«Վավերացնում եմ»
Հայաստանի Հանրապետության
Նախագահ Ռ. Քոչարյան
27 հունիսի 2005 թ.
ՀԱՅԱՍՏԱՆԻ ՀԱՆՐԱՊԵՏՈՒԹՅԱՆ ԿԱՌԱՎԱՐՈՒԹՅՈՒՆ
Ո Ր Ո Շ ՈՒ Մ
9 հունիսի 2005 թվականի N 797-Ն
ՀԱՅԱՍՏԱՆԻ ՀԱՆՐԱՊԵՏՈՒԹՅԱՆ ԱՐԱԳԱԾՈՏՆԻ ՄԱՐԶԻ ԲԵՐՔԱՌԱՏԻ ԳՅՈՒՂԱԿԱՆ ՀԱՄԱՅՆՔԻ ՎԱՐՉԱԿԱՆ ՍԱՀՄԱՆՆԵՐԻ ՆԿԱՐԱԳԻՐԸ ՀԱՍՏԱՏԵԼՈՒ ԵՎ ԲԵՐՔԱՌԱՏԻ ԳՅՈՒՂԱԿԱՆ ՀԱՄԱՅՆՔԻ ՎԱՐՉԱԿԱՆ ՍԱՀՄԱՆՆԵՐՈՒՄ ԳՏՆՎՈՂ` ՊԵՏԱԿԱՆ ՍԵՓԱԿԱՆՈՒԹՅՈՒՆ ՀԱՆԴԻՍԱՑՈՂ ՀՈՂԱՄԱՍԵՐՆ ԱՆՀԱՏՈՒՅՑ ՍԵՓԱԿԱՆՈՒԹՅԱՆ ԻՐԱՎՈՒՆՔՈՎ ՀԱՄԱՅՆՔԻՆ ՓՈԽԱՆՑԵԼՈՒ ՄԱՍԻՆ
Հայաստանի Հանրապետության հողային օրենսգրքի 34-րդ ու 56-րդ, «Տեղական ինքնակառավարման մասին» Հայաստանի Հանրապետության օրենքի 6-րդ, 47-րդ ու 84-րդ և «Հայաստանի Հանրապետության վարչատարածքային բաժանման մասին» Հայաստանի Հանրապետության օրենքի 6-րդ հոդվածների պահանջներին համապատասխան` Հայաստանի Հանրապետության կառավարությունը որոշում է.
1. Հաստատել Հայաստանի Հանրապետության Արագածոտնի մարզի Բերքառատի գյուղական համայնքի սահմանների նկարագիրը` համաձայն NN 1 և 2 հավելվածների:
2. Հայաստանի Հանրապետության Արագածոտնի մարզի Բերքառատի գյուղական համայնքի վարչական սահմաններում գտնվող՝ պետական սեփականություն հանդիսացող 566.26 հեկտար հողամասերից 565.1 հեկտարը, որից՝ գյուղատնտեսական նշանակության՝ 531.35 հեկտար, բնակավայրերի հողերի՝ 16.29 հեկտար, արդյունաբերության, ընդերքօգտագործման և այլ արտադրական նշանակության օբյեկտների՝ 14.24 հեկտար, էներգետիկայի, տրանսպորտի, կապի և կոմունալ ենթակառուցվածքների օբյեկտների՝ 0.06 հեկտար, հատուկ պահպանվող տարածքների՝ 1.59 հեկտար, ջրային հողերի՝ 1.57 հեկտար, անհատույց սեփականության իրավունքով փոխանցել Բերքառատի գյուղական համայնքին՝ համաձայն NN 3, 4, 5 և 6 հավելվածների:
3. Սահմանել, որ Հայաստանի Հանրապետության հողային օրենսգրքի 60-րդ հոդվածի պահանջներին համապատասխան՝
ա) Հայաստանի Հանրապետության Արագածոտնի մարզի Բերքառատի գյուղական համայնքին անհատույց սեփականության իրավունքով փոխանցվող 565.1 հեկտար հողերից 28.8 հեկտարը մասնավորեցման ենթակա չէ.
