«Վավերացնում եմ»
Հայաստանի Հանրապետության
Նախագահ Ռ. Քոչարյան
9 դեկտեմբերի 2006 թ.
ՀԱՅԱՍՏԱՆԻ ՀԱՆՐԱՊԵՏՈՒԹՅԱՆ ԿԱՌԱՎԱՐՈՒԹՅՈՒՆ
Ո Ր Ո Շ ՈՒ Մ
26 հոկտեմբերի 2006 թվականի N 1699-Ն
ՃԱՆԱՊԱՐՀԱՅԻՆ ԼՈՒՍԱՑՈՒՅՑՆԵՐԻՆ ՆԵՐԿԱՅԱՑՎՈՂ ՊԱՀԱՆՋՆԵՐԸ, ԴՐԱՆՑ ԿԻՐԱՌՄԱՆ ՈՒ ՏԵՂԱԿԱՅՄԱՆ ԿԱՆՈՆՆԵՐԸ ԵՎ ՃԱՆԱՊԱՐՀԱՅԻՆ ՆՇԱՆՆԵՐԻՆ ՆԵՐԿԱՅԱՑՎՈՂ ՊԱՀԱՆՋՆԵՐԸ, ԴՐԱՆՑ ԿԻՐԱՌՄԱՆ ՈՒ ՏԵՂԱԿԱՅՄԱՆ ԿԱՆՈՆՆԵՐԸ ՀԱՍՏԱՏԵԼՈՒ ՄԱՍԻՆ
«Իրավական ակտերի մասին» Հայաստանի Հանրապետության օրենքի 14-րդ հոդվածի 3-րդ մասին համապատասխան` Հայաստանի Հանրապետության կառավարությունը որոշում է.
ա) ճանապարհային լուսացույցներին ներկայացվող պահանջները, դրանց կիրառման ու տեղակայման կանոնները` համաձայն N 1 հավելվածի.
բ) լուսացույցների տիպերը և կատարումը` համաձայն N 2 հավելվածի.
գ) ճանապարհային նշաններին ներկայացվող պահանջները, դրանց կիրառման ու տեղակայման կանոնները` համաձայն N 3 հավելվածի:
2. Սույն որոշումն ուժի մեջ է մտնում պաշտոնական հրապարակման օրվան հաջորդող տասներորդ օրը:
|
Հայաստանի Հանրապետության |
Ա. Մարգարյան |
|
|
|
Հավելված N 1 |
ՃԱՆԱՊԱՐՀԱՅԻՆ ԼՈՒՍԱՑՈՒՅՑՆԵՐԻՆ ՆԵՐԿԱՅԱՑՎՈՂ ՊԱՀԱՆՋՆԵՐԸ, ԴՐԱՆՑ ԿԻՐԱՌՄԱՆ ՈՒ ՏԵՂԱԿԱՅՄԱՆ ԿԱՆՈՆՆԵՐԸ
I. ԸՆԴՀԱՆՈՒՐ ԴՐՈՒՅԹՆԵՐ
1. Ճանապարհային լուսացույցներին ներկայացվող պահանջներով, դրանց կիրառման ու տեղակայման կանոններով (այսուհետ` կանոններ) սահմանվում են Հայաստանի Հանրապետության ավտոմոբիլային ճանապարհներին, բնակավայրերի փողոցներում (այսուհետ` ճանապարհներ) տեղակայվող ճանապարհային լուսացույցների դասակարգումը, տեխնիկական պահանջները, շահագործական վիճակը, կիրառման ու տեղակայման կանոնները, աշխատանքի ռեժիմները:
2. Սույն կանոնների պահանջների կատարումը պարտադիր է Հայաստանի Հանրապետության ճանապարհներին տրանսպորտային միջոցների և հետիոտների երթևեկության կարգավորման նախագծերի մշակման, ճանապարհային լուսացույցների տեղակայման ու շահագործման աշխատանքների կատարման ժամանակ:
Սույն կանոնների գործողությունը տարածվում է Հայաստանի Հանրապետության ընդհանուր օգտագործման բոլոր ճանապարհների վրա` անկախ սեփականության ձևից:
3. Սույն կանոններում օգտագործվում են հետևյալ հասկացությունները`
ճանապարհային լուսացույց (այսուհետ` լուսացույց)` ճանապարհային երթևեկության կազմակերպման տեխնիկական միջոց (լուսաազդանշանային հարմարանք), որը նախատեսված է ճանապարհային երթևեկությունը կարգավորելու համար.
լուսացուցային օբյեկտ` լուսացույցների խումբ, որը տեղակայված է ճանապարհային ցանցի տեղամասում, որտեղ ընդհատվող տրանսպորտային հոսքերի կամ տրանսպորտային և հետիոտնային հոսքերի երթևեկության հերթականությունը կարգավորվում է լուսացուցային ազդանշանով:
Սույն կանոններում օգտագործվող մյուս հասկացությունները համապատասխանում են «Ավտոմոբիլային ճանապարհների մասին» և «Ճանապարհային երթևեկության անվտանգության ապահովման մասին» Հայաստանի Հանրապետության օրենքներում օգտագործված հասկացություններին:
4. Հայաստանի Հանրապետության ճանապարհներին տեղակայվող լուսացույցները, դրանց ներկայացվող տեխնիկական պահանջները պետք է համապատասխանեն սույն կանոնների և ԳՕՍՏ Ռ 52282-2004 «Ճանապարհային երթևեկության կազմակերպման տեխնիկական միջոցներ. Ճանապարհային լուսացույցներ. Տիպերը և հիմնական պարամետրերը. Ընդհանուր տեխնիկական միջոցները. Փորձարկման մեթոդները» ստանդարտի պահանջներին:
II. ԼՈՒՍԱՑՈՒՅՑՆԵՐԻՆ, ԴՐԱՆՑ ՇԱՀԱԳՈՐԾԱԿԱՆ ՎԻՃԱԿԻՆ ԵՎ ԿԻՐԱՌՄԱՆ ԿԱՐԳԻՆ ՆԵՐԿԱՅԱՑՎՈՂ ԸՆԴՀԱՆՈՒՐ ՊԱՀԱՆՋՆԵՐԸ
5. Լուսացույցի առանձին մասերը կամ դրա ամրացման տարրերը չպետք է ունենան վնասվածքներ և քայքայված տեղեր:
Լուսացիրը չպետք է ունենա ճաքեր և ջարդվածքներ:
Լուսացրի վրա կատարված պատկերանիշերը պետք է երևան առնվազն 50 մ հեռավորությունից:
Անդրադարձիչը չպետք է ունենա խախտումներ և քայքայված տեղեր, որոնք կառաջացնեն 50 մ հեռավորությունից տարբերվող պայծառության գոտու նվազեցում:
6. Շահագործման ընթացքում լուսացույցի ազդանշանի առանցքի ուղղությամբ լույսի ուժի նվազեցումը թույլատրվում է 30 տոկոսից ոչ ավելի:
7. Շարքից դուրս եկած լույսի աղբյուրը պետք է փոխվի թերությունների հայտնաբերումից հետո մեկ օրվա ընթացքում, իսկ լուսացույցի իրանի ներսի էլեկտրամոնտաժային սխեմայի կամ էլեկտրական մալուխի վնասվածքները` երեք օրվա ընթացքում:
Լուսացույցների անսարքությունները վերացվում են օրենքով ընտրված կապալառու կազմակերպությունների կողմից:
8. ԳՕՍՏ 25695-91 «Ճանապարհային լուսացույցներ. Տիպերը. Հիմնական պարամետրերը» ստանդարտի համաձայն շահագործման մեջ գտնվող լուսացույցները ԳՕՍՏ Ռ 52282-2004 ստանդարտով նախատեսված լուսացույցներով փոխարինվում են սույն կանոնների 7-րդ կետին համապատասխան:
9. Լուսացույցները կիրառվում են տրանսպորտային միջոցների և հետիոտների անցման հերթականությունը կարգավորելու, ինչպես նաև ճանապարհների վտանգավոր տեղամասերը նշելու համար:
10. Թույլատրվում է լուսացույցները կիրառել այն դեպքում, երբ դրանց կիրառման անհրաժեշտությունը հիմնավորված է երթևեկության տվյալ պայմաններով:
11. Լուսացույցներն այնպես պետք է տեղաբաշխել, որպեսզի դրանք ընկալվեն երթևեկության մասնակիցների կողմից, չծածկվեն որևէ խոչընդոտով (գովազդ, կանաչ տնկիներ, ծառերի ճյուղեր, արտաքին լուսավորության հենասյուներ և այլն), ապահովեն սպասարկման հարմարավետությունը և բացառեն դրանց վնասվելու հավանականությունը:
12. Լուսացույցի կիրառումը կարող է կրել ժամանակավոր բնույթ (ճանապարհի շինարարական-նորոգման աշխատանքների, ճանապարհային պայմանների եղանակային յուրահատկությունների դեպքում և այլն), որի անհրաժեշտությունն առաջացնող պատճառները վերացվելուց հետո դրանք պետք է ապամոնտաժվեն: Լուսացույցները կարող են ժամանակավորապես փակվել հատուկ ծածկոցներով:
III. ԼՈՒՍԱՑՈՒՅՑՆԵՐԻ ԿԻՐԱՌՄԱՆ ԿԱՆՈՆՆԵՐԸ
13. Տ(T).1 և Տ(T).1.հ (N 2 հավելված) լուսացույցները խաչմերուկներում կիրառվում են տվյալ ճանապարհով խաչմերուկին մոտենալիս` բոլոր թույլատրված ուղղություններով տրանսպորտային միջոցների միաժամանակյա անցման դեպքում և խաչմերուկների միջև տեղաբաշխված կարգավորվող հետիոտնային անցումների վրա:
Այդ լուսացույցների կիրառումը թույլատրվում է բնակավայրերում երկաթուղային գծանցներից (երկաթուղային գծանցները տնօրինող կազմակերպությունների համաձայնությամբ), տրամվայի գծերի հետ ճանապարհի փոխհատումներից, երթևեկելի մասի հետ հեծանվորդային արահետի փոխհատումներից առաջ, տրանսպորտային միջոցների հանդիպակաց հոսքերը հաջորդաբար բաց թողնելու համար` երթևեկելի մասի նեղացման տեղերում:
14. Տեխնիկական կամ տնտեսական նկատառումներով Տ(T).2 լուսացույցները չկիրառելու դեպքում Տ(T).1.ա, Տ(T).1.ձ և Տ(T).1.աձ լուսացույցները կիրառվում են տվյալ մոտեցումից որոշակի ուղղություններով տրանսպորտային միջոցների առանձին անցման համար:
15. Տ(T).2 լուսացույցները կիրառվում են որոշակի ուղղություններով երթևեկությունը կարգավորելու համար, երբ դրանց թույլատրող ազդանշանով երթևեկող տրանսպորտային հոսքը խաչմերուկի սահմաններում փոխհատումներ (հարակցումներ) չունի այլ ուղղություններով երթևեկող տրանսպորտային հոսքերի, ինչպես նաև հետիոտնային հոսքերի հետ (անկոնֆլիկտ կարգավորում): Այս դեպքում տրանսպորտային միջոցների երթևեկության յուրաքանչյուր ուղղությանը պետք է համապատասխանի իր լուսացույցը:
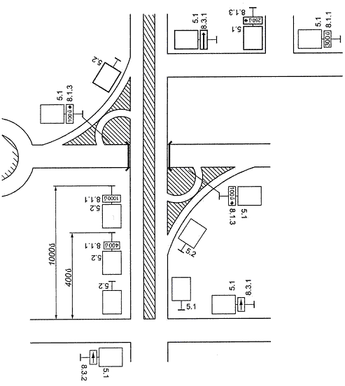
Տ(T).2 լուսացույցները թույլատրվում է կահավորել տվյալ լուսացույցով կարգավորվող երթևեկության ուղղությունները նշող սև սլաքի (սլաքների) պատկերով` 400 x 400 մմ չափսի, սպիտակ գույնի ցուցանակով (N 1 նկար):
Նկար N 1. Տարբեր տիպերի և կատարման լուսացույցների տեղաբաշխման օրինակներ
16. Ցանկացած կատարման Տ(T).1 և 300 մմ տրամագիծ ունեցող լուսացիրներով Տ(T).2 լուսացույցները տեղակայվում են`
ա) բնակավայրերից դուրս ճանապարհներին.
բ) արագընթաց ու կարգավորվող երթևեկությամբ մայրուղային ճանապարհներին և քաղաքային նշանակության ճանապարհներին ու հրապարակներում.
գ) տրանսպորտային միջոցների երթևեկության 60 կմ/ժ թույլատրելի արագությամբ քաղաքային և այլ կարգի ճանապարհներին:
Ցանկացած կատարման Տ(T).1 և 300 մմ («կարմիր» ազդանշան), 200 մմ («դեղին» և «կանաչ» ազդանշաններ) տրամագծեր ունեցող լուսացիրներով Տ(T).2 լուսացույցները տեղակայվում են երկրորդական ճանապարհներին` նշված ճանապարհների հետ փոխհատումներից առաջ:
Ցանկացած կատարման Տ(T).1 և 200 մմ տրամագիծ ունեցող լուսացիրներով Տ(T).2 լուսացույցները տեղակայվում են մնացած բոլոր դեպքերում:
17. Մինչև խաչմերուկը նույն մոտեցման Տ(T).1 (ցանկացած կատարման) և Տ(T).2 լուսացույցների համատեղ տեղակայումը թույլատրվում է, երբ Տ(T).1 լուսացույցներով կարգավորվող տրանսպորտային հոսքերը Տ(T).2 լուսացույցներով կարգավորվող հոսքերից բաժանված են բարձրացված ուղղորդ կղզյակներով, անվտանգության կղզյակներով կամ բաժանարար գոտիներով:
18. Տ(T).3 (ցանկացած կատարման) լուսացույցները կիրառվում են որպես Տ(T).1 (ցանկացած կատարման) լուսացույցների ազդանշանները կրկնող, եթե տվյալ ուղղությամբ երթևեկելի մասի եզրային գոտու վրա` «Կանգ» գծի մոտ կանգնող տրանսպորտային միջոցների վարորդների համար դրանց տեսանելիությունը դժվարացված է:
Տ(T).3 լուսացույցը Տ(T).9 լուսացույցի փոխարեն թույլատրվում է կիրառել ճանապարհի երթևեկելի մասի կամ կարգավորվող հետիոտնային անցման հետ հեծանվային արահետի փոխհատման տեղերում` հեծանվորդների երթևեկությունը կարգավորելու համար: Այս դեպքում լուսացույցը պետք է կահավորված լինի սև գույնի հեծանվի պատկերով` 200 x 200 մմ չափսի սպիտակ գույնի ցուցանակով:
19. Տ(T).4 (ցանկացած կատարման) լուսացույցները կիրառվում են դարձափոխային երթևեկություն կազմակերպելու դեպքում` երթևեկելի մասի առանձին գոտիներում երթևեկությունը կարգավորելու համար:
Արհեստական լուսավորությամբ թունելների մուտքերը կահավորվում են այդ լուսացույցներով, եթե թունելի երկարությունը 300 մ-ից ավելի է կամ գտնվում է հորիզոնական կորի վրա, ինչպես նաև` ելնելով երթևեկության անվտանգության պայմաններից:
20. Տ(T).5 լուսացույցները կիրառվում են միայն տրամվայների երթևեկության անկոնֆլիկտ կարգավորման, ինչպես նաև հատուկ առանձնացված գոտիով սահմանված երթուղով երթևեկող ավտոբուսների և տրոլեյբուսների համար:
21. Տ(T).6 (ցանկացած կատարման) լուսացույցները և Տ(T).10 լուսացույցները կիրառվում են երկաթուղային գծանցներով երթևեկության կարգավորման համար: Դրանց տեղադրման անհրաժեշտությունը որոշվում է` ելնելով երկաթուղային գծանցի` ճանապարհի հետ փոխհատման պայմաններից:
Բացի դրանից, Տ(T).6 (ցանկացած կատարման) լուսացույցները կիրառվում են բացված կամուրջներով երթևեկությունը կարգավորելու համար և լաստանավային անցումների կառաններում: Թույլատրվում է դրանք կիրառել օպերատիվ ծառայությունների տրանսպորտային միջոցների համար` դեպի ճանապարհ դուրս գալու մուտքի վայրերում:
22. Տ(T).7 լուսացույցները կիրառվում են չկարգավորվող խաչմերուկները և հետիոտնային անցումները նշելու համար:
23. Տ(T).8 լուսացույցները կիրառվում են ձեռնարկությունների և կազմակերպությունների ներքին տարածքներում երթևեկությունը կարգավորելու համար, ինչպես նաև երթևեկելի մասի ժամանակավոր նեղացման դեպքում` մեկ գոտիով դարձափոխային երթևեկություն կազմակերպելու համար:
24. Տ(T).9 լուսացույցները կիրառվում են ճանապարհի երթևեկելի մասի կամ կարգավորվող հետիոտնային անցման հետ հեծանվային արահետի փոխհատման տեղերում` հեծանվորդների երթևեկությունը կարգավորելու համար:
25. Հ(П).1 և Հ(П).2 լուսացույցները կիրառվում են կարգավորվող խաչմերուկներում և խաչմերուկներից դուրս հետիոտնային անցումներում ճանապարհն անցնող հետիոտների երթևեկությունը կարգավորելու համար:
300 մմ (300 x 300 մմ չափսի) տրամագիծ ունեցող լուսացիրներով լուսացույցները տեղակայվում են տվյալ ուղղությամբ երթևեկության համար չորս և ավելի գոտիներ ունեցող ճանապարհներին, 200 մմ (200 x 200 մմ չափսի) տրամագիծ ունեցող լուսացիրներով լուսացույցները` ավելի պակաս գոտիներ ունեցող ճանապարհներին:
26. Տ(T).1 (ցանկացած կատարման), Տ(T).2, Հ(П).1 և Հ(П).2 լուսացույցները կիրառվում են խաչմերուկներում և նույն մակարդակում տրանսպորտային հոսքերի, ինչպես նաև տրանսպորտային ու հետիոտնային հոսքերի փոխհատումների այլ տեղերում երթևեկությունը կարգավորելու համար: Նշված լուսացույցները կիրառվում են հետևյալ չորս պայմանից որևէ մեկի առկայության դեպքում`
1-ին պայման. Փոխհատվող ուղղությունների տրանսպորտային միջոցների երթևեկության ինտենսիվությունը շաբաթվա աշխատանքային օրվա ցանկացած 8 ժամվա ընթացքում պակաս չէ ստորև ներկայացված աղյուսակի մեծություններից:
2-րդ պայման. Ճանապարհի երկու ուղղությամբ տրանսպորտային միջոցների երթևեկության ինտենսիվությունը շաբաթվա աշխատանքային օրվա ցանկացած 8 ժամվա ընթացքում կազմում է առնվազն 600 միավոր/ժ (բաժանարար գոտի ունեցող ճանապարհի համար` 1000 միավոր/ժ): Այդ ճանապարհի երթևեկելի մասն ավելի ծանրաբեռնված ուղղությամբ հատող հետիոտների երթևեկության ինտենսիվությունը նույն ժամանակում կազմում է առնվազն 150 հետ./ժ:
10000-ից պակաս բնակիչ ունեցող բնակավայրերում տրանսպորտային միջոցների և հետիոտների երթևեկության ինտենսիվությունը 1-ին և 2-րդ պայմաններով կազմում է նշվածների 70 տոկոսը:
3-րդ պայման. 1-ին և 2-րդ պայմաններով միաժամանակ տրանսպորտային միջոցների և հետիոտների երթևեկության ինտենսիվությունը կազմում է նշվածների 80 տոկոսը կամ ավելի:
Աղյուսակ. Փոխհատվող ուղղություններով տրանսպորտային հոսքերի երթևեկության ինտենսիվությունը
| Մեկ ուղղությամբ երթևեկության գոտիների թիվը |
Տրանսպորտային միջոցների երթևեկության ինտենսիվությունը, միավոր/ժ | ||
| գլխավոր ճանապարհ |
երկրորդական ճանապարհ |
երկու ուղղությամբ գլխավոր ճանապարհով |
մեկ` առավել ծանրաբեռնված ուղղությամբ երկրորդական ճանապարհով |
| 1 | 1 | 750 670 580 500 410 380 |
75 100 125 150 175 190 |
| 2 և ավելի | 1 | 900 800 700 600 500 400 |
75 100 125 150 175 190 |
| 2 կամ ավելի | 2 կամ ավելի | 900 825 750 675 600 525 480 |
100 125 150 175 200 225 240 |
4-րդ պայման. Խաչմերուկում վերջին 12 ամսվա ընթացքում տեղի են ունեցել ոչ պակաս, քան երեք ճանապարհատրանսպորտային պատահարներ, որոնք կարող էին կանխվել լուսացուցային ազդանշանի առկայության դեպքում: Ընդ որում, 1-ին և 2-րդ պայմանները պետք է կատարվեն 80 տոկոսով և ավելի:
27. Ճանապարհը հեծանվային արահետի հետ փոխհատվելու վայրերում լուսացուցային կարգավորման ներդրման անհրաժեշտությունը պետք է քննարկվի, եթե հեծանվային երթևեկության ինտենսիվությունը գերազանցում է 50 հեծ/ժ-ը:
28. Տ(T).1 (ցանկացած կատարման), Տ(T).2, Տ(T).9 (կամ ցանկացած կատարման) Տ(T).3), Հ(П).1 և Հ(П).2 լուսացույցները սույն կանոնների 26-րդ և 27-րդ կետերով նախատեսված դեպքերում կիրառվում են, մասնավորապես, եթե հարևան կարգավորվող խաչմերուկների (որոնք միացված են երթևեկության համակարգված կառավարման համակարգում) միջև հեռավորությունը գերազանցում է 800 մետրը:
29. Տ(T).4 (ցանկացած կատարման) լուսացույցների կիրառմամբ դարձափոխային կարգավորումը համապատասխան տեխնիկատնտեսական հիմնավորման դեպքում ներդրվում է երկու ուղղությամբ` երթևեկության համար երեք և ավելի գոտիներ ունեցող ճանապարհներին:
30. Տ(T).7 լուսացույցները կիրառվում են, եթե տրանսպորտային միջոցների և հետիոտների երթևեկության ինտենսիվությունը կազմում է սույն կանոնների 26-րդ կետում նշված 1-ին և 2-րդ պայմանների համար սահմանված նորմերի կեսից ոչ պակասը, կամ կանգառի համար ապահովված չէ տրանսպորտային միջոցի տեսանելիությունը, որը խաչմերուկից կամ հետիոտնային անցումից առաջ ընթանում էր ճանապարհի նախորդ տեղամասի վրա թույլատրված արագությամբ:
31. Ճանապարհի նեղացման տեղամասերում Տ(T).8 լուսացույցները կիրառվում են, եթե երկու ուղղությամբ երթևեկության համար առկա է միայն մեկ գոտի, և սահմանափակ տեսանելիության պատճառով երթևեկությունը չի կարող կազմակերպվել 2.6 «Հանդիպակաց երթևեկության առավելություն» և 2.7 «Առավելություն հանդիպակաց երթևեկության նկատմամբ» ճանապարհային նշանների օգնությամբ:
32. Կամրջային կառույցներից առաջ Տ(T).8 լուսացույցները տեղակայվում են, եթե այդ կառույցների կրողունակությունը չի թույլատրում իրականացնել հանդիպակաց տրանսպորտային միջոցների հոսքերի միաժամանակյա անցումը:
IV. ԼՈՒՍԱՑՈՒՅՑՆԵՐԻ ՏԵՂԱԿԱՅՄԱՆ ԿԱՆՈՆՆԵՐԸ
33. Լուսացույցները տեղակայվում են ճանապարհային երթևեկության կազմակերպման մասով կազմված նախագծերի համաձայն: Դրանք տեղակայվում, հանվում (տեղափոխվում) և փոխարինվում են Հայաստանի Հանրապետության օրենսդրության համաձայն ճանապարհները տնօրինող և շահագործող լիազորված մարմինների կամ անձանց որոշմամբ:
Լուսացույցներն ընդհանուր օգտագործման` պետական և համայնքային սեփականություն հանդիսացող ճանապարհներին տեղակայում և սպասարկում են «Գնումների մասին» Հայաստանի Հանրապետության օրենքով սահմանված կարգով ընտրված կապալառու կազմակերպությունները` Հայաստանի Հանրապետության օրենսդրության համաձայն ճանապարհները տնօրինող և շահագործող լիազորված մարմինների կամ անձանց պատվերով և նրանց հաշվին:
Լուսացույցների սպասարկման մասին պայմանագրերը կնքվում են առնվազն 18 ամիս ժամկետով: Լուսացույցների աշխատանքի խափանման ժամանակ ճանապարհային երթևեկությունն առանց հատուցման կարգավորվում է Հայաստանի Հանրապետության ոստիկանության համապատասխան աշխատողի կողմից` 3 ժամվա ընթացքում: Իսկ 3 ժամից ավելի կարգավորման դեպքում` յուրաքանչյուր ժամվա համար կապալառու կազմակերպությունը պայմանագրով որոշված գումար է վճարում Հայաստանի Հանրապետության ոստիկանության արտաբյուջետային հաշվին։
(33-րդ կետը փոփ. 11.04.19 N 439-Ն)
34. Տ(T).9, Հ(П).1 և Հ(П).2) տրանսպորտային լուսացույցների (բացի Տ(T).3` ցանկացած կատարման, տեղակայման դեպքում երթևեկության յուրաքանչյուր գոտուց (որի վրա տարածվում է դրանց ազդեցությունը) լուսացույցների ազդանշանների տեսանելիությունը պետք է ապահովվի 100 մ-ից ոչ պակաս հեռավորության վրա: Եթե հնարավոր չէ ապահովել այս պայմանը, ապա տեղակայվում է 1.8 «Լուսացուցային կարգավորում» ճանապարհային նշանը:
Տ(T).1.ա, Տ(T).1.ձ և Տ(T).1.աձ լուսացույցների լրացուցիչ սեկցիայի ազդանշանները և Տ(T).9 լուսացույցի ազդանշանը պետք է ճանաչվեն 50 մ-ից ոչ պակաս հեռավորության վրա:
Տ(T).1.ա, Տ(T).1.ձ և Տ(T).1.աձ լուսացույցների լրացուցիչ սեկցիայի տեսանելիությունը բարելավելու համար դրանք կահավորվում են սպիտակ գույնի կոր անկյուններով ուղղանկյան ձևի էկրաններով, որոնք լուսացույցի եզրաչափից կարող են դուրս գալ 120 մմ չափով: Էկրանի ձևը կարող է կրկնել լուսացույցի ուրվագիծը:
35. Տ(T).3 (ցանկացած կատարման) լուսացույցների տեղակայման դեպքում` 6.16 «Կանգ-գիծ» ճանապարհային նշանից կամ 1.12 «Կանգ-գիծ» գծանշումից առաջ` լուսացույցի մոտակա եզրային գոտում կանգնած տրանսպորտային միջոցների վարորդների համար պետք է ապահովված լինի դրանց ազդանշանների տեսանելիությունը:
36. Տ(T).4 (ցանկացած կատարման) լուսացույցները տեղակայվում են դեպի դարձափոխային կարգավորմամբ գոտի մուտքից առաջ և ճանապարհի տեղամասի ամբողջ երկարությամբ` նման կարգավորմամբ յուրաքանչյուր գոտու վրա: Ընդ որում, յուրաքանչյուր լուսացույցի տեղակայման վայրից պետք է ապահովվի երթևեկության ուղղությամբ հաջորդ լուսացույցի ազդանշանների տեսանելիությունը:
Նկար N 2. Լուսացույցների տեղակայման օրինակներ. ա) խաչմերուկում.
բ) բաժանարար գոտու և երթևեկելի մասի վրա
Թունելներում Տ(T).4 լուսացույցների կիրառման դեպքում դրանք տեղակայվում են թունելի սկզբում` յուրաքանչյուր երթևեկության գոտու վրա:
37. Հ(П).1 և Հ(П).2 լուսացույցները տեղակայվում են երթևեկելի մասի երկու կողմի մայթերի վրա, բաժանարար գոտու կամ բարձրացված անվտանգության կղզյակի առկայության դեպքում` դրանց վրա, եթե մեկ ուղղությամբ երթևեկության գոտիների թիվը երկուսից ավելի է (նկար N 2-ա):
Հետիոտնային լուսացույցների տեղակայման դեպքում ճանապարհի երթևեկելի մասի հակառակ կողմից պետք է ապահովվի հետիոտների կողմից դրանց ազդանշանների տեսանելիությունը:
Հետիոտնային լուսացույցներով կահավորվում են կարգավորվող խաչմերուկում տեղաբաշխված բոլոր հետիոտնային անցումները:
38. Լուսացույցների տեղակայման բարձրությունը` իրանի ներքևի եզրից մինչև երթևեկելի մասի մակերևույթը (N 1 նկար) կազմում է`
ա) Տ(T).5 և Տ(T).9) տրանսպորտային լուսացույցների (բացի Տ(T).3` ցանկացած կատարման, համար`
երթևեկելի մասի վրա տեղակայման դեպքում` 5,0-6,0 մ: Թույլատրվում է երթևեկելի մասի վրա լուսացույցները տեղակայել 6,0-8,0 մ բարձրության վրա,
երթևեկելի մասի կողքին տեղակայման դեպքում` 2,0-3,0 մ.
բ) Տ(T).3 (ցանկացած կատարման) լուսացույցների համար` 1,5-2,0 մ.
գ) Տ(T).5 լուսացույցների համար` 2,0-4,0 մ.
դ) հետիոտնային լուսացույցների համար` 2,0-2,5 մ:
Մեկ ուղղությամբ նույն հենարանի վրա տեղակայված և դեպի երթևեկության մասնակիցներն ուղղված տարբեր տեսակի լուսացույցները միմյանց նկատմամբ ուղղաձիգ ուղղությամբ տեղակայվում են հետևյալ հաջորդականությամբ (ներքևից վերև)` Տ(T).3 (ցանկացած կատարման), Հ(П).1 (Հ(П).2), Տ(T).1 (Տ(T).1.ա, Տ(T).1.ձ, Տ(T).1.աձ) կամ Տ(T).2, Տ(T).5 (N 1 նկար):
39. Լուսացույցների ամրացման համար օգտագործվող հենարանային կառուցվածքները տեղակայվում են ճանապարհի երթևեկելի մասից դուրս: Երթևեկելի մասի վրա գտնվող դրանց տարրերը չպետք է ցածր լինեն լուսացույցի իրանի եզրից:
40. Երթևեկելի մասի եզրից մինչև երթևեկելի մասի կողքին տեղակայված լուսացույցը եղած հեռավորությունը պետք է կազմի 0,5-2,0 մ:
Երթևեկելի մասի մոտակա եզրից մինչև երթևեկելի մասի վրա տեղակայված լուսացույցը եղած հեռավորությունը պետք է լինի առնվազն 4 մ (N 1 նկար):
Հետիոտնային լուսացույցի ազդանշանների ապահովված տեսանելիության դեպքում թույլատրվում է այն տեղակայել երթևեկելի մասի եզրից մինչև 5 մ հեռավորության վրա:
41. Հետիոտնային լուսացույցներից մինչև մոտակա հետիոտնային անցման սահմանը պետք է լինի ոչ ավելի, քան 1 մ (N 3 նկար):
Մեկ ճանապարհի երկարությամբ տրանսպորտային լուսացույցների տեղակայման բարձրությունը և դրանց հեռավորությունը երթևեկելի մասից պետք է միատեսակ լինեն:
42. Լուսացույցները տեղակայվում են այնպես, որպեսզի տրամվայի կամ տրոլեյբուսի հպանքային լարերից մինչև լուսացույցի իրանի յուրաքանչյուր կետը եղած հեռավորությունը լինի առնվազն 1 մ:
43. Տրանսպորտային լուսացույցները (բացի Տ(T).1.հ) խաչմերուկից առաջ տեղակայվում են երթևեկելի մասի կողքին կամ երթևեկելի մասի վրա (բացի Տ(T).3, Տ(T).6, Տ(T).10): Տ(T).1 լուսացույցը տեղակայվում է միայն երթևեկելի մասի վրա:
Տվյալ ուղղությամբ երթևեկելի մասի աջ կողմում տեղակայվում են Տ(T).1, Տ(T).1.ա, Տ(T).1.աձ, Տ(T).2 («ուղիղ», «դեպի աջ», «ուղիղ և դեպի աջ» սլաքներով), Տ(T).3, Տ(T).3.ա, Տ(T).6, Տ(T).7, Տ(T).8, Տ(T).9 և Տ(T).10 լուսացույցները: Տ(T).1.ձ, Տ(T).2 («դեպի ձախ» կամ «ուղիղ և դեպի ձախ» սլաքներով) և Տ(T).3.ձ լուսացույցները տեղակայվում են ձախ կողմում` բաժանարար գոտու, ուղղորդ կղզյակի կամ անվտանգության կղզյակի վրա, միակողմ երթևեկության դեպքում` ճանապարհի ձախ կողմում:
Նկար N 3. Կարգավորվող հետիոտնային անցման վրա լուսացույցների
տեղակայման օրինակ
Երկկողմ երթևեկությամբ ճանապարհներին խաչմերուկից առաջ բաժանարար գոտու, ուղղորդ կղզյակների կամ անվտանգության կղզյակների բացակայության դեպքում թույլատրվում է Տ(T).1.ձ լուսացույցը տեղակայել աջ կողմում, եթե բնակավայրերում տվյալ ուղղությամբ գոտիների թիվը պակաս է երեքից (բնակավայրերից դուրս` երկուսից ոչ ավելի), հակառակ դեպքում Տ(T).1.ձ լուսացույցը տեղակայվում է երթևեկելի մասի վրա: Այդ դեպքում «դեպի ձախ», «ուղիղ» կամ «ուղիղ և դեպի ձախ» սլաքներով Տ(T).2 լուսացույցները տեղակայվում են երթևեկելի մասի վրա:
Եթե լուսացուցային օբյեկտի աշխատանքի ռեժիմը նախատեսում է զանազան գործունեություն և (կամ) երթևեկության յուրաքանչյուր գոտու համար լուսացուցային ազդանշանների հաջորդականություն, ապա Տ(T).2 լուսացույցները տեղակայվում են երթևեկության համապատասխան գոտիների վրա:
Տ(T).5 լուսացույցը տեղակայվում է աջ կողմում կամ սահմանված երթուղով երթևեկող տրանսպորտային միջոցների համար հատկացված գոտու վրա: Տրամվայների երթևեկության կարգավորման դեպքում թույլատրվում է Տ(T).5 լուսացույցները տեղակայել գծերի միջև:
Թույլատրվում է Տ(T).7 լուսացույցները տեղակայել բարձրացված կենտրոնական կղզյակի, անվտանգության կղզյակի կամ խաչմերուկի կենտրոնի վրա:
44. Երթևեկելի մասի կողքին տեղակայված Տ(T).1 ցանկացած կատարման և Տ(T).2 լուսացույցները կրկնում են:
Կրկնող լուսացույցը տեղակայվում է խաչմերուկում կամ անմիջապես դրանից հետո` հաշվի առնելով վարորդի կողմից լուսացույցի ազդանշանի տեսանելիությունը:
Բաժանարար գոտու, ուղղորդ կղզյակների կամ անվտանգության կղզյակների առկայության դեպքում կրկնող լուսացույցները (բացի Տ(T).1.ա, «դեպի աջ» սլաքով Տ(T).2) տեղակայվում են խաչմերուկում, դրանից հետո` երթևեկելի մասերի միջև կամ խաչմերուկից ձախ: Ընդ որում, խաչմերուկից հետո ձախ կողմում կրկնող լուսացույցի տեղակայումը թույլատրվում է, եթե հանդիպակաց երթևեկության երթևեկելի մասն ունի երեք և ավելի երթևեկության գոտի, իսկ յուրաքանչյուր գոտիով երթևեկության ինտենսիվությունը կազմում է ոչ ավելի, քան 500 միավոր/ժ:
Տ(T).1.ա և Տ(T).2 («դեպի աջ» սլաքով) լուսացույցները կրկնում են, եթե դեպի աջ շրջադարձն իրականացվում է երկու և ավելի շարքով: Կրկնող լուսացույցները տեղակայվում են խաչմերուկում կամ անմիջապես դրանից հետո` երթևեկելի մասերի միջև կամ աջ կողմում: Լուսացույցն աջ կողմում տեղակայելու դեպքում համընթաց ուղղությամբ գոտիների թիվը պետք է լինի երեքից ոչ ավելի, իսկ յուրաքանչյուր գոտիով երթևեկության ինտենսիվությունը կազմում է ոչ ավելի, քան 500 միավոր/ժ:
Բաժանարար գոտիների, բարձրացված ուղղորդ կղզյակների կամ անվտանգության կղզյակների բացակայության դեպքում` կրկնող լուսացույցները տեղակայվում են անմիջապես խաչմերուկից հետո` Տ(T).1.ա կամ Տ(T).2 («դեպի աջ» սլաքով)` աջ կողմում, մյուսները` ձախ կողմում, եթե տվյալ ուղղությամբ գոտիների թիվը պակաս է երեքից, իսկ յուրաքանչյուր գոտիով երթևեկության ինտենսիվությունը կազմում է ոչ ավելի, քան 500 միավոր/ժ (նկար N 1-ա):
Սույն կետում նշված պայմանները չապահովելու դեպքում լուսացույցները (բացի ցանկացած կատարման Տ(T).3 լուսացույցներից) տեղակայվում են երթևեկելի մասի վրա (նկար N 1-բ):
Թույլատրվում է երթևեկելի մասի վրա տեղակայված լուսացույցները չկրկնել:
V. ԼՈՒՍԱՑՈՒՅՑՆԵՐԻ ԱՇԽԱՏԱՆՔԻ ՌԵԺԻՄՆԵՐԸ
45. Նույն լուսացուցային օբյեկտում տեղակայված բոլոր լուսացույցները (բացի ցանկացած կատարման Տ(T).4 լուսացույցներից) պետք է աշխատեն փոխհամաձայնեցված ռեժիմներում:
Երթևեկության համաձայնեցված կառավարման համակարգում ընդգրկված լուսացուցային օբյեկտի ցանկացած լուսացույց պետք է հնարավորություն ունենա աշխատելու անհատական (պահեստային) ավտոմատ ռեժիմում` անկախ լուսացուցային մյուս օբյեկտների աշխատանքից:
46. Տ(T).1, Տ(T).3 (ցանկացած կատարման), Տ(T).2 և Տ(T).9 լուսացույցների համար պահպանվում է ազդանշանների միացման հետևյալ հաջորդականությունը` կարմիր-կարմիրը դեղինի հետ-կանաչ-դեղին-կարմիր …: Ընդ որում, «կարմիրը դեղինի հետ» ազդանշանի տևողությունը 2 վ-ից ավելի չպետք է լինի, «դեղին» ազդանշանի տևողությունը բոլոր դեպքերում` 3 վ: Եթե միջանկյալ տակտի հաշվարկային տևողությունը գերազանցում է նշված ցուցանիշները, ապա «կարմիր» ազդանշանի տևողությունն ավելացվում է գերազանցված ժամանակի չափով: Այս պահանջը չի տարածվում շահագործման մեջ գտնվող այն կոնտրոլերների վրա, որոնք ի վիճակի չեն բաժանել միջանկյալ տակտը:
Թույլատրվում է ազդանշանների միացման հետևյալ հաջորդականությունը` կարմիր-կանաչ-դեղին-կարմիր …, եթե լուսացուցային օբյեկտը միացված չէ երթևեկության համաձայնեցված կառավարման համակարգին:
47. Տ(T).1, Տ(T).3 (ցանկացած կատարման), Տ(T).2, Տ(T).8 և Տ(T).9 լուսացույցների օգտագործմամբ ռեժիմը կարող է նախատեսել «կանաչ» ազդանշանի թարթումը 3 վ-ի ընթացքում` անմիջապես 1 թարթ/վ հաճախականությամբ (նշված հաճախականությունից շեղումը թույլատրվում է + 10 տոկոս), դրա անջատումից առաջ: Հ.1 և Հ.2 լուսացույցների համար նման ռեժիմը պարտադիր է:
«Կանաչ» ազդանշանի վառվելու մնացած ժամանակի մասին վարորդներին և հետիոտներին տեղյակ պահելու համար թույլատրվում է կիրառել թվատախտակ:
Հետիոտնային անցումների վրա, որոնցից պարբերաբար օգտվում են կույր և թույլ տեսնող հետիոտները, լուսացուցային ազդանշանների հետ լրացուցիչ կիրառվում է հետիոտնային լուսացույցի ռեժիմով աշխատող ձայնային ազդանշան:
48. Երթևեկության ինտենսիվությունը սույն կանոնների 26-րդ կետի 1-ին և 2-րդ պայմանների համար մինչև 50 տոկոս նշանակությամբ նվազեցնելու ընթացքում Տ(T).1 և Տ(T).3 (ցանկացած կատարման), Տ(T).2 և Տ(T).9 լուսացույցները փոխանցվում են «դեղին» ազդանշանի թարթող ռեժիմի` «կանաչ» ազդանշանի համար սույն կանոնների 47-րդ կետում նշված հաճախականությամբ:
Ճանապարհային երթևեկության անվտանգության ապահովման պայմաններով այդ լուսացույցներն օրվա ընթացքում թույլատրվում է թողնել երեք գույնի ազդանշանի ռեժիմում:
49. Տ(T).4, Տ(T).8 լուսացույցների ազդանշանների միացման հաջորդականությունը` «կարմիր» և «կանաչ» ազդանշանների հաջորդական միացումն է, Տ(T).4.դ լուսացույցի համար` կարգավորման ռեժիմին համապատասխան «կարմիր», «կանաչ» և «դեղին» ազդանշանների:
Տ(T).5 լուսացույցների ազդանշանների միացման հաջորդականությունը որոշվում է երթևեկության կազմակերպման սխեմայով:
Տ(T).6, Տ(T).6.կ և Տ(T).10 լուսացույցները պետք է ապահովեն երկու ազդանշանների հաջորդական միացումը կամ մեկ ազդանշանի թարթումը` «կանաչ» ազդանշանի համար սույն կանոնների 47-րդ կետում նշված հաճախականությամբ:
Հետիոտնային լուսացույցների միացման հաջորդականությունն է` կարմիր-կանաչ-կարմիր …` լուսացուցային օբյեկտի աշխատանքային ռեժիմին համապատասխան:
50. Տ(T).1.ա, Տ(T).1.ձ և Տ(T).1.աձ լուսացույցներով երթևեկությունը կարգավորելու դեպքում անթույլատրելի է ազդանշանների մշտական գործողության որևէ համակցություն (օրինակ, «կարմիր» ազդանշանը լրացուցիչ սեկցիայի ազդանշանի հետ):
(հավելվածը փոփ. 11.04.19 N 439-Ն)
| Հայաստանի Հանրապետության կառավարության աշխատակազմի ղեկավար-նախարար |
Մ. Թոփուզյան |
|
Հավելված N 2 |
ԼՈՒՍԱՑՈՒՅՑՆԵՐԻ ՏԻՊԵՐԸ ԵՎ ԿԱՏԱՐՈՒՄԸ
ՏՐԱՆՍՊՈՐՏԱՅԻՆ ԼՈՒՍԱՑՈՒՅՑՆԵՐ
| Հայաստանի Հանրապետության կառավարության աշխատակազմի ղեկավար-նախարար |
Մ. Թոփուզյան |
|
Հավելված N 3 |
ՃԱՆԱՊԱՐՀԱՅԻՆ ՆՇԱՆՆԵՐԻՆ ՆԵՐԿԱՅԱՑՎՈՂ ՊԱՀԱՆՋՆԵՐԸ, ԴՐԱՆՑ ԿԻՐԱՌՄԱՆ ՈՒ ՏԵՂԱԿԱՅՄԱՆ ԿԱՆՈՆՆԵՐԸ
I. ԸՆԴՀԱՆՈՒՐ ԴՐՈՒՅԹՆԵՐ
1. Ճանապարհային նշաններին ներկայացվող պահանջներով, դրանց կիրառման ու տեղակայման կանոններով (այսուհետ` կանոններ) սահմանվում են Հայաստանի Հանրապետության ավտոմոբիլային ճանապարհներին, ինչպես նաև բնակավայրերի փողոցներում տեղակայվող ճանապարհային նշանների դասակարգումը, դրանց ներկայացվող տեխնիկական, շահագործական վիճակի պահանջները, կիրառման և տեղակայման կանոնները:
2. Սույն կանոնների պահանջների կատարումը պարտադիր է Հայաստանի Հանրապետության ավտոմոբիլային ճանապարհներին, ինչպես նաև բնակավայրերի փողոցներում ճանապարհային երթևեկության կազմակերպման մասով նախագծերի մշակման, ճանապարհային նշանների տեղակայման և շահագործման աշխատանքների ժամանակ:
Սույն կանոնների գործողությունը տարածվում է Հայաստանի Հանրապետության ընդհանուր օգտագործման` պետական և ոչ պետական ճանապարհների վրա` անկախ սեփականության ձևից:
3. Սույն կանոններում օգտագործվում են հետևյալ հասկացությունները`
ճանապարհային նշան (այսուհետ` նշան)` ճանապարհային երթևեկության կազմակերպման տեխնիկական միջոց, որն ունի վահանակի տեսք ու որոշակի ձև և, որի վրա կատարված են այնպիսի նշումներ ու մակագրություններ, որոնք ճանապարհային երթևեկության (այսուհետ` երթևեկություն) մասնակիցներին տեղեկացնում են ճանապարհային պայմանների և երթևեկության ռեժիմների, բնակավայրերի ու այլ օբյեկտների գտնվելու վայրի մասին.
հիմնական նշան` նշան, որի տեղակայման անհրաժեշտությունը որոշվում է` ելնելով ճանապարհային պայմաններից` սույն կանոնների պահանջներին համապատասխան.
կրկնող նշան` հիմնական նշանի հետ ճանապարհի նույն ընդլայնական կտրվածքում տեղակայված նշան, որը ծառայում է երթևեկության մասնակիցների կողմից տեղեկատվության ընկալման հուսալիությունը բարձրացնելու համար.
նախնական նշան` մինչև հիմնական նշանը տեղակայված նշան, որը վարորդներին նախազգուշացնում է երթևեկության ռեժիմի սպասվելիք փոփոխության կամ հիմնական նշանի վրա նշված օբյեկտի վերաբերյալ տեղեկության մասին.
կրկնվող նշան` հիմնական նշանից հետո տեղակայված նշան, որը հաստատում է հիմնական նշանի վրա նշված տեղեկությունը.
լրացուցիչ տեղեկատվության նշան (ցուցանակ)` նշան, որը կիրառվում է այլ նշանների հետ` դրանց գործողությունը սահմանափակելու կամ հստակեցնելու համար.
բերմա` ճանապարհի հողային պաստառի լրացուցիչ տարր, որը, մասնավորապես, նախատեսված է ճանապարհային երթևեկության կազմակերպման տեխնիկական միջոցների տեղակայման համար, երբ չի ապահովվում դրանց տեսանելիությունը:
Սույն կանոններում օգտագործվող մյուս հասկացությունները համապատասխանում են «Ավտոմոբիլային ճանապարհների մասին» և «Ճանապարհային երթևեկության անվտանգության ապահովման մասին» Հայաստանի Հանրապետության օրենքներում օգտագործված հասկացություններին:
4. Հայաստանի Հանրապետության ճանապարհներին տեղակայվող նշանները և դրանց ներկայացվող տեխնիկական պահանջները պետք է համապատասխանեն սույն կանոնների և ԳՕՍՏ Ռ 52290-2004 «Ճանապարհային երթևեկության տեխնիկական միջոցներ. Ճանապարհային նշաններ. Ընդհանուր տեխնիկական պահանջներ» ստանդարտի պահանջներին:
II. ՆՇԱՆՆԵՐԻՆ, ԴՐԱՆՑ ՇԱՀԱԳՈՐԾԱԿԱՆ ՎԻՃԱԿԻՆ ԵՎ ԿԻՐԱՌՄԱՆ ԿԱՐԳԻՆ ՆԵՐԿԱՅԱՑՎՈՂ ԸՆԴՀԱՆՈՒՐ ՊԱՀԱՆՋՆԵՐԸ
5. Հայաստանի Հանրապետության ավտոմոբիլային ճանապարհներին, բնակավայրերի փողոցներում (այսուհետ` ճանապարհներ) կիրառվում են նշանների հետևյալ խմբերը`
ա) նախազգուշացնող,
բ) առավելության,
գ) արգելող,
դ) թելադրող,
ե) հատուկ թելադրանքի,
զ) տեղեկատվական,
է) սպասարկման,
ը) լրացուցիչ տեղեկատվության նշաններ (ցուցանակներ):
6.Նշանների (այդ թվում՝ անհատական նախագծման նշանների) համարները, անվանումներն ու պատկերները, ինչպես նաև նշանների վրա կատարվող մակագրությունները (տառեր, թվեր, կետադրական նշաններ) սահմանված են ԳՕՍՏ Ռ 52290-2004 ստանդարտով:
(6-րդ կետը խմբ. 19.02.15 N 161-Ն)
7. Նշանների ըմբռնումը հեշտացնելու նպատակով դրանք ընդունվում և պատրաստվում են նշանների յուրաքանչյուր խմբի համար բնորոշ ձևերով ու գույներով: Նշանների մեջ փոփոխությունների կատարման դեպքում դրանք չպետք է փոխեն նշանների հիմնական բնութագրերը: Նշանների խմբերի, նշանների վրա պատկերների, պարամետրերի փոփոխությունները, նշանների թվի ավելացման և այլ ազդանշանների փոփոխությունները հաստատում է Հայաստանի Հանրապետության կառավարությունը:
8. Նշանները պատրաստվում են 4 չափատեսակներով. 1-ին` փոքր, 2-րդ` նորմալ, 3-րդ` մեծ, 4-րդ` առավել մեծ:
Նշանների չափերը պետք է ապահովվեն, որպեսզի դրանք հեռվից տեսանելի լինեն և մոտենալիս հեշտ տարբերակվեն` հաշվի առնելով տվյալ տեղամասում տրանսպորտային միջոցների արագությունը:
(8-րդ կետը խմբ. 19.02.15 N 161-Ն)
9. Փոքր չափի նշանները տեղակայվում են ճանապարհի այն տեղամասերում, որտեղ նորմալ չափի նշանների տեղակայման համար հնարավորություններ չկան, կամ երթևեկությունն իրականացվում է ցածր արագություններով: Դրանք կարող են տեղակայվել նաև նախորդ նշանը կրկնելու համար:
Մեծ չափի նշանները տեղակայվում են լայն երթևեկելի մաս ունեցող և մեծ արագությամբ երթևեկություն ունեցող ճանապարհներին, ինչպես նաև լեռնային բարդ տեղամասերում (ոլորապտույտ ճանապարհներին) և այնտեղ, որտեղ հաճախակի են մառախուղները:
Առավել մեծ չափի նշանները տեղակայվում են առավել մեծ արագությամբ երթևեկություն ունեցող ճանապարհներին, մասնավորապես, ավտոմայրուղիներում:
(9-րդ կետը խմբ. 19.02.15 N 161-Ն)
10. Նշանների մեկնաբանումը հեշտացնելու նպատակով թույլատրվում է ուղղաձիգ տեսակի ուղղանկյունաձև նշանների վահանակների վրա` նշանի տակ կամ վահանակի մեջ մակագրություններ ավելացնել: Նշանի վրա նման մակագրություն տեղադրվում է, եթե դա չի դժվարացնի նշանի ընկալումն այն վարորդների կողմից, ովքեր կարող են չհասկանալ մակագրությունը:
(10-րդ կետը փոփ. 19.02.15 N 161-Ն)
11. Նշանների վրա մակագրությունները կատարվում են հայերեն և անգլերեն, անհրաժեշտության դեպքում, դրանք կարող են կրկնվել ռուսերենով:
Մակագրությունների համար անգլերեն և ռուսերեն տառատեսակները սահմանված են ԳՕՍՏ Ռ 52290-2004 ստանդարտով, իսկ հայկական տառատեսակները՝ ԳՕՍՏ 10807-78 «Ճանապարհային նշաններ: Ընդհանուր տեխնիկական պայմաններ» ստանդարտով:
(11-րդ կետը խմբ. 19.02.15 N 161-Ն)
12. Ճանապարհները կահավորվում են ԳՕՍՏ Ռ 52290-2004 ստանդարտով պատրաստված և սույն կանոնների պահանջներով տեղակայված նշաններով:
Ճանապարհները նշաններով կահավորվում են նախօրոք կազմված տարաբաշխման համաձայն:
13. Նշանների տարաբաշխումը հաստատում և կազմակերպում են Հայաստանի Հանրապետության օրենսդրության համաձայն ճանապարհը տնօրինող և շահագործող լիազորված մարմիններն ու անձինք` Հայաստանի Հանրապետության ոստիկանության «Հայաստանի Հանրապետության «Ճանապարհային ոստիկանություն» ծառայության (այսուհետ` ճանապարհային ոստիկանություն) հետ համատեղ` ոչ ուշ, քան 5 տարին մեկ անգամ:
Զբոսաշրջության երթուղիներում նշանները տարաբաշխվում են` համաձայնեցնելով զբոսաշրջության բնագավառում պետական կառավարման մարմնի հետ:
Ընդհանուր օգտագործման` պետական և համայնքային սեփականություն հանդիսացող ճանապարհներին նշանները տարաբաշխում են «Գնումների մասին» Հայաստանի Հանրապետության օրենքի համաձայն ընտրված կապալառու կազմակերպությունները:
(13-րդ կետը խմբ. 19.02.15 N 161-Ն, փոփ. 11.04.19 N 439-Ն)
14. Նշանների մակերևույթը պետք է լինի մաքուր, առանց վնասվածքների, որոնք կդժվարացնեն դրանց ընկալումը:
15. Լուսաանդրադարձիչ մակերևույթ ունեցող նշանների շահագործման ընթացքում թույլատրվում է լույսի ուժի տեսակարար գործակիցը (կդ/լք.մ2) նվազեցնել մինչև առնվազն 35` սպիտակ գույնի, 20` դեղին գույնի, 6` կարմիր գույնի, 4` կանաչ գույնի, 2` կապույտ գույնի համար:
16. Ներքին լուսավորությամբ նշանների պատկերների տարրերի միջին պայծառությունը (կդ/լք. մ2) չպետք է պակաս լինի 90-ից` սպիտակ և դեղին գույների, 20-ից` կանաչ գույնի, 10-ից` կարմիր գույնի, 5-ից` կապույտ գույնի համար:
Սև գույնի տարրերի պայծառությունը չպետք է գերազանցի 4 կդ/ մ2:
17. Լուսաանդրադարձիչ մակերևույթով նշանները պետք է տեղակայվեն առանց հաստատուն լուսավորություն ունեցող ճանապարհի տեղամասերում, ներքին և արտաքին լուսավորությամբ նշանները` հաստատուն լուսավորություն ունեցող ճանապարհի տեղամասերում: Հաստատուն լուսավորություն ունեցող ճանապարհի տեղամասերում թույլատրվում է լուսաանդրադարձիչ մակերևույթով նշաններ կիրառել առձգիչների վրա լուսատուներ տեղադրելով, ինչպես նաև ճանապարհի մեկ կողմում կամ բաժանարար գոտում լուսավորության սյան առկայության դեպքում: Այս դեպքում երթևեկության մեկ ուղղության վրա պետք է տեղակայել միայն ներքին կամ արտաքին լուսավորությամբ նշաններ կամ միայն լուսաանդրադարձիչ մակերևույթով նշաններ:
18. Նշանները տեղակայվում են այնպես, որպեսզի դրանք չխանգարեն երթևեկող տրանսպորտային միջոցներին, ճամփեզրերին կամ մայթերին տեղակայված նշանները` հետիոտների երթևեկությանը, տեսանելի լինեն երթևեկության մասնակիցների համար (օրվա լուսավոր և մութ ժամերին), չփակվեն որևէ խոչընդոտով (գովազդ, կանաչ տնկիներ, ծառերի ճյուղեր, արտաքին լուսավորության սյուներ և այլն), և վարորդները դրանք նկատեն հեշտությամբ ու ժամանակին:
Նշանները տեղակայվում են ճանապարհի երթևեկության ուղղությամբ։ Դրանք կարող են տեղակայվել կամ կրկնվել բաժանարար գոտում (առկայության դեպքում) կամ ճանապարհի հակառակ կողմում, եթե ճանապարհային պայմանները թելադրում են, որ այդ նշանները ժամանակին նկատվեն այն վարորդների կողմից, որոնց համար դրանք նախատեսված են:
19. Նշանները տեղակայվում են` հաշվի առնելով, որ դրանք հարմար լինեն սպասարկման և շահագործման համար, բացառվի դրանց անցանկալի վնասման հնարավորությունը:
20. Տեղակայվող նշանների միացումների ամրացումները պետք է կատարվեն այնպես, որպեսզի ինչպես բնական (քամի, զանազան տատանումների ազդեցություն և այլն), այնպես էլ արհեստական (վթար, հետիոտնի կողմից անցանկալի ազդեցություն և այլն) ազդեցությունների հետևանքով նշանները հենարանների հետ միասին չխախտվեն, կամ խախտումը հնարավորինս նվազ լինի:
21. Յուրաքանչյուր նշանի (հատկապես զանազան սահմանափակումներ մտցնող) տեղակայումը պետք է հիմնավորվի: Ճանապարհի տեղամասում նշանների ընդհանուր թիվը պետք է հնարավորության սահմաններում նվազեցվի: Այդ նպատակով անհրաժեշտ է առաջին հերթին վերացնել վտանգի նախազգուշացման մասին կամ որևէ սահմանափակում մտցնող նշանների տեղակայման պատճառները:
22. Ճանապարհի օտարման շերտում չի թույլատրվում տեղադրել պլակատներ, ազդագրեր, տեղակայել հարմարանքներ, որոնք կարող են ընկալվել որպես ճանապարհային նշաններ կամ նվազեցնել դրանց տեսանելիությունը, արդյունավետությունը կամ «կուրացնել» երթևեկության մասնակիցներին, կամ շեղել նրանց ուշադրությունը` դրանով իսկ վտանգ ստեղծելով երթևեկության համար:
Նշանների վրա (դիմային և հակառակ կողմերում), նշանների տակ և դրանց հենարանների վրա չի թույլատրվում տեղադրել որևէ բան, որն առնչություն չունի ճանապարհային երթևեկության կազմակերպմանը (այսուհետ` երթևեկության կազմակերպում): Հայաստանի Հանրապետության օրենսդրությանը համապատասխան ճանապարհները տնօրինող և շահագործող լիազորված մարմինները, անձինք շահույթ չհետապնդող որևէ կազմակերպությանը կամ ընկերությանը կարող են թույլատրել տեղակայել հատուկ թելադրանքի կամ տեղեկատվական նշաններ և նշանի կամ դրա հենարանի վրա դնել իրենց խորհրդանիշը` պայմանով, որ այն չի դժվարացնի նշանի ընկալումը:
23. Ճանապարհների այն տեղամասերում, որտեղ երթևեկության ռեժիմը որոշվում է գծանշման միջոցով, և եթե դրանք դժվար տեսանելի են (ձյուն, ցեխ և այլն) և ժամանակին չեն կարող վերականգնվել, ապա կարող են տեղակայվել նույն նշանակությունն ունեցող նշաններ:
24. Ժամանակավոր բնույթ կրող նշանները (շինարարական-նորոգման աշխատանքների, ճանապարհային պայմանների եղանակային յուրահատկությունների, արտակարգ իրավիճակների, տարերային աղետների դեպքում և այլն) պետք է ապամոնտաժվեն` դրանց անհրաժեշտությունը ծնող պատճառները վերացվելուց անմիջապես հետո: Նշանները կարող են ժամանակավորապես փակվել հատուկ ծածկոցներով:
25. Երթևեկության մասնակիցների ուշադրությունը հրավիրելու նպատակով բնակավայրերում կամ բնակավայրերից դուրս տեղակայված նոր նշանների կողքին կամ դրանց վրա, ինչպես նաև ճանապարհային նշանները հանելու դեպքում ցանկալի է մեկամսյա ժամկետով տեղադրել թարթող լուսային ազդանշաններ:
(25-րդ կետը խմբ. 19.02.15 N 161-Ն)
26. Սույն կանոններով չնախատեսված դեպքերում նշանները կիրառվում են, եթե դրանց կիրառման անհրաժեշտությունը հիմնավորված է ճանապարհային կոնկրետ պայմաններով:
27. Վնասված նշանները (բացառությամբ 2.1 - 2.7 առավելության նշանների) պետք է փոխել կամ վերականգնել դրանց հայտնաբերումից հետո 3 օրվա, իսկ առավելության նշանները` մեկ օրվա ընթացքում:
Ժամանակավոր տեղակայված նշանները պետք է հանվեն տեղակայման անհրաժեշտությունն առաջացնող պատճառները վերացվելուց հետո մեկ օրվա ընթացքում:
27.1. Շարժական կանգնակների վրա տեղադրված 1.8՝ «Լուսացուցային կարգավորում», 1.15՝ «Սայթաքուն ճանապարհ», 1.16՝ «Անհարթ ճանապարհ», 1.18՝ «Խճի արտանետում», 1.19՝ «Վտանգավոր կողնակ», 1.20.1-1.20.3՝ «Ճանապարհի նեղացում», 1.21՝ «Երկկողմ երթևեկություն», 1.33՝ «Այլ վտանգներ», 2.6՝ «Հանդիպակաց երթևեկության առավելություն», 3.11՝ «Զանգվածի սահմանափակում», 3.12՝ «Սռնու վրա բեռնվածության սահմանափակում», 3.13՝ «Բարձրության սահմանափակում», 3.14՝ «Լայնության սահմանափակում», 3.15՝ «Երկարության սահմանափակում», 3.16՝ «Նվազագույն միջտարածության սահմանափակում», 3.18.1՝ «Աջ շրջադարձն արգելվում է», 3.18.2՝ «Ձախ շրջադարձն արգելվում է», 3.19՝ «Հետադարձն արգելվում է», 3.20՝ «Վազանցն արգելվում է», 3.21՝ «Վազանցի արգելման գոտու վերջ», 3.22՝ «Բեռնատար ավտոմոբիլներով վազանցն արգելվում է», 3.23՝ «Բեռնատար ավտոմոբիլներով վազանցի արգելման գոտու վերջ», 3.24՝ «Առավելագույն արագության սահմանափակում», 3.25՝ «Առավելագույն արագության սահմանափակման գոտու վերջ» ժամանակավոր նշանների սպիտակ հիմնագույնը կարող է լինել դեղին:
(27.1-ին կետը լրաց. 11.04.19 N 439-Ն)
28. ԳՕՍՏ 10807-78 ստանդարտի համաձայն շահագործման մեջ գտնվող նշանները ԳՕՍՏ Ռ 52290-2004 ստանդարտով նախատեսված նշաններով փոխարինվում են սույն կանոնների 27-րդ կետին համապատասխան:
III. ՆՇԱՆՆԵՐԻ ԿԻՐԱՌՄԱՆ ԵՎ ՏԵՂԱԿԱՅՄԱՆ ԿԱՆՈՆՆԵՐԸ
29. Տեղակայվող նշանների տեսակները, դրանց թիվը, տեղակայման վայրերը որոշվում են տարաբաշխմամբ:
Ընդհանուր օգտագործման պետական և համայնքային սեփականություն հանդիսացող ճանապարհներին և դրանց առանձին տեղամասերում նշանները Հայաստանի Հանրապետության օրենսդրության համաձայն ճանապարհը տնօրինող և շահագործող լիազորված մարմնի կամ անձի որոշմամբ տեղակայում, ինչպես նաև դրանք հանում ու փոփոխում են «Գնումների մասին» Հայաստանի Հանրապետության օրենքի համաձայն ընտրված կապալառու կազմակերպությունները` համաձայնեցնելով ճանապարհային ոստիկանության հետ:
(29-րդ կետը փոփ. 19.02.15 N 161-Ն)
30. Նշանների ազդեցությունը տարածվում է այն երթևեկելի մասի, կողնակի, հեծանվային կամ հետիոտնային արահետի վրա, որոնց կողքին կամ որոնց վրա դրանք տեղակայված են:
Նշանի տեսանելիության հեռավորությունը պետք է լինի առնվազն 100 մ:
31. Յուրաքանչյուր նշանի ազդեցությունը տարածվում է երթևեկության համար բաց ճանապարհի երթևեկելի մասի լայնությամբ: Ելնելով ճանապարհային պայմաններից` նշանի ազդեցությունը կարող է սահմանափակվել երթևեկության մեկ կամ մի քանի գոտիներով:
32. Նշանները տեղակայվում են երթևեկելի մասի (երթևեկելի գոտու) աջ կողմում կամ դրա վրա, կողնակից (առկայության դեպքում) դուրս, եթե սույն կանոններով այլ բան նախատեսված չէ, ինչպես նաև հեծանվային կամ հետիոտնային արահետի աջ կողմում կամ դրանց վրա:
(32-րդ կետը խմբ. 19.02.15 N 161-Ն)
33. Տվյալ ուղղությամբ երթևեկության երկու և ավելի գոտիներ ունեցող ճանապարհներին, երթևեկելի մասից աջ տեղակայված 1.1, 1.2, 1.20.1 - 1.20.3, 1.25, 2.4, 2.5, 3.24 նշանները կրկնում են:
Կրկնող նշանները տեղակայվում են բաժանարար գոտում:
Բաժանարար գոտի չունեցող ճանապարհներին կրկնող նշանները տեղակայվում են`
ա) երթևեկելի մասից ձախ, երբ հանդիպակաց երթևեկությունն իրականացվում է մեկ կամ երկու գոտիով.
բ) երթևեկելի մասի վրա, երբ հանդիպակաց երթևեկությունն իրականացվում է երեք և ավելի գոտիներով:
Անհրաժեշտության դեպքում թույլատրվում է կրկնել նաև մյուս նշանները:
(33-րդ կետը փոփ. 19.02.15 N 161-Ն)
34.Երթևեկելի մասի եզրից (կողնակի առկայության դեպքում` հողային պաստառի եզրից) մինչև երթևեկելի մասի կողքին տեղակայված նշանի եզրը եղած հեռավորությունը պետք է լինի 0,5-2,0 մ (նկար N 1-ա, բ)` մինչև 5.23.1, 5.24.1, 5.25, 5.26 հատուկ թելադրանքի նշանների եզրը, և 0,5-5,0 մ մինչև 6.9.1, 6.9.2, 6.10.1-6.12, 6.17 տեղեկատվության նշանների եզրը:
(34-րդ կետը խմբ. 19.02.15 N 161-Ն)
35. Նշանի (բացի 1.4.1-1.4.6 նշաններից ու ցուցանակներից) ներքևի եզրից մինչև ճանապարհի ծածկույթի մակերևույթը եղած հեռավորությունը, եթե սույն կանոններով այլ բան նախատեսված չէ, պետք է լինի`
ա) բնակավայրերից դուրս երթևեկելի մասի եզրից աջ կողմում կամ ձախ կողմում տեղակայման դեպքում` 1,5-3,0 մ (նկար N 1-ա), բնակավայրերում` 2,0-4,0 մ (նկար N 1-բ).
բ) բարձրացված ուղղորդ, անվտանգության կղզյակների և երթևեկելի մասի (շարժական հենարանների) վրա տեղակայման դեպքում` 0,6-1,5 մ.
գ) երթևեկելի մասի վրա տեղակայման դեպքում` 5,0-6,0 մ: Ճանապարհի ծածկույթի մակերևույթից 5,0 մ–ից պակաս բարձրություն ունեցող արհեստական կառույցների վրա տեղակայված նշանները չպետք է դուրս ցցվեն կառուցվածքի ներքին եզրից:
Երթևեկելի մասից աջ կողմում կամ ձախ կողմում գտնվող նշանների տեղակայման բարձրությունը հաշվվում է երթևեկելի մասի եզրի ճանապարհի ծածկույթի մակերևույթից:
Մեկ նշանը մյուսի վրա տեղադրելու դեպքում տեղակայման բարձրությունը հաշվվում է ներքևի նշանից:
Մեկ հենարանի վրա տարբեր խմբերի նշանների տեղադրման հերթականությունը (վերևից ներքև, ձախից աջ), եթե սույն կանոններով այլ բան նախատեսված չէ, հետևյալն է`
1) առավելության նշաններ,
2) նախազգուշացնող նշաններ,
3) թելադրող նշաններ,
4) հատուկ թելադրանքի նշաններ,
5) արգելող նշաններ,
6) տեղեկատվության նշաններ,
7) սպասարկման նշաններ:
| Նկար 1. Ճանապարհի ընդլայնական կտրվածքում նշանների տիպային դասավորությունը. ա-բնակավայրերից դուրս, բ-բնակավայրերում, գ-նեղ պայմաններում` կողնակի վրա |
Նույն ճանապարհի վրա նշանների տեղակայման բարձրությունը հնարավորության սահմաններում պետք է միանման լինի:
36. Նշանները տեղակայվում են անմիջապես խաչմերուկից, հետադարձի տեղից, սպասարկման օբյեկտներից և այլնից առաջ, իսկ անհրաժեշտության դեպքում` բնակավայրերում դրանցից առաջ` ոչ ավելի, քան 25 մ և բնակավայրերից դուրս` 50 մ հեռավորության վրա, եթե սույն կանոններով այլ բան նախատեսված չէ:
Սահմանափակում և երթևեկության ռեժիմ մտցնող նշանները տեղակայվում են այն տեղամասերի սկզբում, որտեղ դա անհրաժեշտ է, իսկ երթևեկության ռեժիմը վերացնող նշանները` վերջում, եթե սույն կանոններով այլ բան նախատեսված չէ:
37. Նեղ պայմաններում (զառիթափի, ժայռի ցցվածքների, եզրապատերի մոտ և այլն) նշանների տեղակայումը թույլատրվում է կողնակներին: Երթևեկելի մասի եզրից մոտակա նշանի եզրը եղած հեռավորությունը պետք է կազմի առնվազն 1 մ, իսկ տեղակայման բարձրությունը` 2.0–3.0 մ (նկար N 1-գ):
38. Բաժանարար գոտիների, բարձրացված անվտանգության կղզյակների և ուղղորդ կղզյակների կամ կողնակների վրա, ճանապարհային ցանկապատերի բացակայության դեպքում, նշանները տեղադրվում են հարվածաանվտանգ հենարանի վրա: Նշանի հենարանի հիմքի վերին եզրը պետք է համահավասար լինի բաժանարար գոտու, բարձրացված անվտանգության կղզյակի և ուղղորդ կղզյակի, կողնակի կամ ավելացված բերմայի մակերևույթի հետ:
(38-րդ կետը փոփ. 19.02.15 N 161-Ն)
39. Ճանապարհային աշխատանքների կատարման վայրերում և երթևեկության կազմակերպման ժամանակավոր օպերատիվ փոփոխության դեպքում թույլատրվում է շարժական հենարանների վրա նշանները տեղակայել երթևեկելի մասի, կողնակների և բաժանարար գոտիների վրա:
40. Մեկ հենարանի վրա տեղադրված և նույն երթևեկելի մասի վրա իրենց ազդեցությունը տարածող` միմյանցից մոտ հեռավորության վրա գտնվող նշանների եզրերի միջև հեռավորությունը պետք է լինի 50-200 մմ:
Երթևեկության նույն ուղղության տարբեր երթևեկելի մասերի վրա իրենց ազդեցությունը տարածող` մեկ հենարանի վրա նշանները բաշխվում են համապատասխան երթևեկելի մասերի վրա կամ առավելագույնս մոտեցվում են դրանց` հաշվի առնելով տեխնիկական հնարավորությունները և սույն կանոնների պահանջները:
41. Ճանապարհի նույն ընդլայնական կտրվածքում կարելի է տեղակայել երեքից ոչ ավելի նշան` առանց հաշվի առնելու 5.15.2 նշանը, կրկնող և լրացուցիչ տեղեկատվության նշանները:
Նշանները, բացառությամբ խաչմերուկներում և սահմանված երթուղով երթևեկող տրանսպորտային միջոցների կանգառի կետերում տեղակայվածների, բնակավայրերից դուրս տեղակայվում են մեկը մյուսից 50 մ-ից ոչ պակաս, բնակավայրերում` 25 մ-ից ոչ պակաս հեռավորության վրա:
42. Նշանների չափատեսակներն ընտրվում են ըստ N 1 աղյուսակի: Անհրաժեշտության դեպքում թույլատրվում է կիրառել նշանների ավելի մեծ չափատեսակներ:
Աղյուսակ N 1. Նշանների չափատեսակները
| Նշանների չափատեսակները |
Նշանների կիրառումը | |
| բնակավայրերից դուրս | բնակավայրերում | |
| I | Մեկ գոտի ունեցող ճանապարհներ |
ընդհանուր օգտագործման` համայնքային նշանակության ճանապարհներ, բնակավայրերի փողոցներ, որտեղով չեն անցնում միջպետական և հանրապետական նշանակության ճանապարհներ, անցումներ, ոչ ընդհանուր օգտագործման ճանապարհներ |
| II | Երկու և երեք գոտի ունեցող ճանապարհներ |
ընդհանուր օգտագործման պետական ճանապարհներ, ոչ ընդհանուր օգտագործման ճանապարհներ, այդ թվում` բնակավայրերով անցնող |
| III | Չորս և ավելի գոտիներ ունեցող ճանապարհներ և ավտոմայրուղիներ |
ընդհանուր օգտագործման պետական ճանապարհներ, ոչ ընդհանուր օգտագործման ճանապարհներ, այդ թվում` բնակավայրերով անցնող |
| IV | Ճանապարհներին նորոգման աշխատանքներ կատարելու վայրեր, վտանգավոր տեղամասեր` կիրառման նպատակահարմարությունը հիմնավորելու դեպքում | |
|
Ճանապարհների դասակարգումը` ըստ «Ավտոմոբիլային ճանապարհների մասին» ՀՀ օրենքի | ||
43.Անհատական նախագծման նշանների (5.23.1, 5.24.1, 5.25, 5.26, 6.9.1, 6.9.2, 6.10.1-6.12, 6.14.1, 6.14.2, 6.17) պատկերների և դրանց մակագրությունների հարմարակազմական չափերը որոշվում են մեծատառերի բարձրությամբ (նշվում է հմ նշագրմամբ), որը, կախված նշանի տեղակայման վայրից, ընտրվում է 75, 100, 150, 200, 250, 300, 400, 500 մմ շարքից:
(43-րդ կետը փոփ. 19.02.15 N 161-Ն)
44. 5.23.1, 5.24.1, 5.25, 5.26, 6.9.1, 6.9.2, 6.10.1 6.12 նշանների վրա մեծատառի hմ բարձրությունն ընտրվում է N 2 աղյուսակին համապատասխան:
Աղյուսակ N 2. Անհատական նախագծման նշանների վրա մեծատառի բարձրությունը
|
Մեծատառի հմ բարձրությունը, |
5.23.1, 5.24.1, 5.25, 5.26, 6.9.1, 6.9.2, 6.10.1 - 6.12 նշաններ, որոնք | |
|
բնակավայրերից |
բնակավայրերում | |
|
75, 100 կամ 150 |
Մեկ գոտի ունեցող ճանապարհներ |
ընդհանուր օգտագործման` համայնքային նշանակության ճանապարհներ, բնակավայրերի փողոցներ, որտեղով չեն անցնում միջպետական և հանրապետական նշանակության ճանապարհներ, անցումներ, ոչ ընդհանուր օգտագործման ճանապարհներ |
|
150, 200 կամ 250 |
- |
ընդհանուր օգտագործման պետական ճանապարհներ, ոչ ընդհանուր օգտագործման ճանապարհներ, այդ թվում` բնակավայրերով անցնող |
|
200, 250 կամ 300 |
Երկու և երեք գոտի ունեցող ճանապարհներ |
ընդհանուր օգտագործման պետական ճանապարհներ, ոչ ընդհանուր օգտագործման ճանապարհներ, այդ թվում` բնակավայրերով անցնող |
|
300 կամ 400 |
Չորս և ավելի գոտիներ ունեցող ճանապարհներ և ավտոմայրուղիներ |
- |
|
400 կամ 500 |
Ավտոմայրուղիներ |
- |
|
1. Ճանապարհների դասակարգումը` ըստ «Ավտոմոբիլային ճանապարհների մասին» ՀՀ օրենքի: 2. 2. 6.14.1 և 6.14.2 նշանների վրա մեծատառի բարձրությունը 150 մմ է, 6.16 նշանի վրա` բնակավայրերից դուրս 200 մմ է, բնակավայրերում` 100 մմ: | ||
Մեծատառի hմ բարձրությունից կախված` հայկական այբուբենով նշանների վրա տառանշման մակերեսի լայնությունը սահմանված է ԳՕՍՏ Ռ 52290-2004 ստանդարտով, շահագործման մեջ գտնվող նշաններինը` ԳՕՍՏ 10807-78 «Ճանապարհային նշաններ. Ընդհանուր տեխնիկական պայմաններ» ստանդարտով:
(44-րդ կետը խմբ. 19.02.15 N 161-Ն)
45. Նշանները տեղակայվում են բարձր լարվածության էլեկտրացանցի լարերից 1 մ-ից ոչ պակաս հեռավորության վրա: Բարձրավոլտ լարերի պաշտպանիչ գոտու սահմաններում նշանների տեղակայումն առաձգական մետաղաճոպանների վրա արգելվում է:
46. Բնակավայրերում 6 և ավելի գոտիներ ունեցող ճանապարհներին, ինչպես նաև ավտոմայրուղիներում և բնակավայրերից դուրս` 4 և ավելի գոտիներ ունեցող ճանապարհներին կիրառվում են ԳՕՍՏ Ռ 52290-2004 ստանդարտով սահմանված` Б կամ B թաղանթներով պատրաստված նշաններ:
47. Б կամ B տեսակի լուսաանդրադարձիչ թաղանթներով պատրաստված նշանները նախընտրելի է կիրառել թույլատրելիից պակաս շառավղով հատակագծի կորերի վրա, նույն մակարդակում երկաթուղու հետ փոխհատումների, նույն մակարդակում ճանապարհների փոխհատումների և հարումների վրա, հատակագծում (պրոֆիլում) նվազագույն նշանակությունից պակաս տեսանելիություն ունեցող հեռավորությամբ (N 3 աղյուսակ) տեղամասերում, ճանապարհի երթևեկելի մասի լայնությանը հավասար կամ պակաս լայնությամբ կամրջային կառույցների վրա և ճանապարհային աշխատանքների կատարման վայրերում:
B տեսակի լուսաանդրադարձիչ թաղանթով պատրաստված նշանները նախընտրելի է կիրառել բնակավայրերից դուրս արհեստական լուսավորություն ունեցող ճանապարհներին և բնակավայրերում` 6 ու ավելի գոտիներ ունեցող ճանապարհներին:
Երթևեկելի մասի վրա կամ դրա կողքին ավելի քան 3 մ բարձրությամբ տեղադրվող նշանները նախընտրելի է պատրաստել B տեսակի լուսաանդրադարձիչ թաղանթով:
Նույն թվով գոտիներ ունեցող մեկ ճանապարհի տեղամասերում նախընտրելի է կիրառել նույն տեսակի լուսաանդրադարձիչ թաղանթով նշաններ:
Աղյուսակ N 3. Տվյալ արագության դեպքում երթևեկության անվտանգությունն ապահովող տեսանելիության նվազագույն հեռավորությունը
| Երթևեկության արագությունը, կմ/ժ |
30 | 40 | 50 | 60 | 70 | 80 | 90 | 100 | 110 | 120 |
| Տեսանելիության նվազագույն հեռավորությունը, մ - հանդիպակաց ավտոմոբիլի - խոչընդոտից առաջ կանգառի համար |
90 | 110 | 130 | 170 | 200 | 250 | 300 | 350 | 400 | 450 |
| 45 | 55 | 75 | 85 | 125 | 150 | 175 | 200 | 225 | 250 | |
|
1. Կառուցվող ճանապարհների համար արագությունն ընդունվում է հաշվարկային արագության 70 տոկոսի չափով, իսկ շահագործվող ճանապարհների համար` այն արագությունը, որը տվյալ տեղամասում չի գերազանցում տրանսպորտային միջոցների 85 տոկոսը: 2. Հանդիպակաց ավտոմոբիլի տեսանելիության հեռավորությունը պետք է համարել այն հեռավորությունը, որի վրա 1,2 մ բարձրությունից (թեթև մարդատար ավտոմոբիլի վարորդի աչքի մակարդակը) կարելի է տեսնել երթևեկելի մասի մակերևույթի վրա 1,2 մ բարձրության վրա գտնվող առարկան: 3. Կանգառի համար տեսանելիության հեռավորությունը պետք է համարել այն հեռավորությունը, որը 1,2 մ բարձրությունից (թեթև մարդատար ավտոմոբիլի վարորդի աչքի մակարդակը) ապահովում է երթևեկության գոտու կենտրոնում գտնվող 0,2 մ-ից ոչ պակաս բարձրությամբ ցանկացած առարկայի տեսանելիությունը։ | ||||||||||
48. Նախազգուշացնող նշանները վարորդներին տեղեկացնում են վտանգի բնույթի և ճանապարհի վտանգավոր տեղամասին մոտենալու մասին, որտեղ երթևեկելիս անհրաժեշտ է ձեռնարկել իրադրությանը համապատասխան միջոցներ:
48.1. Նախազգուշացնող նշանները, բացառությամբ 1.3.1-1.4.6, 1.34.1-1.34.3 նշանների, բնակավայրերից դուրս տեղակայվում են վտանգավոր տեղամասից 150-300 մ, բնակավայրերում` 50-100 մ հեռավորության վրա` հաշվի առնելով երթևեկության թույլատրելի առավելագույն արագությունը, տեսանելիության պայմանները և տեղաբաշխման հնարավորությունները:
Նախազգուշացնող նշաններն անհրաժեշտության դեպքում տեղակայվում են նաև այլ հեռավորությունների վրա` դրանք նշելով 8.1.1 ցուցանակի օգնությամբ:
48.2. Կրկնվող նախազգուշացնող նշանները 8.1.1 ցուցանակի հետ, բացառությամբ 1.4.1-1.4.6 նշանների, տեղակայվում են խաչմերուկի և վտանգավոր տեղամասի սկզբի միջև, եթե դրանց միջև հեռավորությունը բնակավայրերից դուրս կազմում է 20-150 մ, բնակավայրերում` 20-50 մ (նկար N 2-ա): Կրկնվող 1.1, 1.2, 1.5, 1.9, 1.10 նշանները պարտադիր տեղակայվում են:
Խաչմերուկի և վտանգավոր տեղամասի սկզբի միջև հեռավորությունը 20 մ-ից պակաս լինելու դեպքում 8.1.3 կամ 8.1.4 ցուցանակի հետ նախազգուշացնող նշանը թույլատրվում է փոխհատվող ճանապարհի վրա տեղակայել խաչմերուկից 50-60 մ հեռավորության վրա (նկար N 2-բ)։ Այս դեպքում 1.1, 1.2, 1.5, 1.9, 1.10 կրկնվող նշանները պարտադիր տեղակայվում են:
48.3. 1.1, 1.2, 1.9, 1.10, 1.19, 1.21, 1.23, 1.25 նշանները բնակավայրերից դուրս, իսկ 1.23, 1.25 նշանները նաև բնակավայրերում` կրկնվում են: Բնակավայրերից դուրս կրկնվող նշանը տեղակայվում է մինչև վտանգավոր տեղամասի սկիզբը` 50-100 մ հեռավորության վրա, բնակավայրերում` 1.23 նշանը` վտանգավոր տեղամասի սկզբից 50 մ-ից ոչ ավելի հեռավորության վրա, 1.25 նշանը` աշխատանքների կատարման տեղամասի սկզբում:
(48.3-րդ կետը փոփ. 19.02.15 N 161-Ն)
48.4. 1.1 «Երկաթուղային գծանց` ուղեփակոցով», 1.2 «Երկաթուղային գծանց` առանց ուղեփակոցի» նշանները տեղակայվում են ուղեփակոցով կահավորված և չկահավորված բոլոր երկաթուղային գծանցներից առաջ: Նշանները կրկնում են երթևեկության մեկ ուղղությամբ երկու և ավելի գոտիներ ունեցող ճանապարհների վրա, իսկ մեկ գոտի ունեցող ճանապարհների վրա կրկնում են, եթե գծանցի տեսանելիությունը բնակավայրերից դուրս պակաս է 300 մ-ից, բնակավայրերում` 100 մ-ից:
Եթե գծանցների միջև տարածությունը պակաս է 50 մ-ից, ապա նշանները տեղակայվում են առաջին գծանցից առաջ, իսկ 50 մ-ից ավելիի դեպքում` յուրաքանչյուր գծանցից առաջ:
Նկար N 2. Նախազգուշացնող նշանների տեղակայում. ա) հիմնական նշանի և վտանգավոր տեղամասի սկզբի միջև առկա է խաչմերուկ.
բ) խաչմերուկի և վտանգավոր տեղամասի միջև հեռավորությունը պակաս է 20 մ-ից
48.5. 1.3.1 «Միագիծ երկաթուղի», 1.3.2 «Բազմագիծ երկաթուղի» նշանները տեղակայվում են առանց ուղեփակոցի համապատասխան մեկ կամ երկու և ավելի երկաթուղագիծ ունեցող բոլոր երկաթուղային գծանցներից առաջ: Երկաթուղային գծանցում լուսացուցային ազդանշանի առկայության դեպքում նշանները տեղակայվում են լուսացույցի հետ մեկ հենարանի վրա, իսկ դրա բացակայության դեպքում` մոտակա երկաթգծից 6-10 մ հեռավորության վրա:
48.6. 1.4.1-1.4.6 «Մոտեցում երկաթուղային գծանցին» նշանները բնակավայրերից դուրս երթևեկության երկու ուղղությամբ երկու և ավելի գոտիներ ունեցող ճանապարհներին տեղակայվում են յուրաքանչյուր գծանցից առաջ, իսկ մեկ գոտի ունեցող ճանապարհներին տեղակայվում են, եթե գծանցի տեսանելիության հեռավորությունը պակաս է 300 մ-ից:
1.4.1 - 1.4.3 նշանները տեղակայվում են ճանապարհի աջ կողմում, 1.4.4-1.4.6 նշանները` ձախ կողմում: 1.4.1 և 1.4.4 նշանները տեղակայվում են երթևեկության ուղղությամբ առաջին 1.1 կամ 1.2 նշանների հետ, 1.4.3 և 1.4.6 նշանները` 1.1 կամ 1.2 կրկնվող նշանների հետ, 1.4.2 և 1.4.5 նշանները` կամայական` առաջին և կրկնվող 1.1 կամ 1.2 նշանների միջև հավասար հեռավորության վրա (N 3 նկար):
Նկար 3. 1.4.1-1.4.6. նշանների տեղաբաշխում
1.4.1, 1.4.3, 1.4.4 և 1.4.6 նշանները տեղակայվում են 1.1 կամ 1.2 նշանի տակ, իսկ 1.4.2 և 1.4.5 նշանները` տեղակայված 1.4.1, 1.4.3, 1.4.4 և 1.4.6 նշանների բարձրությանը հավասար:
48.7. 1.5 «Հատում տրամվայի գծի հետ» նշանը խաչմերուկից դուրս տեղակայվում է ճանապարհի և տրամվայի գծերի փոխհատումից առաջ, ինչպես նաև խաչմերուկներից (հրապարակներից) առաջ, եթե տրամվայի գծերն անցնում են դրանցով, և այդ գծերի տեսանելիության հեռավորությունը պակաս է 50 մ-ից:
48.8. 1.6 «Հավասարազոր ճանապարհների փոխհատում» նշանը տեղակայվում է հավասարազոր ճանապարհների խաչմերուկի մատույցներում, եթե ճանապարհներից խաչմերուկի տեսանելիության հեռավորությունը բնակավայրերից դուրս պակաս է 150 մ-ից, բնակավայրերում` 50 մ-ից:
Նշանը տեղակայվում է այն խաչմերուկից առաջ, որտեղ առավելության նշաններով սահմանված անցման հերթականությունը փոխվում է:
48.9. 1.7 «Հատում շրջանաձև երթևեկության հետ» նշանը տեղակայվում է 4.3 նշանով նշված խաչմերուկից առաջ, բնակավայրերից դուրս` յուրաքանչյուր խաչմերուկից առաջ, բնակավայրերում` այն խաչմերուկներից առաջ, որոնց տեսանելիության հեռավորությունը պակաս է 50 մ-ից, ինչպես նաև արհեստական լուսավորություն չունեցող խաչմերուկներից առաջ:
48.10. 1.8 «Լուսացուցային կարգավորում» նշանը բնակավայրերից դուրս տեղակայվում է յուրաքանչյուր խաչմերուկից, հետիոտնային անցումից կամ ճանապարհի այն տեղամասերից առաջ, որտեղ երթևեկությունը կարգավորվում է լուսացույցներով (բացառությամբ երկաթուղային գծանցների), բնակավայրերում` լուսացույցի տեսանելիության հեռավորությունը 100 մ-ից պակաս լինելու դեպքում, ինչպես նաև բնակավայր մուտք գործելուց հետո` լուսացուցային կարգավորմամբ առաջին խաչմերուկից կամ հետիոտնային անցումից առաջ:
48.11. 1.9 «Բացվող կամուրջ» նշանը տեղակայվում է բոլոր բացվող կամուրջներից և լաստանավային անցումներից առաջ:
48.12. 1.10 «Ելք դեպի առափ» նշանը տեղակայվում է դեպի գետափ կամ որևէ ջրամբարի ափ դուրս եկող ճանապարհի տեղամասից առաջ: Նշանը տեղակայվում է` անկախ ճանապարհային ցանկապատի առկայությունից:
(48.12-րդ կետը փոփ. 19.02.15 N 161-Ն)
48.13. 1.11.1 և 1.11.2 «Վտանգավոր շրջադարձ» նշանները տեղակայվում են հատակագծի կորերից առաջ, որտեղ անվտանգության գործակցի մեծությունը (վտանգավոր և նախորդող տեղամասերի անցման արագությունների հարաբերությունը) պակաս է 0,6-ից, ինչպես նաև հատակագծի այն կորերից առաջ, որտեղ, հաշվի առնելով կորին նախորդող ճանապարհի տեղամասին բնորոշ արագությունը, հանդիպակաց ավտոմոբիլի տեսանելիության հեռավորությունը պակաս է երթևեկության անվտանգությունն ապահովող տեսանելիության նվազագույն հեռավորությունից (N 3 աղյուսակ):
(48.13-րդ կետը լրաց. 19.02.15 N 161-Ն)
48.14. 1.12.1 և 1.12.2 «Վտանգավոր շրջադարձեր» նշանները տեղակայվում են իրար հաջորդող երկու և ավելի հատակագծի կորերից առաջ, եթե դրանց միջև հեռավորությունը պակաս է 300 մ-ից և, եթե կորերից առաջինից առաջ` սույն կանոնների 48.13-րդ ենթակետի համաձայն տեղակայված կլինի 1.11.1 կամ 1.11.2 համապատասխան նշան:
Հարևան հատակագծի կորերի միջև հեռավորությունը որոշվում է իրար հաջորդող շրջանաձև կամ անցումային կորերի սկզբի և վերջի միջև:
Նշանները 8.2.1 ցուցանակի հետ տեղակայվում են միմյանց հաջորդող 3 և ավելի հատակագծի կորերի դեպքում:
48.15. 1.13 «Կտրուկ վայրէջք» և 1.14 «Կտրուկ վերելք» նշանները տեղակայվում են, եթե`
ա) վայրէջքով կամ վերելքով ճանապարհի տեղամասի երկարությունն ավելի է N 4 աղյուսակում նշված ցուցանիշից` թեքության համապատասխան մեծության դեպքում.
Աղյուսակ N 4. Թեքության վրա 1.13 և 1.14 նշանների տեղակայման դեպքում ճանապարհի տեղամասի նվազագույն երկարությունը` կախված թեքության մեծությունից
| Թեքությունը, օ/օօ (%) | Թեքության վրա ճանապարհի տեղամասի երկարությունը, մ |
| 40 (4) | 600 |
| 50 (5) | 450 |
| 60 (6) | 350 |
| 70 (7) | 300 |
| 80 (8) և ավելի | 270 |
բ) ուղղաձիգ ուռուցիկ կորերի վրա հանդիպակաց ավտոմոբիլի տեսանելիության հեռավորությունը պակաս է N 3 աղյուսակում նշված մեծություններից` հաշվի առնելով կորից առաջ ճանապարհի տեղամասի համար բնորոշ արագությունը:
Եթե վերելքներն ու վայրէջքները հաջորդում են իրար, ապա 1.13 և 1.14 նշանները (առանց 8.1.1 ցուցանակի) թույլատրվում է տեղակայել անմիջապես վայրէջքը կամ վերելքն սկսվելուց առաջ:
48.16. 1.15 «Սայթաքուն ճանապարհ» նշանը տեղակայվում է ճանապարհների այն տեղամասերից առաջ, որտեղ դողերի և ճանապարհի ծածկույթի միջև կառչելու գործակիցը պակաս է 0,4-ից:
48.17. 1.16 «Անհարթ ճանապարհ» նշանը տեղակայվում է ծածկույթի վնասվածքներ (փոսեր, կամրջային կառույցների հետ ոչ սահուն լծորդումներ, ալիքայնություն և այլն) ունեցող ճանապարհի տեղամասերից առաջ, որը դժվարացնում է ճանապարհային երթևեկության կանոններով թույլատրելի արագությամբ երթևեկող տրանսպորտային միջոցների երթևեկությունը:
48.18. 1.17 «Արհեստական անհարթություն» նշանը տեղակայվում է արհեստական անհարթությունից առաջ` արագությունը նվազեցնել հարկադրելու համար:
Եթե իրար հաջորդող անհարթությունների միջև հեռավորությունը պակաս է 100 մ-ից, ապա նշանը տեղակայվում է առաջին արհեստական անհարթությունից առաջ:
48.19. 1.18 «Խճի արտանետում»` նշանը տեղակայվում է ճանապարհի այն տեղամասերից առաջ, որտեղ հնարավոր են տրանսպորտային միջոցների անիվների տակից խճի, կոպիճի և այլ արտանետումներ:
48.20. 1.19 «Վտանգավոր կողնակ» նշանը տեղակայվում է ճանապարհի այն տեղամասերից առաջ, որտեղ կողնակի վիճակը չի համապատասխանում շինարարական նորմերի պահանջներին:
48.21. 1.20.1-1.20.3 «Ճանապարհի նեղացում» նշանները բնակավայրերից դուրս տեղակայվում են ճանապարհի այն տեղամասերում, որտեղ երթևեկելի մասի լայնությունը նվազում է ավելի քան 0,5 մ-ով, բնակավայրերում` մեկ կամ ավելի գոտիներով: Բնակավայրերից դուրս նշանները տեղակայվում են նաև կամրջային կառույցներից և թունելներից առաջ, եթե երթևեկելի մասի լայնությունը հավասար կամ փոքր է արհեստական կառույցների մատույցների լայնությունից, բնակավայրերում` փոքր է մատույցների լայնությունից:
1.20.2 նշանը թափառքի գոտու և վերելքի վրա լրացուցիչ գոտու վերջում չի տեղակայվում:
48.22. 1.21 «Երկկողմ երթևեկություն» նշանը տեղակայվում է երկկողմ երթևեկություն ունեցող ճանապարհի տեղամասից (երթևեկելի մասից) առաջ, եթե դրան նախորդել է միակողմ երթևեկություն ունեցող ճանապարհի տեղամաս` անկախ 5.6 նշանի կիրառումից: Թույլատրվում է նշանը չտեղակայել միակողմ երթևեկություն ունեցող ճանապարհի տեղամասից առաջ, եթե այդ ճանապարհի երկարությունը պակաս է 100 մ-ից:
Նշանը չի տեղակայվում, եթե 5.5 նշանով նշված ճանապարհը վերջանում է T-աձև, շրջանաձև երթևեկություն ունեցող խաչմերուկներում կամ հրապարակում:
48.23. 1.22 «Հետիոտնային անցում» նշանը բնակավայրերից դուրս տեղակայվում է չկարգավորվող բոլոր գետներեսի հետիոտնային անցումներից առաջ, բնակավայրերում` 150 մ-ից պակաս տեսանելիությամբ հեռավորություն ունեցող անցումներից առաջ:
Թույլատրվում է նշանը չտեղակայել խաչմերուկներում տեղաբաշխված անցումներից առաջ:
48.24. 1.23 «Երեխաներ» նշանը տեղակայվում է մանկական հաստատությունների մոտով անցնող կամ երեխաների կողմից հաճախակի հատվող ճանապարհի տեղամասերում` անկախ հետիոտնային անցման առկայությունից:
Այդ կրկնվող նշանը տեղակայվում է 8.2.1 ցուցանակի հետ միասին` նշելով նման տեղամասի երկարությունը:
Բնակավայրերում 1.23 հիմնական նշանը տեղակայվում է վտանգավոր տեղամասից 90-100 մ, կրկնվող նշանը` ոչ ավելի, քան 50 մ հեռավորության վրա:
48.25. 1.24 «Հատում հեծանվային արահետի հետ» նշանը տեղակայվում է խաչմերուկներից դուրս գտնվող` 4.5.1 նշանով նշված հեծանվային արահետների հետ փոխհատման վայրերից առաջ:
(48.25-րդ կետը փոփ. 11.04.19 N 439-Ն)
48.26. 1.25 «Ճանապարհային աշխատանքներ» նշանը տեղակայվում է ճանապարհի այն տեղամասից առաջ, որի սահմաններում իրականացվում են զանազան աշխատանքներ:
Եթե աշխատանքները կատարվում են մայթին կամ հեծանվային արահետի վրա, ապա նշանը տեղակայվում է այն դեպքում, երբ հետիոտներն ու հեծանվորդներն ստիպված երթևեկում են երթևեկելի մասով:
Կրկնվող 1.25 նշանը բնակավայրերում և բնակավայրերից դուրս նեղ պայմաններում տեղակայվում է աշխատանքների կատարման տեղամասի անմիջապես սկզբում։ Այս դեպքում որպես տեղամասի սկիզբ է համարվում երթևեկության ուղղությամբ տրանսպորտային հոսքերը շեղող առաջին ուղղորդ կամ արգելափակող հարմարանքը կամ ժամանակավոր ճանապարհային գծանշումը:
Կարճաժամկետ աշխատանքների (ստորգետնյա ինժեներական ցանցերի դիտարկման հորերի զննություն, երթևեկելի մասի մաքրություն և այլն) կատարման դեպքում թույլատրվում է շարժական հենարանի վրա առանց 8.1.1 ցուցանակի տեղակայել մեկ 1.25 նշան` աշխատանքների կատարման վայրից 10-15 մ հեռավորության վրա:
Եթե ճանապարհային աշխատանքների կատարման ժամանակ տեղամասից առաջ կիրառվում են նաև այլ նշաններ, ապա 1.25 նշանը երթևեկության ուղղությամբ տեղակայվում է առաջինը` բացառությամբ այն դեպքերի, երբ բնակավայրերից դուրս կիրառվում է 6.19.1 նշանը:
48.27. 1.26 «Անասունների քշում» նշանը տեղակայվում է անասնաբակերի, ֆերմաների մոտով անցնող ճանապարհի տեղամասերից, ինչպես նաև ճանապարհի` անասունների հաճախակի հատման վայրերից առաջ:
48.28. 1.27 «Վայրի կենդանիներ» նշանը տեղակայվում է արգելոցների, որսորդական տնտեսությունների, անտառազանգվածների տարածքով անցնող ճանապարհի տեղամասերից, ինչպես նաև այլ տեղամասերից առաջ, որտեղ կարող են հայտնվել վայրի կենդանիներ, և կիրառվում են 8.2.1 ցուցանակի հետ:
48.29. 1.28 «Քարերի անկում» նշանը տեղակայվում է ճանապարհի այն տեղամասերից առաջ, որտեղ հնարավոր են փլուզումներ, սողանքներ, քարերի անկում և ձյունահոսքեր:
48.30. 1.29 «Կողային քամի» նշանը տեղակայվում է ճանապարհի այն տեղամասերից առաջ, որոնք անցնում են լեռնանցքներով, բարձր լիցքերով, կամուրջներով, ուղեկամուրջներով, կիրճերի ու գետերի և այլնի կողքով, որտեղ հնարավոր է ուժեղ կողային քամու առկայություն:
48.31. 1.30 «Ցածրաթռիչք ինքնաթիռներ» նշանը տեղակայվում է օդանավակայանների մոտով անցնող ճանապարհի այն տեղամասերից առաջ, որտեղ օդանավերը կամ ուղղաթիռները թռչում են ցածր բարձրությունների վրա:
48.32. 1.31 «Թունել» նշանը տեղակայվում է այն թունելներից առաջ, որոնց ճակատամասի տեսանելիության հեռավորությունը տեղանքի ռելիեֆի պատճառով պակաս է 150 մ-ից:
Նշանը 8.2.1 ցուցանակի հետ կիրառվում է, եթե թունելի մուտքից դրա վերջը չի երևում:
48.33. 1.32 «Խցանում» նշանը ժամանակավոր կիրառվում է ճանապարհի տեղամասում խռնվածք առաջանալու դեպքում կամ փոփոխվող պատկերով նշանների վրա և տեղակայվում է այն խաչմերուկից առաջ, որտեղից խռնվածք ստեղծվելու պատճառով հնարավոր է ճանապարհի տեղամասի շրջանցում:
48.34. 1.33 «Այլ վտանգներ» նշանը տեղակայվում է ճանապարհի այն տեղամասերից առաջ, որտեղ առկա վտանգների տեսակը նախատեսված չէ նախազգուշացնող նշանների խմբում:
48.35. 1.34.1 և 1.34.2 «Շրջադարձի ուղղություն» նշանները տեղակայվում են փոքր շառավղով հատակագծի կորերով ճանապարհի տեղամասերում, եթե կորին մոտենալիս դժվար է որոշել շրջադարձի ուղղությունը:
Նշանները տեղակայվում են դեպի շրջադարձն իրականացվող երթևեկության գոտու (գոտիների) առանցքի շարունակության վրա` կորի արտաքին կողմում:
Շրջանաձև երթևեկություն ունեցող խաչմերուկում 1.34.1 նշանը տեղակայվում է կենտրոնի կղզյակում` համապատասխան մուտքի դիմաց: Նշանը կարելի է չտեղակայել խաչմերուկում արհեստական լուսավորության առկայության դեպքում:
Թույլատրվում է երկու սլաքով նշաններ տեղակայել նեղ պայմաններում:
Մեկ սլաքով նշաններ տեղակայվում են մեկ կորի երկարությամբ։ Դրանց թիվը չպետք է պակաս լինի 4-ից, իսկ դրանց միջև հեռավորությունը պետք է լինի ոչ ավելի, քան 20 մ:
Նշանները տեղակայվում են 1,5-2,0 մ բարձրության վրա:
48.36. 1.34.3 «Շրջադարձի ուղղություն» նշանը տեղակայվում է T-աձև խաչմերուկներում և ճանապարհների ճյուղավորումներում, եթե ուղիղ երթևեկելը վտանգավոր է: T-աձև խաչմերուկներում նշանը տեղակայվում է շարունակություն չունեցող ճանապարհի դիմաց, ճանապարհների ճյուղավորումներում` ճանապարհների երթևեկելի մասերի ճյուղավորման տեղից անմիջապես հետո:
Թույլատրվում է երկու սլաքով նշան տեղակայել նեղ պայմաններում:
Նշանը տեղակայվում է 1,5-2,0 մ բարձրության վրա:
48.37. Ճանապարհի նեղ պայմաններում կարելի է տեղակայել ավելի պակաս սլաքներով 1.34.1-1.34.3 նշանները:
1.34.1–1.34.3 նշանները թույլատրվում է կիրառել ճանապարհային աշխատանքների կատարման վայրերում` արգելափակված տեղամասը շրջանցող ուղղությունները լրացուցիչ նշելու համար: Այս դեպքում թույլատրվում է նշանները տեղակայել արգելափակող հարմարանքների վրա:
48.38. 1.35 «Խաչմերուկի տարածք» նշանը տեղակայվում է այն խաչմերուկի սահմանին, որի հատվածը նշված է 1.26 գծանշմամբ և որտեղ արգելվում է մուտք գործել, եթե առջևում՝ երթևեկության ուղղությամբ առաջացել է խցանում, որը վարորդին կհարկադրի կանգ առնել` խոչընդոտ ստեղծելով հատող ճանապարհով լայնական ուղղությամբ տրանսպորտային միջոցների երթևեկության համար, բացառությամբ սույն Կանոններով սահմանված՝ աջ կամ ձախ շրջադարձ կատարելու դեպքերի: Եթե բարդ խաչմերուկներում հնարավոր չէ ճանապարհային նշանը տեղադրել խաչմերուկի սահմանին, ապա այն տեղադրում են խաչմերուկի սահմանից ոչ ավել, քան 30 մ հեռավորության վրա:
(48.38-րդ կետը լրաց. 11.04.19 N 439-Ն)
49. Առավելության նշանները կիրառվում են խաչմերուկների, երթևեկելի մասերի առանձին փոխհատումների, ինչպես նաև ճանապարհների նեղ տեղամասերի անցման հերթականությունը նշելու համար:
49.1. 2.1 «Գլխավոր ճանապարհ» նշանը տեղակայվում է չկարգավորվող խաչմերուկներով անցման առավելություն ունեցող ճանապարհի տեղամասի սկզբում:
Բնակավայրերում նշանը տեղակայվում է գլխավոր ճանապարհի յուրաքանչյուր խաչմերուկից առաջ: Այն չկարգավորվող խաչմերուկներից առաջ, որոնցով գլխավոր ճանապարհն անցնում է ուղիղ, իսկ փոխհատվող ճանապարհն ունի 4-ից ոչ ավելի գոտի, թույլատրվում է տեղակայել 350 x 350 չափսերով նշան:
Թույլատրվում է բնակավայրերում գլխավոր ճանապարհի հետ երկրորդականի փոխհատումից առաջ նշանը չտեղակայել փոխհատման հակառակ կողմում:
2.1 նշանը 8.13 ցուցանակի հետ տեղակայվում է այն խաչմերուկից առաջ, որտեղ գլխավոր ճանապարհը փոխում է ուղղությունը, ինչպես նաև բարդ հատակագծմամբ խաչմերուկներից առաջ: Բնակավայրերում 2.1 նշանը 8.13 ցուցանակի հետ տեղակայվում է խաչմերուկից առաջ, բնակավայրերից դուրս` նախօրոք` մինչև խաչմերուկը` 150-300 մ հեռավորության վրա և խաչմերուկից առաջ (նկար N 4-ա):
Մի քանի երթևեկելի մասերով ճանապարհների փոխհատումներում նշանը տեղակայվում է այն փոխհատվող երթևեկելի մասերից առաջ, որտեղ հնարավոր է ճանապարհները գլխավոր լինելու ոչ միանշանակ սահմանում:
49.2. 2.2 «Գլխավոր ճանապարհի վերջ» նշանը տեղակայվում է այն ճանապարհի տեղամասի վերջում, որտեղ, որպես գլխավոր ճանապարհ, փոխում է իր կարգավիճակը:
Եթե 2.1 նշանով նշված ճանապարհը վերջանում է տվյալ խաչմերուկի անցման առավելություն տրված ճանապարհի հետ փոխհատումից առաջ, ապա 2.2 նշանը բնակավայրերից դուրս տեղակայվում է 8.1.1 կամ 8.1.2 ցուցանակի հետ նախօրոք տեղակայված 2.4 նշանի հետ մեկ հենարանի վրա, բնակավայրերում` 25 մ խաչմերուկից հետո կամ 2.4 կամ 2.5 նշանի հետ: 2.2 նշանը բնակավայրերից դուրս կարող է կրկնվել 2.4 կամ 2.5 նշանի հետ, բնակավայրերում` նախօրոք` 8.1.1 ցուցանակի հետ` հիմնական նշանից 50-100 մ հեռավորության վրա (նկար N 4-բ):
49.3. 2.3.1 «Հատում երկրորդական ճանապարհի հետ», 2.3.2-2.3.7 «Երկրորդական ճանապարհի հարում» նշանները բնակավայրերից դուրս տեղակայվում են 2.1 նշանով նշված ճանապարհների բոլոր խաչմերուկներից առաջ: Նշանները չեն տեղակայվում բարդ հատակագծմամբ խաչմերուկներից առաջ և այն խաչմերուկներից առաջ, որոնց վրա գլխավոր ճանապարհը փոխում է ուղղությունը: 2.3.2–2.3.7 նշանները պետք է տեղակայվեն, եթե գլխավոր և երկրորդական ճանապարհների առանցքների միջև անկյունը պակաս է 600-ից:
Նկար N 4. Գլխավոր ճանապարհի վրա առավելության նշանների տեղաբաշխումը.
ա) բնակավայրում խաչմերուկից առաջ, որտեղ գլխավոր ճանապարհը փոխում է ուղղությունը.
բ) գլխավոր ճանապարհի վերջում: Կետագծերով նշված են այն նշանները, որոնք թույլատրվում է տեղակայել
Բնակավայրերից դուրս 2.3.1.-2.3.7. նշանները խաչմերուկից առաջ տեղակայվում են 150-300 մ, բնակավայրերում` 50-100 մ հեռավորության վրա: Անհրաժեշտության դեպքում այդ նշանները կարող են տեղակայվել այլ հեռավորության վրա, որը նշվում է 8.1.1 ցուցանակով:
49.4. Թույլատրվում է 2.1, 2.3.1-2.3.7 նշանները չտեղակայել տարբեր մակարդակներում ճանապարհների փոխհատումների իջատեղերից առաջ, ինչպես նաև կոշտ ծածկույթ ունեցող ճանապարհի հետ հողային ծածկույթ ունեցող ճանապարհների հարումից, մերձակա տարածքներից դուրս եկող ճանապարհի հարումից առաջ, եթե օրվա լուսավոր և մութ ժամերին` նշված հարվող ճանապարհների հատկանիշները գլխավոր ճանապարհով շարժվող տրանսպորտային միջոցների վարորդների կողմից միանշանակ ճանաչելի են:
49.5. 2.4 «Զիջեք ճանապարհը» նշանը կիրառվում է` նշելու համար այն տեղը, որտեղ վարորդը պետք է ճանապարհը զիջի փոխհատվող ճանապարհով երթևեկող տրանսպորտային միջոցներին, 8.13 ցուցանակի առկայության դեպքում` գլխավոր ճանապարհով երթևեկող տրանսպորտային միջոցներին:
Նշանը տեղակայվում է կորային կցորդման սկզբում` դեպի այն ճանապարհի մուտքից անմիջապես առաջ, որտեղով 2.1 կամ 2.3.1-2.3.7 նշաններով տրված է առավելության իրավունք` տվյալ խաչմերուկն անցնելու համար:
Բարդ հատակագծմամբ խաչմերուկներից և այն խաչմերուկներից առաջ, որտեղ գլխավոր ճանապարհը փոխում է ուղղությունը, նշանը տեղակայվում է 8.13 ցուցանակի հետ:
Նշանը տեղակայվում է հողային ծածկույթ ունեցող ճանապարհներից կոշտ ծածկույթ ունեցող ճանապարհ դուրս գալու ելքի վրա, ինչպես նաև մերձակա տարածքներից դուրս եկող ճանապարհի ելքի վրա, եթե օրվա լուսավոր և մութ ժամերին` նշված հարող ճանապարհների հատկանիշները գլխավոր ճանապարհ մտնող տրանսպորտային միջոցների վարորդների կողմից միանշանակ ճանաչելի են:
2.4 նշանը բնակավայրերից դուրս ճանապարհների վրա (բացառությամբ հողային ծածկույթ ունեցող ճանապարհների) 8.1.1 ցուցանակի հետ նախապես տեղակայվում է մինչև խաչմերուկը 150-300 մ հեռավորության վրա, եթե խաչմերուկից առաջ տեղակայված է 2.4 նշանը, կամ` 8.1.2 ցուցանակի հետ, եթե խաչմերուկից առաջ տեղակայված է 2.5 նշանը:
Խաչմերուկների անցման առավելության իրավունք ունեցող ճանապարհ մտնելու վայրերում թափառքի գոտու առկայության դեպքում նշանը տեղակայվում է այդ գոտին սկսվելուց առաջ:
49.6. 2.5 «Երթևեկությունն առանց կանգառի արգելվում է» նշանը կիրառվում է կանգնելու և փոխհատվող ճանապարհով երթևեկող տրանսպորտային միջոցներին զիջելու նպատակով կանգնելու տեղը վարորդներին նշելու համար, իսկ 8.13 ցուցանակի առկայության դեպքում` գլխավոր ճանապարհով երթևեկող տրանսպորտային միջոցներին զիջելու համար: Տվյալ դեպքում վարորդները տրանսպորտային միջոցներին զիջելու համար պետք է իրենց տրանսպորտային միջոցները կանգնեցնեն «Կանգ» գծից առաջ, դրա բացակայության դեպքում` ճանապարհի եզրին հավասար:
Նշանը 2.4 նշանի փոխարեն տեղակայվում է, եթե հատվող ճանապարհով մոտեցող տրանսպորտային միջոցի տեսանելիությունն ապահովված չէ:
Նշանն առանց հերթապահի, լուսացույցներով չկահավորված երկաթուղային գծանցից առաջ տեղակայվում է մոտակա երկաթգծից 10 մ հեռավորության վրա, եթե մոտակա երկաթգծից 50 մ հեռավորության վրա գնացքի տեսանելիության հեռավորությունը պակաս է N 5 աղյուսակում նշված մեծություններից:
Աղյուսակ N 5. Տրանսպորտային միջոցից գնացքի տեսանելիության` երթևեկության անվտանգությունն ապահովող նվազագույն հեռավորությունը
| Գնացքի երթևեկության արագությունը, կմ/ժ |
121- 140 |
81-120 | 41-80 | 26-40 | 25 և պակաս |
| Տեսանելիության հեռավորությունը, մ, ոչ պակաս |
500 | 400 | 250 | 150 | 100 |
|
1. Որպես երթևեկության արագություն ընդունվում է գնացքի առավելագույն արագությունը, որը սահմանված է գծանցի մատույցներում: 2. Գծանցներում նոր կառուցվող և վերակառուցվող ճանապարհների նախագծման դեպքում, N 15 աղյուսակում նշված մեծություններից ոչ պակաս հեռավորության վրա գծանցից առաջ կանգնելու համար` ավտոմոբիլի վարորդի համար գծանցին մոտեցող գնացքի տեսանելիությունը պետք է ապահովվի առնվազն 400 մ հեռավորության վրա: | |||||
Գծանցի վրա աշխատանքներ կատարելիս 2.5 ժամանակավոր նշանը թույլատրվում է տեղակայել գծանցներից առաջ:
Երկաթուղային գծանցից առաջ 2.5 նշանի տեղակայման դեպքում կրկնվող 2.4 նշանը 8.1.2 ցուցանակի հետ չի տեղակայվում:
(49.6-րդ կետը փոփ. 19.02.15 N 161-Ն)
49.7. 2.3.1-2.3.7, 2.4, 2.5 նշանները թույլատրվում է կիրառել առանձին խաչմերուկների համար, որտեղ անհրաժեշտ է սահմանել հավասարազոր ճանապարհների խաչմերուկի անցման հերթականությունից տարբեր անցման հերթականություն:
Խաչմերուկում գլխավոր ճանապարհի ուղղությունը փոխվելու դեպքում գլխավոր ճանապարհի վրա` խաչմերուկից առաջ տեղակայվում է 2.1 նշանը` 8.13 ցուցանակի հետ, խաչմերուկից հետո` 2.2 նշանը:
49.8. Կարգավորվող խաչմերուկներում 2.1, 2.4, 2.5 նշանները պետք է տեղակայել անմիջապես հիմնական լուսացույցին մոտ, նախընտրելի է լուսացույցի հենարանի վրա:
49.9. 2.6 «Հանդիպակաց երթևեկության առավելություն» և 2.7 «Առավելություն հանդիպակաց երթևեկության նկատմամբ» նշանները կիրառվում են այն վայրերում երթևեկությունը կազմակերպելու համար, որտեղ անհնար կամ վտանգավոր են տրանսպորտային միջոցների հանդիպակաց կողանցումը (ճանապարհների նեղ տեղամասեր, կամրջային կառույցներ, թունելներ և այլն), հանդիպակաց կողանցման ինքնակարգավորումը, և ամբողջ տեղամասի ու դեպի ճանապարհի նեղ տեղամաս մուտքի երկու հակառակ կողմերից տեսանելիությունն ապահովող երթևեկության ինտենսիվության դեպքում:
Նշանները տեղակայվում են այն կամրջային կառույցներից առաջ, որոնց վրա երկկողմ երթևեկությունն իրականացվում է 6 մ-ից պակաս երթևեկելի մասով:
Երկայնական թեքություն ունեցող ճանապարհների տեղամասերում առավելությունը տրվում է դեպի վերելք ընթացող տրանսպորտային միջոցներին:
Նշանները տեղակայվում են անմիջապես ճանապարհի նեղ տեղամասերից առաջ` հակառակ ծայրերում, ընդ որում, 2.6 նշանը 8.1.1 ցուցանակի հետ նախապես տեղակայվում է նաև 1.20.1-1.20.3 նշաններից որևէ մեկի հետ` նույն հենարանի վրա:
50. Արգելող նշանները կիրառվում են երթևեկության սահմանափակումներ մտցնելու կամ դրանք վերացնելու համար և տեղակայվում են սույն կանոնների 36-րդ կետի համաձայն:
(50-րդ կետը փոփ. 19.02.15 N 161-Ն)
50.1. 3.1 «Մուտքն արգելվում է» նշանը տեղակայվում է`
ա) միակողմ երթևեկություն ունեցող ճանապարհների կամ երթևեկելի մասերի տեղամասերում հանդիպակաց ուղղության տրանսպորտային միջոցների երթևեկությունն արգելելու համար: Միմյանցից պուրակով կամ բաժանարար գոտիով առանձնացված մի քանի երթևեկելի մասեր ունեցող ճանապարհներին նշանը տեղակայվում է յուրաքանչյուր միակողմ երթևեկություն ունեցող երթևեկելի մասի համար.
բ) 5.11.1 նշանով նշված ճանապարհների վրա` ընդհանուր հոսքին հակառակ տրանսպորտային միջոցների մուտքը կանխելու համար.
գ) տրանսպորտային միջոցների կայանման հրապարակներում, հանգստի հրապարակներում, ավտոլցավորման կայաններում և այլուր` առանձին մուտք և ելք կազմակերպելու համար.
դ) դեպի երթևեկության առանձին գոտի կամ ճանապարհի առանձին տեղամաս մուտքն արգելելու համար:
Առանձին գոտի մուտքն արգելող նշանը տեղակայվում է 8.14 ցուցանակի հետ:
Տարբեր մակարդակներում փոխհատումների միակողմ երթևեկությամբ մուտքերում նշանը թույլատրվում է տեղակայել ձախ կողմում:
Եթե հիմնական նշանը տեղակայված է խաչմերուկների միջև ճանապարհի տեղամասում, ապա տեղամասի սկզբում 8.1.1 ցուցանակի հետ տեղադրվում է նախնական 3.1 նշան:
Նշանը չի թույլատրվում կիրառել 8.3.1-8.3.3 և 8.4.1-8.4.8 ցուցանակների հետ:
(50.1-ին կետը խմբ. 19.02.15 N 161-Ն, փոփ. 11.04.19 N 439-Ն)
50.2. 3.2 «Երթևեկությունն արգելվում է» նշանը կիրառվում է ճանապարհների առանձին տեղամասերում բոլոր տրանսպորտային միջոցների երթևեկությունն արգելելու համար:
Նշանը տեղակայվում է դեպի ճանապարհի տեղամասեր կամ որոշակի տարածքներ (բնակելի բակերի, ձեռնարկությունների, բուժական հիմնարկների և այլ տարածքներ)՝ առանց բացառության, բոլոր տրանսպորտային միջոցների երթևեկությունն արգելելու համար:
Նշանը տեղակայվում է այն ճանապարհի կամ տարածքի մուտքերի վրա, որտեղ արգելված է երթևեկությունը: Այս դեպքում դեպի ճանապարհ դուրս եկող կողային մուտքերի վրա նշանը կիրառվում է համապատասխան 8.3.1-8.3.3 ցուցանակի հետ:
Ելնելով գերատեսչական պայմաններից` նշանը կարող է տեղակայվել նաև դեպի դրանց ճանապարհներն ու օբյեկտների տարածքները` երթևեկությունն արգելելու համար:
(50.2-րդ կետը խմբ. 19.02.15 N 161-Ն)
50.3. 3.3 «Մեխանիկական տրանսպորտային միջոցների երթևեկությունն արգելվում է» նշանը կիրառվում է բոլոր մեխանիկական տրանսպորտային միջոցների երթևեկությունն արգելելու համար:
(50.3-րդ կետը խմբ. 19.02.15 N 161-Ն)
50.4. 3.4 «Բեռնատար ավտոմոբիլների երթևեկությունն արգելվում է» նշանը կիրառվում է 3,5 տ-ից ավելի առավելագույն զանգված ունեցող (եթե նշանի վրա նշված չէ զանգվածը) կամ նշանի վրա նշվածից ավելի առավելագույն զանգված ունեցող բեռնատար ավտոմոբիլների և տրանսպորտային միջոցների կազմի (կցորդով կամ կիսակցորդով բեռնատար ավտոմոբիլներ), ինչպես նաև տրակտորների, ինքնագնաց մեքենաների և մեխանիզմների երթևեկությունն արգելելու համար: Նշանը չի արգելում փոստային հատուկ փոխադրումներ իրականացնող կամ ուղևորներ փոխադրող բեռնատար ավտոմոբիլների, ինչպես նաև բեռնատար տաքսիների երթևեկությունը:
Նշանով որևէ գոտիով երթևեկությունն արգելելու դեպքում, նշանն այդ գոտու վրա տեղակայվում է 8.14 ցուցանակի հետ: Բեռնատար ավտոմոբիլների տարանցիկ զգալի հոսքի առկայության դեպքում նշանը տեղակայվում է 6.15.1-6.15.3 համապատասխան նշանի հետ` վարորդներին առաջարկվող շրջանցող երթուղու մասին տեղեկություն տալու համար:
(50.4-րդ կետը խմբ. 19.02.15 N 161-Ն)
50.5. 3.5 «Մոտոցիկլների երթևեկությունն արգելվում է» նշանը կիրառվում է մոտոցիկլետների երթևեկությունը, 3.6 «Տրակտորների երթևեկությունն արգելվում է» նշանը` տրակտորների, ինքնագնաց մեքենաների և մեխանիզմների երթևեկությունն արգելելու համար:
(50.5-րդ կետը խմբ. 19.02.15 N 161-Ն)
50.6. 3.7 «Կցորդով երթևեկությունն արգելվում է» նշանը կիրառվում է բոլոր տեսակի կցորդներով կամ կիսակցորդներով բեռնատար ավտոմոբիլների և տրակտորների երթևեկությունը, ինչպես նաև մեխանիկական տրանսպորտային միջոցների բոլոր տեսակի քարշակումներն արգելելու համար:
Նշանը տեղակայվում է ճանապարհի տեղամասում, որտեղ կցորդով (կիսակցորդով) երթևեկությունը գործնականում անհնար է կամ խոչընդոտ է ստեղծվում հանդիպակաց երթևեկության համար (կտրուկ շրջադարձերով, մեծ թեքություններով, նեղ երթևեկելի մասով ճանապարհի տեղամաս և այլն):
(50.6-րդ կետը խմբ. 19.02.15 N 161-Ն)
50.7. 3.8 «Լծասայլերի երթևեկությունն արգելվում է» նշանը կիրառվում է լծասայլերի (լծասահնակների), հեծկան կամ բեռնակիր կենդանիներով երթևեկությունը, ինչպես նաև անասուն քշելն արգելելու համար:
(50.7-րդ կետը խմբ. 19.02.15 N 161-Ն)
50.8. 3.9 «Հեծանիվներով երթևեկությունն արգելվում է» նշանը կիրառվում է հեծանիվներով և մոպեդներով երթևեկությունն արգելելու համար: Ճանապարհին զուգահեռ 4.5.1 նշանով նշված հեծանվային արահետի առկայության դեպքում նշանը չի տեղակայվում:
(50.8-րդ կետը խմբ. 19.02.15 N 161-Ն, փոփ. 11.04.19 N 439-Ն)
50.9. 3.10 «Հետիոտների տեղաշարժն արգելվում է» նշանը կարգավորվող խաչմերուկներում թույլատրվում է կիրառել, եթե որևէ ուղղությամբ հետիոտների երթևեկությունն արգելված է:
Նշանը տեղակայվում է այն տեղերում, որտեղ հետիոտների երթևեկությունը անթույլատրելի է` ելնելով նրանց անվտանգության պայմաններից (մայթեր չունեցող արհեստական կառույցներ, ճանապարհների նորոգման տեղամասեր և այլն):
Նշանը տեղակայվում է ճանապարհի այն կողմում, որտեղ մտցվում է արգելքը: Մայթի եզրին նշանը տեղակայվում է դիմային մասով ուղղված դեպի այն հետիոտները, որոնց երթևեկությունն արգելվում է:
(50.9-րդ կետը փոփ. 19.02.15 N 161-Ն)
50.10. 3.11 «Զանգվածի սահմանափակում» նշանը կիրառվում է տրանսպորտային միջոցների կամ տրանսպորտային միջոցների կազմի երթևեկությունն արգելելու համար, որոնց ընդհանուր փաստացի զանգվածը մեծ է նշանի վրա նշվածից:
Կամրջային կառույցներից (կամուրջներ, ուղեկամուրջներ և այլն) առաջ տեղակայված նշանի վրա նշված թույլատրելի զանգվածի մեծությունը որոշվում է հատուկ հետազոտությունների և փորձարկումների արդյունքներով` հաշվի առնելով կառույցի կրողունակությունը:
Սառցային անցումներից առաջ տեղակայված նշանների վրա թույլատրելի զանգվածի մեծությունը որոշվում է հետազոտությունների և փորձարկումների արդյունքներով` հաշվի առնելով սառույցի կրողունակությունը:
50.11. 3.12 «Սռնու վրա բեռնվածության սահմանափակում» նշանը կիրառվում է այն տրանսպորտային միջոցների երթևեկությունն արգելելու համար, որոնց որևէ սռնու վրա ընկնող փաստացի զանգվածը մեծ է նշանի վրա նշվածից:
Նշանը 8.20.1 կամ 8.20.2 ցուցանակի հետ կիրառվում է այն տրանսպորտային միջոցների երթևեկությունն արգելելու համար, որոնց սայլակի որևէ սռնու վրա ընկնող փաստացի զանգվածը մեծ է նշանի վրա նշվածից:
Նշանի վրա նշված թույլատրելի զանգվածի մեծությունը որոշվում է հետազոտությունների արդյունքներով` տվյալ ժամանակաշրջանում ճանապարհի ծածկույթի և կամրջային կառույցների տարրերի փաստացի կրողունակությամբ:
50.12. 3.13 «Բարձրության սահմանափակում» նշանը կիրառվում է այն տրանսպորտային միջոցների երթևեկությունն արգելելու համար, որոնց եզրաչափային բարձրությունը (բեռով կամ առանց բեռի) ավելի է նշանի վրա նշվածից:
Նշանը թունելի, կամրջի, ուղեկամրջի, էստակադի, էլեկտրահաղորդման գծերի տակ մտնելուց, երկաթուղային գծանցներից առաջ տեղակայվում է, եթե սահմանափակ եզրաչափերի պատճառով կառույցը կարող է վնասվել տրանսպորտային միջոցի կամ բեռի կողմից և, եթե ճանապարհի մակերևույթից մինչև կառույցի ներքին եզրը եղած հեռավորությունը պակաս է 5 մ-ից:
Հաղորդակցուղիների համար նշանի վրա նշված բարձրությունը փաստացի մեծությունից պետք է 0,2-0,4 մ-ից պակաս լինի այն ուղեկամուրջների համար, որոնցով անցնում են ավտոմոբիլային ճանապարհ և երկաթուղի` համապատասխանաբար 0,3 մ-ից և 0,4 մ-ից պակաս: Փաստացի և նշված բարձրությունների միջև տարբերությունը թույլատրվում է մեծացնել ճանապարհային ծածկույթի հարթությունից կախված:
3.13 կրկնվող նշանը թույլատրվում է տեղակայել արհեստական կառույցի հենամեջի, թունելների ճակատամասի վրա, իսկ դրանցից առաջ եզրաչափային դարպասների առկայության դեպքում` դարպասների վրա:
50.13. 3.14 «Լայնության սահմանափակում» նշանը կիրառվում է այն տրանսպորտային միջոցների երթևեկությունն արգելելու համար, որոնց եզրաչափային լայնությունը (բեռով կամ առանց բեռի) ավելի է նշանի վրա նշվածից: Նշանի վրա նշված լայնությունը փաստացի լայնությունից պետք է պակաս լինի 0,2 մ-ով:
Նշանը տեղակայվում է անցատեղից առաջ, եթե թունելում, կամրջային կառույցների հենարանների միջև և այլուր դրանց լայնությունը պակաս է 3,5 մ-ից:
Նշանի վրա նշված լայնությունը փաստացի մեծությունից պետք է 0,2 մ-ից պակաս լինի:
Կրկնվող 3.14 նշանը թույլատրվում է տեղակայել արհեստական կառույցների հենամեջի կամ հենարանի վրա:
50.14. 3.15 «Երկարության սահմանափակում» նշանը կիրառվում է այն տրանսպորտային միջոցների (տրանսպորտային միջոցների կազմի) երթևեկությունն արգելելու համար, որոնց եզրաչափային երկարությունը (բեռով կամ առանց բեռի) ավելի է նշանի վրա նշվածից, նեղ երթևեկելի մասով, խիտ կառուցապատմամբ, կտրուկ շրջադարձերով և նման այլ ճանապարհների տեղամասերում, որտեղ դրանց երթևեկությունը կամ հանդիպակաց տրանսպորտային միջոցների հետ կողանցումը դժվարացված է:
50.15. 3.11-3.15 նախնական նշանները 8.1.1 ցուցանակի հետ տեղակայվում են խաչմերուկից հետո ճանապարհի այն տեղամասի սկզբում, որտեղ 3.11-3.15 հիմնական նշաններով մտցվել են համապատասխան սահմանափակումներ:
50.16. 3.16 «Նվազագույն միջտարածության սահմանափակում» նշանը կիրառվում է տրանսպորտային միջոցների երթևեկությունն արգելելու համար, եթե դրանց միջև տարածությունը փոքր է նշանի վրա նշվածից (սահմանափակ բեռնունակությամբ հենամեջերով կամրջային կառույցների վրա, սառցային անցումների վրա, թունելներում և այլն):
50.17. 3.17.1 «Մաքսային կետ» նշանը կիրառվում է մաքսային կետով (հսկիչ-անցումային կետով) անցումն առանց կանգառի արգելելու համար:
Նախնական 3.17.1 նշանը 8.1.1 ցուցանակի հետ տեղակայվում է մինչև հսկիչ-անցակետը 500 մ հեռավորության վրա:
50.18. 3.17.2 «Վտանգ» նշանը կիրառվում է բոլոր տրանսպորտային միջոցների (բացառությամբ ոստիկանության, շտապ բժշկական օգնության, փրկարարական և վտանգի վերացման նպատակով ժամանած այլ ծառայությունների տրանսպորտային միջոցները) երթևեկությունը ճանապարհի այն տեղամասերում արգելելու համար, որտեղ տեղի են ունեցել ճանապարհատրանսպորտային պատահարներ, վթար կամ առկա է երթևեկության համար այլ վտանգ, որոնց վերացման համար պահանջվում է ժամանակավոր փոխել երթևեկության կազմակերպումը:
(50.18-րդ կետը լրաց. 19.02.15 N 161-Ն)
50.19. 3.17.3 «Հսկիչ կետ» նշանը կիրառվում է հսկիչ կետով (ոստիկանության պահակետում, կարանտին պահակետում, սահմանապահ գոտու, փակ տարածքի ելքի վրա, վճարովի ճանապարհներով անցնելու վճարման կետում և այլն) անցումն առանց կանգառի արգելելու համար: Ոստիկանության և կարանտին պահակետերում նշանը տեղակայվում է օպերատիվ միջոցառումներ իրականացնելու ժամանակ:
50.20. 3.18.1 «Աջ շրջադարձն արգելվում է» և 3.18.2 «Ձախ շրջադարձն արգելվում է» նշանները կիրառվում են երթևեկելի մասերի մոտակա փոխհատումներում, շրջադարձն արգելվում է այն դեպքերում, երբ երթևեկության անհրաժեշտ կարգն անհնար է ապահովել 4.1.1-4.1.6 կամ 5.15.1, 5.15.2 նշանների օգնությամբ:
(50.20-րդ կետը խմբ. 19.02.15 N 161-Ն)
50.21. 3.19 «Հետադարձն արգելվում է» նշանը տեղակայվում է խաչմերուկից առաջ, որտեղ այդ մանևրը վտանգ է ստեղծում մյուս տրանսպորտային միջոցների կամ հետիոտների երթևեկության համար:
Նշանը խաչմերուկների միջև ճանապարհների տեղամասերում չի կիրառվում բաժանիչ գոտու խզվածքներում հետադարձն արգելելու համար:
(50.21-րդ կետը խմբ. 19.02.15 N 161-Ն)
50.22. Տվյալ ուղղությամբ երկու և ավելի երթևեկության գոտիներ ունեցող ճանապարհներին 3.18.2 և 3.19 հիմնական նշանները տեղակայվում են ձախ գոտու վրա, բաժանիչ գոտիով ճանապարհների վրա` բաժանիչ գոտու վրա: Բաժանիչ գոտի չունեցող` հանդիպակաց երթևեկության համար ավելի քան երկու գոտի ունեցող ճանապարհների վրա կրկնող նշանը թույլատրվում է տեղակայել ճանապարհի ձախ կողմում:
50.23. 3.20 «Վազանցն արգելվում է» նշանը կիրառվում է բոլոր տրանսպորտային միջոցների՝ բացառությամբ դանդաղընթաց տրանսպորտային միջոցների, լծասայլերի, մոպեդների և առանց սայլակի երկանիվ մոտոցիկլների վազանցն արգելելու համար, իսկ 3.22 «Բեռնատար ավտոմոբիլներով վազանցն արգելվում է» նշանը՝ 3.5 տ-ից ավելի թույլատրելի առավելագույն զանգվածով բեռնատար ավտոմոբիլների վազանցը բոլոր տրանսպորտային միջոցներին արգելելու համար:
3.20 և 3.22 նշանները 8.5.4-8.5.7 ցուցանակներից որևէ մեկի հետ տեղակայվում են երկու ուղղությամբ` 3 և պակաս երթևեկության գոտիներ ունեցող ճանապարհներին, երբ երթևեկության ինտենսիվությունից, երթևեկելի մասի լայնությունից և վիճակից կախված առավելագույն վտանգ կա ընդհարվելու հանդիպակաց և համընթաց տրանսպորտային միջոցների հետ:
3.20 նշանը տեղակայվում է հանդիպակաց ավտոմոբիլի տեսանելիությունը չապահովող (N 3 աղյուսակ) ճանապարհի տեղամասում, այս դեպքում նշանն ազդում է վտանգավոր տեղամասի երկարությամբ:
(50.23-րդ կետը խմբ. 19.02.15 N 161-Ն)
50.24. 3.24 «Առավելագույն արագության սահմանափակում» նշանը կիրառվում է ճանապարհի տեղամասում` նախորդ տեղամասում սահմանվածից տարբեր առավելագույն արագություն սահմանելու անհրաժեշտություն առաջանալու դեպքում` բոլոր տրանսպորտային միջոցների երթևեկությունը նշանի վրա նշվածից ավելի արագությամբ (կմ/ժ) արգելելու համար:
Ճանապարհի վտանգավոր տեղամասերում (կտրուկ շրջադարձեր, հանդիպակաց ավտոմոբիլի անբավարար տեսանելիություն, ճանապարհի նեղացում և այլն) երթևեկության արագությունը սահմանափակելու դեպքում նշանի ազդման գոտին պետք է համապատասխանի վտանգավոր տեղամասի երկարությանը:
Եթե տվյալ տեղամասում սահմանվում է այնպիսի առավելագույն արագություն, որը նախորդ տեղամասի առավելագույն արագությունից տարբերվում է 20 կմ/ժ և ավելի արագությամբ, ապա կիրառվում է ոչ ավելի քան 20 կմ/ժ քայլով արագության աստիճանական սահմանափակում` իրարից 100-150 մ հեռավորության վրա 3.24 նշաններ հաջորդաբար տեղակայելու ճանապարհով:
5.23.1 կամ 5.23.2 նշաններով նշված բնակավայրերից առաջ արագության աստիճանական սահմանափակում չի թույլատրվում կիրառել, եթե նշանի տեսանելիությունն ավելի է 150 մ-ից:
Արհեստական անհարթությունից առաջ 3.24 նշանը 8.2.1 ցուցանակի հետ տեղակայվում է 5.20 նշանի հետ մեկ հենարանի վրա:
50.25. 3.21 «Վազանցի արգելման գոտու վերջ», 3.23 «Բեռնատար ավտոմոբիլներով վազանցի արգելման գոտու վերջ» և 3.25 «Առավելագույն արագության սահմանափակման գոտու վերջ» նշանները կիրառվում են 3.20, 3.22 և 3.24 համապատասխան նշաններով երթևեկության սահմանափակումներ մտցված ճանապարհի տեղամասի վերջը նշելու համար, եթե անհրաժեշտություն չկա ընթացքի ուղղությամբ դրանց ազդեցությունը տարածելու մինչև մոտակա խաչմերուկ կամ մինչև բնակավայրի վերջը, իսկ 3.24 նշանի համար` նաև մինչև 5.23.1 կամ 5.23.2 նշանով նշված բնակավայրի սկիզբը:
Երկու ուղղությամբ երթևեկության մեկ, երկու կամ երեք գոտիներ ունեցող ճանապարհներին 3.21, 3.23, 3.25 նշանները թույլատրվում է տեղակայել միայն ճանապարհի ձախ կողմում` դրանք տեղադրելով հանդիպակաց ուղղությամբ երթևեկող տրանսպորտային միջոցների վարորդների համար նախատեսված համապատասխան 3.20, 3.22, 3.24 նշանների հակառակ երեսին:
50.26. 3.26 «Ձայնային ազդանշան տալն արգելվում է» նշանը կիրառվում է ձայնային ազդանշան տալն արգելելու համար՝ բացառությամբ, եթե այն տրվում է ճանապարհատրանսպորտային պատահարը կանխելու համար, 5.22 նշանով նշված բնակավայրերից դուրս` առողջարանների, հանգստյան տների, առողջարանական ճամբարների, հիվանդանոցների և այլնի մոտով անցնող ճանապարհի տեղամասերում:
(50.26-րդ կետը խմբ. 19.02.15 N 161-Ն)
50.27. 3.27 «Կանգառն արգելվում է» նշանը կիրառվում է տրանսպորտային միջոցների կանգառն ու կայանումն արգելելու համար:
(50.27-րդ կետը խմբ. 19.02.15 N 161-Ն)
50.28. 3.28 «Կայանելն արգելվում է», 3.29 «Կայանելն արգելվում է ամսվա կենտ օրերին», 3.30 «Կայանելն արգելվում է ամսվա զույգ օրերին» նշանները կիրառվում են տրանսպորտային միջոցների կայանումն արգելելու համար:
(50.28-րդ կետը խմբ. 19.02.15 N 161-Ն)
50.29. 3.27-3.30 նշանները տեղակայվում են ճանապարհի այն կողմում, որտեղ մտցված է արգելքը:
3.29, 3.30 նշանները երթևեկելի մասի հակառակ կողմերում միաժամանակ կիրառելու դեպքում ժամը 19-21-ը (տեղափոխման ժամանակը) կայանումը թույլատրվում է երթևեկելի մասի երկու կողմերում:
Հրապարակի որևէ կողմի, շենքի ճակատի և այլնի երկարությամբ կանգառը կամ կայանումն արգելելու համար 3.27-3.30 նշանները 8.2.5, 8.2.6 որևէ ցուցանակի կամ երկուսի հետ միաժամանակ տեղակայվում են հրապարակի մուտքի, դեպի շենքը մուտքի և այլնի դիմաց` դիմային մասով ուղղված դեպի տրանսպորտային միջոցների վարորդները:
Բնակավայրերում 250 մմ տրամագծով 3.27-3.30 կրկնվող նշանները (առանց 8.2.2 - 8.2.4 ցուցանակների), նախկինում մտցված սահմանափակումները հաստատելու նպատակով, տեղակայվում են մերձակա տարածքներից դուրս գալու ելքից հետո, որոնք տրանսպորտային միջոցների վարորդների կողմից միանշանակ պետք է ճանաչվեն:
50.30. 3.31 «Բոլոր սահմանափակումների գոտու վերջ» նշանը կիրառվում է 3.16, 3.20, 3.22, 3.24, 3.26-3.30 նշաններով միաժամանակ մի քանի սահմանափակումներ մտցված ճանապարհի տեղամասը նշելու համար, եթե անհրաժեշտություն չկա այդ սահմանափակումների ազդեցությունը տարածելու մինչև մոտակա խաչմերուկը կամ բնակավայրի վերջը:
50.31. 3.32 «Վտանգավոր բեռներով տրանսպորտային միջոցների երթևեկությունն արգելվում է» նշանը կիրառվում է վտանգավոր բեռների փոխադրումներ իրականացնող տրանսպորտային միջոցների երթևեկությունն արգելելու համար, որոնք Հայաստանի Հանրապետության օրենսդրությամբ սահմանված կարգով պետք է նշված լինեն «Վտանգավոր բեռ» ճանաչման նշաններով (տեղեկատվական ցուցանակներով):
(50.31-րդ կետը խմբ. 19.02.15 N 161-Ն)
50.32. 3.33 «Պայթուցիկ և դյուրավառ բեռներով տրանսպորտային միջոցների երթևեկությունն արգելվում է» նշանը կիրառվում է պայթուցիկ նյութեր և արտադրանք, ինչպես նաև որպես դյուրավառ մակնշման ենթակա այլ բեռների փոխադրումներ իրականացնող տրանսպորտային միջոցների երթևեկությունն արգելելու համար, որոնց վրա տարածվում են Հայաստանի Հանրապետության օրենսդրությամբ սահմանված կանոնները:
3.32 և 3.33 նշանները կիրառվում են վտանգավոր, պայթուցիկ կամ դյուրավառ բեռներով տրանսպորտային միջոցների համար նախատեսված երթուղիներից մուտքը, ինչպես նաև այդ տրանսպորտային միջոցների մուտքը դեպի ճանապարհներ կամ շրջաններ կանխելու նպատակով, որտեղ դրանք մարդկանց համար հատուկ վտանգ են ներկայացնում:
(50.32-րդ կետը խմբ. 19.02.15 N 161-Ն)
50.33. 3.2-3.9, 3.32 և 3.33 նշանները տեղակայվում են ճանապարհի տեղամասի կամ տարածքի յուրաքանչյուր մուտքի վրա, որտեղ արգելվում է համապատասխան տեսակի տրանսպորտային միջոցի երթևեկությունը: Դեպի ճանապարհ դուրս եկող կողային ելքերից առաջ նշանները կիրառվում են 8.3.1-8.3.3 ցուցանակներից որևէ մեկի հետ:
50.34. 3.1-3.3, 3.18.1, 3.18.2, 3.19, 3.27 նշանների ազդեցությունը չի տարածվում սահմանված երթուղով երթևեկող տրանսպորտային միջոցների վրա:
3.2, 3.3, 3.28-3.30 նշանների ազդեցությունը չի տարածվում այն տրանսպորտային միջոցների վրա, որոնք վարում են I և II խմբի հաշմանդամները կամ փոխադրում են նման հաշմանդամների կամ հաշմանդամ երեխայի կարգավիճակ ունեցող երեխա:
3.28-3.30 նշանների ազդեցության գոտում թույլատրվում է հատուկ փոստային ծառայություններ իրականացնող ավտոմոբիլների, ինչպես նաև հաշվիչները միացրած տաքսիների կայանումը:
3.2-3.8 նշանների ազդեցությունը չի տարածվում այն տրանսպորտային միջոցների վրա, որոնք սպասարկում են նշված գոտում գտնվող կազմակերպություններին, սպասարկում են (կամ պատկանում են) այդ գոտում աշխատող կամ բնակվող անձանց, իրականացնում են փոստային ծառայություններ: Այդ տրանսպորտային միջոցները նշված գոտի պետք է մուտք գործեն և գոտուց դուրս գան օբյեկտին մոտ խաչմերուկից:
(50.34-րդ կետը լրաց. 20.12.12 N 1599-Ն)
50.35. 3.16, 3.20, 3.22, 3.24, 3.26-3.30 նշանների ազդեցությունը տարածվում է նշանի տեղակայման վայրից մինչև նշանից հետո մոտակա խաչմերուկը, իսկ բնակավայրում խաչմերուկի բացակայության դեպքում` մինչև բնակավայրի վերջը: 5.23.1 կամ 5.23.2 նշաններով նշված բնակավայրից առաջ տեղակայված 3.24 նշանի ազդեցությունը տարածվում է մինչև բնակավայրի նշանը:
Մինչև խաչմերուկը կամ մինչև բնակավայրի վերջը տեղակայված համապատասխան նշանով մտցված սահմանափակումը պահպանելու անհրաժեշտության դեպքում 3.16, 3.20, 3.22, 3.24, 3.26-3.30 նշանները պետք է կրկնվեն բնակավայրի վերջում կամ անմիջապես խաչմերուկից հետո:
Անհրաժեշտության դեպքում նշանների ազդման գոտին թույլատրվում է նվազեցնել`
ա) 3.16 և 3.26 նշանների համար` 8.2.1 ցուցանակ կիրառելով.
բ) 3.20, 3.22, 3.24 նշանների համար` դրանց ազդեցության գոտու վերջում կիրառելով համապատասխան 3.21, 3.23, 3.25 նշաններ (որը նախընտրելին է) կամ կիրառելով 8.2.1 ցուցանակ:
3.24 նշանի ազդման գոտին կարող է նվազեցվել առավելագույն արագության այլ նշանակությամբ նշան տեղակայելով:
3.27-3.30 նշաններից յուրաքանչյուրի ազդեցության գոտին կարող է նվազեցվել` դրանց ազդեցության գոտու վերջում 8.2.3 (որը նախընտրելին է) ցուցանակի հետ տեղակայելով կրկնվող 3.27-3.30 նշաններ կամ կիրառելով 8.2.2 ցուցանակը, կամ տեղակայելով նշված նշաններից մեկ ուրիշ նշան, կամ 6.4 նշանը տեղակայելով 8.2.1 ցուցանակի հետ:
3.27 նշանը թույլատրվում է կիրառել 1.4 գծանշման, 3.28 նշանը` 1.10 գծանշման հետ, ընդ որում, նշանի ազդման գոտին որոշվում է գծանշման գծի երկարությամբ:
3.10, 3.27-3.30 նշանների ազդեցությունը տարածվում է ճանապարհի այն կողմի վրա, որտեղ դրանք տեղակայված են:
(50.35-րդ կետը փոփ. 19.02.15 N 161-Ն)
51. Թելադրող նշանները կիրառվում են երթևեկության ռեժիմներ մտցնելու կամ վերացնելու համար և տեղակայվում են սույն կանոնների 36-րդ կետի համաձայն, բացի սույն կանոններով նախատեսված դեպքերի:
(51-րդ կետը փոփ. 19.02.15 N 161-Ն)
51.1. 4.1.1 «Երթևեկությունն ուղիղ», 4.1.2 «Երթևեկությունը դեպի աջ», 4.1.3 «Երթևեկությունը դեպի ձախ», 4.1.4 «Երթևեկությունն ուղիղ կամ դեպի աջ», 4.1.5 «Երթևեկությունն ուղիղ կամ դեպի ձախ», 4.1.6 «Երթևեկությունը դեպի աջ կամ դեպի ձախ» նշանները կիրառվում են դրանց վրա սլաքների նշած ուղղություններով երթևեկելի մասերին մոտակա փոխհատումներում երթևեկությունը թույլատրելու համար, իսկ 4.1.3, 4.1.5, 4.1.6 նշանները` նաև հետադարձ թույլատրելու համար:
4.1.1-4.1.6 նշանների ազդեցությունը չի տարածվում սահմանված երթուղով երթևեկող տրանսպորտային միջոցների վրա:
Եթե խաչմերուկում երթևեկությունը կարգավորելու նպատակով կարող են կիրառվել, ինչպես 4.1.1-4.1.5 թելադրող նշաններ, այնպես էլ 3.18.1 և 3.18.2 արգելող նշաններ, ապա պետք է կիրառել թելադրող նշանները:
51.2. 4.1.1 «Երթևեկությունն ուղիղ» նշանը խաչմերուկների միջև ճանապարհների տեղամասերում կիրառվում է նաև բաժանիչ գոտու խզվածքներում հետադարձն արգելելու համար: Ընդ որում, նշանը տեղակայվում է միայն բաժանիչ գոտու վրա:
Անհրաժեշտության դեպքում նշանը թույլատրվում է կիրառել տրանսպորտային միջոցների հանդիպակաց հոսքերը բաժանող 1.1 և 1.3 գծանշումները կրկնելու համար, ընդ որում, նշանը տեղակայվում է անմիջապես ճանապարհի տեղամասի սկզբում: Այս դեպքում նշանի ազդեցությունը տարածվում է մինչև մոտակա խաչմերուկը:
51.3. Տվյալ ուղղությամբ երթևեկելու համար երկու և ավելի գոտիներով ճանապարհներին կրկնող 4.1.1, 4.1.2 և 4.1.4 նշանները տեղակայվում են ձախ գոտու վրա, բաժանիչ գոտիով ճանապարհներին` բաժանիչ գոտում, իսկ բաժանիչ գոտի չունեցող, հանդիպակաց երթևեկության համար երկուսից ոչ ավելի գոտիներով ճանապարհներին կրկնող նշանը թույլատրվում է տեղակայել ճանապարհի ձախ կողմում:
51.4. 4.2.1 «Արգելքի շրջանցումն աջից», 4.2.2 «Արգելքի շրջանցումը ձախից», 4.2.3 «Արգելքի շրջանցումն աջից կամ ձախից» նշանները կիրառվում են երթևեկելի մասի առանցքով տեղակայված ճանապարհային ցանկապատերի սկիզբը, բաժանիչ գոտու սկիզբը, բարձրացված անվտանգության կղզյակները և ուղղորդ կղզյակները, երթևեկելի մասում գտնվող զանազան խոչընդոտները շրջանցելու ուղղությունները նշելու համար:
Նշանները երթևեկելի մասից դուրս տեղակայվում են բաժանիչ գոտիների, կղզյակների և ճանապարհային ցանկապատերի սկզբում: Նշված տեղերում ներքին լուսավորությամբ կարճասյուների առկայության դեպքում նշանները տեղակայվում են դրանց վրա:
(51.4-րդ կետը փոփ. 19.02.15 N 161-Ն)
51.5. 4.3 «Շրջանաձև երթևեկություն» նշանը տեղակայվում է խաչմերուկի (հրապարակի) յուրաքանչյուր մուտքի վրա, որտեղ կազմակերպված է շրջանաձև երթևեկություն: Նշանը չի կիրառվում, եթե շրջանաձև երթևեկության հետ միաժամանակ թույլատրվում է տրանսպորտային միջոցների, գծայինից բացի, խաչաձև երթևեկությունը:
51.6. 4.4.1 «Հեծանվային արահետ» նշանը կիրառվում է այն արահետը նշելու համար, որտեղ թույլատրվում է միայն հեծանիվների և մոպեդների երթևեկությունը, իսկ մայթի կամ հետիոտնային արահետի բացակայության դեպքում` նաև հետիոտների երթևեկությունը:
Նշանը տեղակայվում է`
ա) հեծանվային արահետից կամ գոտուց աջ, եթե այն երթևեկելի մասից առանձնացված է եզրաքարով, արգելափակոցով, գազոնով և այլն.
բ) 8.14 ցուցանակի հետ երթևեկելի մասի վրա, եթե այն մեխանիկական տրանսպորտային միջոցների երթևեկության համար գոտիներից առանձնացված է 1.1 գծանշումով:
Հիմնական նշանը տեղակայվում է հեծանվային արահետի սկզբում, կրկնվող նշանը` ճանապարհի հետ հեծանվային արահետի յուրաքանչյուր փոխհատումից հետո:
(51.6-րդ կետը փոփ. 11.04.19 N 439-Ն)
51.6.1. 4.4.2 «Հեծանվային արահետի վերջ» նշանը կիրառվում է 4.4.1 նշանով նշված արահետի վերջը նշելու համար և տեղակայվում է արահետի վերջում:
(51.6.1-ին կետը լրաց. 11.04.19 N 439-Ն)
51.7. 4.5.1 «Հետիոտնային արահետ» նշանը կիրառվում է միայն հետիոտների տեղաշարժը թույլատրող արահետը նշելու համար:
Հիմնական նշանը տեղակայվում է հետիոտնային արահետի սկզբում` աջ կողմում, կրկնվող նշանը` ճանապարհի հետ յուրաքանչյուր փոխհատումից հետո:
(51.7-րդ կետը փոփ. 19.02.15 N 161-Ն, 11.04.19 N 439-Ն)
51.7.1. 4.5.2 «Համատեղ երթևեկությամբ հետիոտնային և հեծանվային արահետ (համատեղ երթևեկությամբ հեծանվահետիոտնային արահետ)» նշանը կիրառվում է հետիոտների, հեծանիվների և մոպեդների համատեղ տեղաշարժը թույլատրող արահետը նշելու համար:
Հիմնական նշանը տեղակայվում է հեծանվահետիոտնային արահետի սկզբում` աջ կողմում, կրկնվող նշանը` ճանապարհի հետ յուրաքանչյուր փոխհատումից հետո:
(51.7.1-ին կետը լրաց. 11.04.19 N 439-Ն)
51.7.2. 4.5.3 «Համատեղ երթևեկությամբ հետիոտնային և հեծանվային արահետի վերջ (համատեղ երթևեկությամբ հեծանվահետիոտնային արահետի վերջ)» նշանը կիրառվում է 4.5.2 նշանով նշված արահետի վերջը նշելու համար և տեղակայվում է արահետի վերջում:
(51.7.2-րդ կետը լրաց. 11.04.19 N 439-Ն)
51.7.3. 4.5.4, 4.5.5. «Տարանջատված երթևեկությամբ հետիոտնային և հեծանվային արահետ (տարանջատված երթևեկությամբ հեծանվահետիոտնային արահետ)» նշանը կիրառվում է կառուցվածքորեն և (կամ) 1.2, 1.23.2 և 1.23.3 հորիզոնական գծանշումներով կամ այլ եղանակով առանձնացման միջոցով արահետի՝ հեծանվային և հետիոտնային կողմերի բաժանված հետիոտների, հեծանիվների և մոպեդների տարանջատված տեղաշարժը թույլատրող արահետը նշելու համար:
Հիմնական նշանը տեղակայվում է հեծանվահետիոտնային արահետի սկզբում` աջ կողմում, կրկնվող նշանը` ճանապարհի հետ յուրաքանչյուր փոխհատումից հետո:
(51.7.3-րդ կետը լրաց. 11.04.19 N 439-Ն)
51.7.4. 4.5.6, 4.5.7. «Տարանջատված երթևեկությամբ հետիոտնային և հեծանվային արահետի վերջ (տարանջատված երթևեկությամբ հեծանվահետիոտնային արահետի վերջ)» նշանը կիրառվում է 4.5.4 և 4.5.5 նշաններով նշված արահետի վերջը նշելու համար և տեղակայվում է արահետի վերջում:
(51.7.4-րդ կետը լրաց. 11.04.19 N 439-Ն)
51.8. 4.6 «Նվազագույն արագության սահմանափակում» նշանը կիրառվում է ճանապարհին կամ դրա առանձին գոտում երթևեկության այնպիսի ռեժիմ մտցնելու համար, որի դեպքում երթևեկությունը թույլատրվում է միայն նշանի վրա նշված (կմ/ժ) կամ ավելի բարձր արագությամբ (օրինակ` տվյալ ուղղությամբ երկու և ավելի գոտիներով ճանապարհների ձգձգվող վերելքների վրա):
Նշանի ազդեցությունը տարածվում է տեղակայման վայրից մինչև նշանից հետո մոտակա խաչմերուկը, բնակավայրում խաչմերուկի բացակայության դեպքում` մինչև բնակավայրի վերջը:
Երթևեկելի մասի ամբողջ լայնությամբ երթևեկության նվազագույն արագության սահմանափակումը թույլատրելի է նշանի վրա նշված արագությամբ երթևեկել չկարողացող տրանսպորտային միջոցների համար այլընտրանքային ճանապարհի առկայության դեպքում:
4.7 «Նվազագույն արագության սահմանափակման գոտու վերջ» նշանը կիրառվում է 4.6 կամ 5.15.3 նշանով երթևեկության նվազագույն արագության սահմանափակում մտցված ճանապարհի տեղամասի վերջը նշելու համար և տեղակայվում է տեղամասի կամ երթևեկության գոտու վերջում:
51.9. 4.8.1-4.8.3 «Վտանգավոր բեռներով տրանսպորտային միջոցների երթևեկության ուղղություն» նշանները կիրառվում են վտանգավոր բեռների փոխադրումներ իրականացնող տրանսպորտային միջոցների երթևեկության ուղղությունը նշելու համար, և որոնք Հայաստանի Հանրապետության օրենսդրությանը համապատասխան պետք է նշված լինեն «Վտանգավոր բեռ» ճանաչման նշաններով (տեղեկատվական ցուցանակներով):
Նշաններն օգտագործելու դեպքում խաչմերուկում 3.32 և 3.33 նշանները կարելի է չտեղակայել:
52. Հատուկ թելադրանքի նշանները կիրառվում են երթևեկության հատուկ ռեժիմներ մտցնելու կամ դրանք վերացնելու համար:
52.1. 5.1 «Ավտոմայրուղի» նշանը կիրառվում է այն ճանապարհները նշելու համար, որտեղ Ճանապարհային երթևեկության կանոնների համաձայն գործում են ավտոմայրուղիներով երթևեկության կարգը սահմանող պահանջները:
Նշանը տեղակայվում է`
ա) ավտոմայրուղու սկզբում.
բ) 8.1.1 ցուցանակի հետ` ավտոմայրուղուն մոտակա հետադարձի տեղից կամ խաչմերուկից առաջ.
գ) 8.1.3 կամ 8.1.4 ցուցանակի հետ` տարբեր մակարդակների փոխհատումներում դեպի ավտոմայրուղի իջատեղերից առաջ, ավտոմայրուղուն մոտակա այն ճանապարհի հետ փոխհատումից առաջ, որն այնուհետև դառնում է ավտոմայրուղի.
դ) 8.3.1 ցուցանակի հետ` նույն մակարդակում հարումների վրա դեպի ավտոմայրուղի ելքից առաջ.
ե) 8.3.1, 8.3.2 ցուցանակներով` նույն մակարդակում փոխհատման վրա սկսվող դեպի ավտոմայրուղի ելքից առաջ:
5.1 կրկնվող նշանները թույլատրվում է տեղակայել ավտոմայրուղու մուտքից հետո:
52.2. 5.2 «Ավտոմայրուղու վերջը» նշանը տեղակայվում է ավտոմայրուղու վերջում, ավտոմայրուղուց իջատեղերի սկզբում և նախապես 8.1.1 ցուցանակի հետ` մինչև ավտոմայրուղու վերջը 400-1000 մ հեռավորության վրա (նկար 5):
52.3. 5.3 «Ճանապարհ ավտոմոբիլների համար» նշանը կիրառվում է միայն ավտոմոբիլների, ավտոբուսների և մոտոցիկլետների երթևեկության համար նախատեսված ճանապարհը նշելու համար և տեղակայվում է ճանապարհի սկզբում:
Նշանը տեղակայվում է`
ա) 8.1.1 ցուցանակի հետ` 5.3 նշանով նշված մոտակա ճանապարհի սկզբից, հետադարձի տեղից կամ խաչմերուկից առաջ.
բ) 8.1.3 կամ 8.1.4 ցուցանակի հետ` դեպի նշանով նշված ճանապարհի իջատեղերից առաջ, տարբեր մակարդակներում փոխհատումների վրա` 5.3 նշանով նշված մոտակա ճանապարհից առաջ, այն ճանապարհի հետ փոխհատումից առաջ, որն այնուհետև դառնում է 5.3 նշանով նշված ճանապարհ.
գ) 8.3.1-8.3.3 ցուցանակներից որևէ մեկի հետ` 5.3 նշանով նշված ճանապարհի հետ փոխհատումից առաջ:
Նկար 5. 5.1 և 5.2 նշանների բաշխման օրինակներ
Խաչմերուկից առաջ 2.4 կամ 2.5 նշանի առկայության դեպքում 5.3 նշանը համապատասխան ցուցանակով տեղակայվում է դրանց հետ` մեկ հենարանի վրա:
52.4. 5.4 «Ավտոմոբիլների համար ճանապարհի վերջ» նշանը տեղակայվում է 5.3 նշանով նշված ճանապարհի վերջում:
52.5. 5.5 «Միակողմ երթևեկությամբ ճանապարհ» նշանը կիրառվում է այն ճանապարհը կամ երթևեկելի մասը նշելու համար, որի ամբողջ լայնությամբ տրանսպորտային միջոցների երթևեկությունն իրականացվում է մեկ ուղղությամբ և տեղակայվում է ճանապարհի կամ երթևեկելի մասի սկզբում:
Նշանը թույլատրվում է չտեղակայել`
ա) տարբեր մակարդակներում փոխհատումների իջատեղերի, դեպի սպասարկման օբյեկտներն անցումների սկզբում, որտեղով իրականացվում է միակողմ երթևեկություն.
բ) հանդիպակաց երթևեկությունը երթևեկելի մասի բաժանիչ գոտիով կամ զբոսայգով առանձնացված միակողմ երթևեկությամբ երթևեկելի մասի սկզբում, առանձին ծրագծմամբ ճանապարհներին, եթե ապահովված է հանդիպակաց երթևեկության յուրաքանչյուր երթևեկելի մասից մյուս երթևեկելի մասի տեսանելիությունը:
5.5 կրկնվող նշանը տեղակայվում է բարդ հատակագծմամբ խաչմերուկներից հետո:
52.6. 5.6 «Միակողմ երթևեկությամբ ճանապարհի վերջ» նշանը տեղակայվում է 5.5 նշանով նշված ճանապարհի կամ երթևեկելի մասի վերջում: 5.6 նախնական նշան թույլատրվում է կիրառել 8.1.1 ցուցանակի հետ:
52.7. 5.7.1 և 5.7.2 «Ելք դեպի միակողմ երթևեկությամբ ճանապարհ» նշանները տեղակայվում են 5.5 նշանով նշված ճանապարհի տեղամասի կամ երթևեկելի մասի բոլոր կողային ելքերից առաջ: Նշանները տեղադրվում են նույն հենարանի վրա տեղակայված մյուս նշանների վրա:
Թույլատրվում է նշանները չտեղակայել մերձակա տարածքներից ճանապարհ դուրս եկող ելքերի վրա, եթե մուտքը դեպի այդ տարածքներ հնարավոր է միայն 5.5 նշանով նշված ճանապարհի տեղամասից:
52.8. 5.8 «Դարձափոխային երթևեկություն» նշանը կիրառվում է այն ճանապարհների տեղամասերը նշելու համար, որտեղ դարձափոխային լուսացույցների կամ 5.15.7 նշանների օգնությամբ երթևեկության առանձին գոտիներով փոխեփոխ երթևեկության հակառակ ուղղության իրավունք տալով իրականացվում է տրանսպորտային միջոցների երթևեկության կարգավորումը:
Նշանը տեղակայվում է դարձափոխային երթևեկությամբ ճանապարհի կամ տեղամասի սկզբում:
Կրկնվող նշանը տեղակայվում է յուրաքանչյուր կարգավորվող խաչմերուկից առաջ, ինչպես նաև բարդ հատակագծմամբ չկարգավորվող խաչմերուկից հետո:
52.9. 5.9 «Դարձափոխային երթևեկության վերջ» նշանը տեղակայվում է 5.8 նշանով նշված դարձափոխային երթևեկությամբ ճանապարհի տեղամասի վերջում:
52.10. 5.10 «Ելք դեպի դարձափոխային երթևեկությամբ ճանապարհը» նշանը կիրառվում է դեպի 5.8 նշանով նշված ճանապարհի տեղամաս դուրս գալու ելքը նշելու համար և տեղակայվում է բոլոր կողային ելքերից առաջ:
Նշանը թույլատրվում է չտեղակայել ճանապարհին մերձակա տարածքների ելքերի վրա, եթե մուտքը դեպի այդ տարածքները հնարավոր է միայն 5.8 նշանով նշված ճանապարհի տեղամասից:
52.11. 5.11.1 «Ընդհանուր օգտագործման տրանսպորտային միջոցների համար գոտիով ճանապարհ» նշանը կիրառվում է տրանսպորտային միջոցների ընդհանուր հոսքին հակառակ ուղղությամբ իրականացվող սահմանված երթուղով երթևեկող տրանսպորտային միջոցների երթևեկության համար հատուկ առանձնացված գոտիով ճանապարհը նշելու համար:
Նշանը տեղակայվում է ճանապարհի տեղամասի սկզբում` երթևեկելի մասի վրա կամ ճանապարհի երկու կողմերում:
Կրկնվող 5.11 նշանը տեղակայվում է բարդ հատակագծմամբ խաչմերուկից հետո:
(52.11-րդ կետը փոփ. 11.04.19 N 439-Ն)
52.11.1. 5.11.2 «Հեծանվորդների համար գոտիով ճանապարհ» նշանը կիրառվում է տրանսպորտային միջոցների ընդհանուր հոսքին հակառակ ուղղությամբ իրականացվող սահմանված երթուղով երթևեկող հեծանվորդների և մոպեդների վարորդների երթևեկության համար հատուկ առանձնացված գոտիով ճանապարհը նշելու համար:
Նշանը տեղակայվում է ճանապարհի տեղամասի սկզբում` երթևեկելի մասի վրա կամ ճանապարհի երկու կողմերում:
Կրկնվող 5.11.2 նշանը տեղակայվում է բարդ հատակագծմամբ խաչմերուկից հետո:
(52.11.1-ին կետը լրաց. 11.04.19 N 439-Ն)
52.12. 5.12.1 «Ընդհանուր օգտագործման տրանսպորտային միջոցների համար գոտիով ճանապարհի վերջ» նշանը տեղակայվում է 5.11.1 նշանով նշված ճանապարհի վերջում:
(52.12-րդ կետը փոփ. 11.04.19 N 439-Ն)
52.12.1. 5.12.2 «Հեծանվորդների համար գոտիով ճանապարհի վերջ» նշանը տեղակայվում է 5.11.2 նշանով նշված ճանապարհի վերջում:
(52.12.1-ին կետը լրաց. 11.04.19 N 439-Ն)
52.13. 5.13.1, 5.13.2 «Ելք դեպի ընդհանուր օգտագործման տրանսպորտային միջոցների համար գոտիով ճանապարհ» նշանները կիրառվում են դեպի 5.11.1 նշանով նշված ճանապարհ դուրս գալու ելքերը նշելու համար և տեղակայվում են բոլոր կողային ելքերից առաջ:
Եթե դեպի ճանապարհ դուրս եկող մուտքի վրա մեկ հենարանին տեղակայված են մի քանի նշաններ, ապա 5.13.1, 5.13.2 նշանները տեղադրվում են մյուս նշանների վրա:
Ճանապարհին հարող տարածքներից մուտքերի վրա նշանը կարելի է չտեղակայել, եթե դեպի այդ տարածքներ մտնելը հնարավոր է 5.11.1 նշանով նշված ճանապարհի տեղամասից:
(52.13-րդ կետը փոփ. 11.04.19 N 439-Ն)
52.13.1. 5.13.3, 5.13.4 «Ելք դեպի հեծանվորդների համար գոտիով ճանապարհ» նշանները կիրառվում են դեպի 5.11.2 նշանով նշված ճանապարհ դուրս գալու ելքերը նշելու համար և տեղակայվում են բոլոր կողային ելքերից առաջ:
Եթե դեպի ճանապարհ դուրս եկող մուտքի վրա մեկ հենարանին տեղակայված են մի քանի նշաններ, ապա 5.13.3, 5.13.4 նշանները տեղադրվում են մյուս նշանների վրա:
Ճանապարհին հարող տարածքներից մուտքերի վրա նշանը կարելի է չտեղակայել, եթե դեպի այդ տարածքներ մտնելը հնարավոր է 5.11.2 նշանով նշված ճանապարհի տեղամասից:
(52.13.1-ին կետը լրաց. 11.04.19 N 439-Ն)
52.14. 5.14 «Ընդհանուր օգտագործման տրանսպորտային միջոցների համար գոտի» նշանը կիրառվում է տրանսպորտային միջոցների ընդհանուր հոսքին համընթաց ուղղությամբ իրականացվող սահմանված երթուղով երթևեկող տրանսպորտային միջոցների երթևեկության համար գոտին նշելու համար:
Նշանը տեղակայվում է գոտու սկզբում` դրա վրա, իսկ եթե այն աջ եզրայինն է, ապա նշանը թույլատրվում է տեղակայել գոտու աջ կողմում:
Նշանը ճանապարհի ամբողջ տեղամասի երկարությամբ յուրաքանչյուր խաչմերուկից հետո կրկնվում է, եթե սահմանված երթուղով երթևեկող տրանսպորտային միջոցների երթևեկությունը կազմակերպված է 5.14 նշանով նշված գոտիով:
52.14.1. 5.14.1 «Ընդհանուր օգտագործման տրանսպորտային միջոցների համար գոտու վերջ» նշանը տեղակայվում է 5.14 նշանով նշված գոտու վերջում:
(52.14.1-ին կետը լրաց. 11.04.19 N 439-Ն)
52.14.2. 5.14.2 «Հեծանվորդների համար գոտի» նշանը կիրառվում է տրանսպորտային միջոցների ընդհանուր հոսքին համընթաց ուղղությամբ երթևեկող հեծանվորդների և մոպեդների վարորդների երթևեկության համար գոտին նշելու համար:
Նշանը տեղակայվում է գոտու սկզբում` դրա վրա, իսկ եթե այն աջ եզրայինն է, ապա նշանը թույլատրվում է տեղակայել գոտու աջ կողմում:
Նշանը ճանապարհի ամբողջ տեղամասի երկարությամբ յուրաքանչյուր խաչմերուկից հետո կրկնվում է, եթե հեծանվորդների և մոպեդների վարորդների երթևեկությունը կազմակերպված է 5.14.2 նշանով նշված գոտիով:
(52.14.2-րդ կետը լրաց. 11.04.19 N 439-Ն)
52.14.3. 5.14.3. «Հեծանվորդների համար գոտու վերջ» նշանը տեղակայվում է 5.14.2 նշանով նշված գոտու վերջում:
(52.14.3-րդ կետը լրաց. 11.04.19 N 439-Ն)
52.15. 5.15.1 «Երթևեկության ուղղությունները գոտիներով» և 5.15.2 «Երթևեկության ուղղությունները գոտիով» նշանները կիրառվում են խաչմերուկում յուրաքանչյուր գոտիով երթևեկության թույլատրելի ուղղությունները նշելու համար, որտեղ պահանջվում է գոտիների օգտագործումն ապահովել տարբեր ուղղություններով տրանսպորտային միջոցների երթևեկության ինտենսիվությանը համապատասխան: 5.15.2 նշանի կիրառումը նախընտրելի է:
Ձախ եզրային գոտուց դեպի ձախ շրջադարձ թույլատրող 5.15.1 և 5.15.2 նշաններն այդ գոտուց թույլատրում են նաև հետադարձը:
Խաչմերուկից առաջ տեղակայված 5.15.1 և 5.15.2 նշանների ազդեցությունը տարածվում է խաչմերուկի վրա, եթե խաչմերուկում տեղակայված 5.15.1 կամ 5.15.2 նշանները այլ ցուցումներ չեն տալիս:
Նշանների ազդեցությունը չի տարածվում սահմանված երթուղով երթևեկող տրանսպորտային միջոցների վրա:
Նշանները երթևեկելի մասի վրա տեղակայվում են խաչմերուկից այնպիսի հեռավորության վրա, որպեսզի վարորդները հնարավորություն ունենան ժամանակին վերադասավորվելու: Նշանները տեղակայվում են 1.1 գծանշումով երթևեկության գոտիների բաժանման սկզբում:
5.15.2 նշաններից յուրաքանչյուրը տեղադրվում է այն գոտու կենտրոնի վրա, որի համար դա նախատեսված է:
5.15.1 և 5.15.2 նախնական նշանները տեղակայվում են խաչմերուկից առաջ տվյալ ուղղությամբ երթևեկության համար երեք գոտիներ, 5.15.2 նշանը` երեք և ավելի գոտիներ ունեցող ճանապարհներին: Մյուս ճանապարհներին նախնական նշանները թույլատրվում է տեղակայել անհրաժեշտության դեպքում:
5.15.1 նշանը բնակավայրերից դուրս խաչմերուկից առաջ` տվյալ ուղղությամբ երթևեկության երեքից ոչ ավելի, բնակավայրերում` ոչ ավելի, քան երկու գոտիներ ունեցող ճանապարհներին թույլատրվում է տեղակայել ճանապարհի աջ կողմում, ընդ որում, տեղակայվում է նաև նախնական 5.15.1 նշան:
5.15.1 և 5.15.2 նախնական նշանները տեղակայվում են հիմնական նշանների տեղակայման տեղից 50-150 մ հեռավորության վրա:
5.15.1 և 5.15.2 նշանների առկայության դեպքում 4.1.1-4.1.6 նշանները չեն կիրառվում:
52.16. 5.15.3 «Գոտու սկիզբ» նշանը կիրառվում է տվյալ ուղղությամբ երթևեկության համար գոտիների քանակն ավելանալու դեպքում` փոխհատումներում և հարումներում վերելքի վրա կամ դանդաղեցման գոտու լրացուցիչ գոտու սկիզբը նշելու համար և տեղակայվում է նման գոտու անջատման սկզբում:
4.7 նշանի (նշանների) պատկերով 5.15.3 նշանը կիրառվում է այն դեպքերում, երբ դեպի վերելք տանող ձախ գոտու (գոտիների) վրա անհրաժեշտ է սահմանել նվազագույն թույլատրելի արագություն:
Նշանի վրա ձախ գոտու համար նշվում է նվազագույն թույլատրելի արագությունը, եթե այն գերազանցում է դեպի վերելք ընթացող տրանսպորտային միջոցների 50%-ը, կամ նվազագույն թույլատրելի արագություններ, որոնք գերազանցում են երեք գոտիներով դեպի վերելք ընթացող տրանսպորտային միջոցների 50%-ը (ձախ գոտու համար) և 85%-ը (միջին գոտու համար):
52.17. 5.15.4 «Գոտու սկիզբ» նշանը կիրառվում է յուրաքանչյուր ուղղության համար գծանշումով հերթականությամբ երկու գոտի հատկացնելու դեպքում` եռագոտի ճանապարհներին տվյալ ուղղությամբ երթևեկության համար նախատեսված միջին գոտու տեղամասի սկիզբը նշելու համար, ընդ որում, նշանը տեղակայվում է գծանշման անցման գծից առաջ:
Նշանը թույլատրվում է կիրառել դեպի ձախ շրջադարձի կամ հետադարձի համար նախատեսված գոտին նշելու համար:
52.18. 5.15.5 «Գոտու վերջ» նշանը կիրառվում է տվյալ ուղղությամբ երթևեկության համար գոտիների քանակը նվազելու դեպքում` թափառքի գոտու կամ վերելքի վրա լրացուցիչ գոտու վերջը նշելու համար և տեղակայվում է գոտու անջատման սկզբում:
52.19. 5.15.6 «Գոտու վերջ» նշանը կիրառվում է տվյալ ուղղությամբ երթևեկության համար նախատեսված գոտու վերջը, 5.15.4 նշանով նշված եռագոտի ճանապարհներին միջին գոտու տեղամասի վերջը նշելու համար և տեղակայվում է գծանշման անցման գծից առաջ:
Նշանը թույլատրվում է կիրառել տվյալ ուղղությամբ երթևեկության համար նախատեսված հիմնական գոտիներից ձախ տեղաբաշխված թափառքի գոտու վերջը նշելու համար: Նշանը տեղակայվում է նման գոտու անջատման սկզբում:
52.20. 5.15.7 «Երթևեկության ուղղությունը գոտիներով» նշանը կիրառվում է հանդիպակացից ավելի շատ քանակով գոտիների ուղղություններից մեկով երթևեկության կազմակերպման դեպքում` գոտիների քանակը և երթևեկության ուղղությունը դրանցից յուրաքանչյուրով նշելու համար, և տեղակայվում է նման երթևեկության կազմակերպմամբ ճանապարհի տեղամասի յուրաքանչյուր խաչմերուկից հետո:
Նշանը երկու սլաքներով թույլատրվում է տեղակայել երկու գոտիով (երթևեկելի մասով) ճանապարհների տեղամասերում, եթե երթևեկության կազմակերպումը (մեկ կամ երկկողմանի) վարորդների կողմից միանշանակ կարող է չընկալվել:
Եթե 8.14 ցուցանակների հետ երթևեկության առանձին գոտիներով նշանները մտցնում են որևէ ռեժիմներ, ապա այդ նշանները կարող են պատկերվել 5.15.7 նշանի սլաքների վրա:
Նշանը թույլատրվում է կիրառել դարձափոխային երթևեկություն կազմակերպելու համար: Այս դեպքում նշանը ճանապարհի ամբողջ տեղամասի երկարությամբ տեղակայվում է յուրաքանչյուր խաչմերուկից հետո:
52.20.1. 5.15.1-5.15.7 նշանների վրա պատկերված երթևեկության ուղղությունը ցույց տվող սլաքները կարող են ունենալ նաև այլ կոնֆիգուրացիաներ (ձևեր):
(52.20.1-ին կետը լրաց. 11.04.19 N 439-Ն)
52.21. 5.15.8 «Գոտիների քանակը» նշանը կիրառվում է տվյալ ուղղությամբ գոտիների քանակը և գոտիներով երթևեկության ռեժիմները նշելու համար:
Բնակավայրերից դուրս նշանը 150-300 մ հեռավորության վրա, բնակավայրերում` 50-150 մ հեռավորության վրա տեղակայվում է ճանապարհի այն տեղամասից առաջ, որտեղ 8.14 ցուցանակների հետ համապատասխան նշաններով, գոտիներով մտցվում են երթևեկության ռեժիմներ:
Նշանը տեղակայվում է երթևեկելի մասի վրա:
Բնակավայրերից դուրս տվյալ ուղղությամբ խաչմերուկից առաջ երեքից ոչ ավելի, բնակավայրերում` երկուսից ոչ ավելի երթևեկության գոտիներ ունեցող ճանապարհներին նշանը թույլատրվում է տեղակայել աջ կողմում:
52.22. 5.16 «Ավտոբուսի և (կամ) տրոլեյբուսի կանգառի տեղ», 5.17 «Տրամվայի կանգառի տեղ», 5.18 «Թեթև մարդատար տաքսիների կանգառի տեղ» նշանները կիրառվում են սահմանված երթուղով երթևեկող տրանսպորտային միջոցների համապատասխան տեսակների և թեթև մարդատար տաքսիների կանգառի կետերը նշելու համար:
Նշանները պետք է լինեն երկկողմանի: Թույլատրվում է միակողմանի նշանները կիրառել բնակավայրերից դուրս բաժանիչ գոտիով ճանապարհի տեղամասում, որտեղ ճանապարհի երկարությամբ բացակայում է հետիոտնային երթևեկությունը:
5.16 նշանը տեղակայվում է նստեցման հրապարակի սկզբում: Կանգառի կետում տաղավարի առկայության դեպքում նշանը թույլատրվում է տեղակայել ընթացքի ուղղությամբ տաղավարի մոտակա եզրի վրա կամ առանձին հենարանի վրա:
Տրամվայի գծերը երթևեկելի մասի կենտրոնում գտնվելու դեպքում 5.17 նշանը տեղակայվում է երթևեկելի մասի աջ կողմում կամ միակողմ երթևեկությամբ երթևեկելի մասի ձախ կողմում:
5.17 կրկնվող նշանը տեղակայվում է`
ա) տրամվայի գծերի երկարությամբ բարձրացված նստեցման հրապարակի առկայության դեպքում` այդ հրապարակի սկզբում.
բ) տվյալ ուղղությամբ նստեցման հրապարակ չունեցող երկու և ավելի երթևեկության գոտիներով ճանապարհներին` ձախ գոտու վրա:
Իրար հաջորդող մեկ կամ մի քանի կանգառի կետերի երկարությունը նշելու անհրաժեշտության դեպքում 5.16 նշանը կիրառվում է 8.2.1 ցուցանակի հետ: Այս դեպքում նշանը տեղակայվում է առաջին կանգառի կետի սկզբում:
52.23. 5.19.1 և 5.19.2 «Հետիոտնային անցում» նշանները կիրառվում են ճանապարհով հետիոտների անցման համար հատկացված տեղ նշելու համար:
5.19.1 նշանը տեղակայվում է ճանապարհի աջ կողմում, 5.19.2 նշանը` ձախ կողմում: Բաժանիչ գոտիով (գոտիներով) ճանապարհներին նշանները տեղակայվում են բաժանիչ գոտու վրա` համապատասխանաբար յուրաքանչյուր երթևեկելի մասի աջ կամ ձախ կողմում:
Հետիոտնային անցման վրա 1.14 գծանշման («Հետիոտնային անցում») բացակայության դեպքում 5.19.1 նշանը տեղակայվում է մոտեցող տրանսպորտային միջոցի նկատմամբ անցման մոտակա սահմանի վրա, 5.19.2 նշանը` հեռու սահմանի վրա: Նշանների միջև գտնվող չնշանադրված հետիոտնային անցման լայնությունը պետք է լինի ոչ պակաս, քան 4 մ:
Նշանադրված հետիոտնային անցման վրա նշանները տեղակայվում են անցման սահմանից 1 մ-ից ոչ ավելի հեռավորության վրա:
5.19.2 նշանը թույլատրվում է տեղակայել 5.19.1 նշանի հակառակ երեսին:
Թույլատրվում է կարգավորվող խաչմերուկներում գտնվող նշանադրված հետիոտնային անցումների վրա նշանները չտեղակայել:
Չկարգավորվող խաչմերուկներում նշանադրված հետիոտնային անցումների վրա, եթե խաչմերուկի կենտրոնին մոտակա սահմանը համընկնում է երթևեկելի մասի եզրի հետ, թույլատրվում է նշանները տեղակայել միայն անցման հեռու սահմանի վրա:
52.24. 5.20 «Արհեստական անհարթություն» նշանը կիրառվում է արհեստական անհարթության սահմանը նշելու համար:
Նշանը տեղակայվում է մոտեցող տրանսպորտային միջոցների հարաբերությամբ արհեստական անհարթության կամ 1.25 գծանշման մոտակա սահմանի վրա:
52.25. 5.21 «Բնակելի գոտի» նշանը կիրառվում է այն տարածքները (գոտիները) նշելու համար, որոնց սահմաններում գործում են բնակելի գոտիներում երթևեկության կարգ սահմանող ճանապարհային երթևեկության կանոնների պահանջները:
Նշանը տեղակայվում է դեպի բնակելի գոտի բոլոր մուտքերի վրա:
52.26. 5.22 «Բնակելի գոտու վերջ» նշանը կիրառվում է բնակելի գոտու վերջը նշելու համար:
Նշանը տեղակայվում է բնակելի գոտուց դուրս եկող բոլոր ելքերի վրա: Նշանը թույլատրվում է տեղադրել 5.21 նշանի հակառակ երեսին:
52.27. 5.23.1 և 5.23.2 «Բնակավայրի սկիզբ» նշանները կիրառվում են այն բնակավայրերի սկիզբը նշելու համար, որտեղ գործում են բնակավայրերում երթևեկության կարգը սահմանող ճանապարհային երթևեկության կանոնների պահանջները:
Նշանները տեղակայվում են բնակավայրի բոլոր մուտքերի վրա` բնակելի կառուցապատման փաստացի սահմանի վրա:
5.23.2 նշանը տեղակայվում է այն դեպքերում, երբ բնակավայրերում երթևեկության կարգը սահմանող ճանապարհային երթևեկության կանոնների պահանջներն անհրաժեշտ է մտցնել որևէ բնակավայրի մեջ չմտնող (ամառանոցային ավաններ, առանձին գտնվող ձեռնարկություններ, կառուցվող օբյեկտներ և այլն)` կառուցապատման հետ ճանապարհի տեղամասում:
5.23.2 նշանը թույլատրվում է տեղակայել`
ա) բնակավայրերի երկրորդական մուտքերի վրա.
բ) բնակելի կառույցների սկզբում, եթե ճանապարհը մի քանի անգամ հատում է միևնույն բնակավայրի սահմանը.
գ) բնակելի կառույցների սահմանների վրա, երբ բնակավայրի վարչական սահմաններում կառույցներն ընդհատվում են 500 մ-ից ավելի հեռավորությամբ:
52.28. 5.24.1 և 5.24.2 «Բնակավայրի վերջ» նշանները կիրառվում են 5.23.1 և 5.23.2 համապատասխան նշաններով նշված բնակավայրի վերջը նշելու համար:
Նշանները տեղակայվում են բնակավայրի բոլոր ելքերի վրա` կառուցապատման փաստացի սահմանի վրա:
5.24.2 նշանը թույլատրվում է տեղակայել 5.23.1 նշանով նշված բնակավայրի վերջում:
52.29. 5.25 «Բնակավայրի սկիզբ» նշանը կիրառվում է այն բնակավայրի անվանումը և սկիզբը նշելու համար, որտեղ երթևեկության անվտանգության պայմաններով տվյալ ճանապարհին նպատակահարմար չէ մտցնել բնակավայրերում երթևեկության կարգը սահմանող ճանապարհային երթևեկության կանոնների պահանջները:
52.30. 5.26 «Բնակավայրի վերջ» նշանը կիրառվում է 5.25 նշանով նշված բնակավայրի վերջը նշելու համար:
52.31. Երկու ուղղությամբ երթևեկության համար մեկ, երկու կամ երեք գոտիներով ճանապարհների վրա 5.24.1, 5.24.2 և 5.26 նշանները թույլատրվում է տեղակայել միայն ճանապարհի ձախ կողմում` հանդիպակաց ուղղությամբ երթևեկող տրանսպորտային միջոցների վարորդների համար նախատեսված համապատասխան 5.23.1, 5.23.2 և 5.25 նշանների հակառակ երեսին:
(52.31-րդ կետը փոփ. 19.02.15 N 161-Ն)
52.32. 5.27 «Սահմանափակումներով կայանման գոտի», 5.29 «Կարգավորվող կայանման գոտի» և 5.31 «Առավելագույն արագությամբ սահմանափակումով գոտի» նշանները կիրառվում են այն տարածքը (ճանապարհի տեղամասը) նշելու համար, որի սահմաններում կանոնակարգված է կայանումը կամ սահմանափակված է երթևեկության առավելագույն արագությունը:
Նշանները տեղակայվում են դեպի տարածք (ճանապարհի տեղամաս) բոլոր մուտքերի վրա:
Ամբողջ բնակավայրի համար արագության առավելագույն սահմանափակում չի թույլատրվում:
Տրանսպորտային միջոցների տեսակների մասին, որոնց վրա տարածվում են համապատասխան սահմանափակումները, գործողության ժամկետը, կայանման կանգնեցնելու ձևը, դրանց պատկանելության մասին և այլ տեղեկատվությունը տեղադրվում են նշանների տակ ցուցանակների վրա կամ ըստ ԳՕՍՏ Ռ 52290 ստանդարտի ցուցանակների պատկերներով 5.27, 5.29, 5.31 նշանների ստորին մասում:
52.33. 5.33 «Հետիոտնային գոտի» նշանը կիրառվում է այն տարածքը (ճանապարհի տեղամասը) նշելու համար, որտեղ թույլատրվում է միայն հետիոտների տեղաշարժը:
Նշանը տեղակայվում է այն տեղերում, որտեղ տրանսպորտային միջոցները կարող են մուտք գործել դեպի այդ տարածքը (ճանապարհի տեղամասը):
(52.33-րդ կետը փոփ. 19.02.15 N 161-Ն)
52.34. 5.28 «Սահմանափակումներով կայանման գոտու վերջ», 5.30 «Կարգավորվող կայանման գոտու վերջ», 5.32 «Առավելագույն արագությամբ սահմանափակումով գոտու վերջ» և 5.34 «Հետիոտնային գոտու վերջ» նշանները կիրառվում են համապատասխան 5.27, 5.29, 5.31, 5.33 նշաններով նշված տարածքի (ճանապարհի տեղամասի) վերջը նշելու համար:
Նշանները տեղակայվում են տարածքի (ճանապարհի տեղամասի) բոլոր ելքերի վրա:
5.28, 5.30, 5.32, 5.34 նշանները թույլատրվում է տեղադրել համապատասխան 5.27, 5.29, 5.31, 5.33 նշանների հակառակ երեսին:
53. Տեղեկատվական նշանները կիրառվում են երթուղում բնակավայրերի և այլ օբյեկտների տեղաբաշխման, ինչպես նաև երթևեկության սահմանված և առաջարկվող ռեժիմների մասին երթևեկության մասնակիցներին տեղեկացնելու համար:
53.1. 6.1 «Առավելագույն արագության ընդհանուր սահմանափակումներ» նշանը կիրառվում է Հայաստանի Հանրապետության ճանապարհներին ճանապարհային երթևեկության կանոններով սահմանված արագության ընդհանուր սահմանափակումների մասին տրանսպորտային միջոցների վարորդներին տեղեկացնելու համար:
Նշանը տեղակայվում է Հայաստանի Հանրապետության տարածք մուտք գործելու դեպքում` հսկիչ-անցումային կետերում:
53.2. 6.2 «Առաջարկվող արագություն» նշանը կիրառվում է ճանապարհի տեղամասում երթևեկության առաջարկվող արագության մասին տրանսպորտային միջոցների վարորդներին տեղեկացնելու համար և տեղակայվում է տեղամասի սկզբում:
Նշանն ազդում է մինչև մոտակա խաչմերուկը, իսկ նախազգուշացնող նշանի հետ կիրառելու դեպքում` վտանգավոր տեղամասի երկարությամբ:
53.3. 6.3.1 «Հետադարձի տեղ» և 6.3.2 «Հետադարձի գոտի» նշանները կիրառվում են հետադարձի տեղը նշելու համար:
Նշանները բաժանիչ գոտիով ճանապարհներին տեղակայվում են բաժանիչ գոտու վրա` հետադարձի տեղից առաջ, առանց բաժանիչ գոտիով ճանապարհներին` տվյալ ուղղությամբ ձախ եզրային երթևեկության գոտու վրա:
Տվյալ ուղղությամբ երեքից ոչ ավելի գոտի ունեցող ճանապարհների վրա նշանները թույլատրվում է տեղակայել աջ կողմում: Այս դեպքում նախնական նշանը կիրառվում է 8.1.1 ցուցանակի հետ` մինչև հիմնական նշանը 100-150 մ հեռավորության վրա:
53.4. 6.4 «Կայանման տեղ» նշանը կիրառվում է տրանսպորտային միջոցների կայանման համար նախատեսված հրապարակը, իսկ 8.6.1-8.6.9 ցուցանակներից որևէ մեկի հետ` մայթին մոտ կայանումները նշելու համար:
Մայթին մոտ կայանումները նշող նշանի ազդեցությունը տարածվում է մինչև մոտակա խաչմերուկը կամ սահմանափակվում է 8.2.1 ցուցանակով:
Բնակավայրերից դուրս ճանապարհներին 8.1.1 ցուցանակի հետ նշանը տեղակայվում է կայանման համար նախատեսված հրապարակից 400– 800 մ հեռավորության վրա:
Նշանը 8.21.1-8.21.3 ցուցանակների հետ տեղակայվում է մետրոյի կայարանների, ավտոբուսի և (կամ) տրոլեյբուսի, տրամվայի կանգառի կետերին մոտ կայանման հրապարակների մուտքերի վրա, 8.1.1, 8.1.3, 8.1.4, 8.3.1, 8.3.2 ցուցանակների հետ նախապես տեղակայվում է կայանման հրապարակի ուղղությունը և մինչև դրա հեռավորությունը նշելու համար:
53.5. 6.5 «Վթարային կանգառի գոտի» նշանը կիրառվում է կտրուկ վայրէջքի վրա վթարային կանգառի գոտու դիրքի մասին տրանսպորտային միջոցների վարորդներին տեղեկացնելու համար:
Նշանը տեղակայվում է վթարային կանգառի գոտու մուտքի վրա:
Նախնական 6.5 նշանը 8.1.1 ցուցանակի հետ տեղակայվում է վայրէջքի վերին մասում 1.13 նշանի հետ միասին: Թույլատրվում է վայրէջքի ընթացքում տեղակայել նախնական 6.5 նշաններ 8.1.1 ցուցանակի հետ:
53.6. 6.6 «Ստորգետնյա հետիոտնային անցում» և 6.7 «Վերգետնյա հետիոտնային անցում» նշաններն անցումների բոլոր մուտքերի վրա տեղակայվում են պատկերով ուղղված դեպի ընդհանուր հետիոտնային հոսքերը:
53.7. 6.8.1 - 6.8.3 «Փակուղի» նշանը կիրառվում է միջանցիկ անցում չունեցող ճանապարհները նշելու համար:
6.8.1 նշանը տեղակայվում է միջանցիկ անցում չունեցող ճանապարհի սկզբում, 6.8.2 և 6.8.3 նշանները` ճանապարհի հետ փոխհատումից առաջ: Նշանները չեն կիրառվում, եթե խաչմերուկների միջև ճանապարհի տեղամասում երթևեկությունն արգելված է 3.1 կամ 3.2 նշանով:
53.8. 6.9.1 «Ուղղությունների նախնական ցուցիչ» նշանը կիրառվում է դեպի բնակավայրերը և այլ օբյեկտներ երթևեկության ուղղությունների մասին նախապես տեղեկացնելու համար:
Նշանը կիրառվում է նաև 3.11 - 3.15 նշաններով համապատասխան սահմանափակում մտցված ճանապարհների տեղամասերը շրջանցելու երթուղու գծապատկերը նշելու համար:
Բնակավայրերից դուրս նշանը տեղակայվում է փոխհատումից առաջ կամ արգելակման գոտու սկզբում 300 - 500 մ հեռավորության վրա, բնակավայրերում` 50 - 100 մ հեռավորության վրա:
Ավտոմայրուղիներում փոխհատումից առաջ կամ արգելակման գոտու սկզբում նախնական 6.9.1 նշանը տեղակայվում է 800 - 1000 մ հեռավորության վրա:
Թույլատրվում է նշանը տեղակայել երթևեկելի մասի և բաժանիչ գոտու վրա:
53.9. 6.9.2 «Ուղղության նախնական ցուցիչ» նշանը կիրառվում է դեպի բնակավայրերը և այլ օբյեկտներ երթևեկության ուղղությունների մասին նախապես տեղեկացնելու համար:
Մեկ ուղղության երկու և ավելի երթևեկության գոտիներով ճանապարհի երթևեկելի մասի վրա նշանը տեղակայվում է անմիջապես արգելակման գոտու սկզբից առաջ, իսկ այդ գոտու բացակայության դեպքում` բնակավայրերից դուրս խաչմերուկից առաջ 100-300 մ, բնակավայրերում` 50-100 մ հեռավորության վրա:
6.9.2 նշանը 6.9.1 նշանի փոխարեն տեղակայվում է`
ա) ճանապարհների տեղամասերում, որտեղ 6.9.1 նշանի տեղակայումը դժվարացված է (բարձր լիցքեր, խորը փոսեր, կառույցների առկայություն և այլն).
բ) (ենթակետն ուժը կորցրել է 19.02.15 N 161-Ն)
գ) տվյալ ուղղությամբ երթևեկության համար չորս և ավելի գոտիներ ունեցող ճանապարհների վրա, և տեղակայվում են համապատասխան գոտիների վրա:
Երկու ուղղություններում երկու և երեք երթևեկության գոտիներով ճանապարհների վրա 6.9.2 նշանները թույլատրվում է ուղղաձիգ ուղղությամբ տեղադրել մեկը մյուսի վրա` միմյանցից 0,05 մ հեռավորության վրա:
Եթե խաչմերուկից առաջ տեղակայվում են 6.9.1 և 6.9.2 նշանները, ապա դրանց միջև հեռավորությունը պետք է լինի ոչ պակաս, քան 200 մ:
Տարբեր մակարդակներում փոխհատման վրա 6.9.2 նշանները տեղակայվում են բոլոր իջվածքներից առաջ: Երթուղին ուղեկամուրջների տակով անցնելու դեպքում նշանները տեղադրվում են դրանց հենամեջային կառույցների վրա:
(53.9-րդ կետը փոփ. 19.02.15 N 161-Ն)
53.10. 6.9.3 «Երթևեկության սխեմա» նշանը կիրառվում է առանձին ուղղություններով երթևեկությունն արգելելու դեպքում խաչմերուկը շրջանցելու երթուղին կամ բարդ հատակագծմամբ խաչմերուկում երթևեկության ուղղությունները նշելու համար:
Նշանը տեղակայվում է անմիջապես խաչմերուկից առաջ:
Նախնական 6.9.3 նշանը թույլատրվում է բնակավայրերում տեղակայել խաչմերուկից 50-100 մ, բնակավայրերից դուրս` 150-300 մ հեռավորության վրա:
53.11. 6.10.1 «Ուղղությունների ցուցիչ» և 6.10.2 «Ուղղության ցուցիչ» նշանները կիրառվում են դեպի բնակավայրեր և այլ օբյեկտներ երթևեկության ուղղությունները նշելու համար և տեղակայվում են երթևեկելի մասի աջ կողմում` խաչմերուկից կամ ճանապարհի իջատեղից անմիջապես առաջ, արգելակման գոտու առկայության դեպքում` այդ գոտու բաժանման սկզբում:
Խաչմերուկներում, որտեղ յուրաքանչյուր փոխհատվող ճանապարհն ունի երկու ուղղություններով երթևեկության համար երկուսից ոչ ավելի գոտիներ, նշանները մինչև խաչմերուկը կամ խաչմերուկից հետո տեղակայվում են ճանապարհի ձախ կողմում: Մեկ հենարանի վրա թույլատրվում է տեղադրել մի քանի նշաններ կամ հակադարձ ուղղությունների համար 6.10.1 և 6.10.2 բոլոր նշանները:
Երթևեկության ուղղությունը դեպի ձախ նշող 6.10.1 և 6.10.2 կրկնող նշանները տվյալ ուղղությամբ երթևեկության համար երեք և ավելի գոտիներով ճանապարհների վրա տեղակայվում են երթևեկելի մասի ձախ կողմում կամ բաժանիչ գոտու վրա (բարձրացված ուղղորդ կղզյակի վրա), եթե խաչմերուկում նշանները չեն սահմանափակի տրանսպորտային միջոցների տեսանելիությունը:
T-աձև խաչմերուկում նշանները տեղակայվում են շարունակություն չունեցող ճանապարհի դիմաց:
Ճանապարհների ճամփաբաժանում 6.10.1 նշանները տեղադրվում են ճամփաբաժանից հետո տեղակայված T-աձև հենարանի վրա:
6.10.2 նշանը բարդ հատակագծմամբ խաչմերուկից հետո տեղակայվում է երթուղով երթևեկությունը հաստատելու համար:
6.10.1 նշանը բնակավայրերում 6.9.1 կամ 6.9.2 նշանների փոխարեն թույլատրվում է տեղակայել 53.8 և 53.9 կետերի համաձայն:
(53.11-րդ կետը փոփ. 19.02.15 N 161-Ն)
53.12. 6.11 «Օբյեկտի անվանում» նշանը կիրառվում է բնակավայրերից բացի այլ օբյեկտի (գետ, լիճ, լեռնանցք, տեսարժան վայր և այլն) անվանումը նշելու համար: Նշանը տեղակայվում է անմիջապես օբյեկտից առաջ:
53.13. 6.12 «Հեռավորությունների ցուցիչ» նշանը կիրառվում է երթուղու վրա գտնվող մինչև բնակավայրերի փաստացի սկիզբը կամ այլ օբյեկտը նշած հեռավորությունը (կմ) նշելու համար:
Բնակավայրերից դուրս ճանապարհներին նշանը տեղակայվում է բնակավայրերի ելքերի վրա, տարբեր մակարդակներում փոխհատումներից, բարդ խաչմերուկներից հետո, իսկ դրանց միջև ճանապարհների տեղամասերում` ոչ հաճախ, քան 20 կմ հետո:
Բնակավայրերում նշանը տեղակայվում է մայրուղային ճանապարհների փոխհատումներից հետո:
Երկու ուղղություններով երեքից ոչ ավելի երթևեկության գոտի ունեցող ճանապարհներին 6.12 նշանը թույլատրվում է տեղադրել ձախ կողմում` 6.9.1 նշանի հակառակ երեսին:
53.14. 6.13 «Կիլոմետրային նշան» նշանը կիրառվում է նշանի տեղակայման տեղից մինչև ճանապարհի սկզբնական կամ վերջնական կետը եղած հեռավորությունը (կմ) նշելու համար և տեղակայվում է յուրաքանչյուր 1 կմ-ի վրա:
Նշանը բաժանիչ գոտիով ճանապարհներին տեղակայվում է այդ գոտու կենտրոնում կամ երթևեկության յուրաքանչյուր ուղղության համար` ճանապարհի աջ կողմում:
Երթևեկելի մասի առանցքով ճանապարհային ցանկապատի առկայությամբ ճանապարհների վրա նշանը տեղակայվում է ճանապարհի կենտրոնում` ճանապարհային ցանկապատերի միջև կամ երթևեկության յուրաքանչյուր ուղղության համար` ճանապարհի աջ կողմում:
Առանց բաժանիչ գոտու` երկու ուղղությամբ հինգ և ավելի երթևեկության գոտիներով ճանապարհների վրա նշանը տեղակայվում է երթևեկության յուրաքանչյուր ուղղության համար` ճանապարհի աջ կողմում:
Առանց բաժանիչ գոտու` երկու ուղղությամբ չորս և պակաս երթևեկության գոտիներով ճանապարհների վրա նշանը տեղակայվում է ճանապարհի միայն մեկ կողմում: Երթևեկության տարբեր ուղղությունների համար նախատեսված, 6.13 երկու նշան թույլատրվում է տեղադրել իրար հակառակ կողմերում կամ 600-ից ոչ ավելի անկյան տակ:
(53.14-րդ կետը խմբ. 19.02.15 N 161-Ն)
53.15. 6.14.1 և 6.14.2 «Երթուղու համարը» նշանները կիրառվում են սահմանված կարգով հաստատված ճանապարհի (երթուղու) համարները (6.14.1), ինչպես նաև համարներն ու ուղղությունները (6.14.2) նշելու համար:
6.14.1 նշանը տեղակայվում է ճանապարհի (երթուղու) սկզբում և կրկնվում է յուրաքանչյուր 5,0-10,0 կմ:
6.14.2 նշանը տեղակայվում է խաչմերուկից առաջ ճանապարհի (երթուղու) ուղղությունը և համարը, ինչպես նաև փոխհատվող ճանապարհի (երթուղու) համարը նշելու համար, եթե խաչմերուկից առաջ տեղակայված չեն 6.9.1, 6.9.2, 6.10.1, 6.10.2 նշաններ:
53.16. 6.15.1-6.15.3 «Երթևեկության ուղղություն բեռնատար ավտոմոբիլների համար» նշանները կիրառվում են բեռնատար ավտոմոբիլների, տրակտորների և ինքնագնաց մեքենաների երթևեկության նախընտրելի երթուղին նշելու համար, եթե արգելված է խաչմերուկում դրանց երթևեկությունը որևէ ուղղությամբ:
Նշանները խաչմերուկից առաջ տեղակայվում են առաջարկվող երթուղուց առաջ և ամբողջ երթուղու երկարությամբ յուրաքանչյուր խաչմերուկից առաջ:
Խաչմերուկից առաջ, որտեղից սկսվում է երթուղին, նշանները նախապես տեղակայվում են խաչմերուկից 100-150 մ հեռավորության վրա:
53.17. 6.16 «Կանգ-գիծ» նշանը կիրառվում է կարգավորվող խաչմերուկներում և չկարգավորվող երկաթուղային գծանցներում տրանսպորտային միջոցների կանգառի տեղը նշելու համար:
Նշանը տեղակայվում է ճանապարհի աջ կողմում կամ երթևեկելի մասի վրա: Նշանը թույլատրվում է տեղակայել երթևեկության յուրաքանչյուր գոտու վրա:
Եթե նշանը կիրառվում է ինքնուրույն (առանց 1.12 «Կանգ գիծ» գծանշման), ապա նշանից մինչև լուսացույցը հեռավորությունը կախված է դրա տեսակից, մինչև ուղեփակոցը` 5 մ, մինչև մոտակա երկաթգիծը` 10 մ:
Նշանը կարող է կիրառվել 1.12 գծանշումը կրկնելու համար, այս դեպքում այն տեղակայվում է գծանշման հետ մեկ ընդլայնական կտրվածքում:
53.18. 6.17 «Շրջանցման սխեմա» նշանը կիրառվում է երթևեկության համար ժամանակավոր փակ ճանապարհի տեղամասը շրջանցելու երթուղին նշելու համար:
Բնակավայրերից դուրս նշանը տեղակայվում է 150-300 մ հեռավորության վրա, բնակավայրերում` շրջանցման երթուղու սկզբում գտնվող խաչմերուկից 50-100 մ հեռավորության վրա:
53.19. 6.18.1-6.18.3 «Շրջանցման ուղղություն» նշանները կիրառվում են երթևեկության համար ժամանակավոր փակ ճանապարհի տեղամասը շրջանցելու երթուղով երթևեկելու ուղղությունները նշելու համար:
Նշանները տեղակայվում են այն խաչմերուկից առաջ, որտեղից սկսվում է շրջանցման երթուղին:
Եթե շրջանցման երթուղին անցնում է գոյություն ունեցող ճանապարհների ցանցով, ապա նշանները երթուղու վրա տեղակայվում են յուրաքանչյուր խաչմերուկից առաջ:
53.20. 6.19.1 և 6.19.2 «Այլ երթևեկելի մաս վերադասավորվելու նախնական ցուցիչ» նշանները կիրառվում են բաժանիչ գոտիով ճանապարհներին փակ երթևեկելի մասը շրջանցելու համար և տվյալ ուղղությամբ երթևեկության համար նախատեսված երթևեկելի մաս վերադառնալու երթևեկության ուղղությունները նշելու համար:
6.19.1 նշանը 8.1.1 ցուցանակի հետ տեղակայվում է 50-100 մ հեռավորության վրա, բնակավայրերից դուրս և նախապես` 500 մ մինչև բաժանիչ գոտու խզվածքը, որտեղով իրականացվում է անցումը դեպի հանդիպակաց ուղղությամբ երթևեկության համար նախատեսված երթևեկելի մաս:
6.19.2 նշանը 8.1.1 ցուցանակի հետ տեղակայվում է բաժանիչ գոտու վրա մինչև այն խզվածքը, 50-100 մ հեռավորության վրա, որտեղով իրականացվում է անցումը դեպի տվյալ ուղղությամբ երթևեկության համար նախատեսված երթևեկելի մաս:
53.21. 6.9.1, 6.9.2, 6.10.1, 6.12 նշանների հետ համատեղ թույլատրվում է տեղադրել ճանապարհային երթևեկության մասնակիցներին հետաքրքրող օբյեկտների մասին տեղեկություններ (գտնվելու վայրը, հեռախոսահամարը, գործունեության տեսակը, երթևեկության ուղղությունը, օբյեկտի հեռավորությունը, այլ տեղեկություն, ինչպես նաև՝ գրաֆիկական), այդ դեպքում՝
ա) առանձին վահանակի վրա այն տեղադրում են անհատական նախագծման նշանի ներքևի մասում.
բ) վահանակն ըստ կառուցվածքի պետք է կապված լինի անհատական նախագծման նշանի հետ.
գ) վահանակի և նշանի լայնությունները պետք է հավասար լինեն.
դ) տեղեկությունը պետք է տեղադրել դեղին ֆոնի վրա.
ե) ճանապարհային երթևեկության մասնակիցներին հետաքրքրող օբյեկտների մասին տեղեկություններով առանձին վահանակի բարձրությունը չպետք է գերազանցի օբյեկտների մասին տեղեկություններով հանդերձ անհատական նախագծման նշանի բարձրության 1/3-ը, եթե նշանի վրա տպատառի բարձրությունը 200 մմ կամ պակաս է, և նշանի բարձրության 1/4-ը, եթե նշանի վրա տպատառի բարձրությունը 250 մմ կամ ավելի է.
զ) ճանապարհային երթևեկության մասնակիցներին հետաքրքրող օբյեկտների մասին տեղեկություններով վահանակի հետ համատեղված նշանի պատրաստման ժամանակ կիրառվում են B տեսակի լուսաանդրադարձիչ թաղանթներ:
(53.21-րդ կետը լրաց. 19.02.15 N 161-Ն)
53.22. 6.20.1 և 6.20.2 «Վթարային ելք» նշանները կիրառվում են թունելում վթարային ելքի տեղը նշելու համար: 6.20.1 և 6.20.2 նշանները տեղակայվում են երթևեկելի մասի ձախ և աջ կողմերում:
6.20.1 նշանը տեղակայվում է երթևեկելի մասի ձախ կողմում, եթե վթարային ելքը գտնվում է տեղաշարժման ուղղության ձախ կողմում: 6.20.2 նշանը տեղակայվում է երթևեկելի մասի աջ կողմում, եթե վթարային ելքը գտնվում է տեղաշարժման ուղղության աջ կողմում:
(53.22-րդ կետը լրաց. 19.02.15 N 161-Ն)
53.23. 6.21.1 և 6.21.2 «Դեպի վթարային ելք տեղաշարժման ուղղություն» նշանները կիրառվում են թունելում դեպի վթարային ելք տեղաշարժվելու ուղղությունը և ելքի հեռավորությունը նշելու համար: Նշանները տեղակայվում են թունելների կողային պատերին` միմյանցից 50 մ հեռավորության վրա, 1.0 մ-ից մինչև 1.5 մ բարձրության վրա:
(53.23-րդ կետը լրաց. 19.02.15 N 161-Ն)
54. Սպասարկման նշանները տեղեկացնում են համապատասխան օբյեկտների գտնվելու վայրի մասին:54.1. 7.1 «Առաջին բժշկական օգնություն», 7.2 «Հիվանդանոց», 7.3 «Ավտոլցավորման կայան», 7.4 «Ավտոմոբիլների տեխնիկական սպասարկում», 7.5 «Ավտոմոբիլների լվացում», 7.6 «Հեռախոս», 7.7 «Սննդի կետ», 7.8 «Խմելու ջուր», 7.9 «Հյուրանոց կամ մոթել», 7.10 «Հանգրվան», 7.11 «Հանգստի վայր», 7.12 «Ճանապարհային ոստիկանության պահակետ», 7.13 «Ոստիկանություն», 7.14 «Միջազգային ավտոմոբիլային փոխադրումների հսկիչ կետ», 7.17 «Լողավազան կամ լողափ», 7.18 «Զուգարան» նշանները կիրառվում են երթևեկության մասնակիցներին տեղեկացնելով համապատասխան օբյեկտների մասին:
Նշանները տեղակայվում են օբյեկտներին մոտ:
Բնակավայրերից դուրս սպասարկման նախնական նշանները մինչև օբյեկտը տեղակայվում են 400-800 մ, իսկ անհրաժեշտության դեպքում 10-15 կմ և 40-60 կմ հեռավորությունների վրա, եթե դրանք տեղակայված են ճանապարհից դուրս` դեպի այդ օբյեկտները շրջադարձի տեղերում (խաչմերուկում): Ճանապարհից դուրս գտնվող օբյեկտների մասին տեղեկացնող սպասարկման նախնական նշանների վրա, որոնք տեղակայված են 10-15 կմ, 40-60 կմ հեռավորության վրա, հեռավորությունը նշելու դեպքում անհրաժեշտ է հաշվի առնել շրջադարձի տեղից (խաչմերուկից) մինչև օբյեկտը եղած հեռավորությունը:
Բնակավայրերում սպասարկման նախնական նշանները թույլատրվում է տեղակայել մինչև օբյեկտը 100-150 մ հեռավորության վրա և դրանց մոտակա շրջադարձի տեղում (խաչմերուկում):
Սպասարկման նշանների վրա լրացուցիչ տեղեկություն (հասցե, հեռախոսահամար, ծառայության տեսակ և այլն) տեղադրելու դեպքում մինչև օբյեկտը եղած հեռավորությունը, աշխատաժամանակը նշվում են լրացուցիչ տեղեկատվության նշանների վրա:
(54.1-ին կետը փոփ. 19.02.15 N 161-Ն)
54.2. 7.14 «Միջազգային ավտոմոբիլային փոխադրումների հսկիչ կետ» նշանը կիրառվում է այն տրանսպորտային հսկման կետերի մասին երթևեկության մասնակիցներին տեղեկացնելու համար, որտեղ վերահսկվում են բեռնատար ավտոմոբիլներով և ավտոբուսներով իրականացվող միջազգային ավտոմոբիլային փոխադրումները:
54.3. 7.15 «Ճանապարհային երթևեկության մասին տեղեկություն հաղորդող ռադիոկայանի գործողության գոտի» նշանը կիրառվում է այն ճանապարհի տեղամասի սկիզբը նշելու համար, որտեղ իրականացվում է նշանի վրա նշված հաճախականությամբ ռադիոհաղորդումների ընդունում: Նշանը տեղակայվում է նման տեղամասի սկզբում և անհրաժեշտության դեպքում այդ տեղամասում կրկնվում է:
(54.3-րդ կետը փոփ. 19.02.15 N 161-Ն)
54.4. 7.16 «Վթարային ծառայությունների հետ ռադիոկապի գոտի» նշանը կիրառվում է ճանապարհի այն տեղամասը նշելու համար, որտեղ վթարային ծառայությունների հետ ռադիոկապի համակարգը գործում է 27 ՄՀց քաղաքացիական ընդգրկույթում: Նշանը տեղակայվում է նման տեղամասի սկզբում և անհրաժեշտության դեպքում այդ տեղամասում կրկնվում է:
54.5. 7.19 «Արտակարգ կապի հեռախոս» և 7.20 «Կրակմարիչ» նշանները կիրառվում են օպերատիվ ծառայություններին կանչելու համար հեռախոսի կամ կրակմարիչի տեղը նշելու համար: Անհրաժեշտության դեպքում նշանները բնակավայրերից դուրս նախօրոք կարող են տեղակայվել 400-800 մ հեռավորության վրա:
(54.5-րդ կետը լրաց. 19.02.15 N 161-Ն)
54.6. 7.21 «Ավտոլցավորման կայան՝ էլեկտրամոբիլների լիցքավորման հնարավորությամբ» նշանները կիրառվում են էլեկտրամոբիլների լիցքավորման հնարավորությամբ ավտոլցավորման կայանի տեղը նշելու համար: Անհրաժեշտության դեպքում նշանները բնակավայրերից դուրս նախօրոք կարող են տեղակայվել 400-800 մ հեռավորության վրա:
(54.6-րդ կետը լրաց. 11.04.19 N 439-Ն)
55. Լրացուցիչ տեղեկատվության նշանները (ցուցանակները) կիրառվում են այլ ճանապարհային նշանների գործողությունները ճշտելու կամ սահմանափակելու համար:
Ցուցանակները տեղադրվում են նշանների տակ, բացառությամբ սույն կանոններով վերապահված դեպքերի:
Մեկ նշանով, բացառությամբ 6.4 նշանի, թույլատրվում է կիրառել ոչ ավելի, քան երկու ցուցանակներ:
55.1. 8.1.1 «Հեռավորություն մինչև օբյեկտ» ցուցանակը կիրառվում է նախազգուշացնող նշանների հետ, եթե հեռավորությունը նշանից մինչև վտանգավոր տեղամասի սկիզբը պակաս է կամ հավասար սույն կանոնների 48.1-ին, 48.2-րդ կետերում նշված հեռավորությունից, ինչպես նաև այլ խմբերի նախնական նշանների հետ, բացառությամբ 5.15.1, 5.15.2, 6.9.3, 6.15.1- 6.15.3, 6.17, 7.1-7.18 (բացի սույն կանոնների 54.1-ին կետում նշված դեպքի) նշանները:
55.2. 8.1.2 «Հեռավորություն մինչև օբյեկտ» ցուցանակը բնակավայրերից դուրս կիրառվում է 2.4 նշանի հետ, եթե խաչմերուկից առաջ տեղակայված է 2.5 նշան:
55.3. 8.1.3 և 8.1.4 «Հեռավորություն մինչև օբյեկտ» ցուցանակները կիրառվում են սույն կանոնների 48.1-ին կետի համաձայն տեղակայված նախազգուշացնող նշանների հետ, և 5.1, 5.3, 6.4 նշանների հետ` դեպի նշված օբյեկտները շրջադարձի տեղերում:
55.4. 8.2.1 «Ազդման գոտի» ցուցանակը կիրառվում է`
ա) 1.12.1-1.19, 1.23, 1.25-1.33 նշանների հետ` վտանգավոր տեղամասի երկարությունը նշելու համար, կրկնվող նշանի առկայության դեպքում ցուցանակը տեղակայվում է դրանց տակ.
բ) 3.16, 3.20, 3.22, 3.24, 3.26 նշանների հետ` նշանի ազդման գոտին նշելու համար: Ցուցանակի վրա նշված նշանի ազդման գոտին չպետք է գերազանցի սույն կանոնների 50.35-րդ կետի համաձայն այդ նշանների համար սահմանված գոտին.
գ) 5.16 նշանի հետ` իրար հաջորդող մեկ կամ մի քանի կանգառների կետերի երկարությունները նշելու համար.
դ) 6.2 նշանի հետ, բացի այն դեպքից, երբ դա տեղակայված է նախազգուշացնող նշանի հետ, եթե 6.2 նշանի ազդեցությունն անհրաժեշտություն չկա տարածելու մինչև մոտակա խաչմերուկը.
ե) 6.4 նշանի հետ, որը տեղակայված է նշանի ազդեցությունը հստակեցնող կամ սահմանափակող ցուցանակի (ցուցանակների) հետ, ընդ որում, 8.2.1 ցուցանակը տեղադրում են այլ ցուցանակների տակ, եթե նշանի ազդեցությունը չի տարածվում մինչև մոտակա խաչմերուկը:
55.5. 8.2.2-8.2.6 «Ազդման գոտի» ցուցանակները կիրառվում են միայն 3.27-3.30 նշանների հետ.
ա) 8.2.2 ցուցանակը` նշանի ազդման գոտին նշելու համար, եթե այն չի տարածվում մինչև մոտակա խաչմերուկը.
բ) 8.2.3 ցուցանակը` նշանի ազդման գոտու վերջը նշելու համար.
գ) 8.2.4 ցուցանակը` նշանի ազդման գոտում գտնվելու մասին վարորդներին տեղեկացնելու համար.
դ) 8.2.5 և 8.2.6 ցուցանակները` նշանից աջ և (կամ) ձախ ազդման գոտին նշելու համար, երբ կանգառը կամ կայանումն արգելված է հրապարակի, շենքի ճակատի և այլնի երթևեկելի մասի երկարությամբ:
Հենարանների վրա նշանները տեղադրելու դեպքում ցուցանակները տեղադրվում են նշանների տակ: Նշանները բարձակային հենարանների կամ երթևեկելի մասի, կողնակի կամ մայթի վրա տեղադրելու դեպքում ցուցանակները տեղադրվում են նշանի կողքին (աջում կամ ձախում) այնպես, որպեսզի նշանը գտնվի երթևեկելի մասի կենտրոնում:
55.6. 8.3.1-8.3.3 «Ազդման ուղղություններ» ցուցանակները կիրառվում են անմիջապես խաչմերուկից առաջ տեղակայված 3.2-3.9, 5.3 նշանների հետ` փոխհատվող ճանապարհին դրանց ազդեցության ուղղությունները նշելու համար, ինչպես նաև 1.32 նշանի հետ:
8.3.1 և 8.3.2 ցուցանակները 6.4 նշանի հետ թույլատրվում է կիրառել ճանապարհի նկատմամբ կայանման հրապարակի դիրքը նշելու համար, եթե այն երթևեկելի մասի եզրից հեռու է ոչ ավելի, քան 10 մ:
55.7. 8.4.1-8.4.8 «Տրանսպորտային միջոցի տեսակ» ցուցանակները կիրառվում են այն տրանսպորտային միջոցները նշելու համար, որոնց վրա տարածվում է նշանի ազդեցությունը:
Ցուցանակները նշանի ազդեցությունը տարածում են`
ա) 8.4.1` 3,5 տ-ից ավելի թույլատրելի առավելագույն զանգված ունեցող, այդ թվում` կցորդի հետ, բեռնատար ավտոմոբիլների վրա.
բ) 8.4.2` կցորդով կամ կիսակցորդով յուրաքանչյուր տեսակի բեռնատար ավտոմոբիլների կամ տրակտորների, ինչպես նաև մեխանիկական տրանսպորտային միջոցները քարշակող տրանսպորտային միջոցների վրա.
գ) 8.4.3` թեթև մարդատար ավտոմոբիլների, ինչպես նաև մինչև 3,5 տ թույլատրելի առավելագույն զանգված ունեցող բեռնատար ավտոմոբիլների վրա.
գ1) 8.4.3.1՝ արտաքին սնուցման աղբյուրից լիցքավորվելու հնարավորություն ունեցող էլեկտրամոբիլների և հիբրիդային ավտոմոբիլների վրա.
դ) 8.4.8` «Վտանգավոր բեռ» ճանաչման նշանով (տեղեկատվական ցուցանակներով) նշված տրանսպորտային միջոցների վրա:
(55.7-րդ կետը լրաց. 11.04.19 N 439-Ն)
55.7.1. 8.4.9-8.4.15 «Բացի տրանսպորտային միջոցի տեսակից» ցուցանակները կիրառվում են այն տրանսպորտային միջոցները նշելու համար, որոնց վրա չի տարածվում նշանի ազդեցությունը: 8.4.14 ցուցանակը ցույց է տալիս, որ նշանի ազդեցությունը չի տարածում որպես թեթև մարդատար-տաքսի ավտոմոբիլ օգտագործվող տրանսպորտային միջոցների վրա:
(55.7.1-ին կետը լրաց. 11.04.19 N 439-Ն)
55.8. 8.5.1 «Շաբաթ, կիրակի և տոն օրեր», 8.5.2 «Աշխատանքային օրեր», 8.5.3 «Շաբաթվա օրեր», 8.5.4-8.5.7 «Գործողության ժամանակ» ցուցանակները կիրառվում են այն շաբաթվա օրերը կամ օրվա ժամերը նշելու համար, երբ ազդում է նշանը:
55.9. 8.6.1-8.6.9 «Տրանսպորտային միջոցի կանգնեցման ձևը կայանման տեղերում» ցուցանակները կիրառվում են 6.4 նշանի հետ` տրանսպորտային միջոցները մայթի եզրին կայանելու ձևը նշելու համար:
8.6.1 ցուցանակը տեղեկացնում է, որ բոլոր տրանսպորտային միջոցները երթևեկելի մասում պետք է կայանվեն մայթի երկարությամբ:
8.6.2-8.6.9 ցուցանակները տեղեկացնում են, որ կայանման հրապարակները նախատեսված են թեթև մարդատար ավտոմոբիլների և մոտոցիկլետների համար, որոնք պետք է կայանվեն ցուցանակում նշված ձևով:
55.10. 8.7 «Կայանում չգործարկված շարժիչով» ցուցանակը կիրառվում է 6.4 նշանի հետ` աշխատող շարժիչով տրանսպորտային միջոցների կայանումն արգելելու համար:
55.11. 8.8 «Վճարովի ծառայություններ» ցուցանակը կիրառվում է կայանման հրապարակում տեղակայված 6.4 նշանի հետ, որտեղ օգտվելու համար վճար է գանձվում: Ցուցանակը կիրառվում է նաև այլ նշանների հետ` անցման կամ որևէ ծառայությունների համար վճար գանձելու մասին տեղեկատվության համար:
55.12. 8.9 «Կայանման տևողության սահմանափակում» ցուցանակը կիրառվում է 6.4 նշանի հետ` զանգվածային կարճաժամկետ այցելության նպատակով օբյեկտների (առևտրական, դիտարժան, մարզական և այլն) մոտ տրանսպորտային միջոցների կայանման առավելագույն տևողությունը նշելու համար:
55.13. 8.10 «Ավտոմոբիլների զննման տեղ» ցուցանակը կիրառվում է 6.4 և 7.11 նշանների հետ` կայանման հրապարակներում կամ հանգստի վայրերում էստակադի կամ զննման առվի առկայության մասին տեղեկացնելու համար:
55.14. 8.11 «Թույլատրելի առավելագույն զանգվածի սահմանափակում» ցուցանակը տեղեկացնում է, որ նշանի ազդեցությունը տարածվում է միայն այն տրանսպորտային միջոցների վրա, որոնց թույլատրելի առավելագույն զանգվածն ավելի է ցուցանակի վրա նշվածից:
55.15. 8.12 «Վտանգավոր կողնակ» ցուցանակը կիրառվում է 1.25 նշանի հետ, եթե նորոգման աշխատանքներն իրականացվում են կողնակին կամ կողնակն օգտագործվում է շինարարական նյութեր պահեստավորելու և (կամ) շինարարական տեխնիկա տեղադրելու համար:
(55.15-րդ կետը փոփ. 19.02.15 N 161-Ն)
55.16. 8.13 «Գլխավոր ճանապարհի ուղղություն» ցուցանակը կիրառվում է 2.1, 2.4, 2.5 նշանների հետ, նշում է գլխավոր ճանապարհի ուղղությունն այն խաչմերուկում, որտեղ այն փոխում է ուղղությունը:
Նշանները հենարանների վրա տեղադրելու դեպքում ցուցանակը տեղադրվում է նշանի տակ: Բարձակային հենարանների կամ երթևեկելի մասի, կողնակի կամ մայթի վրա նշանները տեղադրելու դեպքում ցուցանակը տեղադրվում է նշանից աջ:
55.17. 8.14 «Երթևեկության գոտի» ցուցանակը նշում է այն գոտին, որի վրա տարածվում է նշանի ազդեցությունը, ընդ որում, նշանը տեղադրվում է երթևեկության գոտու վրա:
55.18. 8.15 «Կույր հետիոտներ» ցուցանակը կիրառվում է 1.22, 5.19.1, 5.19.2 նշանների հետ` այն հետիոտնային անցումներից առաջ, որոնք գտնվում են կույրերի և թույլ տեսնողների այցելության օբյեկտներին մոտ:
55.19. 8.16 «Խոնավ ծածկույթ» ցուցանակը կիրառվում է 1.15, 3.20, 3.22, 3.24 նշանների հետ, և նշում է, որ նշանի ազդեցությունը տարածվում է միայն երթևեկելի մասի ծածկույթը խոնավ լինելու ժամանակաշրջանում:
55.20. 8.17 «Հաշմանդամներ» ցուցանակը կիրառվում է 6.4 նշանի հետ` նշելով, որ կայանման հրապարակը (կամ դրա մասը) հատկացված է I և II խմբի հաշմանդամների կողմից վարվող կամ 1-ին կամ 2-րդ խմբի հաշմանդամ կամ հաշմանդամ երեխայի կարգավիճակ ունեցող երեխա փոխադրող տրանսպորտային միջոցների կայանման համար:
(55.20-րդ կետը փոփ. 20.12.12 N 1599-Ն)
55.21. 8.18 «Բացի հաշմանդամներից» ցուցանակը կիրառվում է նշելու համար, որ նշանի ազդեցությունը չի տարածվում I և II խմբի հաշմանդամների կողմից վարվող կամ 1-ին կամ 2-րդ խմբի հաշմանդամ կամ հաշմանդամ երեխայի կարգավիճակ ունեցող երեխա փոխադրող տրանսպորտային միջոցների վրա:
(55.21-րդ կետը փոփ. 20.12.12 N 1599-Ն)
55.22. 8.19 «Վտանգավոր բեռի դասը» ցուցանակը կիրառվում է 3.32, 3.33, 4.8.1-4.8.3 նշանների հետ և նշում է, որ նշանի ազդեցությունը տարածվում է այն տրանսպորտային միջոցների վրա, որոնք փոխադրում են ցուցանակի վրա նշված` Հայաստանի Հանրապետության օրենսդրության համաձայն դասակարգված վտանգավոր բեռ:
55.23. 8.20.1 և 8.20.2 «Տրանսպորտային միջոցի բեռնասայլակի տեսակ» ցուցանակները կիրառվում են 3.12 նշանի հետ` տրանսպորտային միջոցների մոտեցված սռնիների քանակը նշելու համար, որոնցից յուրաքանչյուրի համար նշանի վրա բերված զանգվածը հանդիսանում է սահմանային թույլատրելին:
55.24. 8.21.1-8.21.3 «Ընդհանուր օգտագործման տրանսպորտային միջոցի տեսակ» ցուցանակները կիրառվում են 6.4 նշանի հետ` մետրոյի կայարանի, ավտոբուսի և (կամ) տրոլեյբուսի, տրամվայի կանգառի կետերի մոտ կայանման հրապարակները նշելու համար:
55.25. 8.22.1-8.22.3 «Խոչընդոտ» ցուցանակները կիրառվում են 4.2.1-4.2.3 նշանների հետ` խոչընդոտը շրջանցելու դեպքում վարորդներին կողմնորոշելու համար:
8.22.1 ցուցանակը 4.2.1 նշանի հետ կիրառվում է`
ա) հակադարձ ուղղություններով տրանսպորտային հոսքերը բաժանող պատնեշների սկզբում.
բ) կենտրոնական բաժանիչ գոտու սկզբում.
գ) բարձրացված ուղղորդ կղզյակների վրա.
դ) բարձրացված անվտանգության կղզյակների վրա:
8.22.1 և 8.22.2 ցուցանակները համապատասխանաբար 4.2.1 և 4.2.2 նշանների հետ կիրառվում են երթևեկելի մասի վրա կամ դրանից մոտ գտնվող` տրանսպորտային միջոցների երթևեկության համար վտանգ ներկայացնող խոչընդոտներից առաջ:
8.22.3 ցուցանակը 4.2.3 նշանի հետ կիրառվում է`
ա) մեկ ուղղությամբ տրանսպորտային հոսքերը բաժանող պատնեշների սկզբում.
բ) կողային բաժանիչ գոտու սկզբում.
գ) բարձրացված ուղղորդ կղզյակների վրա.
դ) բարձրացված անվտանգության կղզյակների վրա:
8.22.1 - 8.22.3 ցուցանակները թելադրող նշանների տակ տեղադրվում են 0,5- 4,0 մ բարձրության վրա:
Եթե 4.2.1-4.2.3 նշանները տեղակայվում են արհեստական լուսավորությամբ կարճասյուների վրա, ապա 8.22.1-8.22.3 ցուցանակները չեն կիրառվում:
(55.25-րդ կետը փոփ. 19.02.15 N 161-Ն)
55.26. 8.23 «Աշխատում է տարհանիչը» ցուցանակը կիրառվում է 3.27-3.30 նշանների հետ և ցույց է տալիս, որ 3.27-3.30 նշանների ազդման գոտում իրականացվում է տրանսպորտային միջոցների տարհանում:
(55.26-րդ կետը լրաց. 11.04.19 N 439-Ն)
55.27. 8.24 «Ծառայողական ավտոմոբիլների համար կայանատեղ» ցուցանակը կիրառվում է 6.4 նշանի հետ և ցույց է տալիս, որ 6.4 նշանի ազդման գոտում թույլատրվում է կայանել միայն տվյալ կազմակերպության տրանսպորտային միջոցները: Կազմակերպության անվանումը կարող է նշվել ինչպես նույն, այնպես էլ առանձին ցուցանակի վրա:
(55.27-րդ կետը լրաց. 11.04.19 N 439-Ն)
55.28. 8.25 «Բացի ծառայողական ավտոմոբիլներից» ցուցանակը կիրառվում է 3.27-3.30 նշանների հետ և ցույց է տալիս, որ 3.27-3.30 նշանների ազդեցությունը չի տարածվում տվյալ կազմակերպության տրանսպորտային միջոցների վրա: Կազմակերպության անվանումը կարող է նշվել ինչպես նույն, այնպես էլ առանձին ցուցանակի վրա:
(55.28-րդ կետը լրաց. 11.04.19 N 439-Ն)
(հավելվածը լրաց., փոփ. 20.12.12 N 1599-Ն, խմբ., փոփ., լրաց. 19.02.15 N 161-Ն, փոփ., լրաց. 11.04.19 N 439-Ն)
| Հայաստանի Հանրապետության կառավարության աշխատակազմի ղեկավար-նախարար |
Մ. Թոփուզյան |