«Վավերացնում եմ»
Հայաստանի Հանրապետության
Նախագահ Ռ. Քոչարյան
20 հունվարի 2004 թ.
ՀԱՅԱՍՏԱՆԻ ՀԱՆՐԱՊԵՏՈՒԹՅԱՆ ԿԱՌԱՎԱՐՈՒԹՅՈՒՆ
Ո Ր Ո Շ ՈՒ Մ
24 դեկտեմբերի 2003 թվականի N 1838-Ն
ՀԱՅԱՍՏԱՆԻ ՀԱՆՐԱՊԵՏՈՒԹՅԱՆ ԱՐՄԱՎԻՐԻ ՄԱՐԶԻ ԱՐԵՎԱՇԱՏԻ ԳՅՈՒՂԱԿԱՆ ՀԱՄԱՅՆՔԻ ՎԱՐՉԱԿԱՆ ՍԱՀՄԱՆՆԵՐՈՒՄ ԳՏՆՎՈՂ` ՊԵՏԱԿԱՆ ՍԵՓԱԿԱՆՈՒԹՅՈՒՆ ՀԱՆԴԻՍԱՑՈՂ ՀՈՂԱՄԱՍԵՐՆ ԱՆՀԱՏՈՒՅՑ ՍԵՓԱԿԱՆՈՒԹՅԱՆ ԻՐԱՎՈՒՆՔՈՎ ՀԱՄԱՅՆՔԻՆ ՓՈԽԱՆՑԵԼՈՒ ՄԱՍԻՆ
Հայաստանի Հանրապետության հողային օրենսգրքի 34-րդ ու 56-րդ և «Տեղական ինքնակառավարման մասին» Հայաստանի Հանրապետության օրենքի 47-րդ ու 84-րդ հոդվածների պահանջներին համապատասխան` Հայաստանի Հանրապետության կառավարությունը որոշում է.
1. Հայաստանի Հանրապետության Արմավիրի մարզի Արևաշատի գյուղական համայնքի վարչական սահմաններում գտնվող` պետական սեփականություն հանդիսացող 171,4 հեկտար հողամասերից 150,1 հեկտարը, որից` գյուղատնտեսական նշանակության` 98,9 հեկտար, բնակավայրերի հողերի` 37,9 հեկտար, արդյունաբերության, ընդերքօգտագործման և այլ արտադրական նշանակության օբյեկտների` 5,6 հեկտար, էներգետիկայի, տրանսպորտի, կապի և կոմունալ ենթակառուցվածքների օբյեկտների` 4,9 հեկտար, հատուկ պահպանվող տարածքների` 2,5 հեկտար, ջրային հողերի` 0,3 հեկտար, անհատույց սեփականության իրավունքով փոխանցել Արևաշատի գյուղական համայնքին` համաձայն NN 1, 2, 3 և 4 հավելվածների:
2. Սահմանել, որ Հայաստանի Հանրապետության հողային օրենսգրքի 60-րդ հոդվածի պահանջներին համապատասխան`
ա) Հայաստանի Հանրապետության Արմավիրի մարզի Արևաշատի գյուղական համայնքին անհատույց սեփականության իրավունքով փոխանցվող 150,1 հեկտար հողերից 56,9 հեկտարը մասնավորեցման ենթակա չէ.
