«Վավերացնում եմ»
Հայաստանի Հանրապետության
Նախագահ Ռ. Քոչարյան
27 հուլիսի 2005 թ.
ՀԱՅԱՍՏԱՆԻ ՀԱՆՐԱՊԵՏՈՒԹՅԱՆ ԿԱՌԱՎԱՐՈՒԹՅՈՒՆ
Ո Ր Ո Շ ՈՒ Մ
25 մայիսի 2005 թվականի N 993-Ն
ՀԱՅԱՍՏԱՆԻ ՀԱՆՐԱՊԵՏՈՒԹՅԱՆ ԱՐԱԳԱԾՈՏՆԻ ՄԱՐԶԻ ՄԻ ՇԱՐՔ ԳՅՈՒՂԱԿԱՆ ՀԱՄԱՅՆՔՆԵՐԻ ՎԱՐՉԱԿԱՆ ՍԱՀՄԱՆՆԵՐԻ ՆԿԱՐԱԳՐԵՐԸ ՀԱՍՏԱՏԵԼՈՒ ՄԱՍԻՆ
«Տեղական ինքնակառավարման մասին» և «Հայաստանի Հանրապետության վարչատարածքային բաժանման մասին» Հայաստանի Հանրապետության օրենքների 6-րդ հոդվածների պահանջներին համապատասխան և հաշվի առնելով Հայաստանի Հանրապետության մարզերի ու համայնքների վարչական սահմանների նկարագրման աշխատանքների կարգավորման կառավարական հանձնաժողովի եզրակացությունը` Հայաստանի Հանրապետության կառավարությունը որոշում է.
1. Հաստատել Հայաստանի Հանրապետության Արագածոտնի մարզի`
1) Ագարակի գյուղական համայնքի (Աշտարակի շրջան) վարչական սահմանների նկարագիրը` համաձայն NN 1 և 11 հավելվածների,
2) Ակունքի գյուղական համայնքի վարչական սահմանների նկարագիրը` համաձայն NN 2 և 21 հավելվածների,
3) (ենթակետն ուժը կորցրել է 14.10.10 N 1359-Ն)
4) (ենթակետն ուժը կորցրել է 14.10.10 N 1359-Ն)
5) (ենթակետն ուժը կորցրել է 14.10.10 N 1359-Ն)
6) Արագածոտնի գյուղական համայնքի վարչական սահմանների նկարագիրը` համաձայն NN 6 և 61 հավելվածների,
7) (ենթակետն ուժը կորցրել է 14.10.10 N 1359-Ն)
8) (ենթակետն ուժը կորցրել է 14.10.10 N 1359-Ն)
9) Աղձքի գյուղական համայնքի վարչական սահմանների նկարագիրը` համաձայն NN 9 և 91 հավելվածների,
10) (ենթակետն ուժը կորցրել է 14.10.10 N 1359-Ն)
11) (ենթակետն ուժը կորցրել է 14.10.10 N 1359-Ն)
12) Գառնահովտի գյուղական համայնքի վարչական սահմանների նկարագիրը` համաձայն NN 12 և 121 հավելվածների,
13) Գյալթոյի գյուղական համայնքի վարչական սահմանների նկարագիրը` համաձայն NN 13 և 131 հավելվածների,
14) (ենթակետն ուժը կորցրել է 14.10.10 N 1359-Ն)
15) (ենթակետն ուժը կորցրել է 14.10.10 N 1359-Ն)
16) Դպրեվանքի գյուղական համայնքի վարչական սահմանների նկարագիրը` համաձայն NN 16 և 161 հավելվածների,
17) (ենթակետն ուժը կորցրել է 14.10.10 N 1359-Ն)
18) Զարինջայի գյուղական համայնքի վարչական սահմանների նկարագիրը` համաձայն NN 18 և 181 հավելվածների,
19) Թլիկի գյուղական համայնքի վարչական սահմանների նկարագիրը` համաձայն NN 19 և 191 հավելվածների,
20) (ենթակետն ուժը կորցրել է 14.10.10 N 1359-Ն)
21) Կոշի գյուղական համայնքի վարչական սահմանների նկարագիրը` համաձայն NN 21 և 211 հավելվածների,
22) Կաքավաձորի գյուղական համայնքի վարչական սահմանների նկարագիրը` համաձայն NN 22 և 221 հավելվածների,
23) (ենթակետն ուժը կորցրել է 14.10.10 N 1359-Ն)
24) (ենթակետն ուժը կորցրել է 14.10.10 N 1359-Ն)
25) Հակկոյի գյուղական համայնքի վարչական սահմանների նկարագիրը` համաձայն NN 25 և 251 հավելվածների,
26) (ենթակետն ուժը կորցրել է 14.10.10 N 1359-Ն)
27) (ենթակետն ուժը կորցրել է 14.10.10 N 1359-Ն)
28) Նոր Արթիկի գյուղական համայնքի վարչական սահմանների նկարագիրը` համաձայն NN 28 և 281 հավելվածների,
29) (ենթակետն ուժը կորցրել է 14.10.10 N 1359-Ն)
30) (ենթակետն ուժը կորցրել է 14.10.10 N 1359-Ն)
31) (ենթակետն ուժը կորցրել է 14.10.10 N 1359-Ն)
32) (ենթակետն ուժը կորցրել է 14.10.10 N 1359-Ն)
33) (ենթակետն ուժը կորցրել է 14.10.10 N 1359-Ն)
34) Ոսկեհատի գյուղական համայնքի վարչական սահմանների նկարագիրը` համաձայն NN 34 և 341 հավելվածների,
35) (ենթակետն ուժը կորցրել է 14.10.10 N 1359-Ն)
36) Սուսերի գյուղական համայնքի վարչական սահմանների նկարագիրը` համաձայն NN 36 և 361 հավելվածների,
37) Սասունիկի գյուղական համայնքի վարչական սահմանների նկարագիրը` համաձայն NN 37 և 371 հավելվածների,
38) (ենթակետն ուժը կորցրել է 14.10.10 N 1359-Ն)
39) (ենթակետն ուժը կորցրել է 14.10.10 N 1359-Ն)
40) (ենթակետն ուժը կորցրել է 14.10.10 N 1359-Ն)
41) (ենթակետն ուժը կորցրել է 14.10.10 N 1359-Ն)
42) (ենթակետն ուժը կորցրել է 14.10.10 N 1359-Ն)
43) (ենթակետն ուժը կորցրել է 14.10.10 N 1359-Ն)
(1-ին կետը փոփ. 14.10.10 N 1359-Ն)
2. Հայաստանի Հանրապետության կառավարությանն առընթեր անշարժ գույքի կադաստրի պետական կոմիտեի նախագահին` Հայաստանի Հանրապետության պետական գեոդեզիական ցանցի հավասարակշռման արդյունքների հիման վրա հողային ֆոնդի ընթացիկ հաշվառման ժամանակ, սույն որոշմամբ սահմանված համայնքների հողային հաշվեկշիռներում սահմանված կարգով կատարել համապատասխան փոփոխություններ:
3. Սույն որոշումն ուժի մեջ է մտնում պաշտոնական հրապարակմանը հաջորդող օրվանից։
|
Հայաստանի Հանրապետության |
Ա. Մարգարյան |
|
|
|
Հավելված N 1 |
ՀՀ ԱՐԱԳԱԾՈՏՆԻ ՄԱՐԶԻ ԱԳԱՐԱԿԻ ԳՅՈՒՂԱԿԱՆ ՀԱՄԱՅՆՔԻ ՎԱՐՉԱԿԱՆ ՍԱՀՄԱՆՆԵՐԻ ՀԱՏԱԿԱԳԻԾԸ
| Հայաստանի Հանրապետության կառավարության աշխատակազմի ղեկավար-նախարար |
Մ. Թոփուզյան |
|
Հավելված N 11 |
ՀՀ ԱՐԱԳԱԾՈՏՆԻ ՄԱՐԶԻ ԱԳԱՐԱԿԻ ԳՅՈՒՂԱԿԱՆ ՀԱՄԱՅՆՔԻ ՎԱՐՉԱԿԱՆ ՍԱՀՄԱՆՆԵՐԻ ՆԿԱՐԱԳՐՈՒԹՅՈՒՆԸ
Ագարակ համայնքը գտնվում է մարզի հարավային մասում:
Հեռավորությունը մարզկենտրոն ք. Աշտարակից 11 կմ է:
Համայնքը հյուսիսից «Ա»-«Բ» հատվածով սահմանակից է Բյուրական գյուղական համայնքին, հյուսիս-արևելքից «Բ»-«Գ» հատվածով` Բազմաղբյուր համայնքին, արևելքից «Գ»-«Դ» հատվածով` Փարպի գյուղական համայնքին, հարավ-արևելքից «Դ»-«Ե» հատվածով` Ոսկեվազ գյուղական համայնքին, հարավ-արևմուտքից «Ե»-«Զ» հատվածով` Ոսկեհատ գյուղական համայնքին, արևմուտքից «Զ»-«Ա» հատվածով` Աղձք գյուղական համայնքին:
ԱԳԱՐԱԿ-ԲՅՈՒՐԱԿԱՆ ՍԱՀՄԱՆԱԳԻԾԸ`«Ա»-«Բ»
Ագարակ, Բյուրական և Աղձք գյուղական համայնքների տարածքների բաժանման «Ա» հանգուցային կետից սահմանագիծը ներհամայնքային ոռոգման ցանցով անցնում է դեպի հյուսիս-արևելք, Բյուրական-Ագարակ մարզային ճանապարհի կամրջով հասնում է Ագարակ, Բազմաղբյուր և Բյուրական գյուղական համայնքների տարածքների բաժանման «Բ» հանգուցային կետը:
«Ա»-«Բ» սահմանագծի ընդհանուր երկարությունը 2244.3 մ է:
ԱԳԱՐԱԿ-ԲԱԶՄԱՂԲՅՈՒՐ ՍԱՀՄԱՆԱԳԻԾԸ` «Բ»-«Գ»
Ագարակ, Բազմաղբյուր և Բյուրական գյուղական համայնքների տարածքների բաժանման «Բ» հանգուցային կետից սահմանագիծը միջհամայնքային ոռոգման ցանցով անցնում է դեպի արևելք, ապա հարավ-արևելք, միանում Ագարակ, Փարպի և Բազմաղբյուր գյուղական համայնքների տարածքների բաժանման «Գ» հանգուցային կետին:
«Բ»-«Գ» սահմանագծի ընդհանուր երկարությունը` 871.7 մ է:
ԱԳԱՐԱԿ-ՓԱՐՊԻ ՍԱՀՄԱՆԱԳԻԾԸ` «Գ»-«Դ»
Ագարակ, Փարպի և Բազմաղբյուր գյուղական համայնքների տարածքների բաժանման «Գ» հանգուցային կետից սահմանագիծը ոռոգման առվով իջնում է դեպի հարավ, հասնում Ագարակ-Աշտարակ մարզային ճանապարհին, ապա շարունակվելով հասնում է Ագարակ, Փարպի և Ոսկեվազ գյուղական համայնքների տարածքների բաժանման «Դ» հանգուցային կետին:
«Գ»-«Դ» սահմանագծի ընդհանուր երկարությունը` 1162.4 մ է:
ԱԳԱՐԱԿ-ՈՍԿԵՎԱԶ ՍԱՀՄԱՆԱԳԻԾԸ` «Դ»-«Ե»
Ագարակ, Փարպի և Ոսկեվազ գյուղական համայնքների տարածքների բաժանման «Դ» հանգուցային կետից սահմանագիծը անցնում է հարավ, ապա հարավ-արևմուտք` Փարպի-Փաթրինջի ջրանցքով մինչև Ոսկեվազ- Ագարակ մարզային ճանապարհը, ապա անցնում է արևմուտք, միանում Ոսկեհատ, Ագարակ և Ոսկեվազ գյուղական համայնքների տարածքների բաժանման «Ե» հանգուցային կետին:
«Դ»-«Ե» սահմանագծի ընդհանուր երկարությունը` 2145.3 մ է:
ԱԳԱՐԱԿ-ՈՍԿԵՀԱՏ ՍԱՀՄԱՆԱԳԻԾԸ` «Ե»-«Զ»
Ագարակ, Աղձք և Ոսկեհատ գյուղական համայնքների տարածքների բաժանման «Զ» հանգուցային կետից սահմանագիծը թեքվում է դեպի արևելք, ոռոգման առվով անցնում և հասնում մինչև Ամբերդ գետը, որը հանդիսանում է Ոսկեհատ, Ագարակ և Ոսկեվազ գյուղական համայնքների տարածքների բաժանման «Ե» հանգուցային կետ:
«Ե»-«Զ» սահմանագծի ընդհանուր երկարությունը` 577.20 մ է:
ԱԳԱՐԱԿ-ԱՂՁՔ ՍԱՀՄԱՆԱԳԻԾԸ` «Զ»-«Ա»
Ագարակ, Աղձք և Բյուրական գյուղական համայնքների տարածքների բաժանման «Ա» հանգուցային կետից սահմանագիծը ձորով իջնում է հարավ-արևելք, հատելով Աշտարակ-Ագարակ հանրապետական նշանակության ճանապարհը, շարունակում է իջնել հարավ, հատելով ձորեր և ջրամբարներ, անցնելով 2288.51 մ` հասնում է Ագարակ, Աղձք և Ոսկեհատ գյուղական համայնքների տարածքների բաժանման «Զ» հանգուցային կետին:
«Զ»-«Ա» սահմանագծի ընդհանուր երկարությունը` 2288.51 մ է:
| Հայաստանի Հանրապետության կառավարության աշխատակազմի ղեկավար-նախարար |
Մ. Թոփուզյան |
|
Հավելված N 2 |
ՀՀ ԱՐԱԳԱԾՈՏՆԻ ՄԱՐԶԻ ԱԿՈՒՆՔԻ ԳՅՈՒՂԱԿԱՆ ՀԱՄԱՅՆՔԻ ՎԱՐՉԱԿԱՆ ՍԱՀՄԱՆՆԵՐԻ ՀԱՏԱԿԱԳԻԾԸ
Հայաստանի Հանրապետության
կառավարության աշխատակազմի
ղեկավար-նախարարՄ. Թոփուզյան
|
Հավելված N 21 |
ՀՀ ԱՐԱԳԱԾՈՏՆԻ ՄԱՐԶԻ ԱԿՈՒՆՔԻ ԳՅՈՒՂԱԿԱՆ ՀԱՄԱՅՆՔԻ ՎԱՐՉԱԿԱՆ ՍԱՀՄԱՆՆԵՐԻ ՆԿԱՐԱԳՐՈՒԹՅՈՒՆԸ
Ակունք համայնքը գտնվում է մարզի հարավային մասում:
Հեռավորությունը մարզկենտրոն ք. Աշտարակից 52 կմ է:
Համայնքը հյուսիս-արևելքից «Ա»-«Բ» հատվածով սահմանակից է Ոսկեթաս համայնքին, արևելքից «Բ»-«Գ» հատվածով` Կարմրաշեն համայնքին, հարավից «Գ»-«Դ» հատվածով` Թալին համայնքին, արևմուտքից «Դ»-«Ա» հատվածով` Մաստարա համայնքին:
ԱԿՈՒՆՔ-ՈՍԿԵԹԱՍ ՍԱՀՄԱՆԱԳԻԾԸ` «Ա»-«Բ»
Ակունք, Մաստարա և Ոսկեթաս համայնքների տարածքների բաժանման «Ա» հանգուցային կետից սահմանագիծն անցնելով հարավ-արևելք, առվով 2550.4 մ, հասնում է թիվ 1 կետին, որից թեքվելով հարավ-արևմուտք, անցնելով 613.1 մ հարթավայրային ռելիեֆով, հատելով դաշտամիջյան ճանապարհները` հասնում է թիվ 2 կետին: Այնուհետև թեքվում հարավ-արևելք, անցնում 652.1 մ, անցնելով թիվ 3 սահմանակետով, հասնում է «Բ» հանգուցային կետին, որը գտնվում է ձորի եզրին:
«Ա»-«Բ» սահմանագծի ընդհանուր երկարությունը 3815.6 մ է:
ԱԿՈՒՆՔ-ԿԱՐՄՐԱՇԵՆ ՍԱՀՄԱՆԱԳԻԾԸ` «Բ»-«Գ»
Ակունք, Ոսկեթաս և Կարմրաշեն համայնքների տարածքների բաժանման «Բ» հանգուցային կետից սահմանագիծը ձորով անցնում է հարավ, հատելով դաշտամիջյան և մարզային նշանակության ճանապարհները, հասնում «Գ» հանգուցային կետին:
