322.0198-Կ.28.03.02
«Գրանցված է»
ՀՀ արդարադատության
նախարարության կողմից
17 ապրիլի 2002 թ.
Պետական գրանցման թիվ 32202069
ՀԱՅԱՍՏԱՆԻ ՀԱՆՐԱՊԵՏՈՒԹՅԱՆ
ԿԱՌԱՎԱՐՈՒԹՅԱՆՆ ԱՌԸՆԹԵՐ ԱՆՇԱՐԺ ԳՈՒՅՔԻ ԿԱԴԱՍՏՐԻ ՊԵՏԱԿԱՆ ԿՈՄԻՏԵ
|
28 մարտի 2002 թ. |
N 198-Կ |
Հ Ր Ա Մ Ա Ն
ՊԵՏԱԿԱՆ ԳՐԱՆՑՄԱՆ ԵՎ ՏԵՂԵԿԱՏՎՈՒԹՅԱՆ ՏՐԱՄԱԴՐՄԱՆ ՎՃԱՐՆԵՐԻ ԿԻՐԱՌՄԱՆ ՀՐԱՀԱՆԳԸ ՀԱՍՏԱՏԵԼՈՒ ՄԱՍԻՆ
Ղեկավարվելով «Գույքի նկատմամբ իրավունքների պետական գրանցման մասին» ՀՀ օրենքի 44 հոդվածի պահանջներով`
Հրամայում եմ`
1. Հաստատել «Պետական գրանցման և տեղեկատվության տրամադրման վճարների կիրառման հրահանգը» (կցվում է):
2. Սահմանված կարգով հրահանգը ներկայացնել Հայաստանի Հանրապետության արդարադատության նախարարություն՝ գրանցման:
3. Սույն հրամանի կատարման հսկողությունը դնել կոմիտեի նախագահի տեղակալ Մ. Գևորգյանի վրա:
|
Կոմիտեի նախագահ` |
Մ. Վարդանյան |
Հ Ր Ա Հ Ա Ն Գ
ՊԵՏԱԿԱՆ ԳՐԱՆՑՄԱՆ ԵՎ ՏԵՂԵԿԱՏՎՈՒԹՅԱՆ ՏՐԱՄԱԴՐՄԱՆ ՎՃԱՐՆԵՐԻ ԿԻՐԱՌՄԱՆ
1. Ընդհանուր դրույթներ
Սույն հրահանգը կանոնակարգում է Հայաստանի Հանրապետության կառավարությանն առընթեր անշարժ գույքի կադաստրի պետական կոմիտեի ստորաբաժանումների կողմից մատուցված ծառայությունների դիմաց գանձվող վճարների կիրառման կարգը:
Գույքի նկատմամբ իրավունքների պետական գրանցման գործընթացը կարգավորվում է Հայաստանի Հանրապետության «Գույքի նկատմամբ իրավունքների պետական գրանցման մասին» օրենքի 24-րդ հոդվածով:
Գույքի և դրա նկատմամբ գրանցված իրավունքների և սահմանափակումների վերաբերյալ տեղեկատվության տրամադրման ընթացակարգը սահմանված է Հայաստանի Հանրապետության «Գույքի նկատմամբ իրավունքների պետական գրանցման մասին» օրենքի 44 հոդվածով:
Անշարժ գույքի նկատմամբ իրավունքների պետական գրանցման և տեղեկատվության տրամադրման համար վճարների ցանկով սահմանված վճարները գանձվում են դիմումների հետ միասին:
2. ԻՐԱՎՈՒՆՔՆԵՐԻ ՊԵՏԱԿԱՆ ԳՐԱՆՑՈՒՄ
Չափագրում
Գույքի նկատմամբ իրավունքների պետական գրանցման նպատակով գույքը չափագրվում է և գանձվում են չափագրման համար վճարների ցանկով սահմանված վճարներ, երբ`
ա) անշարժ գույքի (հողամասեր, շենքեր և շինություններ) նկատմամբ գրանցված չէ սեփականության կամ օգտագործման իրավունքը` մինչև հանրապետությունում իրավունքների պետական գրանցման համակարգի ներդրումը` 1998 թվականի մարտի 1-ից` համաձայն 1997 թվականի հոկտեմբերի 22-ի Հայաստանի Հանրապետության կառավարության «Անշարժ գույքի պետական միասնական կադաստրի վարման կարգի և անշարժ գույքի համակարգված դիտարկումների (մոնիտորինգի) իրականացման մասին» թիվ 465 որոշման:
Իրավունքների առաջին պետական գրանցումն սկսած (կադաստրային քարտեզագրումն ավարտված) համայնքներում (տարածքներում) ՀՀ քաղաքացիների համար գույքի նկատմամբ իրավունքների առաջին պետական գրանցումն իրականացվում է անվճար:
բ) կատարված տեղազննության արդյունքում պարզվել է, որ անշարժ գույքը սեփականատիրոջ կամ օգտագործողի կողմից ենթարկվել է փոփոխությունների, որի դեպքում չափագրվում է փոփոխված մակերեսը և գանձվող վճարի չափը հաշվարկվում է միայն փոփոխված մակերեսին համապատասխան:
գ) բաժանվում է իրավունքների պետական գրանցում ստացած գույքը` ընդ որում չափագրվում և չափագրման համար սահմանված վճարները գանձվում են միայն առանձնացվող մակերեսների համար: Իրավունքների պետական գրանցում ստացած մեկ կամ մի քանի միավոր անշարժ գույքի միավորման դեպքերում չափագրում չի կատարվում և չափագրման վճարներ չեն գանձվում:
դ) առանձին դեպքերում` սեփականատիրոջ, օգտագործողի դիմումի հիման վրա, ինչպես նաև օրենսդրությամբ սահմանված կարգով և դեպքերում:
Անհատական բնակելի տների, ամառանոցների բնակելի նշանակության այլ շինությունների, առանձին կանգնած հասարակական և արտադրական նշանակության շինությունների համար չափագրման մակերեսը հաշվարկվում և գանձվում են չափագրման համար վճարների ցանկով սահմանված վճարները շենքերի ու շինությունների արտաքին չափերին համապատասխան:
Բազմաբնակարան շենքերի բնակարանների, ինչպես նաև շենքերի և շինությունների ծավալներում գտնվող հասարակական ու արտադրական նշանակության տարածքների մակերեսների չափագրման դիմաց գանձվող վճարի չափը հաշվարկվում է նրանց ներքին մակերեսով:
Իրավունքների պետական գրանցում ստացած գույքի նկատմամբ գրանցված իրավունքների և սահմանափակումների վերաբերյալ տեղեկատվության տրամադրումից հետո, երբ կատարվում է նոր սեփականատիրոջ կամ օգտագործողի իրավունքի գրանցում, չափագրման (տեղազննության) համար սահմանված վճարները ներառվում են իրավունքների ծագման, փոփոխման և դադարման պետական գրանցման համար վճարների ցանկով սահմանված վճարների մեջ:
Եթե իրավունքների պետական գրանցման նպատակով դիմումն ընդունելուց հետո կատարվում է չափագրում, սակայն գույքի նկատմամբ իրավունքները չեն ստանում պետական գրանցում, ապա սեփականատիրոջը կամ օգտագործողին տրամադրվում է անշարժ գույքի հատակագիծը: Այս դեպքերում, եթե սեփականատերը կամ օգտագործողը օրենսդրությամբ սահմանված կարգով իրավունքների պետական գրանցման խոչընդոտները կարգավորում է, ապա նոր դիմում ներկայացնելիս անշարժ գույքի չափագրման համար վճարներ չեն գանձվում:
Կամերալ աշխատանքներ
