ՀԱՅԱՍՏԱՆԻ ՀԱՆՐԱՊԵՏՈՒԹՅԱՆ ԿԱՌԱՎԱՐՈՒԹՅՈՒՆ
Ո Ր Ո Շ ՈՒ Մ
18 օգոստոսի 2022 թվականի N 1302-Ն
ՀԱՅԱՍՏԱՆԻ ՀԱՆՐԱՊԵՏՈՒԹՅԱՆ ԿԱՌԱՎԱՐՈՒԹՅԱՆ 2014 ԹՎԱԿԱՆԻ ՆՈՅԵՄԲԵՐԻ 6-Ի N 1244-Ն ՈՐՈՇՄԱՆ ՄԵՋ ՓՈՓՈԽՈՒԹՅՈՒՆՆԵՐ ԵՎ ԼՐԱՑՈՒՄՆԵՐ ԿԱՏԱՐԵԼՈՒ ՄԱՍԻՆ
Ղեկավարվելով «Նորմատիվ իրավական ակտերի մասին» օրենքի 33-րդ հոդվածի, 34-րդ հոդվածի 1-ին մասի պահանջներով՝ Հայաստանի Հանրապետության կառավարությունը որոշում է.
1. Հայաստանի Հանրապետության կառավարության 2014 թվականի նոյեմբերի 6-ի «Հյուսիս-հարավ ճանապարհային միջանցքի ներդրումային ծրագրի Տրանշ 3-ի շրջանակներում որոշ տարածքների նկատմամբ բացառիկ` գերակա հանրային շահ ճանաչելու մասին» N 1244-Ն որոշման (այսուհետ՝ որոշում) մեջ կատարել հետևյալ փոփոխությունները և լրացումները`
1) որոշման նախաբանում և որոշման 3-րդ կետի 4-րդ ենթակետում «Հասարակության և պետության կարիքների համար սեփականության օտարման մասին» բառերը փոխարինել «Հանրության գերակա շահերի ապահովման նպատակով սեփականության օտարման մասին» բառերով․
2) որոշման 2-րդ կետը լրացնել հետևյալ բովանդակությամբ նոր՝ 3-րդ ենթակետով․
«3) Լանջիկ-Գյումրի ճանապարհահատվածի կմ 91+800, կմ 100+800 – կմ 101+475, կմ110+100 – կմ111+675, կմ 111+990-կմ112+000, կմ 113+010-կմ113+040 հատվածների համար հանրության գերակա շահ ճանաչված տարածքների օտարման գոտին՝ համաձայն N 3 հավելվածի:».
3) որոշման 3-րդ կետի 1-ին ենթակետում «Հյուսիս-հարավ ճանապարհային միջանցքի ներդրումային ծրագրի իրականացման կազմակերպություն» պետական ոչ առևտրային կազմակերպությունը» բառերը փոխարինել «Ճանապարհային դեպարտամենտ» հիմնադրամ» բառերով․
4) որոշման 3-րդ կետը լրացնել հետևյալ բովանդակությամբ նոր՝ 2.1-ին ենթակետով.
«2.1) սույն որոշման N 1 հավելվածի 375.1-375.8-րդ, 531.4-րդ, 671․8-րդ, 883.10-883.85-րդ, 1020-1021-րդ կետերում նշված հողամասերի մասով սեփականության oտարման գործընթացն սկսելու վերջնաժամկետը 2023 թվականի ապրիլի 30-ն է.»․
5) որոշման 3-րդ կետի 3-րդ ենթակետում «տրանսպորտի և կապի» բառերը փոխարինել «տարածքային կառավարման և ենթակառուցվածքների» բառերով․
6) որոշման N 1 հավելվածում՝
ա. «ՀՀ Շիրակի մարզ, Լանջիկ համայնք» բաժինը լրացնել հետևյալ բովանդակությամբ նոր՝ 375.1-375.8-րդ կետերով.
| « |
|
», |
բ. «ՀՀ Շիրակի մարզ, Ձորակապ համայնք» բաժինը լրացնել հետևյալ բովանդակությամբ նոր՝ 531.4-րդ կետով.
| « |
|
», |
գ. «ՀՀ Շիրակի մարզ, Հայրենյաց համայնք» բաժինը լրացնել հետևյալ բովանդակությամբ նոր՝ 671.8-րդ կետով.
| « |
|
», |
դ. «ՀՀ Շիրակի մարզ, Բենիամին համայնք» բաժինը լրացնել հետևյալ բովանդակությամբ նոր՝ 883.10-883.85-րդ կետերով.
| « |
|
», |
ե. «ՀՀ Շիրակի մարզ, Ազատան համայնք» բաժինը լրացնել հետևյալ բովանդակությամբ նոր՝ 1020-րդ, 1021-րդ կետերով.
