ՀԱՅԱՍՏԱՆԻ ՀԱՆՐԱՊԵՏՈՒԹՅԱՆ ԿԱՌԱՎԱՐՈՒԹՅՈՒՆ
Ո Ր Ո Շ ՈՒ Մ
4 հոկտեմբերի 2007 թվականի N 1153-Ն
«ԱՐՄԵՆԻԱ» ՄԻՋԱԶԳԱՅԻՆ ՕԴԱՆԱՎԱԿԱՅԱՆՆԵՐ» ՓԱԿ ԲԱԺՆԵՏԻՐԱԿԱՆ ԸՆԿԵՐՈՒԹՅԱՆՆ ԱՆՀԱՏՈՒՅՑ ՕԳՏԱԳՈՐԾՄԱՆ ԻՐԱՎՈՒՆՔՈՎ ՀՈՂԱՄԱՍ ՏՐԱՄԱԴՐԵԼՈՒ ՄԱՍԻՆ
Հիմք ընդունելով Հայաստանի Հանրապետության հողային օրենսգրքի 66-րդ հոդվածի 1-ին մասի 4-րդ և 75-րդ հոդվածի 1-ին մասի 4-րդ կետերը` Հայաստանի Հանրապետության կառավարությունը որոշում է.
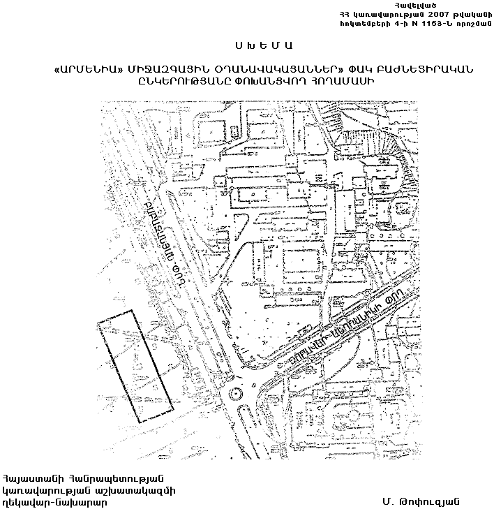
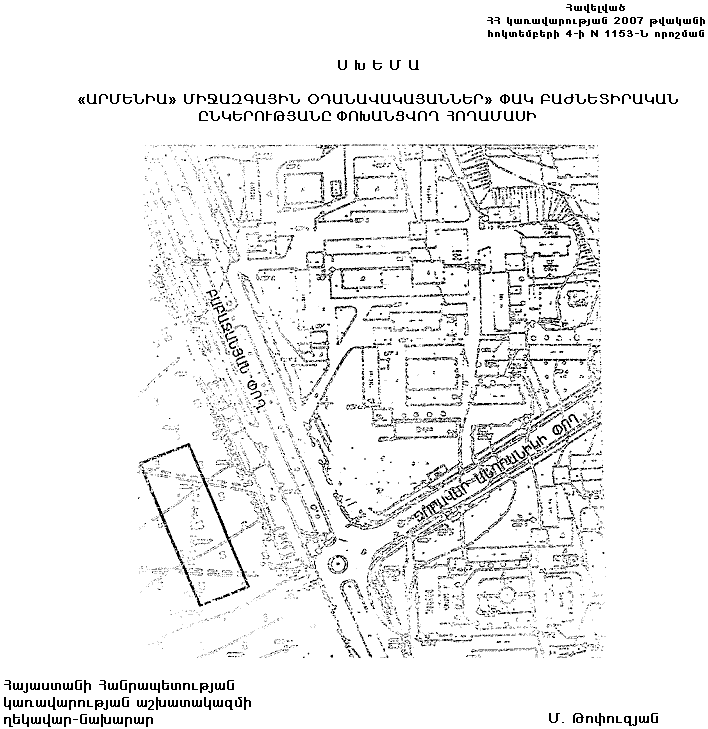
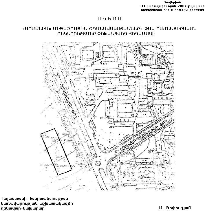
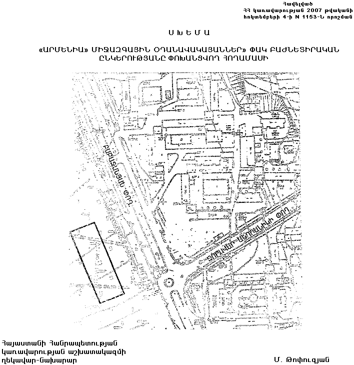
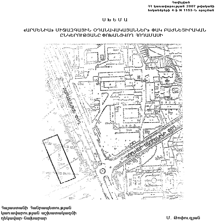
1. Երևան քաղաքի Ա. Բաբաջանյան փողոցին հարող տարածքից` համաձայն հավելվածի, 0.47 հեկտար մակերեսով հողամասն անհատույց օգտագործման իրավունքով տրամադրել «Արմենիա» միջազգային օդանավակայաններ» փակ բաժնետիրական ընկերությանը:
2. Երևանի քաղաքապետին`
1) սույն որոշումն ուժի մեջ մտնելուց հետո 10-օրյա ժամկետում կնքել սույն որոշման 1-ին կետով նախատեսված պայմանագիրը` դրանում նախատեսելով «Արմենիա» միջազգային օդանավակայաններ» փակ բաժնետիրական ընկերության կողմից նշված հողամասի գնման նախապատվությանը վերաբերող դրույթ.
2) «Արմենիա» միջազգային օդանավակայաններ» փակ բաժնետիրական ընկերության կողմից` օրենքով սահմանված կարգով սույն որոշման 1-ին կետում նշված հողամասի սեփականության իրավունքով ձեռքբերումից հետո ապահովել «Զվարթնոց» միջազգային օդանավակայանի տարածքում քանդման ենթակա չորս բարձրահարկ բազմաբնակարան բնակելի շենքերի բնակիչների համար բազմաբնակարան բնակելի շենքերի շինարարության համար անհրաժեշտ փաստաթղթերի` սահմանված կարգով հաստատումը.
3) պայմանագրում ամրագրել դրույթ, որի համաձայն «Արմենիա» միջազգային օդանավակայաններ» փակ բաժնետիրական ընկերության կողմից կառուցվող շենքերի բնակարանները հետագայում «Զվարթնոց» միջազգային օդանավակայանի տարածքում քանդման ենթակա չորս բնակելի շենքերի բնակիչներին են փոխանցվելու անհատույց սեփականության իրավունքով:
3. Սույն որոշումն ուժի մեջ է մտնում պաշտոնական հրապարակմանը հաջորդող օրվանից։
|
Հայաստանի Հանրապետության |
Ս. Սարգսյան |
|
2007 թ. հոկտեմբերի 12 Երևան |
Ս Խ Ե Մ Ա
«ԱՐՄԵՆԻԱ» ՄԻՋԱԶԳԱՅԻՆ ՕԴԱՆԱՎԱԿԱՅԱՆՆԵՐ» ՓԱԿ ԲԱԺՆԵՏԻՐԱԿԱՆ ԸՆԿԵՐՈՒԹՅԱՆԸ ՓՈԽԱՆՑՎՈՂ ՀՈՂԱՄԱՍԻ
|
Հայաստանի Հանրապետության կառավարության աշխատակազմի ղեկավար-նախարար |
Մ. Թոփուզյան |