բ) Հայաստանի Հանրապետության Արագածոտնի մարզի Բերքառատի գյուղական համայնքի վարչական սահմաններում գտնվող հողերից 1.16 հեկտարը համարվում է պետական սեփականություն՝ համաձայն N 7 հավելվածի:
4. Ընդունել ի գիտություն Հայաստանի Հանրապետության Արագածոտնի մարզի Բերքառատի գյուղական համայնքի հողային ֆոնդի առկայության և բաշխման մասին հաշվետվությունը՝ 2005 թվականի հունվարի 1-ի դրությամբ՝ համաձայն N 8 հավելվածի:
5. Հայաստանի Հանրապետության կառավարությանն առընթեր անշարժ գույքի կադաստրի պետական կոմիտեի նախագահին` սահմանված կարգով ապահովել սկզբնական հաշվառման նյութերի տրամադրումը Հայաստանի Հանրապետության Արագածոտնի մարզի Բերքառատի գյուղական համայնքի ղեկավարին՝ հողերի ընթացիկ հաշվառումն անցկացնելու և համայնքի հողային հաշվեկշիռը կազմելու համար:
6. Թույլատրել Հայաստանի Հանրապետության կառավարությանն առընթեր անշարժ գույքի կադաստրի պետական կոմիտեի նախագահին Հայաստանի Հանրապետության պետական գեոդեզիական ցանցի հավասարակշռման արդյունքների հիման վրա Հայաստանի Հանրապետության վարչատարածքային միավորների սահմանանիշերի կոորդինատների ժողովածուի հրատարակումից հետո հողային ֆոնդի ընթացիկ հաշվառման ժամանակ Բերքառատի գյուղական համայնքի հողային հաշվեկշռում սահմանված կարգով կատարել համապատասխան փոփոխություններ:
7. Հայաստանի Հանրապետության Արագածոտնի մարզպետին՝ Հայաստանի Հանրապետության կառավարության 2000 թվականի հոկտեմբերի 23-ի N 656 որոշմամբ սահմանված կարգով՝ սկզբնական հաշվառման տվյալների հիման վրա ապահովել մարզի տարածքում ընթացիկ հաշվառման աշխատանքների իրականացումը:
8. Սույն որոշումն ուժի մեջ է մտնում պաշտոնական հրապարակմանը հաջորդող օրվանից։
|
|
Ա. Մարգարյան |
|
|
|
| |
|
| |
Հայաստանի Հանրապետության կառավարության աշխատակազմի ղեկավար-նախարար |
Մ. Թոփուզյան |
|
| |
|
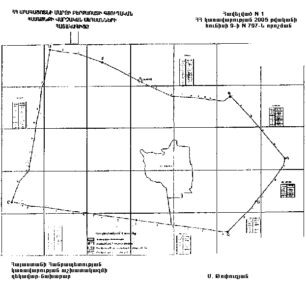
Բերքառատի գյուղական համայնքը գտնվում է մարզի հյուսիսային մասում: Հեռավորությունը մարզկենտրոն ք. Աշտարակից 63 կմ է: Համայնքը հյուսիսից «Ա»-«Բ» հատվածով սահմանակից է Լեռնապար համայնքին, «Բ»-«Գ» հատվածով Ծիլքար համայնքին, հյուսիս-արևելքից` «Գ»-«Դ» հատվածով` Գեղարոտ համայնքին, արևելքից` «Դ»-«Ե» հատվածով` Վարդաբլուր համայնքին, հարավ-արևելքից` «Ե»-«Զ» հատվածով Ամրե թազա համայնքին, հարավից` «Զ»-«Է» հատվածով Գեղաձոր համայնքին, «Է»-«Ը» հատվածով Հնաբերդ համայնքին և արևմուտքից` «Ը»-«Ա» հատվածով Նորաշեն համայնքին: ԲԵՐՔԱՌԱՏ-ԼԵՌՆԱՊԱՐ ՍԱՀՄԱՆԱԳԻԾԸ` «Ա»-«Բ»
Բերքառատ, Նորաշեն և Լեռնապար համայնքների տարածքների բաժանման «Ա» հանգուցային կետից, սահմանագիծն իջնում է հարավ-արևելք 1257.3 մ հասնում «Բ» հանգուցային կետին: «Ա»-«Բ» սահմանագծի ընդհանուր երկարությունը` 1257.3 մ է: ԲԵՐՔԱՌԱՏ-ԾԻԼՔԱՐ ՍԱՀՄԱՆԱԳԻԾԸ` «Բ»-«Գ»