բ) Հայաստանի Հանրապետության Արմավիրի մարզի Արևաշատի գյուղական համայնքի վարչական սահմաններում գտնվող հողերից 21,3 հեկտարը համարվում է պետական սեփականություն` համաձայն N 5 հավելվածի:
3. Ընդունել ի գիտություն Հայաստանի Հանրապետության Արմավիրի մարզի Արևաշատի գյուղական համայնքի հողային ֆոնդի առկայության և բաշխման մասին հաշվետվությունը` 2003 թվականի ապրիլի 20-ի դրությամբ` համաձայն NN 6 և 7 հավելվածների:
4. Հայաստանի Հանրապետության կառավարությանն առընթեր անշարժ գույքի կադաստրի պետական կոմիտեի նախագահին` սահմանված կարգով ապահովել սկզբնական հաշվառման նյութերի տրամադրումը Հայաստանի Հանրապետության Արմավիրի մարզի Արևաշատի գյուղական համայնքի ղեկավարին` հողերի ընթացիկ հաշվառումն անցկացնելու և համայնքի հողային հաշվեկշիռը կազմելու համար:
5. Հայաստանի Հանրապետության Արմավիրի մարզպետին`
ա) Հայաստանի Հանրապետության կառավարության 2000 թվականի հոկտեմբերի 23-ի N 656 որոշմամբ սահմանված կարգով սկզբնական հաշվառման տվյալների հիման վրա ապահովել մարզի տարածքում ընթացիկ հաշվառման աշխատանքների կատարումը.
բ) համաձայն «Ինքնակամ կառուցված շենքերի, շինությունների և ինքնակամ զբաղեցված հողամասերի իրավական կարգավիճակի մասին» Հայաստանի Հանրապետության օրենքի` համայնքների ղեկավարների միջոցով ապահովել Հայաստանի Հանրապետության կառավարությանն առընթեր անշարժ գույքի կադաստրի պետական կոմիտեի կողմից ներկայացված` ինքնակամ զբաղեցված հողամասերի, ինքնակամ զբաղեցված շենքերի, շինությունների հետագա օգտագործման կարգավիճակի մասին համապատասխան որոշումների ընդունումը և դրանց տրամադրումն անշարժ գույքի կադաստրի տարածքային ստորաբաժանումներին:
6. Սույն որոշումն ուժի մեջ է մտնում պաշտոնական հրապարակմանը հաջորդող օրվանից:
|
Հայաստանի Հանրապետության վարչապետ |
Ա. Մարգարյան |
|
|
|
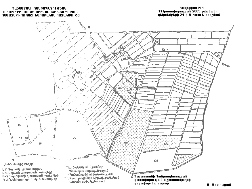
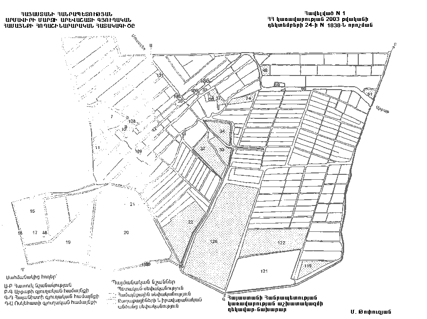
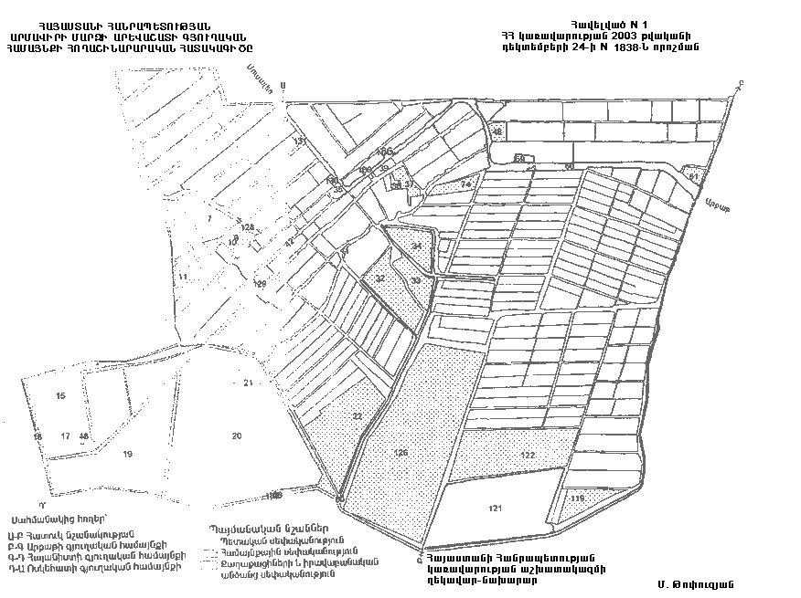
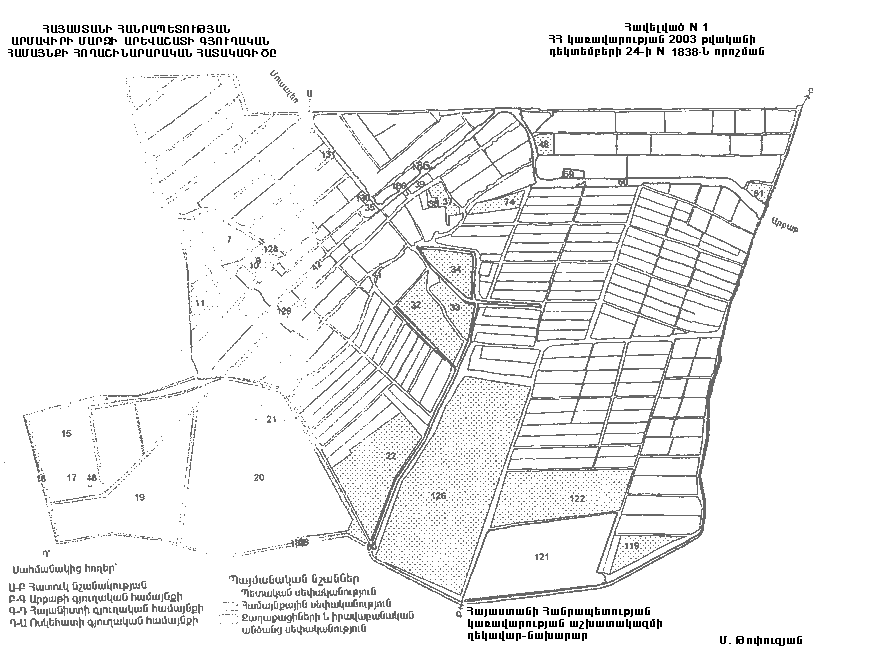
Հավելված N 1 |
ՀԱՅԱՍՏԱՆԻ ՀԱՆՐԱՊԵՏՈՒԹՅԱՆ ԱՐՄԱՎԻՐԻ ՄԱՐԶԻ ԱՐԵՎԱՇԱՏԻ ԳՅՈՒՂԱԿԱՆ ՀԱՄԱՅՆՔԻ ՀՈՂԱՇԻՆԱՐԱՐԱԿԱՆ ՀԱՏԱԿԱԳԻԾԸ
|
Հայաստանի Հանրապետության |
Մ. Թոփուզյան |
|
Հավելված N 2 |
Ա Ն Վ Ա Ն Ա Ց Ա Ն Կ
ՀԱՅԱՍՏԱՆԻ ՀԱՆՐԱՊԵՏՈՒԹՅԱՆ ԱՐՄԱՎԻՐԻ ՄԱՐԶԻ ԱՐԵՎԱՇԱՏԻ ԳՅՈՒՂԱԿԱՆ ՀԱՄԱՅՆՔԻ ՎԱՐՉԱԿԱՆ ՍԱՀՄԱՆՆԵՐՈՒՄ ԳՏՆՎՈՂ` ՊԵՏԱԿԱՆ ՍԵՓԱԿԱՆՈՒԹՅՈՒՆ ՀԱՆԴԻՍԱՑՈՂ ՀՈՂԵՐԻՑ ԱՐԵՎԱՇԱՏԻ ԳՅՈՒՂԱԿԱՆ ՀԱՄԱՅՆՔԻՆ ԱՆՀԱՏՈՒՅՑ ՓՈԽԱՆՑՎՈՂ ՀՈՂԵՐԻ
|
Պայմանական |
Հողերի նպատակային |
Համայնքի |
Պետական | ||
|
ընդամենը |
որից` | ||||
|
|
Գյուղատնտեսական |
98.9 |
12.0 |
||
|
|
Բնակավայրերի |
37.9 |
37.2 |
4.6 | |
|
|
Արդյունաբերության, ընդերքօգտագործման |
5.6 |
|||
|
|
էներգետիկայի, տրանսպորտի, կապի և կոմունալ |
4.9 |
4.9 |
| |
|
|
Հատուկ պահպանվող տարածքների |
2.5 |
2.5 |
| |
|
|
Հատուկ նշանակության |
12.1 | |||
|
|
Անտառային |
||||
|
|
Ջրային |
0.30 |
0.30 |
4.6 | |
|
|
Պահուստային |
||||
|
Ընդամենը |
150.1 |
56.9 |
21.3 | ||
|
Հայաստանի Հանրապետության |
Մ. Թոփուզյան |
|
Հավելված N 3 |
Ց Ա Ն Կ
ՀԱՅԱՍՏԱՆԻ ՀԱՆՐԱՊԵՏՈՒԹՅԱՆ ԱՐՄԱՎԻՐԻ ՄԱՐԶԻ ԱՐԵՎԱՇԱՏԻ ԳՅՈՒՂԱԿԱՆ ՀԱՄԱՅՆՔԻ ՎԱՐՉԱԿԱՆ ՍԱՀՄԱՆՆԵՐՈՒՄ ԳՏՆՎՈՂ` ՊԵՏԱԿԱՆ ՍԵՓԱԿԱՆՈՒԹՅՈՒՆ ՀԱՆԴԻՍԱՑՈՂ ՀՈՂԵՐԻՑ ԱՐԵՎԱՇԱՏԻ ԳՅՈՒՂԱԿԱՆ ՀԱՄԱՅՆՔԻՆ ԱՆՀԱՏՈՒՅՑ ՓՈԽԱՆՑՎՈՂ ՀՈՂԵՐԻ
|
Եզրագծի |
Գյուղատնտեսական նշանակության հողերը |