| « |
|
». |
7) որոշումը լրացնել նոր՝ N 3 հավելվածով՝ համաձայն հավելվածի:
2. Սույն որոշումն ուժի մեջ է մտնում պաշտոնական հրապարակման օրվան հաջորդող տասներորդ օրը:
|
Հայաստանի Հանրապետության |
Ն. ՓԱՇԻՆՅԱՆ |
|
Երևան |
|
18.08.2022 ՀԱՎԱՍՏՎԱԾ Է ԷԼԵԿՏՐՈՆԱՅԻՆ ՍՏՈՐԱԳՐՈՒԹՅԱՄԲ |
|
Հավելված ՀՀ կառավարության 2022 թվականիօգոստոսի 18-ի N 1302-Ն որոշման |
|
«Հավելված N 3 ՀՀ կառավարության 2014 թվականի նոյեմբերի 6-ի N 1244-Ն որոշման |
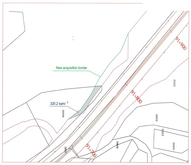
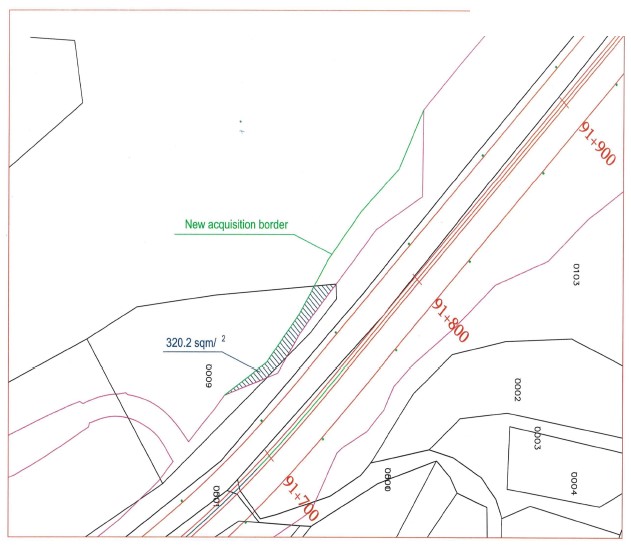
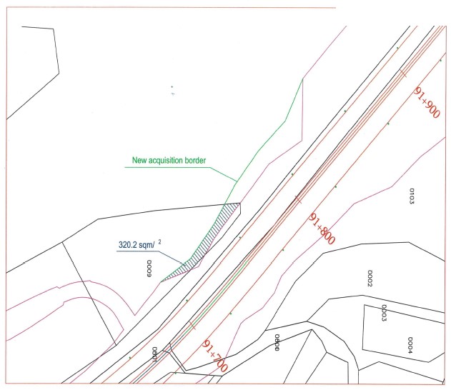
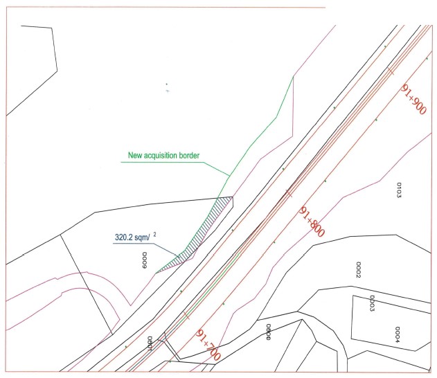
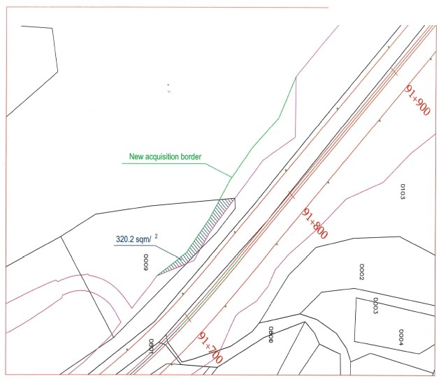
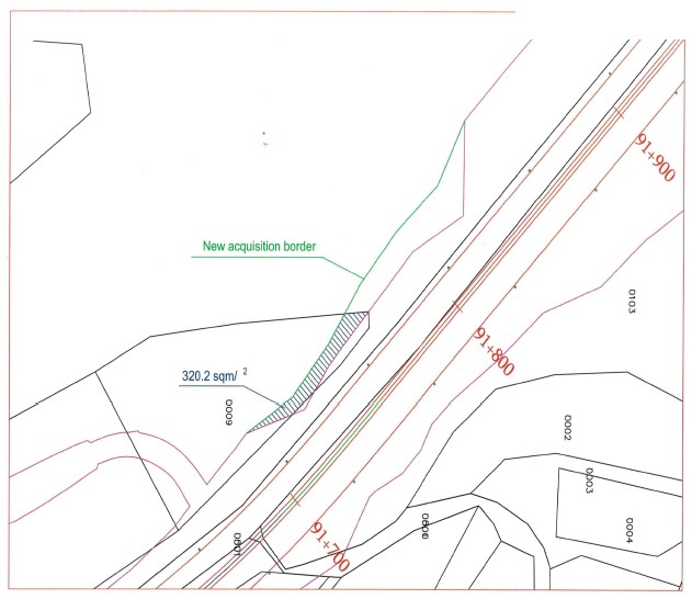
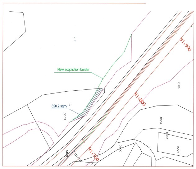
ՕՏԱՐՄԱՆ ԳՈՏԻ
Լանջիկ-Գյումրի ճանապարհահատվածի կմ 91+800, կմ 100+800 – կմ 101+475, կմ 110+100 – կմ 111+675, կմ 111+990- կմ 112+000, կմ113+010- կմ113+040 հատվածների համար հանրության գերակա շահ ճանաչված տարածքների
| »: |
|
Հայաստանի Հանրապետության |
Բ. Բադալյան |
|
18.08.2022 ՀԱՎԱՍՏՎԱԾ Է ԷԼԵԿՏՐՈՆԱՅԻՆ ՍՏՈՐԱԳՐՈՒԹՅԱՄԲ |
Պաշտոնական հրապարակման օրը՝ 18 օգոստոսի 2022 թվական: