«Վավերացնում եմ»
Հայաստանի Հանրապետության
Նախագահ Ռ. Քոչարյան
14 հուլիսի 2006 թ.
ՀԱՅԱՍՏԱՆԻ ՀԱՆՐԱՊԵՏՈՒԹՅԱՆ ԿԱՌԱՎԱՐՈՒԹՅՈՒՆ
Ո Ր Ո Շ ՈՒ Մ
16 հունիսի 2006 թվականի N 957-Ա
ԵՐԵՎԱՆ ՔԱՂԱՔԻ 33-ՐԴ ԹԱՂԱՄԱՍՈՒՄ ԲՆԱԿԵԼԻ ԵՎ ՀԱՍԱՐԱԿԱԿԱՆ ՆՇԱՆԱԿՈՒԹՅԱՆ ՆԵՐԴՐՈՒՄԱՅԻՆ ԾՐԱԳՐԵՐԻ ԻՐԱԿԱՆԱՑՄԱՆ ՆՊԱՏԱԿՈՎ «ԵՎՐՈՊԱ ՀՅՈՒՐԱՆՈՑ» ՓԱԿ ԲԱԺՆԵՏԻՐԱԿԱՆ ԸՆԿԵՐՈՒԹՅԱՆՆ ԻՐԱՑՄԱՆ ԱՇԽԱՏԱՆՔՆԵՐԻ ԱՎԱՐՏԻՑ ՀԵՏՈ ԱՌԱՆՑ ՄՐՑՈՒՅԹԻ ՀՈՂԱՄԱՍԻ ԳՆՄԱՆ ՆԱԽԱՊԱՏՎՈՒԹՅԱՆ ԻՐԱՎՈՒՆՔ ՏՐԱՄԱԴՐԵԼՈՒ ՄԱՍԻՆ
Հիմք ընդունելով Հայաստանի Հանրապետության կառավարության 2002 թվականի օգոստոսի 1-ի «Երևանի Կենտրոն թաղային համայնքի վարչական սահմաններում կառուցապատման ծրագրերի իրականացման միջոցառումների մասին» N 1151-Ն որոշումը և ղեկավարվելով Հայաստանի Հանրապետության կառավարության 2001 թվականի ապրիլի 12-ի «Պետական և համայնքային սեփականություն հանդիսացող հողամասերն օտարելու և օգտագործման տրամադրելու կարգը հաստատելու մասին» N 286-Ն որոշման 44-րդ կետի «գ» ենթակետով` Հայաստանի Հանրապետության կառավարությունը որոշում է.
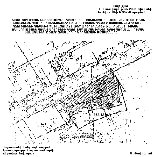
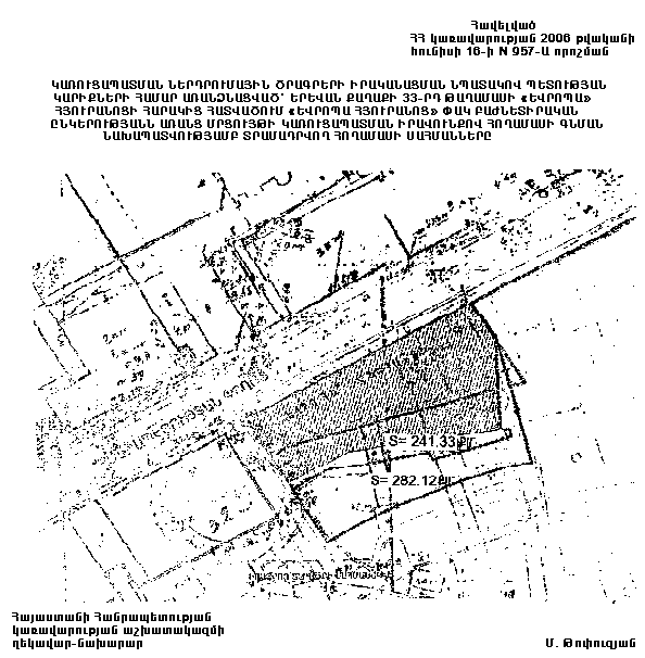
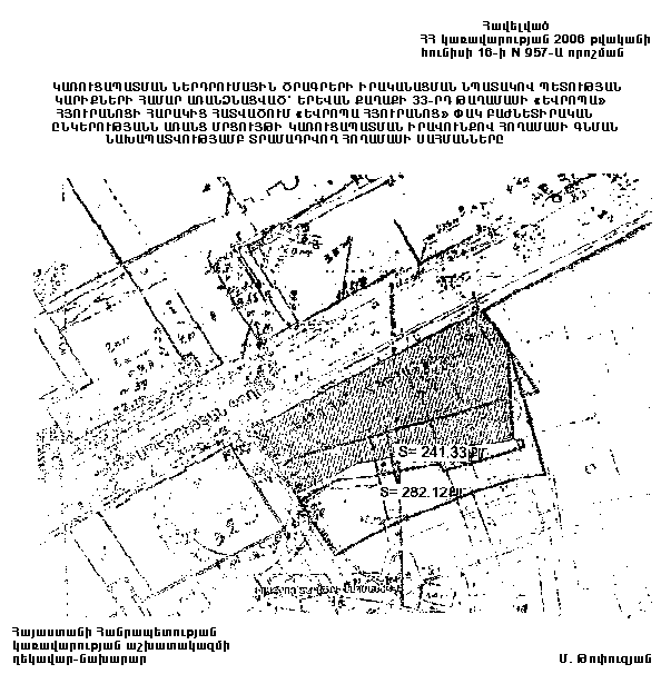
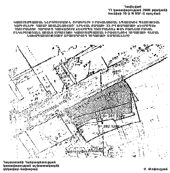
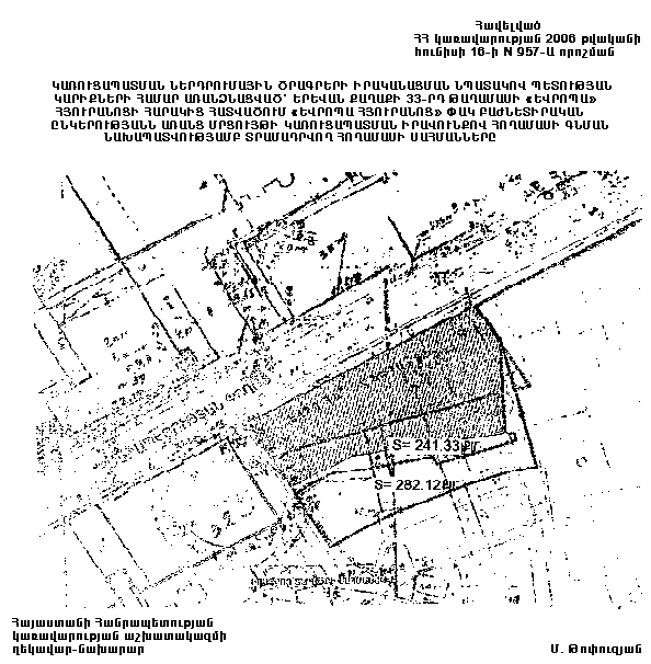
1. Թույլատրել Երևանի քաղաքապետին «Եվրոպա հյուրանոց» փակ բաժնետիրական ընկերությանը (այսուհետ` ընկերություն), Երևան քաղաքի 33-րդ թաղամասում բնակելի և հասարակական նշանակության ներդրումային ծրագրեր իրականացնելու նպատակով, 282.12 քառ. մետր մակերեսով տարածքի իրացման աշխատանքների ավարտից հետո տրամադրել հողամասի` համաձայն հավելվածի, գնման նախապատվության իրավունք:
2. Սահմանել, որ`