Ծանոթա- | |||||
|
վարելահող |
պտղատու |
խաղողի |
խոտհարք |
արոտ |
այլ | ||
|
1 |
2 |
3 |
4 |
5 |
6 |
7 |
8 |
|
8 |
|
|
|
|
|
1.44 |
|
|
11 |
2.28 |
|
|
|
|
| |
|
17 |
|
|
|
|
|
2.87 |
|
|
19 |
|
|
|
|
|
10.86 |
|
|
20 |
|
|
|
|
27.15 |
| |
|
22 |
7.10 |
|
|
|
|
| |
|
34 |
1.75 |
|
|
|
|
|
|
|
41 |
0.05 |
||||||
|
46 |
0.51 |
|
|
|
|
| |
|
61 |
0.45 |
|
|
|
|
| |
|
74 |
0.83 |
|
|
|
|
|
|
|
122 |
8.18 |
|
|
|
|
|
|
|
125 |
|
|
|
|
|
11.97 |
դաշտային ճան |
|
126 |
23.48 |
|
|
|
|
| |
|
137 |
0.04 |
|
|
|
|
|
|
|
138 |
0.01 |
|
|
|
|
|
|
|
Ընդամենը |
44.63 |
|
|
|
|
54.34 |
|
|
Հայաստանի Հանրապետության |
Մ. Թոփուզյան |
|
Հավելված N 4 |
Ց Ա Ն Կ
ՀԱՅԱՍՏԱՆԻ ՀԱՆՐԱՊԵՏՈՒԹՅԱՆ ԱՐՄԱՎԻՐԻ ՄԱՐԶԻ ԱՐԵՎԱՇԱՏԻ ԳՅՈՒՂԱԿԱՆ ՀԱՄԱՅՆՔԻ ՎԱՐՉԱԿԱՆ ՍԱՀՄԱՆՆԵՐՈՒՄ ԳՏՆՎՈՂ` ՊԵՏԱԿԱՆ ՍԵՓԱԿԱՆՈՒԹՅՈՒՆ ՀԱՆԴԻՍԱՑՈՂ ՀՈՂԵՐԻՑ ԱՐԵՎԱՇԱՏԻ ԳՅՈՒՂԱԿԱՆ ՀԱՄԱՅՆՔԻՆ ԱՆՀԱՏՈՒՅՑ ՓՈԽԱՆՑՎՈՂ ՀՈՂԵՐԻ (ԸՍՏ ՆՊԱՏԱԿԱՅԻՆ ՆՇԱՆԱԿՈՒԹՅԱՆ)
|
Եզրա- |
II |
III |
IV |
V |
VI |
VII |
VIII |
IX |
Ծանոթա- |
|
Բնակա- |
Արդյունա- |
Էներգետիկայի, |
Հատուկ պահ- |
Հատուկ նշանա- |
Անտա- |
Ջրային |
Պահուս- | ||
|
1 |
2 |
3 |
4 |
5 |
6 |
7 |
8 |
9 |
10 |
|
7 |
|
|
2.31 |
|
|
|
|
գերեզմանոց | |
|
9 |
0.01 |
|
|
|
|
|
|
|
խանութ |
|
10 |
0.01 |
|
|
խանութ | |||||
|
16 |
0.25 |
ներհամ.ոռոգ. ցանց | |||||||
|
18 |
0.02 |
|
գազ.լց.կայ. | ||||||
|
21 |
1.0 |
|
|
|
|
|
|
|
խաղահրապարակ |
|
32 |
|
3.13 |
|
|
|
|
|
|
արտ. մաս |
|
33 |
|
1.52 |
|
արտ. մաս | |||||
|
35 |
0.29 |
|
կուլտ. տուն | ||||||
|
36 |
|
0.08 |
եկեղեցի | ||||||
|
37 |
|
0.68 |
|
