|
Հավելված ՀՀ կառավարության 2008 թվականի մայիսի 8-ի N 466-Ն որոշման |
Ց Ա Ն Կ
ԵՐԵՎԱՆ ՔԱՂԱՔԻ ՎԱՐՉԱԿԱՆ ՍԱՀՄԱՆՆԵՐՈՒՄ ԲԱՑԱՌԻԿ` ԳԵՐԱԿԱ ՀԱՆՐԱՅԻՆ ՇԱՀ ՃԱՆԱՉՎԱԾ ՏԱՐԱԾՔՆԵՐԻ, ՀԱՍՑԵՆԵՐԻ ԵՎ ԴՐԱՆՔ ՁԵՌՔ ԲԵՐՈՂՆԵՐԻ
| Գտնվելու վայրը և նկարագիրը | Ձեռք բերողները | Նկարագրության արձանագրության կազմման ժամկետը |
| Երևան քաղաքի Փավստոս Բուզանդի N 107 հասցեում գտնվող բնակելի տուն և հարակից տարածք (սխեման կցվում է) | «ԴԱԿՌՈՒՍ» ՍՊԸ | 4 ամիս |
|
Հայաստանի Հանրապետության կառավարության աշխատակազմի ղեկավար |
Դ. Սարգսյան |
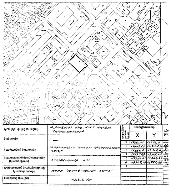
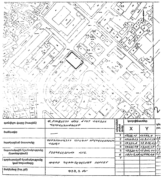
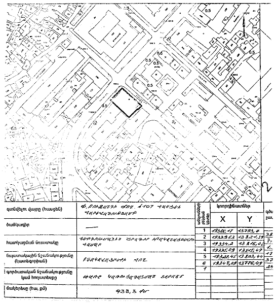
Ս Խ Ե Մ Ա
ԵՐԵՎԱՆ ՔԱՂԱՔԻ ՓԱՎՍՏՈՍ ԲՈՒԶԱՆԴԻ N 107 ՀԱՍՑԵՈՒՄ ԳՏՆՎՈՂ ԲՆԱԿԵԼԻ ՏԱՆ ԵՎ ՀԱՐԱԿԻՑ ՏԱՐԱԾՔԻ
Հողամասի իրադրական հատակագիծ
Մ 1 :2000