«Բ»-«Գ» սահմանագծի ընդհանուր երկարությունը 3406.2 մ է:
ԱԿՈՒՆՔ-ԹԱԼԻՆ ՍԱՀՄԱՆԱԳԻԾԸ` «Գ»-«Դ»
Ակունք, Մաստարա և Թալին համայնքների տարածքների բաժանման «Դ» հանգուցային կետից սահմանագիծն անցնելով հարավ-արևելք 860.0 մ, հանրապետական նշանակության ճանապարհով հասնում է թիվ 1 կետին, որից հետո թեքվում է հարավ-արևելք, ապա արևելք, անցնելով բարձունքներով, հատելով ջրբաժանները և ձորակները, անցնելով 2-10 սահմանակետերը, հասնում Ակունք, Կարմրաշեն և Թալին համայնքների տարածքների բաժանման «Գ» հանգուցային կետին:
«Գ»-«Դ» սահմանագծի ընդհանուր երկարությունը 5820.6 մ է:
ԱԿՈՒՆՔ-ՄԱՍՏԱՐԱ ՍԱՀՄԱՆԱԳԻԾԸ` «Դ»-«Ա»
«Ա» հանգուցային կետից սահմանագիծն անցնելով 489.0 մ դեպի արևմուտք, հատելով դաշտային ճանապարհը, հասնում է թիվ 1 կետին, ապա կտրուկ թեքվում հարավ-արևմուտք 1603.8 մ, անցնելով բարձունքներով, հատելով ջրբաժանները և ձորակները, հասնում թիվ 3 կետին, այնուհետև անցնելով ժայռի վրայով 851.9 մ, հասնում 4 կետին, թեքվում է հարավ-արևմուտք, անցնում 3769.5 մ, անցնելով 4-9 սահմանակետերը, հատելով «Օյուխլու թափա» գեոդեզիական կետը, անցնելով 10 կետը, հասնում է Մաստարա, Ակունք և Թալին համայնքների տարածքների բաժանման «Դ» հանգուցային կետին, որը գտնվում է Երևան-Գյումրի ավտոճանապարհի եզրին:
«Դ»-«Ա» սահմանագծի ընդհանուր երկարությունը 6714.2 մ է:
| Հայաստանի Հանրապետության կառավարության աշխատակազմի ղեկավար-նախարար |
Մ. Թոփուզյան |
|
Հավելված N 3 |
ՀԱՅԱՍՏԱՆԻ ՀԱՆՐԱՊԵՏՈՒԹՅԱՆ ԱՐԱԳԱԾՈՏՆԻ ՄԱՐԶԻ ԱՆՏԱՌՈՒՏԻ ԳՅՈՒՂԱԿԱՆ ՀԱՄԱՅՆՔԻ ՍԱՀՄԱՆՆԵՐԻ ՀԱՏԱԿԱԳԻԾԸ
(հավելվածն ուժը կորցրել է 14.10.10 N 1359-Ն)
|
Հավելված N 31 |
ՀՀ ԱՐԱԳԱԾՈՏՆԻ ՄԱՐԶԻ ԱՆՏԱՌՈՒՏԻ ԳՅՈՒՂԱԿԱՆ ՀԱՄԱՅՆՔԻ ՎԱՐՉԱԿԱՆ ՍԱՀՄԱՆՆԵՐԻ ՆԿԱՐԱԳՐՈՒԹՅՈՒՆԸ
(հավելվածն ուժը կորցրել է 14.10.10 N 1359-Ն)
|
Հավելված N 4 |
ՀՀ ԱՐԱԳԱԾՈՏՆԻ ՄԱՐԶԻ ԱՐԵԳԻ ԳՅՈՒՂԱԿԱՆ ՀԱՄԱՅՆՔԻ ՎԱՐՉԱԿԱՆ ՍԱՀՄԱՆՆԵՐԻ ՀԱՏԱԿԱԳԻԾԸ
(հավելվածն ուժը կորցրել է 14.10.10 N 1359-Ն)
|
Հավելված N 41 |
ՀՀ ԱՐԱԳԱԾՈՏՆԻ ՄԱՐԶԻ ԱՐԵԳԻ ԳՅՈՒՂԱԿԱՆ ՀԱՄԱՅՆՔԻ ՎԱՐՉԱԿԱՆ ՍԱՀՄԱՆՆԵՐԻ ՆԿԱՐԱԳՐՈՒԹՅՈՒՆԸ
(հավելվածն ուժը կորցրել է 14.10.10 N 1359-Ն)
|
Հավելված N 5 |
ՀՀ ԱՐԱԳԱԾՈՏՆԻ ՄԱՐԶԻ ԱՐՈՒՃԻ ԳՅՈՒՂԱԿԱՆ ՀԱՄԱՅՆՔԻ ՎԱՐՉԱԿԱՆ ՍԱՀՄԱՆՆԵՐԻ ՀԱՏԱԿԱԳԻԾԸ
(հավելվածն ուժը կորցրել է 14.10.10 N 1359-Ն)
|
Հավելված N 51 |
ՀՀ ԱՐԱԳԱԾՈՏՆԻ ՄԱՐԶԻ ԱՐՈՒՃԻ ԳՅՈՒՂԱԿԱՆ ՀԱՄԱՅՆՔԻ ՎԱՐՉԱԿԱՆ ՍԱՀՄԱՆՆԵՐԻ ՆԿԱՐԱԳՐՈՒԹՅՈՒՆԸ
(հավելվածն ուժը կորցրել է 14.10.10 N 1359-Ն)
|
Հավելված N 6 |
ՀՀ ԱՐԱԳԱԾՈՏՆԻ ՄԱՐԶԻ ԱՐԱԳԱԾՈՏՆԻ ԳՅՈՒՂԱԿԱՆ ՀԱՄԱՅՆՔԻ ՎԱՐՉԱԿԱՆ ՍԱՀՄԱՆՆԵՐԻ ՀԱՏԱԿԱԳԻԾԸ
| Հայաստանի Հանրապետության կառավարության աշխատակազմի ղեկավար-նախարար |
Մ. Թոփուզյան |
|
Հավելված N 61 |
ՀՀ ԱՐԱԳԱԾՈՏՆԻ ՄԱՐԶԻ ԱՐԱԳԱԾՈՏՆԻ ԳՅՈՒՂԱԿԱՆ ՀԱՄԱՅՆՔԻ ՎԱՐՉԱԿԱՆ ՍԱՀՄԱՆՆԵՐԻ ՆԿԱՐԱԳՐՈՒԹՅՈՒՆԸ
Արագածոտն գյուղական համայնքը գտնվում է մարզի հարավային մասում:
Հեռավորությունը մարզկենտրոն ք. Աշտարակից 21 կմ է:
Գյուղական համայնքը հյուսիս-արևմուտքից «Ա»-«Բ» հատվածով սահմանակից է Կոշ գյուղական համայնքին, հյուսիսից «Բ»-«Գ» հատվածով` Ուջան գյուղական համայնքին, արևելքից «Գ»-«Դ» հատվածով` Ոսկեհատ գյուղական համայնքին, հարավ-արևելքից «Դ»-«Ե» հատվածով` Արմավիրի մարզի Աղավնատուն գյուղական համայնքին, հարավից «Ե»-«Զ» հատվածով` Արմավիրի մարզի Արագած գյուղական համայնքին, հարավային «Զ»-«Է» հատվածով` Արմավիրի մարզի համայնքների վարչական սահմաններից դուրս գտնվող անտառային հողերին, հարավ-արևմուտքից «Է»-«Ա» հատվածով` Նոր Եդեսիա գյուղական համայնքին:
ԱՐԱԳԱԾՈՏՆ-ԿՈՇ ՍԱՀՄԱՆԱԳԻԾԸ` «Ա»-«Բ»
Արագածոտն, Նոր Եդեսիա և Կոշ համայնքների տարածքների բաժանման «Ա» հանգուցային սահմանակետից սահմանագիծը հարթավայրային ռելիեֆով անցնում է հյուսիս-արևելք, հատելով դաշտամիջյան ճանապարհը, ուղղությունը փոխում է հյուսիս, հատում ձորը, հասնում դաշտամիջյան ճանապարհի խաչմերուկ, որից ուղղությունը փոխում է արևելք անցնելով 4135.98 մ` հասնում թիվ 1 կետին: Թիվ 1 կետից սահմանագիծը թեքվում է հյուսիս-արևելք, անցնելով 211.8 մ` միանում թիվ 2 կետին, որից ջրբաժանով անցնում է հարավ-արևելք 903.84 մ, միանում թիվ 3 կետին: Թիվ 3 կետից սահմանագիծը թեքվում է հյուսիս-արևելք, անցնելով թիվ 4-5 կետերով 1003.13 մ, բլրային ռելիեֆով միանում թիվ 6 կետին, որից թույլ շեղվում հարավ-արևելք, անցնելով թիվ 7-9 կետերով, միանում թիվ 10 կետին` անցնելով 1646.04 մ: Թիվ 10 կետից կտրուկ թեքվում է հյուսիս, անցնում դաշտամիջյան ճանապարհի խաչմերուկով և ջրբաժանով, անցնում 718.4 մ, թիվ 11 կետով միանում Արագածոտն, Կոշ և Ուջան համայնքների տարածքների բաժանման «Բ» հանգուցային սահմանակետին:
«Ա»-«Բ» սահմանագծի ընդհանուր երկարությունը 8619.17 մ է:
ԱՐԱԳԱԾՈՏՆ-ՈՒՋԱՆ ՍԱՀՄԱՆԱԳԻԾԸ` «Բ»-«Գ»
Արագածոտն, Կոշ և Ուջան համայնքների տարածքների բաժանման «Բ» հանգուցային սահմանակետից սահմանագիծն անցնում է դեպի հյուսիս-արևելք` բարձունքների գագաթներով 188.03 մ, հասնում թիվ 1 սահմանակետին, որից հետո ուղղությունը փոխում է դեպի արևելք, լանջով անցնում է 264.81 մ, հասնում թիվ 3 կետին, ապա թեքվում հյուսիս, անցնում թիվ 4-6 սահմանակետերով 202.83 մ, հասնում թիվ 7 սահմանակետին, հետո թեքվում արևելք մինչև թիվ 10 սահմանակետը անցնելով 170.97 մ, թեքվում է հարավ-արևելք` անցնելով 76.93 մ ու նորից դեպի հյուսիս` 103.7 մ, հասնում թիվ 12 սահմանակետին: Այնուհետև սահմանագիծը շրջվում է հարավ-արևելք ու դաշտային ճանապարհով անցնելով 1175.52 մ, հասնում Արագածոտն, Ուջան և Ոսկեհատ համայնքների տարածքների բաժանման «Գ» հանգուցային սահմանակետին:
«Բ»-«Գ» սահմանագծի ընդհանուր երկարությունը 2182.79 մ է:
ԱՐԱԳԱԾՈՏՆ-ՈՍԿԵՀԱՏ ՍԱՀՄԱՆԱԳԻԾԸ` «Գ»-«Դ»
Արագածոտն, Ուջան և Ոսկեհատ համայնքների տարածքների բաժանման «Գ» հանգուցային սահմանակետից սահմանագիծը ձորով իջնում է դեպի հարավ-արևելք, մինչև ձորի կորը, հասնում Արագածոտն, Արմավիրի մարզի Աղավնատուն, Ոսկեհատ համայնքների տարածքների բաժանման Արագածոտն, Ոսկեհատ և Արմավիրի մարզի Աղավնատուն համայնքների տարածքների բաժանման «Դ» հանգուցային սահմանակետին:
«Գ»-«Դ» սահմանագծի ընդհանուր երկարությունը 1039.87 մ է:
ԱՐԱԳԱԾՈՏՆ-ԱՐՄԱՎԻՐԻ ՄԱՐԶԻ ԱՂԱՎՆԱՏՈՒՆ ՍԱՀՄԱՆԱԳԻԾԸ` «Դ»-«Ե»
Ոսկեհատ, Արագածոտն և Արմավիրի մարզի Աղավնատուն համայնքների տարածքների բաժանման «Դ» հանգուցային սահմանակետից սահմանագիծը անցնում է դեպի հարավ-արևելք, ապա հարավ-արևմուտք` անցնելով լանջերով, հատելով ձորերը թիվ 1-5 կետերով, հասնում թիվ 6 կետին` 2807.34 մ, միանում Արագածոտն, Արմավիրի մարզի Աղավնատուն ու Արագած համայնքների տարածքների բաժանման «Ե» հանգուցային սահմանակետին:
«Դ»-«Ե» սահմանագծի ընդհանուր երկարությունը 3361.98 մ է:
ԱՐԱԳԱԾՈՏՆ-ԱՐՄԱՎԻՐԻ ՄԱՐԶԻ ԱՐԱԳԱԾ ՍԱՀՄԱՆԱԳԻԾԸ` «Ե»-«Զ»
Արագածոտն, Արմավիրի մարզի Աղավնատուն ու Արագած համայնքների տարածքների բաժանման «Ե» հանգուցային սահմանակետից սահմանագիծն անցնում է դեպի արևմուտք, անցնելով 119.96 մ, հասնում թիվ 1 կետին, այնուհետև թեքվում է դեպի հարավ-արևմուտք, ուղիղ գծով անցնելով 1033.88 մ միանում է Արագածոտն, Արմավիրի մարզի Արագած համայնքների տարածքների ու մարզի համայնքների վարչական սահմաններից դուրս գտնվող անտառային հողերի բաժանման «Զ» հանգուցային սահմանակետին:
«Ե»-«Զ» սահմանագծի ընդհանուր երկարությունը 1153.84 մ է:
ԱՐԱԳԱԾՈՏՆ-ԱՐՄԱՎԻՐԻ ՄԱՐԶԻ ՀԱՄԱՅՆՔՆԵՐԻ ՎԱՐՉԱԿԱՆ ՍԱՀՄԱՆՆԵՐԻՑ ԴՈՒՐՍ ԳՏՆՎՈՂ ԱՆՏԱՌԱՅԻՆ ՀՈՂԵՐԻ ՍԱՀՄԱՆԱԳԻԾԸ` «Զ»-«Է»
Արագածոտն, Արմավիրի մարզի Արագած համայնքների տարածքների և մարզի համայնքների վարչական սահմաններից դուրս գտնվող անտառային հողերի բաժանման «Զ» հանգուցային սահմանակետից սահմանագիծն անցնում է դեպի հարավ-արևմուտք, անցնելով լանջով և ձորով` թիվ 1-5 կետերով, անցնելով 2630.02 մ, այնուհետև ուղղվում դեպի արևմուտք, լանջով անցնելով 620.5 մ, միանում Արագածոտն, Նոր Եդեսիա համայնքների տարածքների և Արմավիրի մարզի համայնքների վարչական սահմաններից դուրս գտնվող անտառային հողերի բաժանման «Է» հանգուցային սահմանակետին:
«Զ»-«Է» սահմանագծի ընդհանուր երկարությունը 3250.52 մ է:
ԱՐԱԳԱԾՈՏՆ-ՆՈՐ ԵԴԵՍԻԱ ՍԱՀՄԱՆԱԳԻԾԸ` «Է»-«Ա»
Արագածոտն, Կոշ և Նոր Եդեսիա համայնքների տարածքների բաժանման «Ա» հանգուցային սահմանակետից սահմանագիծն անցնում է հարավ-արևելք, բարձունքի գագաթը, թեքվում է հարավ-արևելք, թիվ 1-3 կետերով, անցնելով 2621.7 մ, միանում է թիվ 4 կետին: Թիվ 4 կետից սահմանագիծը թեքվում է արևելք, անցնելով թիվ 5-6 կետերով, անցնելով 1056.3 մ միանում Արագածոտն, Նոր Եդեսիա և Հայթաղ գյուղական համայնքների տարածքների բաժանման «Է» հանգուցային սահմանակետին:
«Է»-«Ա» սահմանագծի ընդհանուր երկարությունը 3678.0 մ է:
| Հայաստանի Հանրապետության կառավարության աշխատակազմի ղեկավար-նախարար |
Մ. Թոփուզյան |
|
Հավելված N 7 |
ՀՀ ԱՐԱԳԱԾՈՏՆԻ ՄԱՐԶԻ ԱՐՏԱՇԱՎԱՆԻ ԳՅՈՒՂԱԿԱՆ ՀԱՄԱՅՆՔԻ ՎԱՐՉԱԿԱՆ ՍԱՀՄԱՆՆԵՐԻ ՀԱՏԱԿԱԳԻԾԸ
(հավելվածն ուժը կորցրել է 14.10.10 N 1359-Ն)
|
Հավելված N 71 |
ՀՀ ԱՐԱԳԱԾՈՏՆԻ ՄԱՐԶԻ ԱՐՏԱՇԱՎԱՆԻ ԳՅՈՒՂԱԿԱՆ ՀԱՄԱՅՆՔԻ ՎԱՐՉԱԿԱՆ ՍԱՀՄԱՆՆԵՐԻ ՆԿԱՐԱԳՐՈՒԹՅՈՒՆԸ
(հավելվածն ուժը կորցրել է 14.10.10 N 1359-Ն)
|
Հավելված N 8 |
ՀՀ ԱՐԱԳԱԾՈՏՆԻ ՄԱՐԶԻ ԱՐՏԵՆԻԻ ԳՅՈՒՂԱԿԱՆ ՀԱՄԱՅՆՔԻ ՎԱՐՉԱԿԱՆ ՍԱՀՄԱՆՆԵՐԻ ՀԱՏԱԿԱԳԻԾԸ
(հավելվածն ուժը կորցրել է 14.10.10 N 1359-Ն)
|
Հավելված N 81 |
ՀՀ ԱՐԱԳԱԾՈՏՆԻ ՄԱՐԶԻ ԱՐՏԵՆԻԻ ԳՅՈՒՂԱԿԱՆ ՀԱՄԱՅՆՔԻ ՎԱՐՉԱԿԱՆ ՍԱՀՄԱՆՆԵՐԻ ՆԿԱՐԱԳՐՈՒԹՅՈՒՆԸ
(հավելվածն ուժը կորցրել է 14.10.10 N 1359-Ն)
|
Հավելված N 9 |
ՀՀ ԱՐԱԳԱԾՈՏՆԻ ՄԱՐԶԻ ԱՂՁՔԻ ԳՅՈՒՂԱԿԱՆ ՀԱՄԱՅՆՔԻ ՎԱՐՉԱԿԱՆ ՍԱՀՄԱՆՆԵՐԻ ՀԱՏԱԿԱԳԻԾԸ
| Հայաստանի Հանրապետության կառավարության աշխատակազմի ղեկավար-նախարար |
Մ. Թոփուզյան |
|
Հավելված N 91 |
ՀՀ ԱՐԱԳԱԾՈՏՆԻ ՄԱՐԶԻ ԱՂՁՔԻ ԳՅՈՒՂԱԿԱՆ ՀԱՄԱՅՆՔԻ ՎԱՐՉԱԿԱՆ ՍԱՀՄԱՆՆԵՐԻ ՆԿԱՐԱԳՐՈՒԹՅՈՒՆԸ
Աղձք գյուղական համայնքը գտնվում է մարզի հարավային մասում` ք. Աշտարակից 10 կմ հեռու:
Համայնքը հյուսիս-արևելքից «Ա»-«Բ» հատվածով սահմանակից է Օրգով գյուղական համայնքին, արևելքից «Բ»-«Գ» հատվածով` Բյուրական գյուղական համայնքին, «Գ»-«Դ» հատվածով` Ագարակ գյուղական համայնքին, հարավ-արևելքից «Դ»-«Ե» հատվածով` Ոսկեհատ գյուղական համայնքին, արևմուտքից «Ե»-«Զ» հատվածով` Ուջան գյուղական համայնքին, հյուսիսից` «Զ»-«Է» հատվածով` Ավան գյուղական համայնքին և «Է»-«Ա» հատվածով` Տեղեր գյուղական համայնքին:
ԱՂՁՔ-ՕՐԳՈՎ ՍԱՀՄԱՆԱԳԻԾԸ`«Ա»-«Բ»
Աղձք, Տեղեր և Օրգով գյուղական համայնքների տարածքների բաժանման «Ա» հանգուցային կետից սահմանագիծը գետով անցնում է դեպի հարավ-արևելք` մինչև Ամբերդ գետի հետ հատվելը անցնելով 939.38 մ և հասնում է Աղձք, Օրգով և Բյուրական գյուղական համայնքների տարածքների բաժանման «Բ» հանգուցային կետին:
«Ա»-«Բ» սահմանագծի ընդհանուր երկարությունը 939.38 մ է:
ԱՂՁՔ-ԲՅՈՒՐԱԿԱՆ ՍԱՀՄԱՆԱԳԻԾԸ`«Բ»-«Գ»
Աղձք, Օրգով և Բյուրական գյուղական համայնքների տարածքների բաժանման «Բ» հանգուցային կետից սահմանագիծը թեքվում է հարավ, Ամբերդ գետով անցնելով 3035.93 մ, հասնում է Աղձք, Բյուրական և Ագարակ համայնքների տարածքների բաժանման «Գ» հանգուցային կետին:
«Բ»-«Գ» սահմանագծի ընդհանուր երկարությունը 3035.93 մ է:
ԱՂՁՔ-ԱԳԱՐԱԿ ՍԱՀՄԱՆԱԳԻԾԸ`«Գ»-«Դ»
Աղձք, Բյուրական և Ագարակ գյուղական համայնքների տարածքների բաժանման «Գ» հանգուցային կետից սահմանագիծը ձորով իջնում է հարավ-արևելք, հատելով Աշտարակ-Ագարակ հանրապետական նշանակության ճանապարհը, շարունակում է իջնել հարավ, հատելով ձորեր և ջրբաժաններ, անցնելով 2288.51 մ հասնում է Աղձք, Ագարակ և Ոսկեհատ գյուղական համայնքների տարածքների բաժանման «Դ» հանգուցային կետին:
«Գ»-«Դ» սահմանագծի ընդհանուր երկարությունը 2288.51 մ է:
ԱՂՁՔ-ՈՍԿԵՀԱՏ ՍԱՀՄԱՆԱԳԻԾԸ`«Դ»-«Ե»
Աղձք, Ոսկեհատ և Ուջան գյուղական համայնքների տարածքների բաժանման «Ե» հանգուցային կետից սահմանագիծն անցնում է դեպի արևելք, անցնում թույլ ալիքավոր բլրային ռելիեֆով, հասնում ձորին, այդտեղից շրջվում դեպի հարավ-արևելք, ապա դեպի հյուսիս-արևելք, հետո անցնում լանջերով, հատում ձորեր ու ձորակներ, դաշտային ճանապարհներ` անցնելով 3267.68 մ, հասնում է Աղձք, Ագարակ և Ոսկեհատ գյուղական համայնքների տարածքների բաժանման «Դ» հանգուցային կետին:
«Դ»-«Ե» սահմանագծի ընդհանուր երկարությունը 3267.68 մ է:
ԱՂՁՔ-ՈՒՋԱՆ ՍԱՀՄԱՆԱԳԻԾԸ`«Ե»-«Զ»
Աղձք, Ուջան և Ավան գյուղական համայնքների տարածքների բաժանման «Զ» հանգուցային կետից սահմանագիծն անցնում է դեպի հարավ-արևմուտք, անցնելով 331.32 մ, հասնում թիվ 1 կետին, այդտեղից թեքվում է հարավ-արևելք, անցնելով 1244.91 մ, հասնում թիվ 3 կետին, որը գտնվում է Արզնի-Շամիրամ ջրանցքի եզրին, որից հետո թեքվում է հարավ-արևելք, անցնելով 360.50 մ` հասնում թիվ 4 կետին, որից հետո իջնում է հարավ` 43.04 մ, հասնում թիվ 5 կետին, այնուհետև բնական ռելիեֆով իջնում է դեպի հարավ, հատելով Թալին-Աշտարակ հանրապետական ճանապարհը, անցնելով 2566.60 մ հասնում է թիվ 6 կետին, որից հետո սահմանագիծը նույն ուղղությամբ իջնում է 789.07 մ, հասնում թիվ 8 կետին, որից հետո թեքվում է հարավ-արևելք 701.86 մ, հասնում Աղձք, Ոսկեհատ և Ուջան գյուղական համայնքների տարածքների բաժանման «Ե» հանգուցային կետին:
«Ե»-«Զ» սահմանագծի ընդհանուր երկարությունը 6037.30 մ է:
ԱՂՁՔ-ԱՎԱՆ ՍԱՀՄԱՆԱԳԻԾԸ`«Զ»-«Է»
Աղձք, Ավան և Տեղեր գյուղական համայնքների տարածքների բաժանման «Է» հանգուցային կետից սահմանագիծը` անցնելով լանջերով և ջրբաժանով դեպի հարավ-արևմուտք 201.06 մ, հասնում է ձորին` թիվ 1 կետին, շարունակելով դեպի արևմուտք, հատելով ջրբաժանը, անցնելով 566.12 մ, հասնում է թիվ 2 կետին, այդտեղից թեքվում է հարավ-արևմուտք, հատելով ջրբաժանը և ձորակը, անցնելով 148.01 մ, հասնում է թիվ 3 կետին, այնուհետև թեքվում հյուսիս-արևմուտք, անցնելով 394.75 մ, հասնում Աղձք, Ուջան և Ավան գյուղական համայնքների տարածքների բաժանման «Զ» հանգուցային կետին:
«Զ»-«Է» սահմանագծի ընդհանուր երկարությունը 1309.94 մ է:
ԱՂՁՔ-ՏԵՂԵՐ ՍԱՀՄԱՆԱԳԻԾԸ`«Է»-«Ա»
Աղձք, Օրգով և Տեղեր գյուղական համայնքների տարածքների բաժանման «Ա» հանգուցային կետից սահմանագիծն իջնում է դեպի հարավ-արևմուտք, անցնելով բնական ռելիեֆով 1968.16 մ հասնում է Աղձք, Տեղեր և Ավան գյուղական համայնքների տարածքների բաժանման «Է» հանգուցային կետին:
«Է»-«Ա» սահմանագծի ընդհանուր երկարությունը 1968.16 մ է:
| Հայաստանի Հանրապետության կառավարության աշխատակազմի ղեկավար-նախարար |
Մ. Թոփուզյան |
|
Հավելված N 10 |
ՀՀ ԱՐԱԳԱԾՈՏՆԻ ՄԱՐԶԻ ԱՎԱՆԻ ԳՅՈՒՂԱԿԱՆ ՀԱՄԱՅՆՔԻ ՎԱՐՉԱԿԱՆ ՍԱՀՄԱՆՆԵՐԻ ՀԱՏԱԿԱԳԻԾԸ
(հավելվածն ուժը կորցրել է 14.10.10 N 1359-Ն)
|
Հավելված N 101 |
ՀՀ ԱՐԱԳԱԾՈՏՆԻ ՄԱՐԶԻ ԱՎԱՆԻ ԳՅՈՒՂԱԿԱՆ ՀԱՄԱՅՆՔԻ ՎԱՐՉԱԿԱՆ ՍԱՀՄԱՆՆԵՐԻ ՆԿԱՐԱԳՐՈՒԹՅՈՒՆԸ
(հավելվածն ուժը կորցրել է 14.10.10 N 1359-Ն)
|
Հավելված N 11 |
ՀՀ ԱՐԱԳԱԾՈՏՆԻ ՄԱՐԶԻ ԱՎԹՈՆԱՅԻ ԳՅՈՒՂԱԿԱՆ ՀԱՄԱՅՆՔԻ ՎԱՐՉԱԿԱՆ ՍԱՀՄԱՆՆԵՐԻ ՀԱՏԱԿԱԳԻԾԸ
(հավելվածն ուժը կորցրել է 14.10.10 N 1359-Ն)
|
Հավելված N 111 |
ՀՀ ԱՐԱԳԱԾՈՏՆԻ ՄԱՐԶԻ ԱՎԹՈՆԱՅԻ ԳՅՈՒՂԱԿԱՆ ՀԱՄԱՅՆՔԻ ՎԱՐՉԱԿԱՆ ՍԱՀՄԱՆՆԵՐԻ ՆԿԱՐԱԳՐՈՒԹՅՈՒՆԸ
(հավելվածն ուժը կորցրել է 14.10.10 N 1359-Ն)
|
Հավելված N 12 |
ՀՀ ԱՐԱԳԱԾՈՏՆԻ ՄԱՐԶԻ ԳԱՌՆԱՀՈՎԻՏԻ ԳՅՈՒՂԱԿԱՆ ՀԱՄԱՅՆՔԻ ՎԱՐՉԱԿԱՆ ՍԱՀՄԱՆՆԵՐԻ ՀԱՏԱԿԱԳԻԾԸ
| Հայաստանի Հանրապետության կառավարության աշխատակազմի ղեկավար-նախարար |
Մ. Թոփուզյան |
|
Հավելված N 121 |
ՀՀ ԱՐԱԳԱԾՈՏՆԻ ՄԱՐԶԻ ԳԱՌՆԱՀՈՎԻՏԻ ԳՅՈՒՂԱԿԱՆ ՀԱՄԱՅՆՔԻ ՎԱՐՉԱԿԱՆ ՍԱՀՄԱՆՆԵՐԻ ՆԿԱՐԱԳՐՈՒԹՅՈՒՆԸ
Գառնահովիտ համայնքը գտնվում է մարզի հյուսիս-արևմտյան մասում:
Հեռավորությունը մարզկենտրոն ք. Աշտարակից 71 կմ է:
Համայնքը` արևմուտքից և հյուսիսից «Ա»-«Բ» հատվածով, սահմանակից է Շիրակի մարզի Սառնաղբյուր համայնքին, արևելքից` «Բ»-«Գ» հատվածով, մարզի համայնքների վարչական սահմաններից դուրս գտնվող հողերին, հարավից` «Գ»-«Ա» հատվածով, Զովասար գյուղական համայնքին:
ԳԱՌՆԱՀՈՎԻՏ-ՇԻՐԱԿԻ ՄԱՐԶԻ ՍԱՌՆԱՂԲՅՈՒՐ ՍԱՀՄԱՆԱԳԻԾԸ` «Ա»-«Բ»
Գառնահովիտ, Զովասար և Շիրակի մարզի Սառնաղբյուր համայնքների տարածքների բաժանման «Ա» հանգուցային կետից սահմանագիծն անցնելով լանջով 1536.0 մ դեպի հյուսիս, հասնում է թիվ 4 կետին, ապա թեքվում է հյուսիս-արևելք` անցնելով 3293.2 մ միկրոռելիեֆի բարձունքներով հասնում է 2295.4 մ նիշ ունեցող «Ադիաման» եռանկյունաչափական պունկտին, որը համընկնում է թիվ 14 կետին: Այնուհետև անցնելով բլուրների գագաթներով հասնում է «Բ» կետին:
«Ա»-«Բ» սահմանագծի ընդհանուր երկարությունը 8162.7 մ է:
ԳԱՌՆԱՀՈՎԻՏ-ՄԱՐԶԻ ՀԱՄԱՅՆՔՆԵՐԻ ՎԱՐՉԱԿԱՆ ՍԱՀՄԱՆՆԵՐԻՑ ԴՈՒՐՍ ԳՏՆՎՈՂ ՀՈՂԵՐԻ ՍԱՀՄԱՆԱԳԻԾԸ` «Բ»-«Գ»
Գառնահովիտ, Շիրակի մարզի Սառնաղբյուր համայնքների և մարզի համայնքների վարչական սահմաններից դուրս գտնվող հողերի «Բ» հանգուցային կետից սահմանագիծն անցնելով հարավ 1573.6 մ, հասնում է «Գ» հանգուցային կետին, որը համընկնում է 2545.3 մ նիշով բլրի գագաթին գտնվող եռանկյունաչափական կետի հետ:
«Բ»-«Գ» սահմանագծի ընդհանուր երկարությունը 1573.6 մ է:
ԳԱՌՆԱՀՈՎԻՏ-ՇԻՐԱԿԻ ՄԱՐԶԻ ՍԱՌՆԱՂԲՅՈՒՐ ՍԱՀՄԱՆԱԳԻԾԸ` «Գ»-«Ա»
«Ա» հանգուցային կետից սահմանագիծն առվով անցնում է դեպի արևելք, հասնում թիվ 2 կետին, որից թեքվում է դեպի հյուսիս-արևելք, ձորակով հասնում «Գ» հանգուցային կետին:
«Գ»-«Ա» սահմանագծի ընդհանուր երկարությունը 6384.7 մ է:
| Հայաստանի Հանրապետության կառավարության աշխատակազմի ղեկավար-նախարար |
Մ. Թոփուզյան |
|
Հավելված N 13 |
ՀՀ ԱՐԱԳԱԾՈՏՆԻ ՄԱՐԶԻ ԳՅԱԼԹՈՅԻ ԳՅՈՒՂԱԿԱՆ ՀԱՄԱՅՆՔԻ ՎԱՐՉԱԿԱՆ ՍԱՀՄԱՆՆԵՐԻ ՀԱՏԱԿԱԳԻԾԸ
| Հայաստանի Հանրապետության կառավարության աշխատակազմի ղեկավար-նախարար |
Մ. Թոփուզյան |
|
Հավելված N 131 |
ՀՀ ԱՐԱԳԱԾՈՏՆԻ ՄԱՐԶԻ ԳՅԱԼԹՈՅԻ ԳՅՈՒՂԱԿԱՆ ՀԱՄԱՅՆՔԻ ՎԱՐՉԱԿԱՆ ՍԱՀՄԱՆՆԵՐԻ ՆԿԱՐԱԳՐՈՒԹՅՈՒՆԸ
Գյալթո համայնքը գտնվում է մարզի արևմտյան մասում:
Հեռավորությունը մարզկենտրոն ք. Աշտարակից 74 կմ է:
Հյուսիսից և արևելքից «Ա»-«Բ» հատվածով սահմանակից է Արեգ համայնքին, հարավից «Բ»-«Գ» հատվածով` մարզի համայնքների վարչական սահմաններից դուրս գտնվող հողերին, հարավ-արևմուտքից «Գ»-«Դ» հատվածով` Արագածավան համայնքին, արևմուտքից և հյուսիսից «Դ»-«Ա» հատվածով` Հակկո համայնքին:
ԳՅԱԼԹՈ-ԱՐԵԳ ՍԱՀՄԱՆԱԳԻԾԸ` «Ա»-«Բ»
Գյալթո, Հակկո և Արեգ համայնքների տարածքների բաժանման «Ա» հանգուցային կետից սահմանագիծը 1303.4 մ անցնում է հյուսիս-արևելք, դաշտային ճանապարհով հասնում է թիվ 1 կետին, ապա թեքվում է հարավ-արևմուտք, հասնում թիվ 2 կետին, ապա հարավ-արևելք, անցնում ռելիեֆի թույլ արտահայտված բարձունքներով 2464.6 մ, հասնում է թիվ 4 կետին: Այնուհետև թեքվելով արևելք, հասնում թիվ 5 կետին, թեքվում հարավ-արևելք, 800.8 մ անցնելով ջրբաժանով և հատելով ձորակ, հասնում է «Բ» հանգուցային կետին:
«Ա»-«Բ» սահմանագծի ընդհանուր երկարությունը 4568.8 մ է:
ԳՅԱԼԹՈ-ՄԱՐԶԻ ՀԱՄԱՅՆՔՆԵՐԻ ՎԱՐՉԱԿԱՆ ՍԱՀՄԱՆՆԵՐԻՑ ԴՈՒՐՍ ԳՏՆՎՈՂ ՀՈՂԵՐԻ ՍԱՀՄԱՆԱԳԻԾԸ` «Բ»-«Գ»
Գյալթո, Արեգ համայնքների և մարզի համայնքների վարչական սահմաններից դուրս գտնվող հողերի տարածքների բաժանման «Բ» հանգուցային կետից սահմանագիծն անցնելով ջրբաժանով 4356.5 մ դեպի հարավ-արևմուտք, հասնում է «Գ» հանգուցային կետին, որը գտնվում է 1426.2 մ նիշ ունեցող բարձունքի վրա:
«Բ»-«Գ» սահմանագծի ընդհանուր երկարությունը 4356.6 մ է:
ԳՅԱԼԹՈ-ԱՐԱԳԱԾԱՎԱՆ ՍԱՀՄԱՆԱԳԻԾԸ` «Գ»-«Դ»
Արագածավան, Հակկո և Գյալթո համայնքների տարածքների բաժանման «Դ» հանգուցային կետից սահմանագիծն անցնում է դեպի հարավ-արևելք, հատելով ձորը և ջրբաժանը, հասնում է «Գ» հանգուցային կետին, որը գտնվում է 1426.2 մ նիշի վրա:
«Գ»-«Դ» սահմանագծի ընդհանուր երկարությունը 823.9 մ է:
ԳՅԱԼԹՈ-ՀԱԿԿՈ ՍԱՀՄԱՆԱԳԻԾԸ` «Դ»-«Ա»
«Ա» հանգուցային կետից սահմանագիծն անցնելով 203.0 մ դեպի հարավ, հասնում է թիվ 1 կետին, որից թեքվում է, շեղվում հարավ-արևմուտք, անցնելով բլուրների վրայով 583.4 մ, հասնում է թիվ 2 կետին, ապա թեքվում է արևմուտք, անցնելով դաշտային և մարզային նշանակության ճանապարհներով, հասնում թիվ 4 կետին, որտեղից կտրուկ թեքվում է դեպի հարավ-արևելք, ապա հարավ, անցնելով ջրբաժաններով և հատելով ձորակներ, հասնում «Դ» հանգուցային կետին:
«Դ»-«Ա» սահմանագծի ընդհանուր երկարությունը 6989.9 մ է:
| Հայաստանի Հանրապետության կառավարության աշխատակազմի ղեկավար-նախարար |
Մ. Թոփուզյան |
|
Հավելված N 14 |
ՀՀ ԱՐԱԳԱԾՈՏՆԻ ՄԱՐԶԻ ԴԱՎԹԱՇԵՆԻ ԳՅՈՒՂԱԿԱՆ ՀԱՄԱՅՆՔԻ ՎԱՐՉԱԿԱՆ ՍԱՀՄԱՆՆԵՐԻ ՀԱՏԱԿԱԳԻԾԸ
(հավելվածն ուժը կորցրել է 14.10.10 N 1359-Ն)
|
Հավելված N 141 |
ՀՀ ԱՐԱԳԱԾՈՏՆԻ ՄԱՐԶԻ ԴԱՎԹԱՇԵՆԻ ԳՅՈՒՂԱԿԱՆ ՀԱՄԱՅՆՔԻ ՎԱՐՉԱԿԱՆ ՍԱՀՄԱՆՆԵՐԻ ՆԿԱՐԱԳՐՈՒԹՅՈՒՆԸ
(հավելվածն ուժը կորցրել է 14.10.10 N 1359-Ն)
|
Հավելված N 15 |
ՀՀ ԱՐԱԳԱԾՈՏՆԻ ՄԱՐԶԻ ԴԻԱՆԻ ԳՅՈՒՂԱԿԱՆ ՀԱՄԱՅՆՔԻ ՎԱՐՉԱԿԱՆ ՍԱՀՄԱՆՆԵՐԻ ՀԱՏԱԿԱԳԻԾԸ
(հավելվածն ուժը կորցրել է 14.10.10 N 1359-Ն)
|
Հավելված N 151 |
ՀՀ ԱՐԱԳԱԾՈՏՆԻ ՄԱՐԶԻ ԴԻԱՆԻ ԳՅՈՒՂԱԿԱՆ ՀԱՄԱՅՆՔԻ ՎԱՐՉԱԿԱՆ ՍԱՀՄԱՆՆԵՐԻ ՆԿԱՐԱԳՐՈՒԹՅՈՒՆԸ
(հավելվածն ուժը կորցրել է 14.10.10 N 1359-Ն)
|
Հավելված N 16 |
ՀՀ ԱՐԱԳԱԾՈՏՆԻ ՄԱՐԶԻ ԴՊՐԵՎԱՆՔԻ ԳՅՈՒՂԱԿԱՆ ՀԱՄԱՅՆՔԻ ՎԱՐՉԱԿԱՆ ՍԱՀՄԱՆՆԵՐԻ ՀԱՏԱԿԱԳԻԾԸ
| Հայաստանի Հանրապետության կառավարության աշխատակազմի ղեկավար-նախարար |
Մ. Թոփուզյան |
|
Հավելված N 161 |
ՀՀ ԱՐԱԳԱԾՈՏՆԻ ՄԱՐԶԻ ԴՊՐԵՎԱՆՔԻ ԳՅՈՒՂԱԿԱՆ ՀԱՄԱՅՆՔԻ ՎԱՐՉԱԿԱՆ ՍԱՀՄԱՆՆԵՐԻ ՆԿԱՐԱԳՐՈՒԹՅՈՒՆԸ
Դպրեվանք համայնքը գտնվում է մարզի հարավային մասում:
Հեռավորությունը մարզկենտրոն ք. Աշտարակից 28 կմ է:
Համայնքը հյուսիսից, արևելքից և հարավից «Ա»-«Բ» հատվածով սահմանակից է Շամիրամ գյուղական համայնքին, արևմուտքից «Բ»-«Ա» հատվածով` Արուճ գյուղական համայնքին:
ԴՊՐԵՎԱՆՔ-ՇԱՄԻՐԱՄ ՍԱՀՄԱՆԱԳԻԾԸ` «Ա»-«Բ»
Դպրեվանք, Արուճ և Շամիրամ գյուղական համայնքների տարածքների բաժանման «Ա» հանգուցային կետից սահմանագիծն անցնում է հարավ-արևելք 393.0 մ, հատելով դաշտային ճանապարհը, հասնում է թիվ 1 շրջադարձային կետին, հետո կտրուկ թեքվում հարավ, ապա հարավ-արևելք, շրջադարձով ջրբաժանային սահմանով անցնելով թիվ 2-8 կետերով, անցնելով 525.1 մ, միանում թիվ 9 կետին, որից թեքվում հարավ-արևմուտք, Կոշ-Արուճ միջհամայնքային ճանապարհով անցնելով 768.1 մ, հասնում է Դպրեվանք, Շամիրամ և Արուճ գյուղական համայնքների տարածքների բաժանման «Բ» հանգուցային կետին:
«Ա»-«Բ» սահմանագծի ընդհանուր երկարությունը 1686.2 մ է:
ԴՊՐԵՎԱՆՔ-ԱՐՈՒՃ ՍԱՀՄԱՆԱԳԻԾԸ` «Բ»-«Ա»
Դպրեվանք, Արուճ և Շամիրամ համայնքների տարածքների բաժանման «Ա» հանգուցային կետից սահմանագիծն անցնում է ձորով դեպի հարավ-արևմուտք, անցնելով 799.5 մ, հասնում է Դպրեվանք, Արուճ և Շամիրամ համայնքների տարածքների բաժանման «Բ» հանգուցային կետին:
«Բ»-«Ա» սահմանագծի ընդհանուր երկարությունը 799.5 մ է:
| Հայաստանի Հանրապետության կառավարության աշխատակազմի ղեկավար-նախարար |
Մ. Թոփուզյան |
|
Հավելված N 17 |
ՀՀ ԱՐԱԳԱԾՈՏՆԻ ՄԱՐԶԻ ԵՂԻՊԱՏՐՈՒՇԻ ԳՅՈՒՂԱԿԱՆ ՀԱՄԱՅՆՔԻ ՎԱՐՉԱԿԱՆ ՍԱՀՄԱՆՆԵՐԻ ՀԱՏԱԿԱԳԻԾԸ
(հավելվածն ուժը կորցրել է 14.10.10 N 1359-Ն)
|
Հավելված N 171 |
ՀՀ ԱՐԱԳԱԾՈՏՆԻ ՄԱՐԶԻ ԵՂԻՊԱՏՐՈՒՇԻ ԳՅՈՒՂԱԿԱՆ ՀԱՄԱՅՆՔԻ ՎԱՐՉԱԿԱՆ ՍԱՀՄԱՆՆԵՐԻ ՆԿԱՐԱԳՐՈՒԹՅՈՒՆԸ
(հավելվածն ուժը կորցրել է 14.10.10 N 1359-Ն)
|
Հավելված N 18 |
ՀՀ ԱՐԱԳԱԾՈՏՆԻ ՄԱՐԶԻ ԶԱՐԻՆՋԱՅԻ ԳՅՈՒՂԱԿԱՆ ՀԱՄԱՅՆՔԻ ՎԱՐՉԱԿԱՆ ՍԱՀՄԱՆՆԵՐԻ ՀԱՏԱԿԱԳԻԾԸ
| Հայաստանի Հանրապետության կառավարության աշխատակազմի ղեկավար-նախարար |
Մ. Թոփուզյան |
|
Հավելված N 181 |
ՀՀ ԱՐԱԳԱԾՈՏՆԻ ՄԱՐԶԻ ԶԱՐԻՆՋԱՅԻ ԳՅՈՒՂԱԿԱՆ ՀԱՄԱՅՆՔԻ ՎԱՐՉԱԿԱՆ ՍԱՀՄԱՆՆԵՐԻ ՆԿԱՐԱԳՐՈՒԹՅՈՒՆԸ
Զարինջա համայնքը գտնվում է մարզի արևմտյան մասում:
Հեռավորություն մարզկենտրոն ք. Աշտարակից 70 կմ է:
Համայնքը հյուսիս-արևելքից «Ա»-«Բ» հատվածով սահմանակից է Շիրակի մարզի Ձիթհանքով համայնքին, հարավ-արևելքից «Բ»-«Գ» հատվածով` Մաստարա համայնքին, հարավից «Գ»-«Դ» հատվածով` Հացաշեն համայնքին, հարավ-արևմուտքից «Դ»-«Ե» հատվածով` Ցամաքասար համայնքին, արևմուտքից «Ե»-«Ա» հատվածով` Շիրակի մարզի Սարակապ համայնքին:
ԶԱՐԻՆՋԱ-ՇԻՐԱԿԻ ՄԱՐԶԻ ՁԻԹՀԱՆՔՈՎ ՍԱՀՄԱՆԱԳԻԾԸ` «Ա»-«Բ»
Զարինջա, Շիրակի մարզի Սարակապ և Ձիթհանքով համայնքների տարածքների բաժանման «Ա» հանգուցային կետից սահմանագիծը թեքվում է դեպի հարավ-արևելք, վարելահողերի եզրով անցնում 2413.5 մ, հասնում թիվ 13 կետին, որից հետո թեքվում է հյուսիս-արևելք, անցնում 138.8 մ, հասնում թիվ 12 կետին, ապա թեքվում է հարավ-արևելք, անցնում 170.7 մ` մինչև թիվ 14 կետը: Այստեղից սահմանագիծը շարունակվում է դեպի հարավ-արևելք, անցնում 4052.4 մ` հատելով Զարինջա-Ձիթհանքով և Ձիթհանքով-Մաստարա ավտոճանապարհները, հասնում է «Բ» հանգուցային կետին:
«Ա»-«Բ» սահմանագծի ընդհանուր երկարությունը 6775.4 մ է:
ԶԱՐԻՆՋԱ-ՄԱՍՏԱՐԱ ՍԱՀՄԱՆԱԳԻԾԸ` «Բ»-«Գ»
Զարինջա, Մաստարա և Շիրակի մարզի Ձիթհանքով համայնքների տարածքների բաժանման «Բ» հանգուցային կետից սահմանագիծն անցնում է դեպի հարավ-արևմուտք, միկրո-ռելիեֆի փոքրիկ բարձունքներով, հատելով Զարինջա-Մաստարա մարզային նշանակության, ճանապարհը հասնում է «Գ» հանգուցային կետին:
«Բ»-«Գ» սահմանագծի ընդհանուր երկարությունը 2447.3 մ է:
ԶԱՐԻՆՋԱ-ՀԱՑԱՇԵՆ ՍԱՀՄԱՆԱԳԻԾԸ` «Գ»-«Դ»
Հացաշեն, Ցամաքասար և Զարինջա համայնքների տարածքների բաժանման «Դ» հանգուցային կետից սահմանագիծն անցնում է դեպի հյուսիս-արևելք 1146.4 մ, հասնում թիվ 3 կետին, որը գտնվում է 1724.8 մ նիշ ունեցող «Սարակայա» գագաթին: Այնուհետև շրջվելով դեպի հարավ-արևելք, անցնելով 1049.7 մ, հասնում է «Գ» հանգուցային կետին:
«Գ»-«Դ» սահմանագծի ընդհանուր երկարությունը 2196.2 մ է:
ԶԱՐԻՆՋԱ-ՑԱՄԱՔԱՍԱՐ ՍԱՀՄԱՆԱԳԻԾԸ` «Դ»-«Ե»
Զարինջա, Ցամաքասար և Շիրակի մարզի Սարակապ համայնքների տարածքների բաժանման «Ե» հանգուցային կետից սահմանագիծն անցնում է հարավ-արևելք, այնուհետև թեքվում հարավ, թամբով անցնելով 559.6 մ, հասնում է թիվ 1 կետին, որից շրջվելով դեպի հարավ-արևելք անցնում է 649.2 մ, հասնում թիվ 2 կետին, ապա շրջվում է դեպի արևելք, ապա հարավ-արևելք, անցնելով 3583.0 մ, բարձունքներով և հատելով մարզային նշանակության ճանապարհը, հասնում է Ցամաքասար, Զարինջա և Հացաշեն համայնքների տարածքների բաժանման «Դ» հանգուցային կետ:
«Դ»-«Ե» սահմանագծի ընդհանուր երկարությունը 4792.0 մ է:
ԶԱՐԻՆՋԱ-ՇԻՐԱԿԻ ՄԱՐԶԻ ՍԱՐԱԿԱՊ ՍԱՀՄԱՆԱԳԻԾԸ` «Ե»-«Ա»
«Ա» հանգուցային կետից սահմանագիծն անցնում է դեպի հյուսիս-արևմուտք 250.7 մ, ապա հարավ-արևմուտք` 239.8 մ և հյուսիս-արևմուտք` 358.9 մ, հասնում թիվ 3 կետին: Այնուհետև շրջվում է հարավ, բարձունքներով անցնում 1823.2 մ, հասնում թիվ 9 կետին, որը համընկնում է «Օվալնայա» եռանկյունաչափական կետին, որից հետո շրջվում է հարավ-արևմուտք, բարձունքներով անցնում 1539.7 մ` հասնում «Ե» հանգուցային կետին:
«Ե»-«Ա» սահմանագծի ընդհանուր երկարությունը 4212.3 մ է:
| Հայաստանի Հանրապետության կառավարության աշխատակազմի ղեկավար-նախարար |
Մ. Թոփուզյան |
|
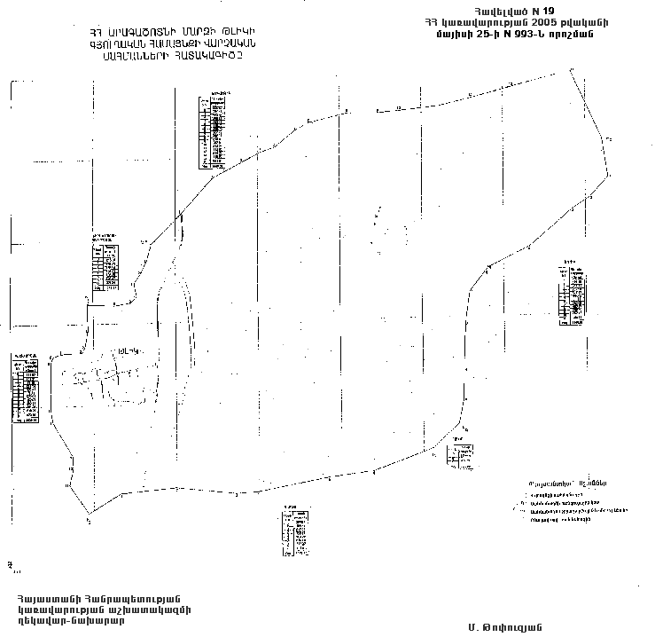
Հավելված N 19 |
ՀՀ ԱՐԱԳԱԾՈՏՆԻ ՄԱՐԶԻ ԹԼԻԿԻ ԳՅՈՒՂԱԿԱՆ ՀԱՄԱՅՆՔԻ ՎԱՐՉԱԿԱՆ ՍԱՀՄԱՆՆԵՐԻ ՀԱՏԱԿԱԳԻԾԸ
| Հայաստանի Հանրապետության կառավարության աշխատակազմի ղեկավար-նախարար |
Մ. Թոփուզյան |
|
Հավելված N 191 |
ՀՀ ԱՐԱԳԱԾՈՏՆԻ ՄԱՐԶԻ ԹԼԻԿԻ ԳՅՈՒՂԱԿԱՆ ՀԱՄԱՅՆՔԻ ՎԱՐՉԱԿԱՆ ՍԱՀՄԱՆՆԵՐԻ ՆԿԱՐԱԳՐՈՒԹՅՈՒՆԸ
Թլիկ համայնքը գտնվում է մարզի արևմտյան մասում: Հեռավորությունը մարզկենտրոն ք. Աշտարակից 99 կմ է: Համայնքը հյուսիսից «Ա»-«Բ» հատվածով սահմանակից է Նոր Արթիկ համայնքին, արևելքից «Բ»-«Գ» հատվածով` Սորիկ համայնքին, հարավից «Գ»-«Դ» հատվածով` Հակկո համայնքին, «Դ»-«Ե» հատվածով` Գետափ համայնքին, արևմուտքից «Ե»-«Զ» հատվածով` Ախուրյան գետին, հյուսիս- արևմուտքից «Զ»-«Ա» հատվածով` Շիրակի մարզի Անի-Պեմզա համայնքին:
ԹԼԻԿ-ՆՈՐ ԱՐԹԻԿ ՍԱՀՄԱՆԱԳԻԾԸ` «Ա»-«Բ»
Նոր Արթիկ, Թլիկ և Շիրակի մարզի Անի-Պեմզա համայնքների տարածքների բաժանման «Ա» հանգուցային կետից, որը գտնվում է երկաթգծի լիցքային մասից ներքև` կամրջի մոտ, սահմանագիծն անցնում է հյուսիս-արևելք, ապա արևելք: Անցնելով 5707.9 մ` բլուրներով հասնում է թիվ 14 կետին: Այդտեղից թեքվում է հարավ-արևելք, անցնելով 941.6 մ, հատելով դաշտային ճանապարհ` հասնում «Բ» հանգուցային կետին:
«Ա»-«Բ» սահմանագծի երկարությունը 6649.5 մ է:
ԹԼԻԿ-ՍՈՐԻԿ ՍԱՀՄԱՆԱԳԻԾԸ` «Բ»-«Գ»
Թլիկ, Նոր Արթիկ և Սորիկ համայնքների տարածքների բաժանման «Բ» հանգուցային կետից սահմանագիծն անցնելով 474.2 մ հարավ, հասնում է 1531.4 մ նիշով բարձունքին` թիվ 1 կետում, այնուհետև թեքվում է հարավ-արևմուտք 2210.7 մ, անցնելով 1510.7 մ նիշ ունեցող պոլիգոնոմետրիկ կետով և ջրբաժանային բարձունքով հասնում է թիվ 7 կետին, ապա թեքվում է հարավ, անցնում 1625.2 մ, հատելով դաշտային ճանապարհ, հասնում է «Գ» հանգուցային կետին, որը գտնվում է ձորի եզրին:
«Բ»-«Գ» սահմանագծի երկարությունը 4310.1 մ է:
ԹԼԻԿ-ՀԱԿԿՈ ՍԱՀՄԱՆԱԳԻԾԸ` «Գ»-«Դ»
Թլիկ, Սորիկ և Հակկո համայնքների տարածքների բաժանման «Գ» հանգուցային կետից սահմանագիծն անցնում է 442.1 մ հարավ-արևմուտք, հասնում Հակկո, Թլիկ և Գետափ համայնքների տարածքների բաժանման «Դ» հանգուցային կետին:
«Գ»-«Դ» սահմանագծի երկարությունը 442.1 մ է:
ԹԼԻԿ-ԳԵՏԱՓ ՍԱՀՄԱՆԱԳԻԾԸ` «Դ»-«Ե»
Թլիկ, Գետափ համայնքների և Ախուրյան գետի տարածքների բաժանման «Ե» հանգուցային կետից սահմանագիծն անցնում է արևելք 1133.8 մ, հասնում թիվ 2 կետին, հատելով երկաթգիծը և մարզային նշանակության ճանապարհը, որից շարունակվում է դեպի արևելք, անցնում 3179.5 մ միկրոռելիեֆի բարձունքներով, հատելով դաշտամիջյան ճանապարհներ, հասնում «Դ» հանգուցային կետին:
«Դ»-«Ե» սահմանագծի երկարությունը 4312.5 մ է:
ԹԼԻԿ-ԹՈՒՐՔԻԱՅԻ ՀԱՆՐԱՊԵՏՈՒԹՅԱՆ ՍԱՀՄԱՆԱԳԻԾԸ` «Ե»-«Զ»
Թլիկ համայնքի, Ախուրյան գետի և Շիրակի մարզի Անի-Պեմզա համայնքի տարածքների բաժանման «Զ» հանգուցային կետից սահմանագիծն Ախուրյան գետով իջնում է 3030.9 մ դեպի հարավ, հասնում «Ե» հանգուցային կետին: Սահմանագիծը «Ե»-«Զ» հատվածով ամբողջությամբ անցնում է Ախուրյան գետով, որը համընկնում է պետական սահմանի հետ:
«Ե»-«Զ» սահմանագծի երկարությունը 3030.9 մ է:
ԹԼԻԿ-ՇԻՐԱԿԻ ՄԱՐԶԻ ԱՆԻ-ՊԵՄԶԱ ՀԱՄԱՅՆՔՆԵՐԻ ՍԱՀՄԱՆԱԳԻԾԸ` «Զ»-«Ա»
«Ա» հանգուցային կետից սահմանագիծը ձորակով իջնում է դեպի հարավ-արևմուտք, անցնում 1318.4 մ, հատելով Երևան-Գյումրի երկաթգիծը, հասնում Անի-Պեմզա, Թլիկ համայնքների տարածքների բաժանման «Զ» հանգուցային կետին:
«Զ»-«Ա» սահմանագծի երկարությունը 1318.4 մ է:
| Հայաստանի Հանրապետության կառավարության աշխատակազմի ղեկավար-նախարար |
Մ. Թոփուզյան |
|
Հավելված N 20 |
ՀՀ ԱՐԱԳԱԾՈՏՆԻ ՄԱՐԶԻ ԻՐԻՆԴԻ ԳՅՈՒՂԱԿԱՆ ՀԱՄԱՅՆՔԻ ՎԱՐՉԱԿԱՆ ՍԱՀՄԱՆՆԵՐԻ ՀԱՏԱԿԱԳԻԾԸ
(հավելվածն ուժը կորցրել է 14.10.10 N 1359-Ն)
|
Հավելված N 201 |
ՀՀ ԱՐԱԳԱԾՈՏՆԻ ՄԱՐԶԻ ԻՐԻՆԴԻ ԳՅՈՒՂԱԿԱՆ ՀԱՄԱՅՆՔԻ ՎԱՐՉԱԿԱՆ ՍԱՀՄԱՆՆԵՐԻ ՆԿԱՐԱԳՐՈՒԹՅՈՒՆԸ
(հավելվածն ուժը կորցրել է 14.10.10 N 1359-Ն)
|
Հավելված N 21 |
ՀՀ ԱՐԱԳԱԾՈՏՆԻ ՄԱՐԶԻ ԿՈՇԻ ԳՅՈՒՂԱԿԱՆ ՀԱՄԱՅՆՔԻ ՎԱՐՉԱԿԱՆ ՍԱՀՄԱՆՆԵՐԻ ՀԱՏԱԿԱԳԻԾԸ
| Հայաստանի Հանրապետության կառավարության աշխատակազմի ղեկավար-նախարար |
Մ. Թոփուզյան |
|
Հավելված N 211 |
ՀՀ ԱՐԱԳԱԾՈՏՆԻ ՄԱՐԶԻ ԿՈՇԻ ԳՅՈՒՂԱԿԱՆ ՀԱՄԱՅՆՔԻ ՎԱՐՉԱԿԱՆ ՍԱՀՄԱՆՆԵՐԻ ՆԿԱՐԱԳՐՈՒԹՅՈՒՆԸ
Կոշ գյուղական համայնքը գտնվում է մարզի հարավային մասում:
Հեռավորությունը մարզկենտրոն ք. Աշտարակից 20 կմ է:
Համայնքը հյուսիս-արևմուտքից «Ա»-«Բ» հատվածով սահմանակից է Վ. Սասունիկ գյուղական համայնքին, հյուսիսից և հյուսիս-արևելքից «Բ»-«Գ» հատվածով` Ավան գյուղական համայնքին, արևելքից «Գ»-«Դ» հատվածով` Ուջան գյուղական համայնքին, հարավից «Դ»-«Ե» հատվածով` Արագածոտն գյուղական համայնքին, հարավ-արևմուտքից «Ե»-«Զ» հատվածով` Նոր Եդեսիա գյուղական համայնքին, արևմուտքից «Զ»-«Ա» հատվածով` Շամիրամ գյուղական համայնքին:
ԿՈՇ-Վ. ՍԱՍՈՒՆԻԿ ՍԱՀՄԱՆԱԳԻԾԸ` «Ա»-«Բ»
Կոշ, Վ. Սասունիկ և Շամիրամ գյուղական համայնքների տարածքների բաժանման «Ա» հանգուցային կետից սահմանագիծն անցնում է հյուսիս-արևելք 348.7 մ, հասնում թիվ 1 կետին, ապա թեքվում արևելք, հատում ձորակներ, շրջվում հյուսիս-արևելք, հասնում ջրին, ապա ջրային սահմանով անցնելով 1840.5 մ հասնում է Կոշ, Վ. Սասունիկ և Ավան համայնքների տարածքների բաժանման «Բ» հանգուցային կետին:
«Ա»-«Բ» սահմանագծի ընդհանուր երկարությունը 2189.2 մ է:
ԿՈՇ-ԱՎԱՆ ՍԱՀՄԱՆԱԳԻԾԸ` «Բ»-«Գ»
Կոշ, Վ. Սասունիկ և Ավան համայնքների տարածքների բաժանման «Բ» հանգուցային կետից սահմանագիծը ջրային սահմանով անցնում է արևելք, հատելով ձորը հասնում Վ. Սասունիկ-Կոշ մարզային ճանապարհին, շարունակելով ճանապարհը հյուսիս-արևելք, դարձյալ հատելով փոքր ձորակը, ջրբաժանը, այնուհետև լանջով հասնում ձորին, ձորով շարունակում դեպի հյուսիս, հասնում երկու ձորերի հատման կետին, այնուհետև թեքվում արևելք, անցնելով լանջերով հասնում թիվ 1 կետին` 2419.1 մ: Թիվ 1 կետից թեքվում է հարավ-արևելք, ջրային սահմանով հասնում թիվ 2 կետին, անցնելով 168.9 մ, շարունակելով դեպի հարավ-արևելք, անցնելով լանջերով, այնուհետև ջրբաժանով, հասնում թիվ 3 կետին` 195.2 մ, որտեղից թեքվում արևելք, անցնելով լանջով, հատելով ձորակը, հասնում է ջրբաժանին, այդտեղից շարժվում դեպի հարավ` 384.3 մ, հասնում թիվ 7 կետին, որից հետո սահմանագիծն անցնելով հարավ-արևելք, հատելով ձորը և ջրբաժանը, հասնում է ձորի եզրին, որտեղից սարահարթով անցնելով 1214.1 մ` հասնում է Կոշ, Ավան և Ուջան գյուղական համայնքների տարածքների բաժանման «Գ» հանգուցային կետին:
«Բ»-«Գ» սահմանագծի ընդհանուր երկարությունը 4831.6 մ է:
ԿՈՇ-ՈՒՋԱՆ ՍԱՀՄԱՆԱԳԻԾԸ` «Գ»-«Դ»
Կոշ, Ավան և Ուջան գյուղական համայնքների տարածքների բաժանման «Գ» հանգուցային կետից սահմանագիծը ջրբաժանով իջնում է հարավ, անցնելով թիվ 1 կետով 794.04 մ, հասնում է թիվ 2 կետին, որից հետո թեքվում է հարավ-արևելք` հատելով դաշտային ճանապարհը, անցնելով 321.55 մ միանում թիվ 3 կետին: Թիվ 3 կետից թեքվում է հարավ-արևմուտք 257.38 մ, հասնում թիվ 4 կետին, որից հետո թեքվում է հարավ-արևելք, հատում ջրբաժանը և ձորակը, անցնում թիվ 5-7 կետերով, հասնում Աշտարակ-Ագարակ մարզային նշանակության ճանապարհի թիվ 8 կետը, անցնելով 982.14 մ, թիվ 8 կետից սահմանագիծը նույն ուղղությամբ անցնում է ջրային սահմանով թիվ 9-11 կետերով 2767.43 մ, հասնում է Կոշ, Ուջան և Արագածոտն գյուղական համայնքների տարածքների բաժանման «Դ» հանգուցային կետին:
«Գ»-«Դ» սահմանագծի ընդհանուր երկարությունը 5122.54 մ է:
ԿՈՇ-ԱՐԱԳԱԾՈՏՆ ՍԱՀՄԱՆԱԳԻԾԸ` «Դ»-«Ե»
Կոշ, Նոր Եդեսիա և Արագածոտն համայնքների տարածքների բաժանման «Ե» հանգուցային կետից սահմանագիծը հարթավայրով անցնում է հյուսիս-արևելք, հատելով դաշտամիջյան ճանապարհը, ուղղությունը փոխում է հյուսիս, հատում ձորը, հասնում դաշտամիջյան ճանապարհի խաչմերուկ, որից ուղղությունը փոխում է արևելք, անցնելով 4135.98 մ, հասնում թիվ 1 կետին: Թիվ 1 կետից սահմանագիծը թեքվում է հյուսիս-արևելք, անցնելով 211.8 մ, հասնում թիվ 2 կետին, որից ջրբաժանով անցնում է հարավ-արևելք 903.84 մ, միանում թիվ 3 կետին: Թիվ 3 կետից սահմանագիծը թեքվում է հյուսիս-արևելք, անցնելով թիվ 4-5 կետերով` 1003.13 մ, բլրային ռելիեֆով միանում թիվ 6 կետին, հետո թույլ շեղվում հարավ-արևելք` անցնելով թիվ 7-9 կետերով միանում թիվ 10 կետին` անցնելով 1646.04 մ: Թիվ 10 կետից կտրուկ թեքվում է հյուսիս, անցնում դաշտամիջյան ճանապարհի խաչմերուկով և ջրբաժանով, անցնում 718.4 մ` թիվ 11 կետով, միանում է Կոշ, Արագածոտն և Ուջան համայնքների տարածքների բաժանման «Դ» հանգուցային կետին:
«Դ»-«Ե» սահմանագծի ընդհանուր երկարությունը 8619.17 մ է:
ԿՈՇ-ՆՈՐ ԵԴԵՍԻԱ ՍԱՀՄԱՆԱԳԻԾԸ` «Ե»-«Զ»
Կոշ, Շամիրամ և Նոր Եդեսիա համայնքների տարածքների բաժանման «Զ» հանգուցային կետից սահմանագիծը ձորով իջնում է հարավ, հարավ-արևմուտք, ապա կրկին հարավ, անցնելով 2314.1 մ, հասնում թիվ 1 կետին, որից հարթավայրով թեքվում է հարավ-արևելք, անցնում 411.45 մ, միանում է Կոշ, Նոր Եդեսիա և Արագածոտն համայնքների տարածքների բաժանման «Ե» հանգուցային կետին:
«Ե»-«Զ» սահմանագծի ընդհանուր երկարությունը 2725.55 մ է:
ԿՈՇ-ՇԱՄԻՐԱՄ ՍԱՀՄԱՆԱԳԻԾԸ` «Զ»-«Ա»
Կոշ, Վ. Սասունիկ և Շամիրամ համայնքների տարածքների բաժանման «Ա» հանգուցային կետից սահմանագիծն անցնում է հարավ-արևելք թիվ 1 կետով` 509.0 մ, հասնում թիվ 2 շրջադարձային կետին, որից թեքվում է հարավ` հատելով Կոշ-Առուճ մարզային ճանապարհը, անցնում թիվ 3-4 կետերով 761.09 մ, միանում թիվ 5 շրջադարձային կետին, որից թեքվում հարավ-արևմուտք, հատում դաշտային ճանապարհը, հասնում թիվ 6 կետին, ապա շրջվում հարավ-արևելք` ձորով թիվ 7-14 կետերով անցնելով 2967.51 մ, միանում է թիվ 15 շրջադարձային կետին: Թիվ 15 կետից սահմանագիծը թեքվում է հարավ 930.34 մ, թիվ 16 կետով հասնում թիվ 17 կետին, որից թեքվում է հարավ-արևմուտք` անցնելով 511.61 մ, հասնում Կոշ, Շամիրամ և Նոր Եդեսիա համայնքների տարածքների բաժանման «Զ» հանգուցային կետին:
«Զ»-«Ա» սահմանագծի ընդհանուր երկարությունը 5679.55 մ է:
| Հայաստանի Հանրապետության կառավարության աշխատակազմի ղեկավար-նախարար |
Մ. Թոփուզյան |
|
Հավելված N 22 |
ՀՀ ԱՐԱԳԱԾՈՏՆԻ ՄԱՐԶԻ ԿԱՔԱՎԱՁՈՐԻ ԳՅՈՒՂԱԿԱՆ ՀԱՄԱՅՆՔԻ ՎԱՐՉԱԿԱՆ ՍԱՀՄԱՆՆԵՐԻ ՀԱՏԱԿԱԳԻԾԸ
| Հայաստանի Հանրապետության կառավարության աշխատակազմի ղեկավար-նախարար |
Մ. Թոփուզյան |
|
Հավելված N 221 |
ՀՀ ԱՐԱԳԱԾՈՏՆԻ ՄԱՐԶԻ ԿԱՔԱՎԱՁՈՐԻ ԳՅՈՒՂԱԿԱՆ ՀԱՄԱՅՆՔԻ ՎԱՐՉԱԿԱՆ ՍԱՀՄԱՆՆԵՐԻ ՆԿԱՐԱԳՐՈՒԹՅՈՒՆԸ
Կաքավաձոր համայնքը գտնվում է մարզի արևմտյան մասում:
Հեռավորությունը մարզկենտրոն ք. Աշտարակից 38 կմ է:
Համայնքը հյուսիսից «Ա»-«Բ» հատվածով սահմանակից է Ավթոնա համայնքին, հյուսիս-արևելքից «Բ»-«Գ» հատվածով` Բայսզ համայնքին, արևելքից «Գ»-«Դ» հատվածով` Ագարակ համայնքին, հարավից «Դ»-«Ե» հատվածով` Աշտարակի տարածաշրջանի Արուճ համայնքին, հարավ-արևմուտքից «Ե»-«Զ» հատվածով` Ն. Բազմաբերդ համայնքին, հյուսիս-արևմուտքից «Զ»-«Ա» հատվածով` Վ. Բազմաբերդ համայնքին:
ԿԱՔԱՎԱՁՈՐ-ԱՎԹՈՆԱ ՍԱՀՄԱՆԱԳԻԾԸ` «Ա»-«Բ»
Ավթոնա, Վ. Բազմաբերդ և Կաքավաձոր համայնքների տարածքների բաժանման «Ա» հանգուցային կետից սահմանագիծն անցնում է 505.4 մ դեպի հարավ-արևելք, ապա 304.5 մ հյուսիս-արևելք, հատելով ձորեր, դաշտային ճանապարհներ, հասնում է «Բ» հանգուցային կետին:
«Ա»-«Բ» սահմանագծի ընդհանուր երկարությունը 810.0 մ է:
ԿԱՔԱՎԱՁՈՐ-ԲԱՅԱԶ ՍԱՀՄԱՆԱԳԻԾԸ` «Բ»-«Գ»
Կաքավաձոր, Ավթոնա և Բայսզ համայնքների տարածքների բաժանման «Բ» հանգուցային կետից սահմանագիծն անցնելով ջրբաժանով դեպի հարավ-արևելք, հասնում է «Գ» հանգուցային կետին:
«Բ»-«Գ» սահմանագծի ընդհանուր երկարությունը 863.0 մ է:
ԿԱՔԱՎԱՁՈՐ-ԱԳԱՐԱԿ ՍԱՀՄԱՆԱԳԻԾԸ` «Գ»-«Դ»
Կաքավաձոր, Բայսզ և Ագարակ համայնքների տարածքների բաժանման «Գ» հանգուցային կետից սահմանագիծը ձորով իջնում է հարավ, հասնում Կաքավաձոր, Ագարակ և Արուճ համայնքների տարածքների բաժանման «Դ» հանգուցային կետ:
«Գ»-«Դ» սահմանագծի ընդհանուր երկարությունը 6806.4 մ է:
ԿԱՔԱՎԱՁՈՐ-ԱՐՈՒՃ ՍԱՀՄԱՆԱԳԻԾԸ` «Դ»-«Ե»
Ն. Բազմաբերդ, Կաքավաձոր և Արուճ համայնքների տարածքների բաժանման «Ե» հանգուցային կետից սահմանագիծն անցնելով սարահարթային ռելիեֆով դեպի արևելք, հատելով ձորակներ, ջրբաժաններ և մարզային նշանակության ճանապարհ, հասնում է «Դ» հանգուցային կետին:
«Դ»-«Ե» սահմանագծի ընդհանուր երկարությունը 2634.4 մ է:
ԿԱՔԱՎԱՁՈՐ-Ն. ԲԱԶՄԱԲԵՐԴ ՍԱՀՄԱՆԱԳԻԾԸ` «Ե»-«Զ»
Ն. Բազմաբերդ, Վ. Բազմաբերդ և Կաքավաձոր համայնքների տարածքների բաժանման «Զ» հանգուցային կետից սահմանագիծն անցնելով 483.5 մ հարավ-արևելք, հասնում է թիվ 1 կետին, ապա ձորով իջնում է 818.5 մ հարավ` հասնում թիվ 2 կետին, որտեղից թեքվելով հարավ-արևելք` անցնում է 932.1 մ, հատելով ջրբաժաններ և ձոր` հասնում է թիվ 4 կետին, ապա թեքվելով հարավ, անցնում 1437.2 մ հատելով Ն. Բազմաբերդ և Կաքավաձոր մարզային և Երևան-Գյումրի հանրապետական նշանակության ճանապարհները և ձորով իջնում և հասնում է «Ե» հանգուցային կետին:
«Ե»-«Զ» սահմանագծի ընդհանուր երկարությունը 3671.3 մ է:
ԿԱՔԱՎԱՁՈՐ-Վ. ԲԱԶՄԱԲԵՐԴ ՍԱՀՄԱՆԱԳԻԾԸ` «Զ»-«Ա»
