ՀԱՅԱՍՏԱՆԻ ՀԱՆՐԱՊԵՏՈՒԹՅԱՆ ԿԱՌԱՎԱՐՈՒԹՅՈՒՆ
Ո Ր Ո Շ ՈՒ Մ
4 հոկտեմբերի 2007 թվականի N 1133-Ն
ԵՐԵՎԱՆ ՔԱՂԱՔԻ ԼԵՈՅԻ ՓՈՂՈՑԻ N 1 ՀԱՍՑԵԻ ՆԿԱՏՄԱՄԲ ԲԱՑԱՌԻԿ` ԳԵՐԱԿԱ ՀԱՆՐԱՅԻՆ ՇԱՀ ՃԱՆԱՉԵԼՈՒ ՄԱՍԻՆ
Ղեկավարվելով «Հասարակության և պետության կարիքների համար սեփականության օտարման մասին» Հայաստանի Հանրապետության օրենքի 4-րդ, 7-րդ և 18-րդ հոդվածներով և հիմք ընդունելով Երևան քաղաքի գլխավոր հատակագիծն ու դրա հիման վրա առաջացած քաղաքի զարգացման հեռանկարները` Հայաստանի Հանրապետության կառավարությունը որոշում է.
1. Սույն որոշման հավելվածում նշված տարածքում իրականացվող քաղաքաշինական ծրագրի նկատմամբ ճանաչել բացառիկ` գերակա հանրային շահ` հետևյալ հիմնավորումներով`
1) նշված ծրագրի իրականացման շահը գերակայում է օտարվող սեփականության սեփականատերերի շահերից, քանի որ`
ա. հարակից տարածքներում իրականացվում են խոշորածավալ քաղաքաշինական ծրագրեր, որոնց կատարումը նկատի ունի նոր կոմունիկացիոն ցանցի իրականացում և ինտեգրում գոյություն ունեցողների հետ, ինչը համաձայն Երևանի գլխավոր հատակագծի, կենտրոնի կառուցապատման նախագծերի անհնար է իրականացնել առանց նշված սեփականության օտարման,
բ. Կոնդ թաղամասի և Մաշտոցի պողոտայի շուկային հարակից տարածքի կառուցապատման դեպքում, ինչպես նաև նկատի ունենալով արդեն իսկ կառուցապատված հատվածը, քննարկվող տարածքի ներկա վիճակի պահպանման դեպքում ակնհայտ է աններդաշնակությունը նշված հատվածի ընդհանուր քաղաքաշինական հայեցակարգին` մասնավորապես, և ամբողջ քաղաքի հետագա զարգացման ծրագրերին` ընդհանրապես,
գ. համաձայն Երևան քաղաքի գլխավոր հատակագծի` տարածքը հարակից արդեն իսկ կառուցապատված և կառուցապատվող տարածքների հետ կհանդիսանա որպես ճարտարապետական մեկ համալիր` պահպանելով ներդաշնակ կառուցապատում.
2) նշված ծրագրի արդյունավետ իրագործումը չի կարող ապահովվել առանց նշված սեփականության օբյեկտների օտարման, քանի որ`
ա. վերջիններիս անմիջական հարևանությամբ գտնվող տարածքների համար նախագծվել և մասնակիորեն իրականացվել են համաքաղաքային ենթակառուցվածքների անբաժանելի մաս կազմող հանգույցներ,
բ. անհնար է ապահովել տարածքների ջրամատակարարում, ջրահեռացում և քաղաքի համար կենսական նշանակություն ունեցող այլ պայմաններ, որոնք նախատեսված են Երևան քաղաքի գլխավոր հատակագծով:
2. Սահմանել, որ`
1) սույն որոշման 1-ին կետում նշված տարածքի ձեռքբերող է հանդիսանում Հայաստանի Հանրապետությունը, որի անունից հանդես է գալիս Երևանի քաղաքապետարանը.
2) գերակա հանրային շահ ճանաչված տարածքի և դրանում առկա սեփականության օբյեկտների նկարագրության արձանագրության կազմման և սեփականության օտարման գործառույթներն իրականացնում է Երևանի քաղաքապետը.
3) սեփականության օտարման գործընթացն սկսելու վերջնական ժամկետը 2009 թվականի հունվարի 1-ն է.