ա) ՎՃարների ցանկի 2-րդ «Կամերալ աշխատանքներ» բաժնի ա) կետով (անշարժ գույքի սահմանված մասշտաբով հատակագծի (A3, A4 ֆորմատի) կազմում) նախատեսված աշխատանքներն իրականացվում և դրանց համար վճարներ գանձվում են սեփականության, օգտագործման վարձակալության, գրավի իրավունքների պետական գրանցման վկայականներում հատակագիծ կազմելու համար:
Կամերալ աշխատանքների համար նախատեսված վճարները գանձվում է իրավունքների պետական գրանցման բոլոր դեպքերի համար:
բ) Վճարների ցանկի 2-րդ «Կամերալ աշխատանքներ» բաժնի բ) կետով (A3, A4 ֆորմատի յուրաքանչյուր լրացուցիչ ներդիրի (հատակագիծ) համար) աշխատանքները իրականացվում են և դրանց համար վճարներ են գանձվում այն դեպքերում, երբ անշարժ գույքի սեփականության (օգտագործման), վարձակալության և գրավի իրավունքների գրանցման վկայականներ կազմելու (պետական գրանցման) համար պահանջվում են լրացուցիչ գծագրեր:
Կադաստրային (արխիվային) գործում պահվող անշարժ գույքի սեփականության, (օգտագործման) վարձակալության և գրավի իրավունքների գրանցման վկայականների օրինակներում գծագրերի համար գումարներ չեն գանձվում:
Գնահատում
Անշարժ գույքի գնահատումը կատարվում է «Հողի հարկի մասին» և «Գույքահարկի մասին» Հայաստանի Հանրապետության օրենքներով սահմանված կարգով և դեպքերում:
Անշարժ գույքի գնահատման աշխատանքների դիմաց սահմանված վճար գանձվում է միայն այն դեպքերում, երբ սեփականատերը կամ օգտագործողը ինքն է դիմում գույքը գնահատելու խնդրանքով:
3. ԻՐԱՎՈՒՆՔՆԵՐԻ ԾԱԳՄԱՆ, ՓՈՓՈԽՄԱՆ, ՓՈԽԱՆՑՄԱՆ ԵՎ ԴԱԴԱՐՄԱՆ ՊԵՏԱԿԱՆ ԳՐԱՆՑՄԱՆ ՀԱՄԱՐ ՎՃԱՐՆԵՐ
Պետական գրանցման վճարների ցանկը բաժանվում է 2 հիմնական խմբի` 1-ին խմբում ընդգրկվել են անշարժ գույքի հողամասի (բացառությամբ գյուղատնտեսական նշանակության հողամասերի) և նրանց ամրակայված շենքերի և շինությունների նկատմամբ իրավունքների ծագման, փոփոխման, փոխանցման և դադարման պետական գրանցման վճարները, իսկ 2-րդ խմբում` գյուղատնտեսական նշանակության հողամասերի նկատմամբ իրավունքների ծագման, փոփոխման, փոխանցման և դադարման պետական գրանցման վճարները:
Անշարժ գույքի նկատմամբ սեփականության, վարձակալության, օգտագործման իրավունքի և գրավի իրավունքի գրանցման վկայականների կրկնօրինակ տալու աշխատանքները կարող են կատարվել տեղեկատվության տրամադրման ժամանակ կիրառվող ժամկետներում` կրկնօրինակ տալու համար գանձվող վճարը հաշվարկելով առանց գործակիցների:
Եթե գույքի նկատմամբ միաժամանակ գրանցվում է մի քանի իրավունք, ապա գանձվում է մեկ առավել մեծ գումարի չափ ունեցող պետական գրանցման վճարը: Պետական գրանցման վճարների վրա արագացման գործակիցներ չեն կիրառվում:
4. ՏԵՂԵԿԱՏՎՈՒԹՅԱՆ ՏՐԱՄԱԴՐՈՒՄ
