«Վավերացնում եմ»
Հայաստանի Հանրապետության
Նախագահ Ռ. Քոչարյան
20 հունիսի 2006 թ.
ՀԱՅԱՍՏԱՆԻ ՀԱՆՐԱՊԵՏՈՒԹՅԱՆ ԿԱՌԱՎԱՐՈՒԹՅՈՒՆ
Ո Ր Ո Շ ՈՒ Մ
8 հունիսի 2006 թվականի N 810-Ն
ՀՈՂԵՐԻ ԿԱՏԵԳՈՐԻԱՆ ՓՈԽԵԼՈՒ ՄԱՍԻՆ
Հայաստանի Հանրապետության կառավարությունը որոշում է.
1. Հայաստանի Հանրապետության Սյունիքի մարզի Ծղուկի գյուղական համայնքի համայնքային սեփականություն հանդիսացող գյուղատնտեսական նշանակության 0.25 հեկտար այլ հողերը` համաձայն NN 1, 2 և 3 հավելվածների, փոխադրել էներգետիկայի, կապի, տրանսպորտի և կոմունալ ենթակառուցվածքների օբյեկտների հողերի կատեգորիա` հիդրոէլեկտրակայանի և օժանդակ կառույցների շինարարության համար:
2. Գծային ենթակառուցվածքն այլ անձանց սեփականության իրավունքով պատկանող հողամասերով անցնելու դեպքում սահմանել սերվիտուտի իրավունք, ապահովել գետի էկոլոգիական թողքի չափը և ձկնապաշտպան կառույցների համար անհրաժեշտ սպասարկման գոտին:
|
Հայաստանի Հանրապետության |
Ա. Մարգարյան |
|
|
|
Հավելված N 1 |
Ժ Ա Մ Ա Ն Ա Կ Ա Վ Ո Ր Ս Խ Ե Մ Ա
ՀԱՅԱՍՏԱՆԻ ՀԱՆՐԱՊԵՏՈՒԹՅԱՆ ՍՅՈՒՆԻՔԻ ՄԱՐԶԻ ԾՂՈՒԿԻ ԳՅՈՒՂԱԿԱՆ ՀԱՄԱՅՆՔԻ ՀՈՂԵՐԻ ՕԳՏԱԳՈՐԾՄԱՆ
| Հայաստանի Հանրապետության կառավարության աշխատակազմի ղեկավար-նախարար |
Մ. Թոփուզյան |
|
Հավելված N 2 |
Ժ Ա Մ Ա Ն Ա Կ Ա Վ Ո Ր Ս Խ Ե Մ Ա
ՀԱՅԱՍՏԱՆԻ ՀԱՆՐԱՊԵՏՈՒԹՅԱՆ ՍՅՈՒՆԻՔԻ ՄԱՐԶԻ ԾՂՈՒԿԻ ԳՅՈՒՂԱԿԱՆ ՀԱՄԱՅՆՔԻ
ՀՈՂԵՐԻ ՕԳՏԱԳՈՐԾՄԱՆ
(հատված)
| Հայաստանի Հանրապետության կառավարության աշխատակազմի ղեկավար-նախարար |
Մ. Թոփուզյան |
|
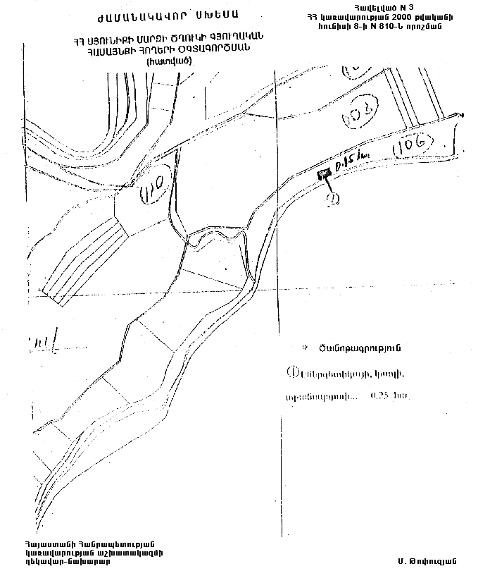
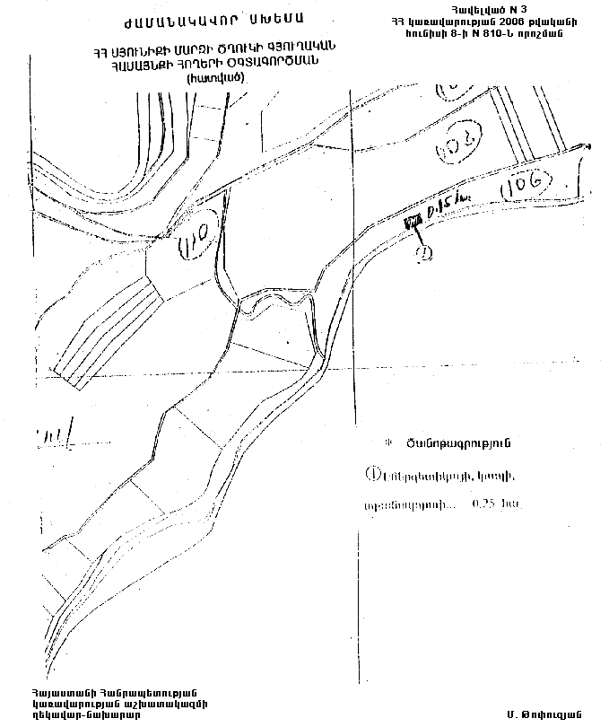
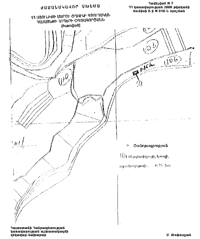
Հավելված N 3 |
Ժ Ա Մ Ա Ն Ա Կ Ա Վ Ո Ր Ս Խ Ե Մ Ա
ՀԱՅԱՍՏԱՆԻ ՀԱՆՐԱՊԵՏՈՒԹՅԱՆ ՍՅՈՒՆԻՔԻ ՄԱՐԶԻ ԾՂՈՒԿԻ ԳՅՈՒՂԱԿԱՆ ՀԱՄԱՅՆՔԻ
ՀՈՂԵՐԻ ՕԳՏԱԳՈՐԾՄԱՆ
(հատված)
| Հայաստանի Հանրապետության կառավարության աշխատակազմի ղեկավար-նախարար |
Մ. Թոփուզյան |