«ՎԱՎԵՐԱՑՆՈՒՄ ԵՄ»
ՀԱՅԱՍՏԱՆԻ ՀԱՆՐԱՊԵՏՈՒԹՅԱՆ
ՆԱԽԱԳԱՀ Ռ. ՔՈՉԱՐՅԱՆ
1 հուլիսի 2004 թ.
ՀԱՅԱՍՏԱՆԻ ՀԱՆՐԱՊԵՏՈՒԹՅԱՆ ԿԱՌԱՎԱՐՈՒԹՅՈՒՆ
Ո Ր Ո Շ ՈՒ Մ
27 մայիսի 2004 թվականի N 914-Ն
ԵՐԵՎԱՆԻ ԿԵՆՏՐՈՆ ԹԱՂԱՅԻՆ ՀԱՄԱՅՆՔԻ ՎԱՐՉԱԿԱՆ ՍԱՀՄԱՆՆԵՐՈՒՄ ԿԱՌՈՒՑԱՊԱՏՄԱՆ ԾՐԱԳՐԵՐԻ ԻՐԱԿԱՆԱՑՄԱՆ ՆՊԱՏԱԿՈՎ ՊԵՏՈՒԹՅԱՆ ԿԱՐԻՔՆԵՐԻ ՀԱՄԱՐ ՀՈՂԱՄԱՍԵՐ ՎԵՐՑՆԵԼՈՒ ՄԱՍԻՆ
Հայաստանի Հանրապետության քաղաքացիական օրենսգրքի 218-րդ ու Հայաստանի Հանրապետության հողային օրենսգրքի 104-րդ հոդվածներին համապատասխան և Երևան քաղաքում կառուցապատման ծրագրեր իրականացնելու նպատակով Հայաստանի Հանրապետության կառավարությունը որոշում է.
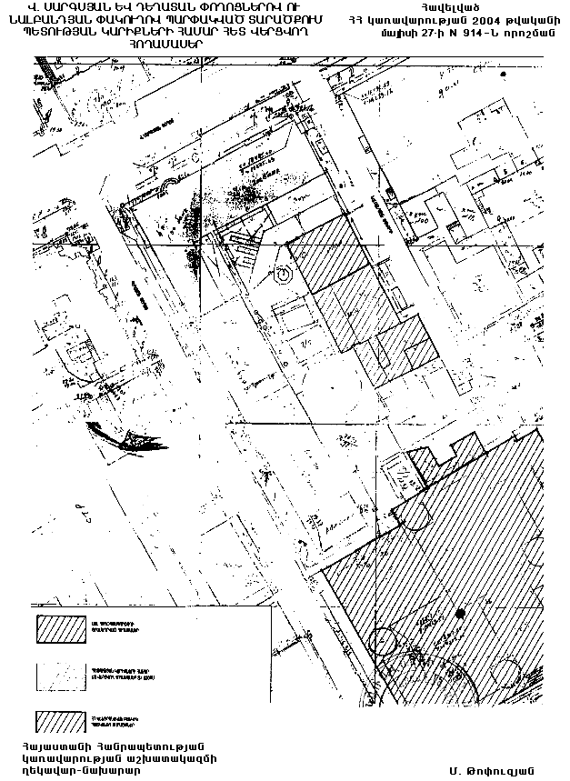
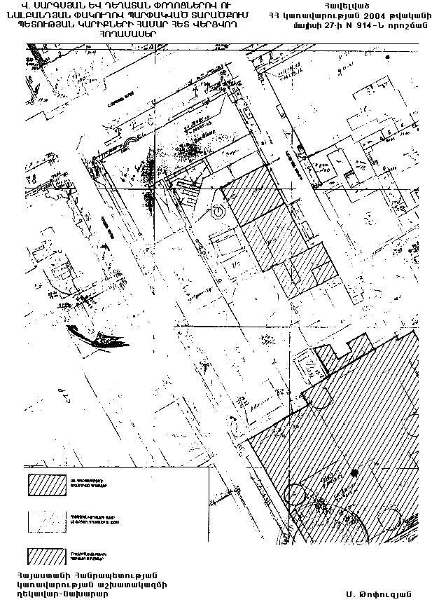
1. Հաստատել Երևանի Կենտրոն թաղային համայնքի վարչական սահմաններում գտնվող` պետության կարիքների համար վերցվող անշարժ գույքի (հողամասեր, շենքեր, շինություններ) օտարման գոտին` 620 քառ. մետր ընդհանուր մակերեսով` համաձայն հավելվածի:
2. Երևանի քաղաքապետին` մեկամսյա ժամկետում ճշտել պետության կարիքների համար վերցվող հողամասերի սահմանները և դրանց օտարման գոտին գրանցել Հայաստանի Հանրապետության կառավարությանն առընթեր անշարժ գույքի կադաստրի պետական կոմիտեի տարածքային ստորաբաժանումում:
3. Սույն որոշումն ուժի մեջ է մտնում պաշտոնական հրապարակմանը հաջորդող օրվանից:
|
Հայաստանի Հանրապետության |
Ա. Մարգարյան |
|
|
|
Հավելված |
Վ. ՍԱՐԳՍՅԱՆ ԵՎ ԴԵՂԱՏԱՆ ՓՈՂՈՑՆԵՐՈՎ ՈՒ ՆԱԼԲԱՆԴՅԱՆ ՓԱԿՈՒՂՈՎ ՊԱՐՓԱԿՎԱԾ ՏԱՐԱԾՔՈՒՄ ՊԵՏՈՒԹՅԱՆ ԿԱՐԻՔՆԵՐԻ ՀԱՄԱՐ ՀԵՏ ՎԵՐՑՎՈՂ ՀՈՂԱՄԱՍԵՐ
|
Հայաստանի Հանրապետության |
Մ. Թոփուզյան |