կահույքի ֆաբր. | |||||
|
39 |
0.35 |
|
մանկապարտեզ | ||||||
|
42 |
36.19 |
|
|
փողոց | |||||
|
60 |
|
4.86 |
|
համայնք.նշ.ճան. | |||||
|
128 |
|
|
0.002 |
էլ. ենթակայան | |||||
|
129 |
|
0.01 |
մատուռ | ||||||
|
130 |
|
0.09 |
|
հուշարձան | |||||
|
131 |
|
|
0.04 |
|
գազի բաշխ. կայան | ||||
|
132 |
|
0.11 |
հացի փուռ | ||||||
|
134 |
|
|
0.02 |
|
|
|
|
|
կենցաղի տուն |
|
135 |
|
0.16 |
|
|
|
|
|
|
արտ. մաս |
|
136 |
|
|
0.01 |
|
|
|
|
|
էլ. ենթակայան |
|
139 |
0.02 |
ինքնակամ կառ. | |||||||
|
Ընդամենը |
37.89 |
5.8 |
4.932 |
2.49 |
|
|
0.25 |
|
|
|
Հայաստանի Հանրապետության |
Մ. Թոփուզյան |
|
Հավելված N 5 |
Ց Ա Ն Կ
ՀԱՅԱՍՏԱՆԻ ՀԱՆՐԱՊԵՏՈՒԹՅԱՆ ԱՐՄԱՎԻՐԻ ՄԱՐԶԻ ԱՐԵՎԱՇԱՏԻ ԳՅՈՒՂԱԿԱՆ ՀԱՄԱՅՆՔԻ ՎԱՐՉԱԿԱՆ ՍԱՀՄԱՆՆԵՐՈՒՄ ԳՏՆՎՈՂ` ՊԵՏԱԿԱՆ ՍԵՓԱԿԱՆՈՒԹՅՈՒՆ ՀԱՆԴԻՍԱՑՈՂ ՀՈՂԵՐԻ (ԸՍՏ ՆՊԱՏԱԿԱՅԻՆ ՆՇԱՆԱԿՈՒԹՅԱՆ)
|
Եզրա- |
II |
III |
IV |
V |
VI |
VII |
VIII |
IX |
Ծանոթա- |
|
Բնակա- |
Արդյունա- |
Էներգետիկայի, |
Հատուկ պահ- |
Հատուկ նշանա- |
Անտա- |
Ջրային |
Պահուս- | ||
|
1 |
2 |
3 |
4 |
5 |
6 |
7 |
8 |
9 |
10 |
|
15 |
4.09 |
|
|
|
|
|
|
|
կարմիր խաչ |
|
38 |
0.29 |
|
|
|
դպրոց | ||||
|
59 |
0.23 |
|
|
օդերևութ. կայան | |||||
|
121 |
|
|
12.07 |
|
մշտ. օգտ. | ||||
|
127 |
|
|
|
|
|
|
4.61 |
|
դրենաժ |
|
Ընդամենը |
4.61 |
|
|
|
12.07 |
4.61 |
|
Հայաստանի Հանրապետության |
Մ. Թոփուզյան |
|
Հավելված N 6 Ձև 22 |
Հ Ա Շ Վ Ե Տ Վ ՈՒ Թ Յ ՈՒ Ն
ՀԱՅԱՍՏԱՆԻ ՀԱՆՐԱՊԵՏՈՒԹՅԱՆ ԱՐՄԱՎԻՐԻ ՄԱՐԶԻ ԱՐԵՎԱՇԱՏԻ ԳՅՈՒՂԱԿԱՆ ՀԱՄԱՅՆՔԻ ՀՈՂԱՅԻՆ ՖՈՆԴԻ ԱՌԿԱՅՈՒԹՅԱՆ ԵՎ ԲԱՇԽՄԱՆ ՄԱՍԻՆ` 2003 ԹՎԱԿԱՆԻ ԱՊՐԻԼԻ 20-Ի ԴՐՈՒԹՅԱՄԲ
(հեկտարներով)
|
NN |
Նպա- |