«Ա» հանգուցային կետից սահմանագիծն անցնում է 3461.7 մ հարավ` սարահարթով հատելով դաշտային ճանապարհներ, հասնում է թիվ 8 կետին, որտեղից թեքվում է հյուսիս-արևելք անցնում 323.6 մ, հասնում թիվ 9 կետին, որը գտնվում է Կաքավաձոր-Ն. Բազմաբերդ ավտոճանապարհի եզրին, այնուհետև արևելք 230.8 մ, հասնում թիվ 10 կետին, ապա հարավ-արևմուտք` 180.6 մ, հասնում թիվ 11 կետին, թեքվում է հարավ և անցնում 326.9 մ, հասնում թիվ 12 կետին, այստեղից անցնելով 319.2 մ հարավ-արևմուտք, ապա հյուսիս-արևմուտք, հասնում է «Զ» հանգուցային կետին:
«Զ»-«Ա» սահմանագծի ընդհանուր երկարությունը 4842.8 մ է:
II ՀԱՏՎԱԾ
ԿԱՔԱՎԱՁՈՐ-ԱՐՈՒՃ ՍԱՀՄԱՆԱԳԻԾԸ` «Ա»-«Բ»
Կաքավաձոր համայնքի II հատվածի, մարզի համայնքների վարչական սահմաններից դուրս գտնվող հողերի և Արուճ համայնքի տարածքների բաժանման «Ա» հանգուցային կետից սահմանագիծը, որը գտնվում է ձորակում, թեքվում է դեպի արևելք, անցնում 55.94 մ, հասնում թիվ 1 կետին, որից թեքվում է հարավ-արևելք, ջրանցքով իջնում 1316.47 մ մինչև թիվ 4 կետը, ապա թեքվում հարավ-արևմուտք, անցնում 97.97 մ, հասնում Կաքավաձոր, Արուճ և Պարտիզակ համայնքների տարածքների բաժանման «Բ» հանգուցային կետին:
«Ա»-«Բ» սահմանագծի ընդհանուր երկարությունը 1470.37մ է:
ԿԱՔԱՎԱՁՈՐ-ՊԱՐՏԻԶԱԿ ՍԱՀՄԱՆԱԳԻԾԸ` «Բ»-«Գ»
Պարտիզակ, Կաքավաձոր համայնքների, մարզի համայնքների վարչական սահմաններից դուրս գտնվող հողերի տարածքների բաժանման «Գ» հանգուցային կետից, որը գտնվում է ձորակում, սահմանագիծը թեքվում է հարավ-արևելք, ձորակով իջնում 216.1 մ, հասնում թիվ 3 կետին, որից թեքվում է արևելք, ձորակից դուրս գալով անցնում 423.5 մ, հասնում «Բ» հանգուցային կետին:
«Բ»-«Գ» սահմանագծի ընդհանուր երկարությունը 639.6 մ է:
ԿԱՔԱՎԱՁՈՐ-ՄԱՐԶԻ ՀԱՄԱՅՆՔՆԵՐԻ ՎԱՐՉԱԿԱՆ ՍԱՀՄԱՆՆԵՐԻՑ ԴՈՒՐՍ ԳՏՆՎՈՂ ՀՈՂԵՐԻ ՍԱՀՄԱՆԱԳԻԾԸ` «Գ»-«Ա»
«Ա» հանգուցային կետից սահմանագիծը ձորակով իջնում է դեպի հարավ 1225.92 մ, հասնում է «Գ» հանգուցային կետին:
«Գ»-«Ա» սահմանագծի ընդհանուր երկարությունը 1225.92 մ է:
| Հայաստանի Հանրապետության կառավարության աշխատակազմի ղեկավար-նախարար |
Մ. Թոփուզյան |
|
Հավելված N 23 |
ՀՀ ԱՐԱԳԱԾՈՏՆԻ ՄԱՐԶԻ ԿԱԹՆԱՂԲՅՈՒՐԻ ԳՅՈՒՂԱԿԱՆ ՀԱՄԱՅՆՔԻ ՎԱՐՉԱԿԱՆ ՍԱՀՄԱՆՆԵՐԻ ՀԱՏԱԿԱԳԻԾԸ
(հավելվածն ուժը կորցրել է 14.10.10 N 1359-Ն)
|
Հավելված N 231 |
ՀՀ ԱՐԱԳԱԾՈՏՆԻ ՄԱՐԶԻ ԿԱԹՆԱՂԲՅՈՒՐԻ ԳՅՈՒՂԱԿԱՆ ՀԱՄԱՅՆՔԻ ՎԱՐՉԱԿԱՆ ՍԱՀՄԱՆՆԵՐԻ ՆԿԱՐԱԳՐՈՒԹՅՈՒՆԸ
(հավելվածն ուժը կորցրել է 14.10.10 N 1359-Ն)
|
Հավելված N 24 |
ՀՀ ԱՐԱԳԱԾՈՏՆԻ ՄԱՐԶԻ ԿԱՐՄՐԱՇԵՆԻ ԳՅՈՒՂԱԿԱՆ ՀԱՄԱՅՆՔԻ ՎԱՐՉԱԿԱՆ ՍԱՀՄԱՆՆԵՐԻ ՀԱՏԱԿԱԳԻԾԸ
(հավելվածն ուժը կորցրել է 14.10.10 N 1359-Ն)
|
Հավելված N 241 |
ՀՀ ԱՐԱԳԱԾՈՏՆԻ ՄԱՐԶԻ ԿԱՐՄՐԱՇԵՆԻ ԳՅՈՒՂԱԿԱՆ ՀԱՄԱՅՆՔԻ ՎԱՐՉԱԿԱՆ ՍԱՀՄԱՆՆԵՐԻ ՆԿԱՐԱԳՐՈՒԹՅՈՒՆԸ
(հավելվածն ուժը կորցրել է 14.10.10 N 1359-Ն)
|
Հավելված N 25 |
ՀՀ ԱՐԱԳԱԾՈՏՆԻ ՄԱՐԶԻ ՀԱԿԿՈՅԻ ԳՅՈՒՂԱԿԱՆ ՀԱՄԱՅՆՔԻ ՎԱՐՉԱԿԱՆ ՍԱՀՄԱՆՆԵՐԻ ՀԱՏԱԿԱԳԻԾԸ
| Հայաստանի Հանրապետության կառավարության աշխատակազմի ղեկավար-նախարար |
Մ. Թոփուզյան |
|
Հավելված N 251 |
ՀՀ ԱՐԱԳԱԾՈՏՆԻ ՄԱՐԶԻ ՀԱԿԿՈՅԻ ԳՅՈՒՂԱԿԱՆ ՀԱՄԱՅՆՔԻ ՎԱՐՉԱԿԱՆ ՍԱՀՄԱՆՆԵՐԻ ՆԿԱՐԱԳՐՈՒԹՅՈՒՆԸ
Հակկո համայնքը գտնվում է մարզի արևմտյան մասում:
Հեռավորությունը մարզկենտրոն ք. Աշտարակից 77 կմ է:
Հյուսիսից «Ա»-«Բ» հատվածով սահմանակից է Սորիկ համայնքին, արևելքից «Բ»-«Գ» հատվածով` Արեգ համայնքին, «Գ»-«Դ» հատվածով` Գյալթո համայնքին, հարավից «Դ»-«Ե» հատվածով` Արագածավան համայնքին, արևմուտքից «Ե»-«Զ» հատվածով` Գետափ համայնքին, հյուսիս-արևմուտքից` «Զ»-«Ա» հատվածով, Թլիկ համայնքին:
ՀԱԿԿՈ-ՍՈՐԻԿ ՍԱՀՄԱՆԱԳԻԾԸ` «Ա»-«Բ»
Հակկո, Թլիկ և Սորիկ համայնքների տարածքների բաժանման «Ա» հանգուցային կետից սահմանագիծն անցնելով ձորակով 1728.1 մ դեպի հյուսիս-արևելք, հասնում է թիվ 1 կետին, ապա թեքվում հարավ-արևելք, անցնելով խիստ արտահայտված ռելիեֆի բարձունքներով` 2525.9 մ, հասնում է թիվ 8 կետին, այնուհետև շրջվում է արևելք, անցնում 1118.6 մ, հատելով ձոր, հասնում է թիվ 10 կետին, որը գտնվում է 1526.9 մ նիշի վրա, որից սահմանագիծը թեքվում է հյուսիս-արևելք` 1106.0 մ, հասնում «Բ» հանգուցային կետին:
«Ա»-«Բ» սահմանագծի ընդհանուր երկարությունը 6478.6 մ է:
ՀԱԿԿՈ-ԱՐԵԳ ՍԱՀՄԱՆԱԳԻԾԸ` «Բ»-«Գ»
Հակկո, Սորիկ և Արեգ համայնքների տարածքների բաժանման «Բ» հանգուցային կետից սահմանագիծն անցնում է հարավ-արևելք 723.9 մ, հատելով մարզային նշանակության ճանապարհ, հասնում է թիվ 1 կետին, այնուհետև թեքվելով հարավ-արևելք հասնում Հակկո, Արեգ և Գյալթո համայնքների տարածքների բաժանման «Գ» հանգուցային կետ:
«Բ»-«Գ» սահմանագծի ընդհանուր երկարությունը 1003.1 մ է:
ՀԱԿԿՈ-ԳՅԱԼԹՈ ՍԱՀՄԱՆԱԳԻԾԸ` «Գ»-«Դ»
Հակկո, Արեգ և Գյալթո համայնքների տարածքների բաժանման «Գ» հանգուցային կետից սահմանագիծն անցնելով 203.0 մ դեպի հարավ, հասնում է թիվ 1 կետին, որից թեքվում է հարավ-արևմուտք, անցնելով բլուրներով 583.4 մ, հասնում է թիվ 2 կետին, ապա թեքվում արևմուտք, անցնելով դաշտային և մարզային նշանակության ճանապարհներով հասնում թիվ 4 կետին, որտեղից կտրուկ թեքվում է դեպի հարավ-արևելք, ապա հարավ, անցնելով ջրբաժաններով և հատելով ձորակներ, հասնում Հակկո, Արեգ և Արագածավան համայնքների տարածքների բաժանման «Դ» հանգուցային կետին:
«Գ»-«Դ» սահմանագծի ընդհանուր երկարությունը 6989.9 մ է:
ՀԱԿԿՈ-ԱՐԱԳԱԾԱՎԱՆ ՍԱՀՄԱՆԱԳԻԾԸ` «Դ»-«Ե»
Հակկո, Արեգ և Արագածավան համայնքների տարածքների բաժանման «Ե» հանգուցային կետից սահմանագիծն անցնում է հարավ-արևելք 1733.9 մ, հասնում թիվ 4 կետին, որը գտնվում է 1423.1 մ նիշի վրա, թեքվում է դեպի արևելք, անցնում 2335.7 մ, հատելով ջրբաժաններ և ձոր, հասնում «Դ» հանգուցային կետին:
«Դ»-«Ե» սահմանագծի ընդհանուր երկարությունը 4069.4 մ է:
ՀԱԿԿՈ-ԳԵՏԱՓ ՍԱՀՄԱՆԱԳԻԾԸ` «Ե»-«Զ»
Հակկո, Գետափ և Թլիկ համայնքների տարածքների բաժանման «Զ» հանգուցային կետից սահմանագիծն անցնելով հարավ, հատելով մարզային նշանակության ճանապարհ, հասնում է Հակկո, Արագածավան և Գետափ համայնքների տարածքների բաժանման «Ե» հանգուցային կետին:
«Ե»-«Զ» սահմանագծի ընդհանուր երկարությունը 3781.5 մ է:
ՀԱԿԿՈ-ԹԼԻԿ ՍԱՀՄԱՆԱԳԻԾԸ` «Զ»-«Ա»
«Ա» հանգուցային կետից սահմանագիծն անցնելով 442.1 մ հարավ-արևմուտք, հասնում է Հակկո, Թլիկ և Գետափ համայնքների տարածքների բաժանման «Զ» հանգուցային կետին:
«Զ»-«Ա» սահմանագծի ընդհանուր երկարությունը 442.1 մ է:
| Հայաստանի Հանրապետության կառավարության աշխատակազմի ղեկավար-նախարար |
Մ. Թոփուզյան |
|
Հավելված N 26 |
ՀՀ ԱՐԱԳԱԾՈՏՆԻ ՄԱՐԶԻ ՄՈՒԼՔԻԻ ԳՅՈՒՂԱԿԱՆ ՀԱՄԱՅՆՔԻ ՎԱՐՉԱԿԱՆ ՍԱՀՄԱՆՆԵՐԻ ՀԱՏԱԿԱԳԻԾԸ
(հավելվածն ուժը կորցրել է 14.10.10 N 1359-Ն)
|
Հավելված N 261 |
ՀՀ ԱՐԱԳԱԾՈՏՆԻ ՄԱՐԶԻ ՄՈՒԼՔԻԻ ԳՅՈՒՂԱԿԱՆ ՀԱՄԱՅՆՔԻ ՎԱՐՉԱԿԱՆ ՍԱՀՄԱՆՆԵՐԻ ՆԿԱՐԱԳՐՈՒԹՅՈՒՆԸ
(հավելվածն ուժը կորցրել է 14.10.10 N 1359-Ն)
|
Հավելված N 27 |
ՀՀ ԱՐԱԳԱԾՈՏՆԻ ՄԱՐԶԻ Ն. ԲԱԶՄԱԲԵՐԴԻ ԳՅՈՒՂԱԿԱՆ ՀԱՄԱՅՆՔԻ ՎԱՐՉԱԿԱՆ ՍԱՀՄԱՆՆԵՐԻ ՀԱՏԱԿԱԳԻԾԸ
(հավելվածն ուժը կորցրել է 14.10.10 N 1359-Ն)
|
Հավելված N 271 |
ՀՀ ԱՐԱԳԱԾՈՏՆԻ ՄԱՐԶԻ Ն. ԲԱԶՄԱԲԵՐԴԻ ԳՅՈՒՂԱԿԱՆ ՀԱՄԱՅՆՔԻ ՎԱՐՉԱԿԱՆ ՍԱՀՄԱՆՆԵՐԻ ՆԿԱՐԱԳՐՈՒԹՅՈՒՆԸ
(հավելվածն ուժը կորցրել է 14.10.10 N 1359-Ն)
|
Հավելված N 28 |
ՀՀ ԱՐԱԳԱԾՈՏՆԻ ՄԱՐԶԻ ՆՈՐ ԱՐԹԻԿԻ ԳՅՈՒՂԱԿԱՆ ՀԱՄԱՅՆՔԻ ՎԱՐՉԱԿԱՆ ՍԱՀՄԱՆՆԵՐԻ ՀԱՏԱԿԱԳԻԾԸ
| Հայաստանի Հանրապետության կառավարության աշխատակազմի ղեկավար-նախարար |
Մ. Թոփուզյան |
|
Հավելված N 281 |
ՀՀ ԱՐԱԳԱԾՈՏՆԻ ՄԱՐԶԻ ՆՈՐ ԱՐԹԻԿԻ ԳՅՈՒՂԱԿԱՆ ՀԱՄԱՅՆՔԻ ՎԱՐՉԱԿԱՆ ՍԱՀՄԱՆՆԵՐԻ ՆԿԱՐԱԳՐՈՒԹՅՈՒՆԸ
Նոր Արթիկ համայնքը գտնվում է մարզի արևմտյան մասում:
Հեռավորությունը մարզկենտրոն ք. Աշտարակից 73 կմ է:
Համայնքը հյուսիս-արևմուտքից «Ա»-«Բ» հատվածով սահմանակից է Շիրակի մարզի Բագրավան համայնքին, հյուսիսից` «Բ»-«Գ» հատվածով` Շիրակի մարզի Հայկաձոր համայնքին, «Գ»-«Դ» հատվածով` Շիրակի մարզի Սարակապ համայնքին, արևելքից «Դ»-«Ե» հատվածով` Ցամաքասար համայնքին, «Ե»-«Զ» հատվածով` Սուսեր համայնքին, հարավից «Զ»-«Է» հատվածով` Սորիկ համայնքին, «Է»-«Ը» հատվածով` Թլիկ համայնքին, արևմուտքից և հյուսիս-արևմուտքից «Ը»-«Ա» հատվածով` Շիրակի մարզի Անիպեմզա համայնքին:
ՆՈՐ ԱՐԹԻԿ-ՇԻՐԱԿԻ ՄԱՐԶԻ ԲԱԳՐԱՎԱՆ ՍԱՀՄԱՆԱԳԻԾԸ` «Ա»-«Բ»
Նոր Արթիկ, Շիրակի մարզի Անիպեմզա և Բագրավան համայնքների տարածքների բաժանման «Ա» հանգուցային կետից սահմանագիծն անցնելով թիվ 1-5 կետերով դեպի արևելք` 3237.4 մ, հասնում է թիվ 6 կետին, որը համընկնում է «Սև սիրտ» եռանկյունաչափական կետին, որից թեքվում է դեպի հյուսիս, անցնելով թիվ 7-11 կետերը` 4178.6 մ, հասնում թիվ 12 կետին, որտեղից շարժվելով դեպի արևելք 582.9 մ, դաշտային ճանապարհով հասնում է «Բ» հանգուցային կետին:
«Ա»-«Բ» սահմանագծերի ընդհանուր երկարությունը 7998.9 մ է:
ՆՈՐ ԱՐԹԻԿ-ՇԻՐԱԿԻ ՄԱՐԶԻ ՀԱՅԿԱՁՈՐ ՍԱՀՄԱՆԱԳԻԾԸ` «Բ»-«Գ»
Նոր Արթիկ, Շիրակի մարզի Բագրավան և Հայկաձոր համայնքների տարածքների բաժանման «Բ» հանգուցային կետից սահմանագիծն անցնելով 1328.9 մ դեպի հյուսիս-արևելք, դաշտային ճանապարհով հասնում է թիվ 2 կետին, որից հետո շրջվում է հարավ-արևելք, անցնում 354.3 մ, հասնում է Նոր Արթիկ, Շիրակի մարզի Հայկաձոր և Սարակապ համայնքների տարածքների բաժանման «Գ» հանգուցային կետին:
«Բ»-«Գ» սահմանագծերի ընդհանուր երկարությունը 1683.2 մ է:
ՆՈՐ ԱՐԹԻԿ-ՇԻՐԱԿԻ ՄԱՐԶԻ ՍԱՐԱԿԱՊ ՍԱՀՄԱՆԱԳԻԾԸ` «Գ»-«Դ»
Նոր Արթիկ, Շիրակի մարզի Հայկաձոր և Սարակապ համայնքների տարածքների բաժանման «Գ» հանգուցային կետից սահմանագիծն անցնելով բարձունքներով դեպի հարավ-արևելք, հատելով ձորակներ և ջրբաժաններ հասնում է «Դ» հանգուցային կետին:
«Գ»-«Դ» սահմանագծերի ընդհանուր երկարությունը 1705.3 մ է:
ՆՈՐ ԱՐԹԻԿ-ՑԱՄԱՔԱՍԱՐ ՍԱՀՄԱՆԱԳԻԾԸ` «Դ»-«Ե»
Ցամաքասար, Նոր Արթիկ և Շիրակի մարզի Սարակապ համայնքների տարածքների բաժանման «Դ» հանգուցային կետից սահմանագիծն անցնելով հարավ-արևմուտք 540.6 մ, հատելով ձորակ, հասնում է թիվ 1 կետին, որից շարունակվելով նույն ուղղությամբ 429.5 մ, ապա դեպի հարավ-արևելք, անցնելով 454.2 մ, ջրբաժանով հասնում է «Ե» հանգուցային կետին:
«Դ»-«Ե» սահմանագծերի ընդհանուր երկարությունը 1424.3 մ է:
ՆՈՐ ԱՐԹԻԿ-ՍՈՒՍԵՐ ՍԱՀՄԱՆԱԳԻԾԸ` «Ե»-«Զ»
Սուսեր, Նոր Արթիկ և Ցամաքասար համայնքների տարածքների բաժանման «Ե» հանգուցային կետից սահմանագիծն անցնելով 439.0 մ հարավ-արևմուտք, հատելով ձորակ, հասնում է թիվ 1 կետին, ապա դաշտային ճանապարհով հասնում է թիվ 2 կետին, որտեղից թեքվում հարավ, անցնելով 3300.1 մ, հատելով մարզային նշանակության ճանապարհ, դաշտային ճանապարհներ և ձոր, հասնում է 1576.8 մ նիշով բարձունքի վրա գտնվող թիվ 11 կետին, որտեղից թեքվում է հարավ-արևմուտք, ջրբաժանով անցնում 766.0 մ, հասնում «Զ» հանգուցային կետին:
«Ե»-«Զ» սահմանագծերի ընդհանուր երկարությունը 5312.0 մ է:
ՆՈՐ ԱՐԹԻԿ-ՍՈՐԻԿ ՍԱՀՄԱՆԱԳԻԾԸ` «Զ»-«Է»
Նոր Արթիկ, Սորիկ և Թլիկ համայնքների տարածքների բաժանման «Է» հանգուցային կետից սահմանագիծն անցնելով 1228.9 մ արևելք հատելով դաշտային ճանապարհ, հասնում է «Զ» հանգուցային կետին:
«Զ»-«Է» սահմանագծերի ընդհանուր երկարությունը 1228.9 մ է:
ՆՈՐ ԱՐԹԻԿ-ԹԼԻԿ ՍԱՀՄԱՆԱԳԻԾԸ` «Է»-«Ը»
Նոր Արթիկ, Թլիկ և Շիրակի մարզի Անիպեմզա համայնքների տարածքների բաժանման «Ը» հանգուցային կետից, որը գտնվում է երկաթգծի լիցքային մասից ներքև, կամրջի մոտ, սահմանագիծը անցնում է հյուսիս-արևելք, 5707.9 մ, հասնում թիվ 14 կետին, այդտեղից թեքվում է հարավ-արևելք, անցնելով 941.6 մ դաշտային ճանապարհով հասնում «Է» հանգուցային կետին:
«Է»-«Ը» սահմանագծերի ընդհանուր երկարությունը 6649.5 մ է:
ՆՈՐ ԱՐԹԻԿ-ՇԻՐԱԿԻ ՄԱՐԶԻ ԱՆԻՊԵՄԶԱ ՍԱՀՄԱՆԱԳԻԾԸ` «Ը»-«Ա»
«Ա» հանգուցային կետից սահմանագիծն անցնելով հարավ-արևմուտք, բարձունքներով հասնում է թիվ 6 կետին, որը գտնվում է ձորի եզրին, ապա շրջվում է դեպի հարավ 89.7 մ, ձորով հասնում թիվ 7 կետին, այնուհետև կտրուկ թեքվում է արևմուտք, անցնելով դաշտային ճանապարհով 663.5 մ, հասնում թիվ 8 կետին, որը գտնվում է երկաթգծի մոտ, ապա շարունակվում դեպի հարավ` երկաթգծով հասնում «Ը» հանգուցային կետին:
«Ը»-«Ա» սահմանագծերի ընդհանուր երկարությունը 4287.8 մ է:
| Հայաստանի Հանրապետության կառավարության աշխատակազմի ղեկավար-նախարար |
Մ. Թոփուզյան |
|
Հավելված N 29 |
ՀՀ ԱՐԱԳԱԾՈՏՆԻ ՄԱՐԶԻ ՆՈՐ ԵԴԵՍԻԱՅԻ ԳՅՈՒՂԱԿԱՆ ՀԱՄԱՅՆՔԻ ՎԱՐՉԱԿԱՆ ՍԱՀՄԱՆՆԵՐԻ ՀԱՏԱԿԱԳԻԾԸ
(հավելվածն ուժը կորցրել է 14.10.10 N 1359-Ն)
|
Հավելված N 291 |
ՀՀ ԱՐԱԳԱԾՈՏՆԻ ՄԱՐԶԻ ՆՈՐ ԵԴԵՍԻԱՅԻ ԳՅՈՒՂԱԿԱՆ ՀԱՄԱՅՆՔԻ ՎԱՐՉԱԿԱՆ ՍԱՀՄԱՆՆԵՐԻ ՆԿԱՐԱԳՐՈՒԹՅՈՒՆԸ
(հավելվածն ուժը կորցրել է 14.10.10 N 1359-Ն)
|
Հավելված N 30 |
ՀՀ ԱՐԱԳԱԾՈՏՆԻ ՄԱՐԶԻ Ն. ՍԱՍՈՒՆԱՇԵՆԻ ԳՅՈՒՂԱԿԱՆ ՀԱՄԱՅՆՔԻ ՎԱՐՉԱԿԱՆ ՍԱՀՄԱՆՆԵՐԻ ՀԱՏԱԿԱԳԻԾԸ
(հավելվածն ուժը կորցրել է 14.10.10 N 1359-Ն)
|
Հավելված N 301 |
ՀՀ ԱՐԱԳԱԾՈՏՆԻ ՄԱՐԶԻ Ն. ՍԱՍՈՒՆԱՇԵՆԻ ԳՅՈՒՂԱԿԱՆ ՀԱՄԱՅՆՔԻ ՎԱՐՉԱԿԱՆ ՍԱՀՄԱՆՆԵՐԻ ՆԿԱՐԱԳՐՈՒԹՅՈՒՆԸ
(հավելվածն ուժը կորցրել է 14.10.10 N 1359-Ն)
|
Հավելված N 31 |
ՀՀ ԱՐԱԳԱԾՈՏՆԻ ՄԱՐԶԻ ՆՈՐ ԱՄԱՆՈՍԻ ԳՅՈՒՂԱԿԱՆ ՀԱՄԱՅՆՔԻ ՎԱՐՉԱԿԱՆ ՍԱՀՄԱՆՆԵՐԻ ՀԱՏԱԿԱԳԻԾԸ
(հավելվածն ուժը կորցրել է 14.10.10 N 1359-Ն)
|
Հավելված N 311 |
ՀՀ ԱՐԱԳԱԾՈՏՆԻ ՄԱՐԶԻ ՆՈՐ ԱՄԱՆՈՍԻ ԳՅՈՒՂԱԿԱՆ ՀԱՄԱՅՆՔԻ ՎԱՐՉԱԿԱՆ ՍԱՀՄԱՆՆԵՐԻ ՆԿԱՐԱԳՐՈՒԹՅՈՒՆԸ
(հավելվածն ուժը կորցրել է 14.10.10 N 1359-Ն)
|
Հավելված N 32 |
ՀՀ ԱՐԱԳԱԾՈՏՆԻ ՄԱՐԶԻ ՇՂԱՐՇԻԿԻ ԳՅՈՒՂԱԿԱՆ ՀԱՄԱՅՆՔԻ ՎԱՐՉԱԿԱՆ ՍԱՀՄԱՆՆԵՐԻ ՀԱՏԱԿԱԳԻԾԸ
(հավելվածն ուժը կորցրել է 14.10.10 N 1359-Ն)
|
Հավելված N 321 |
ՀՀ ԱՐԱԳԱԾՈՏՆԻ ՄԱՐԶԻ ՇՂԱՐՇԻԿԻ ԳՅՈՒՂԱԿԱՆ ՀԱՄԱՅՆՔԻ ՎԱՐՉԱԿԱՆ ՍԱՀՄԱՆՆԵՐԻ ՆԿԱՐԱԳՐՈՒԹՅՈՒՆԸ
(հավելվածն ուժը կորցրել է 14.10.10 N 1359-Ն)
|
Հավելված N 33 |
ՀՀ ԱՐԱԳԱԾՈՏՆԻ ՄԱՐԶԻ ՈՍԿԵԹԱՍԻ ԳՅՈՒՂԱԿԱՆ ՀԱՄԱՅՆՔԻ ՎԱՐՉԱԿԱՆ ՍԱՀՄԱՆՆԵՐԻ ՀԱՏԱԿԱԳԻԾԸ
(հավելվածն ուժը կորցրել է 14.10.10 N 1359-Ն)
|
Հավելված N 331 |
ՀՀ ԱՐԱԳԱԾՈՏՆԻ ՄԱՐԶԻ ՈՍԿԵԹԱՍԻ ԳՅՈՒՂԱԿԱՆ ՀԱՄԱՅՆՔԻ ՎԱՐՉԱԿԱՆ ՍԱՀՄԱՆՆԵՐԻ ՆԿԱՐԱԳՐՈՒԹՅՈՒՆԸ
(հավելվածն ուժը կորցրել է 14.10.10 N 1359-Ն)
|
|
ՀՀ ԱՐԱԳԱԾՈՏՆԻ ՄԱՐԶԻ ՈՍԿԵՀԱՏԻ ԳՅՈՒՂԱԿԱՆ ՀԱՄԱՅՆՔԻ ՎԱՐՉԱԿԱՆ ՍԱՀՄԱՆՆԵՐԻ ՀԱՏԱԿԱԳԻԾԸ
| Հայաստանի Հանրապետության կառավարության աշխատակազմի ղեկավար-նախարար |
Մ. Թոփուզյան |
|
Հավելված N 341 |
ՀՀ ԱՐԱԳԱԾՈՏՆԻ ՄԱՐԶԻ ՈՍԿԵՀԱՏԻ ԳՅՈՒՂԱԿԱՆ ՀԱՄԱՅՆՔԻ ՎԱՐՉԱԿԱՆ ՍԱՀՄԱՆՆԵՐԻ ՆԿԱՐԱԳՐՈՒԹՅՈՒՆԸ
Ոսկեհատ գյուղական համայնքը գտնվում է մարզի հարավային մասում:
Հեռավորությունը մարզկենտրոն ք. Աշտարակից 10 կմ է:
Համայնքը հյուսիս-արևմուտքից «Ա»-«Բ» հատվածով սահմանակից է Ուջան համայնքին, հյուսիսից «Բ»-«Գ» հատվածով` Աղձք համայնքին, հյուսիս-արևելքից «Գ»-«Դ» հատվածով` Ագարակ համայնքին, արևելքից «Դ»-«Ե» հատվածով` Ոսկեվազ համայնքին, հարավից «Ե»-«Զ» հատվածով` Արմավիրի մարզի Ամբերդ համայնքին, արևմուտքից «Զ»-«Է» հատվածով` Լեռնամերձ համայնքին, «Է»-«Ը» հատվածով` Աղավնատուն համայնքին և հարավ-արևմուտքից «Ը»-«Ա» հատվածով` Արագածոտն մարզի Արագածոտն համայնքին:
ՈՍԿԵՀԱՏ-ՈՒՋԱՆ ՍԱՀՄԱՆԱԳԻԾԸ` «Ա»-«Բ»
Արագածոտն, Ոսկեհատ և Ուջան համայնքների տարածքների բաժանման «Ա» հանգուցային կետից, որը գտնվում է ձորակով անցնող դաշտային ճանապարհի վրա, սահմանագիծը ձգվում է հյուսիս-արևելք` 85.58 մ հեռավորության վրա գտնվող բլրի թիվ 1 կետը, այնուհետև նույն ուղղությամբ անցնում է 183.57 մ, հասնում դաշտային ճանապարհի և առվի հատման կետում գտնվող Ոսկեհատ, Ուջան և Աղձք գյուղական համայնքների տարածքների բաժանման «Բ» հանգուցային կետին:
«Ա»-«Բ» սահմանագծի ընդհանուր երկարությունը 269.15 մ է:
ՈՍԿԵՀԱՏ-ԱՂՁՔ ՍԱՀՄԱՆԱԳԻԾԸ` «Բ»-«Գ»
Աղձք, Ոսկեհատ և Ուջան համայնքների տարածքների բաժանման «Բ» հանգուցային կետից սահմանագիծն անցնում է դեպի արևելք, հասնում ձորին, այդտեղից շրջվում դեպի հարավ-արևելք, ապա դեպի հյուսիս-արևելք, հետո անցնում լանջերով, հատում ձորեր ու ձորակներ, դաշտային ճանապարհներ, անցնելով 3267.68 մ, հասնում է Աղձք, Ոսկեհատ և Ագարակ համայնքների տարածքների բաժանման «Գ» հանգուցային կետին:
«Բ»-«Գ» սահմանագծի ընդհանուր երկարությունը 3267.68 մ է:
ՈՍԿԵՀԱՏ-ԱԳԱՐԱԿ ՍԱՀՄԱՆԱԳԻԾԸ` «Գ»-«Դ»
Աղձք, Ոսկեհատ և Ագարակ համայնքների տարածքների բաժանման «Գ» հանգուցային կետից սահմանագիծը թեքվում է դեպի արևելք, ոռոգման առվով անցնում և հասնում է մինչև Ամբերդ գետի ափին գտնվող Ոսկեհատ-Ագարակ և Ոսկեվազ համայնքների տարածքների բաժանման «Դ» հանգուցային կետը:
«Գ»-«Դ» սահմանագծի ընդհանուր երկարությունը 577.20 մ է:
ՈՍԿԵՀԱՏ-ՈՍԿԵՎԱԶ ՍԱՀՄԱՆԱԳԻԾԸ` «Դ»-«Ե»
Ոսկեհատ, Ագարակ և Ոսկեվազ գյուղական համայնքների տարածքների բաժանման «Դ» հանգուցային կետից սահմանագիծն անցնում է Շահվերդ գետով 3935.72 մ, հասնում Ոսկեհատ, Ոսկեվազ և Արմավիրի մարզի Ամբերդ համայնքների տարածքների բաժանման «Ե» հանգուցային կետին:
«Դ»-«Ե» սահմանագծի ընդհանուր երկարությունը 3935.72 մ է:
ՈՍԿԵՀԱՏ-ԱՐՄԱՎԻՐԻ ՄԱՐԶԻ ԱՄԲԵՐԴ ՀԱՄԱՅՆՔԻ ՍԱՀՄԱՆԱԳԻԾԸ` «Ե»-«Զ»
Ոսկեհատ, Արմավիրի մարզի Ամբերդ և Լեռնամերձ համայնքների տարածքների բաժանման «Զ» հանգուցային կետից սահմանագիծն անցնում է դեպի արևելք 543.38 մ, հասնում թիվ 1 կետին, շարունակվելով 201.55 մ և հատելով դաշտային ճանապարհը, հասնում թիվ 3 կետին, այնուհետև թեքվում է դեպի հյուսիս-արևելք 189.37 մ, հասնում Ամբերդ գետի ափին գտնվող Ոսկեհատ, Ոսկեվազ և Արմավիրի մարզի Ամբերդ համայնքների տարածքների բաժանման «Ե» հանգուցային կետին:
«Ե»-«Զ» սահմանագծի ընդհանուր երկարությունը 934.3 մ է:
ՈՍԿԵՀԱՏ-ԱՐՄԱՎԻՐԻ ՄԱՐԶԻ ԼԵՌՆԱՄԵՐՁ ՀԱՄԱՅՆՔԻ ՍԱՀՄԱՆԱԳԻԾԸ` «Զ»-«Է»
Ոսկեհատ, Արմավիրի մարզի Աղավնատուն և Լեռնամերձ համայնքների տարածքների բաժանման «Է» հանգուցային կետից սահմանագիծն իջնում է հարավ 164.86 մ, հասնում թիվ 1 կետին, որից հետո թեքվում է հարավ-արևմուտք 119.59 մ, հասնում է թիվ 2 կետին, որը գտնվում է ոռոգման առվի եզրին, այնուհետև ոռոգման առվով իջնում հարավ, հատում դաշտային ճանապարհը, անցնելով 1173.39 մ, հասնում է Ոսկեհատ, Արմավիրի մարզի Ամբերդ և Լեռնամերձ համայնքների տարածքների բաժանման «Զ» հանգուցային կետին:
«Զ»-«Է» սահմանագծի ընդհանուր երկարությունը 1457.84 մ է:
ՈՍԿԵՀԱՏ- ԱՐՄԱՎԻՐԻ ՄԱՐԶԻ ԱՂԱՎՆԱՏՈՒՆ ՀԱՄԱՅՆՔԻ ՍԱՀՄԱՆԱԳԻԾԸ` «Է»-«Ը»
Արագածոտն, Ոսկեհատ և Արմավիրի մարզի Աղավնատուն համայնքների տարածքների բաժանման «Ը» հանգուցային կետից, որը գտնվում է ձորակով անցնող դաշտային ճանապարհի եզրին, սահմանագիծը իջնում է հարավարևելյան ուղղությամբ 482.49 մ, հասնում թիվ 1 կետին, ապա թեքվում հյուսիս-արևելք 294.51 մ` մինչև թիվ 2 կետը, հետո քիչ թեքվում է արևելք, լանջով անցնում 397.17 մ, հասնում թիվ 3 կետին, այնուհետև նույն ուղղությամբ 298.61 մ, հասնում է բարձունքի թիվ 4 կետը: Թիվ 4 կետից սահմանագիծը թեքվում է հյուսիս-արևելք, անցնում բլրի գագաթով թիվ 5 կետով մինչև դաշտային ճանապարհի եզրի թիվ 6 կետը` անցնելով 303.38 մ: Այնուհետև լանջով անցնում է 321.91 մ, հասնում թիվ 7 կետին, թեքվում հարավ-արևելք 118.81 մ, հասնում թիվ 8 կետին, որից հետո աստիճանաբար թեքվում հարավ-արևելք, անցնելով 350.85 մ, հասնում Ոսկեհատ, Արմավիրի մարզի Աղավնատուն և Լեռնամերձ համայնքների տարածքների բաժանման «Է» հանգուցային կետը:
«Է»-«Ը» սահմանագծի ընդհանուր երկարությունը 2443.85 մ է:
ՈՍԿԵՀԱՏ-ԱՐԱԳԱԾՈՏՆ ՍԱՀՄԱՆԱԳԻԾԸ` «Ը»-«Ա»
Արագածոտն, Ուջան, Ոսկեհատ համայնքների տարածքների բաժանման «Ա» հանգուցային կետից սահմանագիծը ձորով իջնում է դեպի հարավ-արևելք, մինչև ձորի շրջադարձը, հասնում Արագածոտն, Ոսկեհատ և Արմավիրի մարզի Աղավնատուն գյուղական համայնքների տարածքների բաժանման «Ը» հանգուցային կետին:
«Ը»-«Ա» սահմանագծի ընդհանուր երկարությունը 1039.87 մ է:
| Հայաստանի Հանրապետության կառավարության աշխատակազմի ղեկավար-նախարար |
Մ. Թոփուզյան |
|
Հավելված N 35 |
ՀՀ ԱՐԱԳԱԾՈՏՆԻ ՄԱՐԶԻ ՊԱՐՏԻԶԱԿԻ ԳՅՈՒՂԱԿԱՆ ՀԱՄԱՅՆՔԻ ՎԱՐՉԱԿԱՆ ՍԱՀՄԱՆՆԵՐԻ ՀԱՏԱԿԱԳԻԾԸ
(հավելվածն ուժը կորցրել է 14.10.10 N 1359-Ն)
|
Հավելված N 351 |
ՀՀ ԱՐԱԳԱԾՈՏՆԻ ՄԱՐԶԻ ՊԱՐՏԻԶԱԿԻ ԳՅՈՒՂԱԿԱՆ ՀԱՄԱՅՆՔԻ ՎԱՐՉԱԿԱՆ ՍԱՀՄԱՆՆԵՐԻ ՆԿԱՐԱԳՐՈՒԹՅՈՒՆԸ
(հավելվածն ուժը կորցրել է 14.10.10 N 1359-Ն)