Բերքառատ, Լեռնապար և Ծիլքար գյուղական համայնքների տարածքների բաժանման «Բ» հանգուցային կետից, սահմանագիծը թեքվում է դեպի հարավ-արևելք` անցնելով թիվ 1 կետով իջնում 688.6 մ հասնում Բերքառատ-Լեռնապար դաշտային ճանապարհի եզրին գտնվող թիվ 2 կետին, որից շարունակվում իջնել նույն ուղղությամբ անցնելով թիվ 3, 4 կետերով 1110.7 մ հասնում է թիվ 5 կետը: Այստեղից սահմանագիծը թեքվում է դեպի արևելք, լանջով իջնում թիվ 6, 7 կետերով 786.5 մ հասնում Բերքառատ-Ծիլքար դաշտային ճանապարհի ձախ եզրին գտնվող թիվ 8 կետին, որից շարունակվում է նույն ուղղությամբ 125.4 մ մինչև թիվ 9 կետը և անցնելով 488.3 մ հասնում «Գ» հանգուցային կետին, որը հանդիսանում է Բերքառատ, Ծիլքար և Գեղարոտ գյուղական համայնքների տարածքների բաժանման կետ: «Բ»-«Գ» սահմանագծի ընդհանուր երկարությունը 3199.6 մ է: ԲԵՐՔԱՌԱՏ-ԳԵՂԱՐՈՏ ՍԱՀՄԱՆԱԳԻԾԸ` «Գ»-«Դ»
Բերքառատ, Ծիլքար և Գեղարոտ գյուղական համայնքների տարածքների բաժանման «Գ» հանգուցային կետից, սահմանագիծը թիվ 1-3 կետերով անցնում է 1093.1 մ դեպի հարավ-արևելք մինչև թիվ 4 կետը, որտեղ այն հատվում է Բերքառատ-Գեղարոտ դաշտամիջյան ճանապարհի հետ, որից հետո նույն ուղղությամբ անցնելով 425.0 մ հասնում է թիվ 5 կետին, անցնելով 428.8 մ դեպի հարավ-արևելք հասնում է «Դ» հանգուցային կետին, որը հանդիսանում է Բերքառատ, Գեղարոտ և Վարդաբլուր գյուղական համայնքների տարածքների բաժանման կետ: «Գ»-«Դ» սահմանագծի ընդհանուր երկարությունը 1946.9 մ է: ԲԵՐՔԱՌԱՏ-ՎԱՐԴԱԲԼՈՒՐ ՍԱՀՄԱՆԱԳԻԾԸ` «Դ»-«Ե»
Բերքառատ, Գեղարոտ և Վարդաբլուր գյուղական համայնքների տարածքների բաժանման «Դ» հանգուցային կետից, որը գտնվում է առվի աջ ափին, Ամրե թազա- Գեղարոտ ճանապարհի ձախ կողմում, սահմանագիծը առվով բարձրանում է դեպի հարավ, անցնում 173.1 մ հասնում թիվ 1 կետին, որը գտնվում է Բերքառատ-Վարդաբլուր դաշտային ճանապարհի հատման կետում, որից թեքվում է հարավ-արևմուտք առվի հունով բարձրանում 1052.2 մ մինչև «Ե» հանգուցային կետը, որը հանդիսանում է Բերքառատ, Վարդաբլուր և Ամրե թազա գյուղական համայնքների տարածքների բաժանման կետ: «Դ»-«Ե» սահմանագծի ընդհանուր երկարությունը 1223.3 մ է: ԲԵՐՔԱՌԱՏ-ՎԱՐԴԱԲԼՈՒՐ ՍԱՀՄԱՆԱԳԻԾԸ` «Ե»-«Զ»