Գույքի նկատմամբ գործարքների իրականացման ժամանակ մինչև 200 քմ մակերես ունեցող հասարակական, արտադրական նշանակության շենքերի և շինությունների միավորի և դրա նկատմամբ գրանցված իրավունքների և սահմանափակումների վերաբերյալ (բացառությամբ գյուղ. նշանակության հողերի) տեղեկատվություն ստանալու համար գանձվում է 7000 դրամ (Ձև 1):
200 քմ-ից ավելի մակերես ունեցող բնակելի հասարակական արտադրական նշանակության շենքերի և շինությունների միավորի և դրանց նկատմամբ գրանցված իրավունքների և սահմանափակումների վերաբերյալ տեղեկատվություն ստանալու համար կատարվում է տեղազննություն և գանձվում են սահմանված վճարներ: Տեղազննության վճարները հաշվարկվում են միայն շենքերի, շինությունների արտաքին մակերեսների հանրագումարից: Անկախ մակերեսից անշարժ գույքի միավոր հանդիսացող` շենքերով և շինություններով ծանրաբեռնված հողամասերի համար գրանցված իրավունքների և սահմանափակումների վերաբերյալ տեղեկատվություն տրամադրելիս հողի չափագրության առանձին վճարներ չեն գանձվում և չափագրման վճարները ներառվում են շենքերի և շինությունների տեղազննության (մինչև 200 քմ մակերես ունեցողները տեղեկատվության տրամադրման) համար սահմանված վճարներում:
Շենքերով և շինություններով չծանրաբեռնված ոչ գյուղատնտեսական նշանակության հողերի գրանցված իրավունքների և սահմանափակումների վերաբերյալ տեղեկատվության տրամադրման ժամանակ հողերի չափագրման (տեղազննության) համար գումարներ չեն գանձվում և չափագրման (տեղազննության) համար վճարները ներառվում են տեղեկատվության տրամադրման համար սահմանված վճարների մեջ:
200 քմ-ից ավելի մակերես ունեցող հասարակական արտադրական նշանակության շենքերի և շինությունների միավորի և դրանց նկատմամբ իրավունքների պետական գրանցման օրվանը հաջորդող 15 աշխատանքային օրվա ընթացքում գրանցված իրավունքների և սահմանափակումների վերաբերյալ տեղեկատվություն ստանալու համար կատարվում է տեղազննություն, որի համար վճար չի գանձվում:
Անկախ գույքի չափերից վճարների ցանկի անշարժ գույքի և դրա նկատմամբ գրանցված իրավունքների վերաբերյալ տեղեկատվության տրամադրում բաժնի 3-9 կետերով սահմանված վճարներ տեղեկատվություն ստանալու համար գանձվում է 500 դրամ (Ձև 2):
Գույքի նկատմամբ գործարքների իրականացման ժամանակ գյուղատնտեսական նշանակության հողերի յուրաքանչյուր միավորի նկատմամբ գրանցված իրավունքների և սահմանափակումների վերաբերյալ տեղեկատվություն ստանալու համար գանձվում է 500 դրամ (Ձև 1): Այս դեպքերում հողի չափագրման համար վճարներ չեն գանձվում և ներառվում են տեղեկատվության տրամադրման համար սահմանված վճարներում:
Գյուղատնտեսական նշանակության հողերի յուրաքանչյուր միավորի նկատմամբ գրանցված առանձին իրավունքների և սահմանափակումների վերաբերյալ տեղեկատվություն ստանալու համար գանձվում է 200 դրամ (Ձև 2):