Հողա- |
Ծած- |
Ընդամենը (2+3+4+8+12) |
Սեփականության սուբյեկտը | ||||||||||
|
ՀՀ քա- |
ՀՀ իրա- |
համայնքային |
պետական |
օտար- | |||||||||||
|
ընդամենը (5+6+7) |
տրված |
վարձա- |
օգտա- |
ընդամենը (9+10+11) |
տրված |
վար- |
օգ- | ||||||||
|
Ա |
Բ |
Գ |
1 |
2 |
3 |
4 |
5 |
6 |
7 |
8 |
9 |
10 |
11 |
12 | |
|
1.1 |
1. Գյու- |
վարելահող |
151.9 |
107.3 |
44.6 |
||||||||||
|
1.2 |
բազմ. տնկ. |
|
|
|
|||||||||||
|
1.2.1 |
այդ թվում` |
|
|||||||||||||
|
1.2.2 |
խաղողի այգի |
|
|
||||||||||||
|
1.2.3 |
այլ բազմամյա |
|
|||||||||||||
|
1.3 |
խոտհարք |
|
|||||||||||||
|
1.4 |
արոտ |
|
|||||||||||||
|
1.5 |
այլ |
|
|
||||||||||||
|
1 |
ընդամենը |
206.2 |
107.3 |
98.9 |
|||||||||||
|
2.1 |
2. Բնա- |
բնակելի |
104.4 |
104.4 |
0.02 |
||||||||||
|
2.1.1 |
այդ թվում` |
104.4 |
104.4 |
|
|||||||||||
|
2.1.2 |
այգեգ-ն |
|
|||||||||||||
|
2.2 |
հասարակ. |
5.3 |
0.7 |
4.6 |
|||||||||||
|
2.3 |
խառը |
|
|||||||||||||
|
2.4 |
ընդհ. |
37.2 |
37.2 |
|
|||||||||||
|
2.5 |
այլ հողեր |
|
|
|
|||||||||||
|
2 |
ընդամենը |
148.9 |
104.4 |
37.9 |
4.6 |
||||||||||
|
3.1 |
3. Արդյու- |
արդյունա- |
0.7 |
0.7 |
|||||||||||
|
3.2 |
գյուղտն. արտադ. |
4.9 |
4.9 |
|
|||||||||||
|
3.3 |
պահեստա- |
||||||||||||||
|
3.4 |
ընդերք. |
|
|
|
|||||||||||
|
3 |
ընդամենը |
5.6 |
5.6 |
|
|||||||||||
|
4.1 |
4. Էներգե- |
էներգե- |
0.012 |
0.012 |
|
||||||||||
|
4.2 |
կապի |
|
|
||||||||||||
|
4.3 |
տրանսպորտի |
4.9 |
4.9 |
|
|||||||||||
|
4.4 |
կոմուն. |
|
|
|
|||||||||||
|
4 |
ընդամենը |
4.9 |
4.9 |
|
|||||||||||
|