4) գերակա հանրային շահ ճանաչված տարածքի և դրանում առկա սեփականության օբյեկտների նկարագրության արձանագրության կազմման աշխատանքներն իրականացվում են Հայաստանի Հանրապետության կառավարության 2007 թվականի հունվարի 25-ի N 108-Ն որոշմամբ սահմանված կարգով և որոշմամբ սահմանված նկարագրության արձանագրության օրինակելի ձևով:
3. Լիազորել Երևանի քաղաքապետին`
1) անցկացնել հասարակության և պետության կարիքների համար օտարվող սեփականությունը ձեռքբերողի հրապարակային սակարկություն` մրցույթ:
Ձեռքբերող թեկնածուի ընտրության դեպքում ներկայացնել առաջարկություն Հայաստանի Հանրապետության կառավարության որոշման մեջ համապատասխան փոփոխություն կատարելու վերաբերյալ.
2) սույն որոշումն ուժի մեջ մտնելուն հաջորդող 7-օրյա ժամկետում որոշումը պատշաճ ձևով ուղարկել օտարվող սեփականության սեփականատերերին և օտարվող սեփականության նկատմամբ պետական գրանցում ունեցող գույքային իրավունքներ ունեցող անձանց:
4. Սույն որոշումն ուժի մեջ է մտնում պաշտոնական հրապարակման օրվան հաջորդող տասներորդ օրը:
|
Հայաստանի Հանրապետության |
Ս. Սարգսյան |
|
|
|
Հավելված |
Ց Ա Ն Կ
ԵՐԵՎԱՆ ՔԱՂԱՔԻ ԼԵՈՅԻ ՓՈՂՈՑԻ N 1 ՀԱՍՑԵԻ ՆԿԱՏՄԱՄԲ ԲԱՑԱՌԻԿ` ԳԵՐԱԿԱ ՀԱՆՐԱՅԻՆ ՇԱՀ ՃԱՆԱՉԵԼՈՒ
|
Գտնվելու վայրը և նկարագիրը |
Նկարագրության արձանագրության կազմման ժամկետը |
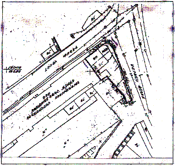
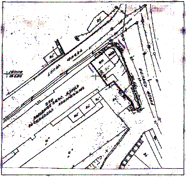
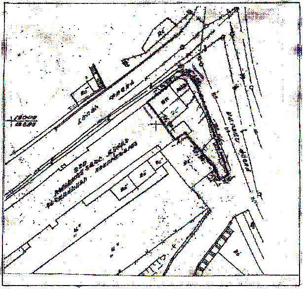
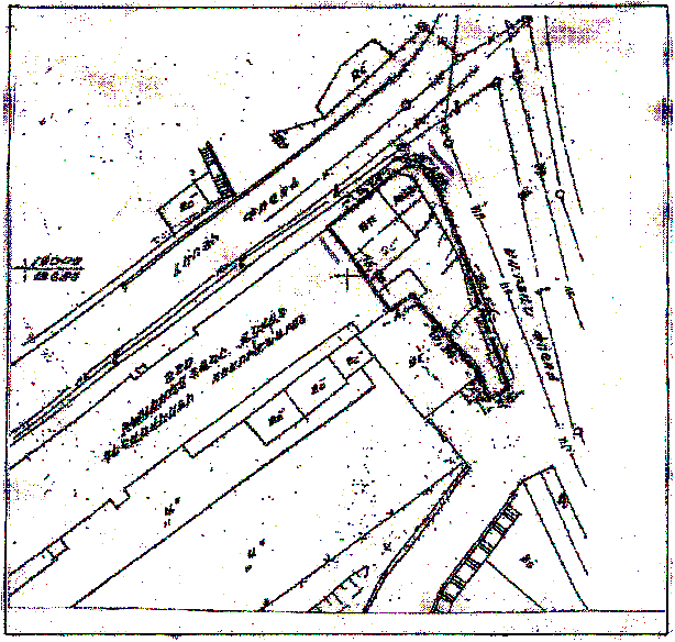
| Լեոյի փողոցի N 1 հասցեում բնակելի տուն և հողամաս (սխեման կցվում է) |
4 ամիս |
| Հայաստանի Հանրապետության կառավարության աշխատակազմի ղեկավար-նախարար | Մ. Թոփուզյան |
ԵՐԵՎԱՆ ՔԱՂԱՔԻ ԼԵՈՅԻ ՓՈՂՈՑԻ N 1 ՀԱՍՑԵՈՒՄ ԻՐԱՑՎՈՂ ՀՈՂԱՏԱՐԱԾՔԻ ՍԽԵՄԱՆ