|
|
«Վավերացնում եմ» |
ՀԱՅԱՍՏԱՆԻ ՀԱՆՐԱՊԵՏՈՒԹՅԱՆ ԿԱՌԱՎԱՐՈՒԹՅՈՒՆ
Ո Ր Ո Շ ՈՒ Մ
15 նոյեմբերի 2005 թվականի N 1951-Ն
|
ՀԱՅԱՍՏԱՆԻ ՀԱՆՐԱՊԵՏՈՒԹՅԱՆ ԼՈՌՈՒ ՄԱՐԶԻ ՄԵԴՈՎԿԱՅԻ ԳՅՈՒՂԱԿԱՆ ՀԱՄԱՅՆՔԻ ՀՈՂԵՐԻ ՕԳՏԱԳՈՐԾՄԱՆ ԺԱՄԱՆԱԿԱՎՈՐ ՍԽԵՄԱՆ ՀԱՍՏԱՏԵԼՈՒ ՄԱՍԻՆ |
|
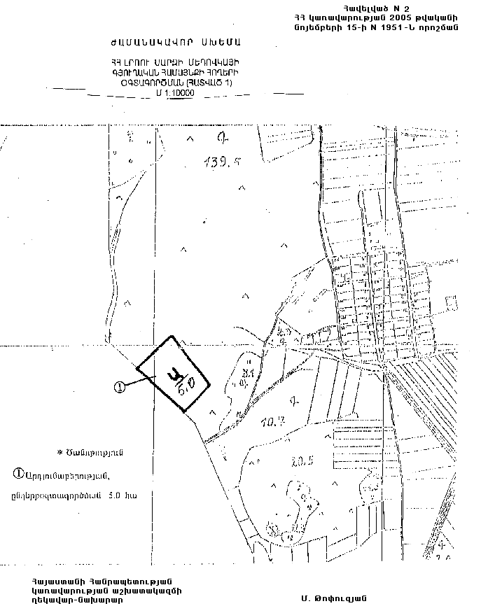
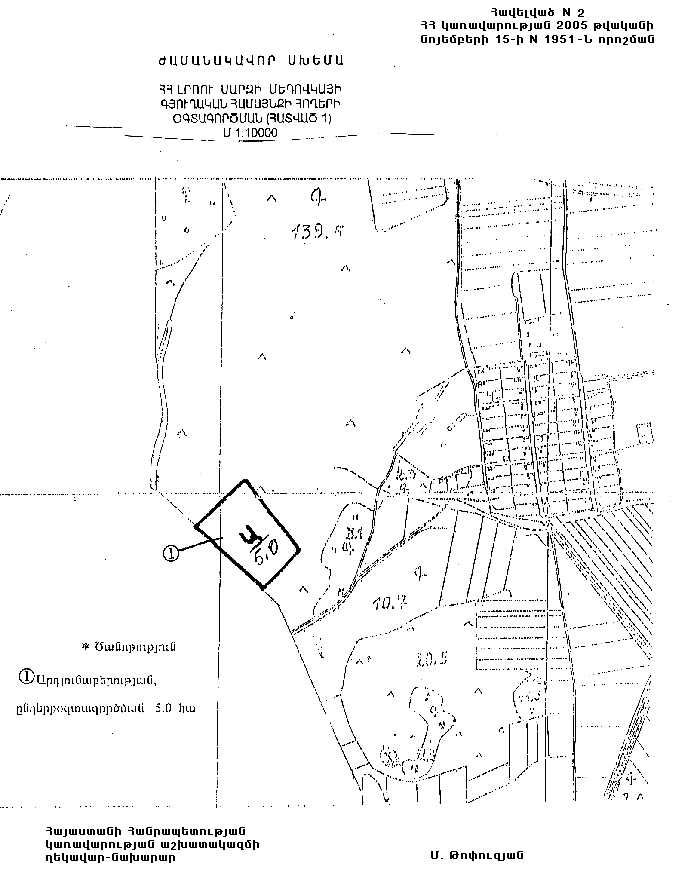
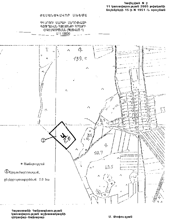
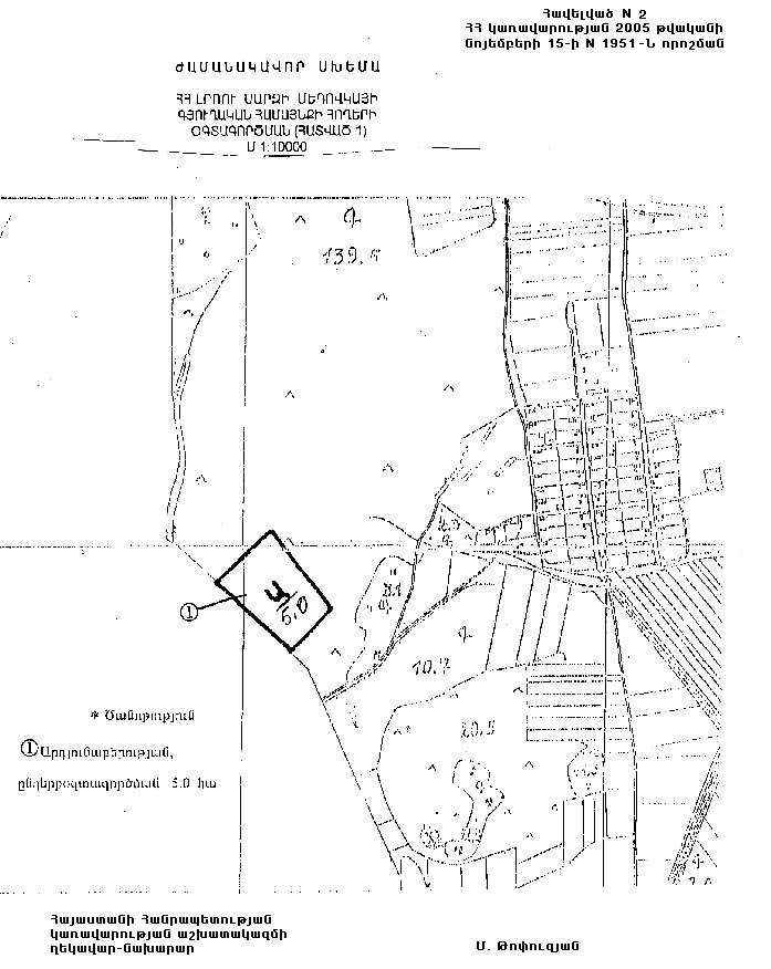
Հայաստանի Հանրապետության կառավարությունը որոշում է. Հաստատել Հայաստանի Հանրապետության Լոռու մարզի Մեդովկայի գյուղական համայնքի հողերի օգտագործման ժամանակավոր սխեման՝ համաձայն NN 1 և 2 հավելվածների, և համայնքի վարչական տարածքում գտնվող՝ պետական սեփականություն հանդիսացող 784.4 հեկտար պահուստային ֆոնդի հողերից փոխադրել՝ ա) 779.4 հեկտարը, որից` 390 հեկտար վարելահող, 37.6 հեկտար խոտհարք, 5.3 հեկտար բազմամյա տնկարկ, 341.5 հեկտար արոտավայր, 5 հեկտար այլ հողեր՝ գյուղատնտեսական նշանակության հողերի կատեգորիա. բ) 5 հեկտար արոտավայրը՝ արդյունաբերության, ընդերքօգտագործման և այլ արտադրական նշանակության օբյեկտների հողերի կատեգորիա` գյուղատնտեսական արտադրական օբյեկտներ կառուցելու համար: |
|
Հայաստանի Հանրապետության |
Ա. Մարգարյան |
|
|
|
Հավելված N 1 | |
|
| |
Հայաստանի Հանրապետության կառավարության աշխատակազմի ղեկավար-նախարար |
Մ. Թոփուզյան |
|
| |
|
| |
Հայաստանի Հանրապետության կառավարության աշխատակազմի ղեկավար-նախարար |
Մ. Թոփուզյան |