5.1 |
5. Հատուկ պահ- |
բնապահպան. |
|||||||||||||
|
5.1.1 |
այդ թվում` արգելոց. |
||||||||||||||
|
5.1.2 |
արգելա-վայրեր |
||||||||||||||
|
5.1.3 |
ազգային պարկ |
||||||||||||||
|
5.2 |
առողջա- |
||||||||||||||
|
5.3 |
հանգստի |
||||||||||||||
|
5.4 |
պատմ. և մշակութ. |
2.5 |
2.5 |
||||||||||||
|
5 |
ընդամենը |
2.5 |
2.5 |
||||||||||||
|
6 |
6. Հատուկ նշանա- |
ընդամենը |
12.1 |
12.1 | |||||||||||
|
7.1 |
7. Անտա- |
անտառ |
|||||||||||||
|
7.2 |
թփուտ |
||||||||||||||
|
7.3 |
վարելահող |
||||||||||||||
|
7.4 |
խոտհարք |
||||||||||||||
|
7.5 |
արոտ |
|
|
||||||||||||
|
7.6 |
այլ հողեր |
|
|
||||||||||||
|
7 |
ընդամենը |
|
|
||||||||||||
|
8.1 |
8. Ջրային |
գետեր |
|
|
|||||||||||
|
8.2 |
ջրամբարներ |
||||||||||||||
|
8.3 |
լճեր |
0.3 |
0.3 |
|
|||||||||||
|
8.4 |
ջրանցքներ |
4.6 |
|
4.6 |
|||||||||||
|
8.5 |
հդտ. և |
|
|
|
|||||||||||
|
8 |
ընդամենը |
4.9 |
0.3 |
4.6 |
|||||||||||
|
9.1 |
9. Պա- |
աղուտներ |
|
||||||||||||
|
9.2 |
ավազուտներ |
||||||||||||||
|
9.3 |
ճահիճներ |
||||||||||||||
|
9.4 |
|||||||||||||||
|
9.5 |
այլ անօգտա- |
||||||||||||||
|
9 |
ընդամենը |
||||||||||||||
|
ԸՆԴԱՄԵՆԸ` ՀՈՂԵՐ (1+2+3+4+5+6+7+8+9) |
383.1 |
211.7 |
150.1 |
21.3 |
|||||||||||
|
Հայաստանի Հանրապետության |
Մ. Թոփուզյան |
|
Հավելված N 7 Ձև 22ա |
Հ Ա Շ Վ Ե Տ Վ ՈՒ Թ Յ ՈՒ Ն
ՀԱՅԱՍՏԱՆԻ ՀԱՆՐԱՊԵՏՈՒԹՅԱՆ ԱՐՄԱՎԻՐԻ ՄԱՐԶԻ ԱՐԵՎԱՇԱՏԻ ԳՅՈՒՂԱԿԱՆ ՀԱՄԱՅՆՔԻ ՈՌՈԳՎՈՂ ՀՈՂԵՐԻ ԱՌԿԱՅՈՒԹՅԱՆ ԵՎ ԲԱՇԽՄԱՆ ՄԱՍԻՆ
|
NN |
Նպա- |
Գործառական |
Ծած- կա- գիրը |
Ընդամենը |
Սեփականության սուբյեկտը | |||||
|
ՀՀ քաղա- |
ՀՀ իրա- |