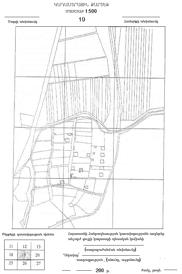
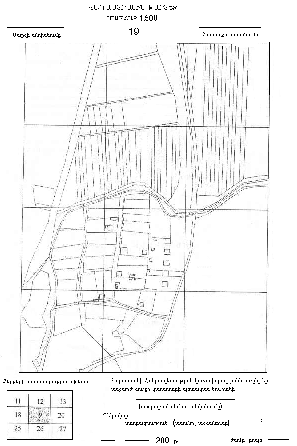
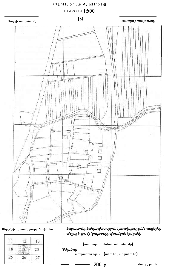
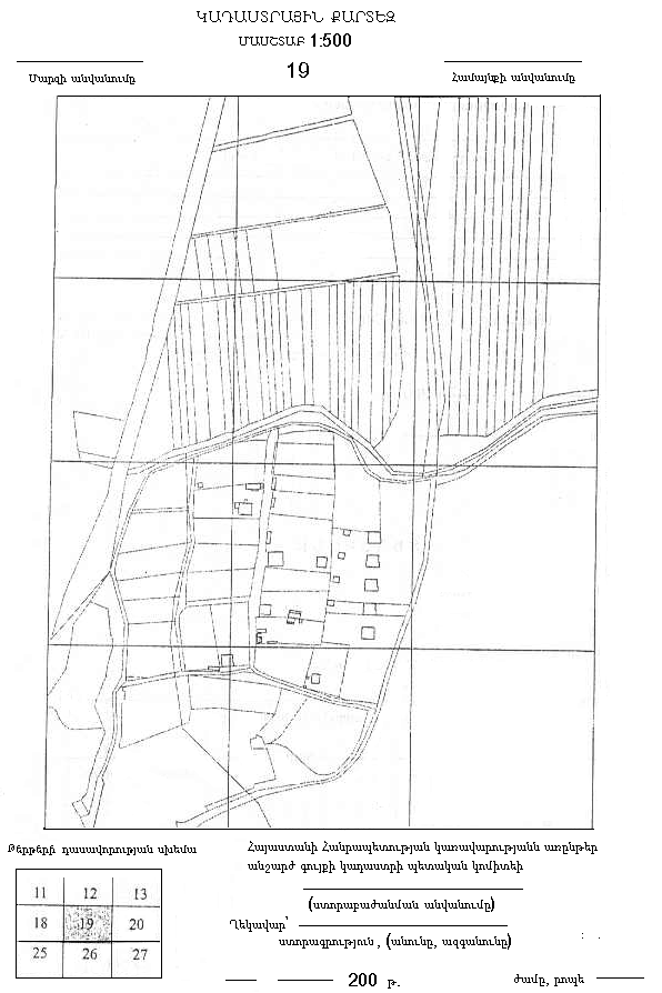
Կադաստրային քարտեզներում արտահայտված տեղեկատվության տրամադրման համար գանձվում են վճարների ցանկի անշարժ գույքի և դրա նկատմամբ գրանցված իրավունքների և սահմանափակումների վերաբերյալ տեղեկատվության տրամադրում բաժնի 10-19 կետերով սահմանված վճարներ (Ձև 3):
5. ԱՆՇԱՐԺ ԳՈՒՅՔԻ ՎԵՐԱԲԵՐՅԱԼ ՄԱՍՆԱԳԻՏԱԿԱՆ ԵԶՐԱԿԱՑՈՒԹՅՈՒՆ ԵՎ ՀԱՏԱԿԱԳԾԻ ՏՐԱՄԱԴՐՈՒՄ
Անշարժ գույքի վերաբերյալ մասնագիտական եզրակացությանը և նրա բաղկացուցիչը կազմող հատակագծի տրամադրման համար գանձվում է 5000 դրամ: Այս ծառայությունը մատուցվում է դիմումը ներկայացնելու օրվանից 5-րդ աշխատանքային օրը:
6. ԱՇԽԱՏԱՆՔՆԵՐԻ ԿԱՏԱՐՄԱՆ ԵՎ ԾԱՌԱՅՈՒԹՅՈՒՆՆԵՐԻ ՄԱՏՈՒՑՄԱՆ ԺԱՄԿԵՏՆԵՐԸ
Գույքի նկատմամբ իրավունքների պետական գրանցման աշխատանքներն իրականացվում են գրանցման դիմում ներկայացնելու օրվանից 7-րդ աշխատանքային օրը:
Պատվիրատուի պահանջով չափագրության, տեղազննության, կամերալ և գնահատման աշխատանքները կարող են կատարվել սահմանված ժամկետներից արագ, որի համար վճարների ցանկով նախատեսված են արագացման գործակիցներ:
ա) Գույքի նկատմամբ իրավունքների պետական գրանցման աշխատանքների ժամանակ սեփականատիրոջ, օգտագործողի պատվերով չափագրության, տեղազննության, կամերալ աշխատանքները կարող են կատարվել դիմումը ստանալու օրվանից սկսած 3-րդ, 5-րդ օրը՝ սահմանված վճարների նկատմամբ կիրառելով համապատասխանաբար 3 և 2 գործակիցներ:
բ) Տեղեկատվությունը տրամադրվում է դիմումը ներկայացնելուց հետո երեք աշխատանքային օրվա ընթացքում: Պատվիրատուի պահանջով տեղեկատվությունը կարող է տրամադրվել 1 աշխատանքային օրում սահմանված վճարի վրա կիրառելով 2 գործակից և 2 աշխատանքային օրում՝ կիրառելով՝ 1.5 գործակից:
Աշխատանքների կատարման և ծառայությունների մատուցման ժամկետները հաշվարկվում են աշխատանքային օրերով:
Ձև N 1
| Հայաստանի Հանրապետության կառավարությանն առընթեր անշարժ գույքի կադաստրի պետական կոմիտեի` |
Մ Ի Ա Ս Ն Ա Կ Ա Ն |
| |||
|
_______________________ |
Անշարժ գույքի և դրա նկատմամբ գրանցված իրավունքների ու սահմանափակումների վերաբերյալ |
Տեղեկանքը ուժի մեջ է 15 օր | |||
| Գույքի նկատմամբ իրավունքների պետական գրանցման միասնական մատյան N |
|
Թերթիկ N |
| ||
| Անշարժ գույքի գտնվելու վայրը, հասցեն |
|
Ծածկագիր` |
| ||
|
Անշարժ գույք |
Հողամաս |
Շենք, շինություններ | |||||||
|
Հ/Հ |
Սեփականա- |
Իրա- |
Նպատա- |
Մակե- |