ա) ընկերությունը սույն որոշման 1-ին կետում նշված տարածքի իրացման աշխատանքների ավարտից հետո հողամասի գնման նախապատվության իրավունքը ձեռք է բերում հողամասի այն հատվածների նկատմամբ, որոնք ընդգրկված չեն լինի Հայաստանի Հանրապետության հողային օրենսգրքի 60-րդ հոդվածով սահմանված սահմանափակումներում` կառուցապատման նախագծին համապատասխան.
բ) հողամասը ենթակա է ընկերությանն օտարման` ուղղակի վաճառքի միջոցով` սույն որոշման ընդունման պահին գործող կադաստրային արժեքով:
3. Ընդունել ի գիտություն, որ`
ա) ընկերությունը պարտավորվում է տարածքը` գույքային իրավունքներով և շինություններով, ծանրաբեռնվածությունից ազատել իր միջոցների հաշվին.
բ) նշված տարածքի ինժեներական ենթակառուցվածքների կառուցման աշխատանքներն իրականացվում են ընկերության կողմից` սեփական միջոցներով.
գ) յուրաքանչյուր նոր ստեղծվող գույքի` կառուցվող շենքերի վերգետնյա ընդհանուր մակերեսի յուրաքանչյուր քառակուսի մետրի համար ընկերությունը «Երևանի կառուցապատման ներդրումային ծրագրերի իրականացման գրասենյակ» պետական ոչ առևտրային կազմակերպության հաշվին վճարում է 20.000 դրամ` որպես օժանդակություն քաղաքի կառուցապատման ծրագրերին։
4. Սույն որոշման կատարման կազմակերպումը և վերահսկողությունը դնել Երևանի քաղաքապետի վրա:
|
Հայաստանի Հանրապետության |
Ա. Մարգարյան |
|
2006 թ. հուլիսի 12 |
|
Հավելված |
ԿԱՌՈՒՑԱՊԱՏՄԱՆ ՆԵՐԴՐՈՒՄԱՅԻՆ ԾՐԱԳՐԵՐԻ ԻՐԱԿԱՆԱՑՄԱՆ ՆՊԱՏԱԿՈՎ ՊԵՏՈՒԹՅԱՆ ԿԱՐԻՔՆԵՐԻ ՀԱՄԱՐ ԱՌԱՆՁՆԱՑՎԱԾ` ԵՐԵՎԱՆ ՔԱՂԱՔԻ 33-ՐԴ ԹԱՂԱՄԱՍԻ «ԵՎՐՈՊԱ» ՀՅՈՒՐԱՆՈՑԻ ՀԱՐԱԿԻՑ ՀԱՏՎԱԾՈՒՄ «ԵՎՐՈՊԱ ՀՅՈՒՐԱՆՈՑ» ՓԱԿ ԲԱԺՆԵՏԻՐԱԿԱՆ ԸՆԿԵՐՈՒԹՅԱՆՆ ԱՌԱՆՑ ՄՐՑՈՒՅԹԻ ԿԱՌՈՒՑԱՊԱՏՄԱՆ ԻՐԱՎՈՒՆՔՈՎ ՀՈՂԱՄԱՍԻ ԳՆՄԱՆ ՆԱԽԱՊԱՏՎՈՒԹՅԱՄԲ ՏՐԱՄԱԴՐՎՈՂ ՀՈՂԱՄԱՍԻ ԱՍՀՄԱՆՆԵՐԸ
| Հայաստանի Հանրապետության կառավարության աշխատակազմի ղեկավար-նախարար |
Մ. Թոփուզյան |