համայն- |
պետա- |
օտար- | ||||||
|
|
Ա |
Բ |
Գ |
1 |
2 |
3 |
4 |
5 |
6 | |
|
1.1 |
1. Գյուղա- |
վարելահող |
|
151.9 |
107.3 |
|
44.6 |
|
| |
|
1.2 |
բազմամյա տնկարկներ,ընդամենը |
|
|
|
|
|
|
| ||
|
1.2.1 |
այդ թվում`պտղատու այգի |
|
|
|
|
|
|
| ||
|
1.2.2 |
խաղողի այգի |
|
|
|
|
|
|
| ||
|
1.2.3 |
այլ |
|
|
|
|
|
|
| ||
|
1.3 |
խոտհարք |
|
|
|
|
|
|
| ||
|
1.4 |
արոտ |
|
|
|
|
|
|
| ||
|
1.5 |
այլ հողատեսքեր |
|
|
|
|
|
|
| ||
|
1 |
ընդամենը |
|
|
|
|
|
|
| ||
|
2.1 |
2. Բնակա- |
բնակելի կառուցապատման |
|
88.7 |
88.7 |
|
|
|
| |
|
2.1.1 |
այդ թվում` տնամերձ հողեր |
|
88.7 |
88.7 |
|
|
|
| ||
|
2.1.2 |
այգեգործական |
|
|
|
|
| ||||
|
2.2 |
ընդհանուր օգտագործման |
|
|
|
|
|
|
| ||
|
2.3 |
այլ հողեր |
|
|
|
|
|
|
| ||
|
2 |
ընդամենը (2.1+2.2+2.3) |
|
88.7 |
88.7 |
|
|
|
| ||
|
3 |
3. Արդյունաբերության, ընդերքօգտագործման և այլ |
|
|
|
|
|
|
| ||
|
4 |
4. Էներգետիկայի, տրանսպորտի, կապի և կոմունալ ենթակառուցվածքների օբյեկտների |
|
|
|
|
|
|
| ||
|
5 |
5. Հատուկ պահպանվող տարածքների |
|
|
|
|
|
|
| ||
|
6 |
6. Հատուկ նշանակության |
|
|
|
|
|
|
| ||
|
7.1 |
7. Անտառային |
անտառ |
|
|
|
|
|
|
| |
|
7.2 |
թփուտ |
|
|
|
|
|
|
| ||
|
7.3 |
վարելահող |
|
|
|
|
|
|
| ||
|
7.4 |
խոտհարք |
|
|
|
|
|
|
| ||
|
7.5 |
արոտ |
|
|
|
|
|
|
| ||
|
7.6 |
այլ հողեր |
|
|
|
|
|
|
| ||
|
7 |
ընդամենը |
|
|
|
|
|
|
| ||
|
8 |
8. Ջրային |
|
|
|
|
|
|
| ||
|
9 |
9. Պահուստային |
|
|
|
|
|
|
| ||
|
ԸՆԴԱՄԵՆԸ` ՈՌՈԳՎՈՂ ՀՈՂԵՐ |
240.6 |
196.0 |
|
44.6 |
|
| ||||
|
Հայաստանի Հանրապետության |
Մ. Թոփուզյան |