Բերքառատ, Վարդաբլուր և Ամրե թազա գյուղական համայնքների տարածքների բաժանման »Ե» հանգուցային կետից, սահմանագիծը անցնելով 186.9 մ դեպի հարավ-արևմուտք, ապա նույն ուղղությամբ անցնելով 783.5 մ հասնում է «Զ» հանգուցային կետին, որը հանդիսանում է Բերքառատ, Ամրե թազա և Գեղաձոր գյուղական համայնքների տարածքների բաժանման կետ: «Ե»-«Զ» սահմանագծի ընդհանուր երկարությունը 970.4 մ է: ԲԵՐՔԱՌԱՏ-ԳԵՂԱՁՈՐ ՍԱՀՄԱՆԱԳԻԾԸ` «Զ»-«Է» Բերքառատ, Հնաբերդ և Գեղաձոր գյուղական համայնքների տարածքների բաժանման «Է» հանգուցային կետից, որը գտնվում է Բերքառատ-Հնաբերդ դաշտային ճանապարհի եզրին, սահմանագիծը անցնելով հարավ-արևելք թիվ 1 կետով 846.6 մ հատելով Բերքառատ տանող ասֆալտապատ ճանապարհը հասնում է թիվ 2 կետին, որից հետո անցնելով 1280.2 մ սահմանագիծը հասնում է «Զ» հանգուցային կետին, որը հանդիսանում է Բերքառատ, Ամրե թազա և Գեղաձոր գյուղական համայնքների տարածքների բաժանման կետ: «Զ»-«Է» սահմանագծի ընդհանուր երկարությունը 2126.8 մ է: ԲԵՐՔԱՌԱՏ-ՀՆԱԲԵՐԴ ՍԱՀՄԱՆԱԳԻԾԸ` «Է»-«Ը»
Բերքառատ, Նորաշեն, Գեղադիր և Հնաբերդ գյուղական համայնքների տարածքների բաժանման «Ը» հանգուցային կետից, սահմանագիծը թիվ 1-6 կետերով լանջով իջնում է 1946.2 մ հարավ-արևելք, հասնում թիվ 7 կետը, որը գտնվում է Բերքառատ-Հնաբերդ դաշտամիջյան ճանապարհի եզրին, որից հետո նույն ուղղությամբ անցնելով 988.4 մ հասնում է «Է» հանգուցային կետին, որը հանդիսանում է Բերքառատ, Հնաբերդ և Գեղաձոր գյուղական համայնքների տարածքների բաժանման կետ: «Է»-«Ը»սահմանագծի ընդհանուր երկարությունը 2934.6 մ է: ԲԵՐՔԱՌԱՏ-ՆՈՐԱՇԵՆ ՍԱՀՄԱՆԱԳԻԾԸ` «Ը»-«Ա»
«Ա» հանգուցային կետից, սահմանագիծը թեքվում է հարավ-արևմուտք և անցնում թիվ 1-2 կետերով 923.9 մ հատելով դաշտային ճանապարհներ հասնում թիվ 3 կետին, որից շարժվելով նույն ուղղությամբ թիվ 4-7 կետերով 1991.8 մ հասնում է թիվ 8 կետը, ապա նորից թեքվում է հարավ-արևմուտք, լանջով իջնում 328.3 մ հասնում թիվ 9 կետին, անցնելով 517.8 մ հարթ տարածքով հասնում է Նորաշեն, Բերքառատ, Հնաբերդ և Գեղադիր համայնքների տարածքների բաժանման «Ը» հանգուցային կետին, որը հանդիսանում է Բերքառատ, Նորաշեն, Գեղադիր և Հնաբերդ գյուղական համայնքների տարածքների բաժանման կետ: «Ը»-«Ա» սահմանագծի ընդհանուր երկարությունը 3761.8 մ է: | |
Հայաստանի Հանրապետության կառավարության աշխատակազմի ղեկավար-նախարար |
Մ. Թոփուզյան |
|
| |
|
| |
Հայաստանի Հանրապետության կառավարության աշխատակազմի ղեկավար-նախարար |
Մ. Թոփուզյան |
|
| |
|
| |
Հայաստանի Հանրապետության կառավարության աշխատակազմի ղեկավար-նախարար |
Մ. Թոփուզյան |
|
| |
|
| |
Հայաստանի Հանրապետության կառավարության աշխատակազմի ղեկավար-նախարար |
Մ. Թոփուզյան |
|
| |
|
| |
Հայաստանի Հանրապետության կառավարության աշխատակազմի ղեկավար-նախարար |
Մ. Թոփուզյան |
|
| |
|
| |
Հայաստանի Հանրապետության կառավարության աշխատակազմի ղեկավար-նախարար |
Մ. Թոփուզյան |
|
| |
|
| |
Հայաստանի Հանրապետության կառավարության աշխատակազմի ղեկավար-նախարար |
Մ. Թոփուզյան |