կադաստ- |
Իրա- |
Նպատա- |
Օգտագործման |
Մակերեսը (քմ) |
|
|
|
|
|
|
|
|
|
|
|
|
|
|
|
|
|
|
|
|
|
|
|
|
|
|
|
|
|
|
|
|
|
|
|
|
|
|
|
|
|
|
|
|
|
|
|
|
|
|
|
|
|
|
|
|
|
|
|
|
|
|
|
|
|
|
|
|
|
|
|
|
|
|
|
|
|
|
|
|
|
|
|
|
|
|
|
|
|
Գույքի նկատմամբ սահմանափակումներ | |||||||||
|
Հ/Հ |
Սահմանափակման տեսակը |
Սահմանափակման բնույթը
|
Ում կողմից է կիրառվել |
Իրավունքը հաստատող փաստաթղթի անվանումը |
Գործողու- թյան ժամկետը |
Գրանցման ամսաթիվը
| |||
|
|
|
|
|
|
|
| |||
|
|
|
|
|
|
|
| |||
|
|
|
|
|
|
|
| |||
|
|
|
|
|
||||||
| Լրացուցիչ տեղեկություններ` | _________________________________ |
| _________________________________ |
| Տրամադրվում է | _____________________ | Ղեկավար` |
________ |
________ |
| Անունը, Հայրանունը, Ազգանունը, (անվանումը) |
(ստորագրությունը) |
(Անունը, Ազգանունը) | ||
| Տրամադրման ամսաթիվը` | ___ ___________ 200 թ. |
Կ.Տ. |
||
| Ժամը, րոպեն` | _____________ |
Ձև N 2
Տ Ե Ղ Ե Կ Ա Ն Ք
Հայաստանի Հանրապետության
կառավարությանն առընթեր
անշարժ գույքի կադաստրի պետական կոմիտեի
__________տարածքային ստորաբաժանում
|
Տրամադրվում է______________________________________________ |
|
անունը, հայրանունը, ազգանունը (անվանումը) |
|
________________________________________________________ |
|
________________________________________________________ |
|
________________________________________________________ |
|
________________________________________________________ |
|
________________________________________________________ |
|
________________________________________________________ |
|
Տրամադրման ամսաթիվը |
Ղեկավար՝ |
__________ |
__________ |
|
(ստորագրություն) |
(անուն, ազգանուն) | ||
|
Կ.Տ |
|||
|
___ ___________200 թ. |
|||
|
ժամը‚ րոպեն՝________ |
Ձև N 3
Տ Ե Ղ Ե Կ Ա Ն Ք
|
Հայաստանի Հանրապետության կառավարությանն առընթեր անշարժ գույքի կադաստրի պետական կոմիտեի _________________________ |
| (ստորաբաժանման անվանումը) |
|
Տրամադրվում է_____________________________________________-ին |
|
(անունը, հայրանունը, ազգանունը (անվանումը) |
|
_____________մարզի ________________համայնքի________________ |
|
(հատվածի անվանումը) |
|
կադաստրային քարտեզը: |
|
● Տրամադրված թերթերի թիվը ______________ |
|
● Քարտեզի մասշտաբը ___________________ |
|
|
|
__________________________ |
|
(ստորագրություն) |
|
Կ.Տ |
|
__________________________ |
|
(անուն, ազգանուն) |
|
___ __________________200 թ. |
|
ժամը __________________ |