|
Հավելված N 36 |
ՀՀ ԱՐԱԳԱԾՈՏՆԻ ՄԱՐԶԻ ՍՈՒՍԵՐԻ ԳՅՈՒՂԱԿԱՆ ՀԱՄԱՅՆՔԻ ՎԱՐՉԱԿԱՆ ՍԱՀՄԱՆՆԵՐԻ ՀԱՏԱԿԱԳԻԾԸ
| Հայաստանի Հանրապետության կառավարության աշխատակազմի ղեկավար-նախարար |
Մ. Թոփուզյան |
|
Հավելված N 361 |
ՀՀ ԱՐԱԳԱԾՈՏՆԻ ՄԱՐԶԻ ՍՈՒՍԵՐԻ ԳՅՈՒՂԱԿԱՆ ՀԱՄԱՅՆՔԻ ՎԱՐՉԱԿԱՆ ՍԱՀՄԱՆՆԵՐԻ ՆԿԱՐԱԳՐՈՒԹՅՈՒՆԸ
Սուսեր համայնքը գտնվում է մարզի արևմտյան մասում:
Հեռավորությունը մարզկենտրոն ք. Աշտարակից 90 կմ է:
Համայնքը արևելքից «Ա»-«Բ» հատվածով սահմանակից է Ցամաքասար համայնքին, հարավից «Բ»-«Գ» հատվածով` Արեգ համայնքին, հարավ-արևմուտքից` «Գ»-«Դ» հատվածով` Սորիկ համայնքին, արևմուտքից «Դ»-«Ա» հատվածով` Նոր Արթիկ համայնքին:
ՍՈՒՍԵՐ-ՑԱՄԱՔԱՍԱՐ ՍԱՀՄԱՆԱԳԻԾԸ` «Ա»-«Բ»
Սուսեր, Նոր Արթիկ և Ցամաքասար համայնքների տարածքների բաժանման «Ա» հանգուցային կետից սահմանագիծն անցնելով բարձունքներով դեպի հարավ-արևելք 760.9 մ, հասնում է թիվ 2 կետին, որը գտնվում է 1659.6 մ նիշ ունեցող բարձունքի վրա, ապա շարունակվում է նույն ուղղությամբ, անցնում 1883.2 մ, հատելով ձոր և մարզային նշանակության ճանապարհ, լանջով բարձրանում, հասնում թիվ 5 կետին, որը գտնվում է «Ավդուտեպե» բարձունքի վրա: Այնուհետև շեղվում է հարավ-արևմուտք, ապա հարավ, անցնելով 6034.4 մ դաշտային ճանապարհով, ձորակով, հատելով դաշտային ճանապարհ ու ջրբաժան ` հասնում «Բ» հանգուցային կետին:
«Ա»-«Բ» սահմանագծի ընդհանուր երկարությունը 8679.1 մ է:
ՍՈՒՍԵՐ-ԱՐԵԳ ՍԱՀՄԱՆԱԳԻԾԸ` «Բ»-«Գ»
Սուսեր, Արեգ և Սորիկ համայնքների տարածքների բաժանման «Գ» հանգուցային կետից սահմանագիծը ձորով անցնում է դեպի հարավ-արևելք, ապա հյուսիս-արևելք` հասնում «Բ» հանգուցային կետին:
«Բ»-«Գ» սահմանագծի ընդհանուր երկարությունը 920.0 մ է:
ՍՈՒՍԵՐ-ՍՈՐԻԿ ՍԱՀՄԱՆԱԳԻԾԸ` «Գ»-«Դ»
Սորիկ, Նոր Արթիկ և Սուսեր համայնքների տարածքների բաժանման «Դ» հանգուցային կետից սահմանագիծն անցնելով 1690.2 մ հարավ-արևելք, բարձունքներով անցնում է թիվ 1-4 կետերով, հասնում է կետին, որը գտնվում է դաշտային ճանապարհի և ձորակի հատման տեղում, այնուհետև շարունակվելով 702.6 մ դաշտային ճանապարհով, հասնում է թիվ 9 կետին, թեքվում է արևելք, անցնում է 55.6 մ հարավ` 90.4 մ, դարձյալ արևելք` 280.9 մ և հասնում թիվ 12 կետին, որը գտնվում է լեռան ստորոտում, ապա թեքվում է հարավ-արևելք, շրջանցում 1564.2 մ նիշ ունեցող բարձունքին, դաշտային ճանապարհով անցնում 606.1 մ, հասնում ճանապարհների խաչմերուկում գտնվող թիվ 13 կետին: Այստեղից շրջվում է դեպի հարավ-արևմուտք, անցնում 97.5 մ, այնուհետև հարավ-արևելք` 483.4 մ, հասնում «Գ» հանգուցային կետին, որը գտնվում է ձորի եզրին Սուսեր, Արեգ և Սորիկ համայնքների տարածքների բաժանման կետում:
«Գ»-«Դ» սահմանագծի ընդհանուր երկարությունը 4006.6 մ է:
ՍՈՒՍԵՐ-ՆՈՐ ԱՐԹԻԿ ՍԱՀՄԱՆԱԳԻԾԸ` «Դ»-«Ա»
«Ա» հանգուցային կետից սահմանագիծն անցնելով 439.0 մ հարավ-արևմուտք, հատելով ձորակ, հասնում է թիվ 1 կետին, ապա շարունակվելով դաշտային ճանապարհով հասնում թիվ 2 կետին, որտեղից թեքվելով հարավ, անցնելով 3300.1 մ, հատելով մարզային նշանակության դաշտային ճանապարհներ և ձոր, հասնում է 1576.8 մ նիշով բարձունքի վրա գտնվող թիվ 11 կետին, այնուհետև թեքվում է հարավ-արևմուտք, ջրբաժանով անցնում է 766.0 մ, հասնում «Դ» հանգուցային կետին` Սորիկ, Նոր Արթիկ և Սուսեր համայնքների տարածքների բաժանման կետին:
«Դ»-«Ա» սահմանագծի ընդհանուր երկարությունը 5312.0 մ է:
| Հայաստանի Հանրապետության կառավարության աշխատակազմի ղեկավար-նախարար |
Մ. Թոփուզյան |
|
Հավելված N 37 |
ՀՀ ԱՐԱԳԱԾՈՏՆԻ ՄԱՐԶԻ ՍԱՍՈՒՆԻԿԻ ԳՅՈՒՂԱԿԱՆ ՀԱՄԱՅՆՔԻ ՎԱՐՉԱԿԱՆ ՍԱՀՄԱՆՆԵՐԻ ՀԱՏԱԿԱԳԻԾԸ
| Հայաստանի Հանրապետության կառավարության աշխատակազմի ղեկավար-նախարար |
Մ. Թոփուզյան |
|
Հավելված N 371 |
ՀՀ ԱՐԱԳԱԾՈՏՆԻ ՄԱՐԶԻ ՍԱՍՈՒՆԻԿԻ ԳՅՈՒՂԱԿԱՆ ՀԱՄԱՅՆՔԻ ՎԱՐՉԱԿԱՆ ՍԱՀՄԱՆՆԵՐԻ ՆԿԱՐԱԳՐՈՒԹՅՈՒՆԸ
Սասունիկ գյուղական համայնքը գտնվում է մարզի հարավային մասում:
Հեռավորությունը մարզկենտրոն ք. Աշտարակից 3 կմ է:
Համայնքը հյուսիսից «Ա»-«Բ» հատվածով սահմանակից է Աշտարակ քաղաքային համայնքին, հյուսիս-արևելքից «Բ»-«Գ» հատվածով` Կոտայքի մարզի Պռոշյան գյուղական համայնքին, հարավ-արևելքից «Գ»-«Դ» հատվածով` ք. Երևանին, հարավից «Դ»-«Ե» հատվածով` Արմավիրի մարզի Մերձավան գյուղական համայնքին, «Ե»-«Զ» հատվածով` Արմավիրի մարզի Բաղրամյան գյուղական համայնքին, «Զ»-«Է» հատվածով` Արմավիրի մարզի Նորակերտ գյուղական համայնքին, հարավ-արևմուտքից «Է»-«Ը» հատվածով` Արմավիրի մարզի Շահումյան գյուղական համայնքին, «Ը»-«Թ» հատվածով` Արմավիրի մարզի Դաշտ գյուղական համայնքին, հյուսիս-արևմուտքից «Թ»-«Ա» հատվածով` Օշական գյուղական համայնքին:
ՍԱՍՈՒՆԻԿ-ԱՇՏԱՐԱԿ ՍԱՀՄԱՆԱԳԻԾԸ` «Ա»-«Բ»
Սասունիկ, Օշական և Աշտարակ համայնքների տարածքների բաժանման «Ա» հանգուցային կետից սահմանագիծը հատելով ջրբաժանը` անցնում է հյուսիս-արևելք, ապա լանջով թեքվում է արևելք թիվ 1-10 կետերով անցնելով 1350.7 մ միանում է թիվ 11 շրջադարձային կետին: Թիվ 11 կետից սահմանագիծը հատելով դաշտային ճանապարհներ, անցնում է հարավ-արևմուտք թիվ 12-18 կետերով` 571.6 մ, հասնում թիվ 19 կետին, թեքվում հարավ, անցնելով թիվ 20 կետով 238.9 մ, հասնում թիվ 21 կետին, ապա շրջադարձերով անցնում հարավ-արևելք` թիվ 22-28 կետերով 822.2 մ, միանում թիվ 29 կետին: Թիվ 29 կետից սահմանագիծն անցնում է արևելք, միանում թիվ 31 կետին, հետո հատելով ձորը, թեքվում է հարավ-արևելք, ապա հյուսիս-արևելք, անցնելով թիվ 32-33 կետերով 2195.8 մ, միանում թիվ 34 կետին, որից հետո լանջով թեքվելով հյուսիս-արևելք, անցնելով ջրբաժանով, թիվ 35 կետով, անցնելով 1050.5 մ, միանում Սասունիկ, Աշտարակ և Կոտայքի մարզի Պռոշյան գյուղական համայնքների տարածքների բաժանման «Բ» հանգուցային սահմանակետին:
«Ա»-«Բ» սահմանագծի ընդհանուր երկարությունը 6229.7 մ է:
ՍԱՍՈՒՆԻԿ-ԿՈՏԱՅՔԻ ՄԱՐԶԻ ՊՌՈՇՅԱՆ ՍԱՀՄԱՆԱԳԻԾԸ` «Բ»-«Գ»
Սասունիկ, Աշտարակ և Կոտայքի մարզի Պռոշյան գյուղական համայնքների տարածքների բաժանման «Բ» հանգուցային կետից սահմանագիծը ձորով անցնում է հարավ-արևմուտք, ապա արևելք` մինչև ձորերի հատման խաչմերուկ, ապա թեքվում հարավ, անցնում 776.5 մ, հասնում թիվ 1 կետին: Թիվ 1 կետից նույն ուղղությամբ անցնելով թիվ 2-4 կետերով 368.0 մ, միանում թիվ 5 կետին: Թիվ 5 կետից անցնում է հարավ-արևելք, ապա հարավ-արևմուտք, մինչև դաշտային ճանապարհի հետ հատվելը, որից թեքվում է հարավ-արևելք, անցնելով 2461.8 մ, միանում Սասունիկ, Կոտայքի մարզի Պռոշյան գյուղական համայնքների և ք. Երևանի տարածքների բաժանման «Գ» հանգուցային սահմանակետին:
«Բ»-«Գ» սահմանագծի ընդհանուր երկարությունը 3606.3 մ է:
ՍԱՍՈՒՆԻԿ-Ք.ԵՐԵՎԱՆ ՍԱՀՄԱՆԱԳԻԾԸ` «Գ»-«Դ»
Սասունիկ, Կոտայքի մարզի Պռոշյան և ք. Երևանի տարածքների բաժանման «Գ» հանգուցային կետից սահմանագիծն անցնում է լանջերի վրայով հարավ-արևմուտք, թիվ 1-2 կետերով միանում Սասունիկ, ք. Երևան և Արմավիրի մարզի Մերձավան գյուղական համայնքների տարածքների բաժանման «Դ» հանգուցային սահմանակետին:
«Գ»-«Դ» սահմանագծի ընդհանուր երկարությունը 926.99 մ է:
ՍԱՍՈՒՆԻԿ-ԱՐՄԱՎԻՐԻ ՄԱՐԶԻ ՄԵՐՁԱՎԱՆ ՍԱՀՄԱՆԱԳԻԾԸ` «Դ»-«Ե»
Սասունիկ, Արմավիրի մարզի Մերձավան և Բաղրամյան գյուղական համայնքների տարածքների բաժանման «Ե» հանգուցային կետից սահմանագիծն անցնում է հյուսիս-արևելք 209.78 մ, հասնում թիվ 1 կետին, ապա անցնում է արևելք, ճանապարհին հատելով ջրբաժաններ, ձորեր, թիվ 2-6 կետերով անցնելով 1596.44 մ, հասնում է Սասունիկ, Արմավիրի մարզի Մերձավան գյուղական համայնքների և ք. Երևանի տարածքների բաժանման «Դ» հանգուցային սահմանակետին:
«Դ»-«Ե» սահմանագծի ընդհանուր երկարությունը 1806.22 մ է:
ՍԱՍՈՒՆԻԿ-ԱՐՄԱՎԻՐԻ ՄԱՐԶԻ ԲԱՂՐԱՄՅԱՆ ՍԱՀՄԱՆԱԳԻԾԸ` «Ե»-«Զ»
Բաղրամյան, Սասունիկ և Նորակերտ գյուղական համայնքների տարածքների բաժանման «Զ» հանգուցային կետից սահմանագիծն անցնում է լանջով դեպի հարավ-արևելք, 684.16 մ, հասնում է թիվ 2 կետին, որից թեքվում է հյուսիս, անցնելով 284.91 մ, միանում թիվ 3 կետին, այնուհետև թեքվում է հարավ-արևելք, թիվ 4-10 կետերով անցնելով 2004.68 մ, հասնում է թիվ 11 կետին, որտեղից թեքվում է արևելք 313.03 մ, միանում Սասունիկ, Արմավիրի մարզի Բաղրամյան ու Մերձավան գյուղական համայնքների տարածքների բաժանման «Ե» հանգուցային սահմանակետին:
«Ե»-«Զ» սահմանագծի ընդհանուր երկարությունը 3286.78 մ է:
ՍԱՍՈՒՆԻԿ-ԱՐՄԱՎԻՐԻ ՄԱՐԶԻ ՆՈՐԱԿԵՐՏ ՍԱՀՄԱՆԱԳԻԾԸ` «Զ»-«Է»
Սասունիկ, Արմավիրի մարզի Նորակերտ և Շահումյան գյուղական համայնքների տարածքների բաժանման «Է» հանգուցային կետից սահմանագիծն անցնում է հյուսիս-արևելք թիվ 1-3 կետերով, հատելով ջրբաժանը, դաշտամիջյան ճանապարհներ և ձորը, անցնում 1335.36 մ, միանում թիվ 4 շրջադարձային կետին, որից թեքվում է արևելք, հասնում թիվ 5 կետ` 1396.68 մ, հատելով ձորեր` հասնում Սասունիկ, Արմավիրի մարզի Նորակերտ և Բաղրամյանի գյուղական համայնքների տարածքների բաժանման «Զ» հանգուցային սահմանակետին:
«Զ»-«Է» սահմանագծի ընդհանուր երկարությունը 2732.04 մ է:
ՍԱՍՈՒՆԻԿ-ԱՐՄԱՎԻՐԻ ՄԱՐԶԻ ՇԱՀՈՒՄՅԱՆ ՍԱՀՄԱՆԱԳԻԾԸ` «Է»-«Ը»
Սասունիկ, Արմավիրի մարզի Շահումյան և Դաշտ գյուղական համայնքների տարածքների բաժանման «Ը» հանգուցային կետից սահմանագիծն անցնում է հարավարևելյան ուղղությամբ թիվ 1 կետով, հասնում Սասունիկ, Արմավիրի մարզի Շահումյան և Նորակերտ գյուղական համայնքների տարածքների բաժանման «Է» հանգուցային սահմանակետին:
«Է»-«Ը» սահմանագծի ընդհանուր երկարությունը 683.96 մ է:
ՍԱՍՈՒՆԻԿ-ԱՐՄԱՎԻՐԻ ՄԱՐԶԻ ԴԱՇՏ ՍԱՀՄԱՆԱԳԻԾԸ` «Ը»-«Թ»
Սասունիկ, Օշական և Արմավիրի մարզի Դաշտ գյուղական համայնքների տարածքների բաժանման «Թ» հանգուցային կետից սահմանագիծն անցնելով հարավ-արևելք, հատում է դաշտամիջյան ճանապարհը, հասնում թիվ 1 կետին, նույն ուղղությամբ հատելով ջրբաժանը, հասնում է Սասունիկ, Արմավիրի մարզի Դաշտ և Շահումյան գյուղական համայնքների տարածքների բաժանման «Ը» հանգուցային սահմանակետին:
«Ը»-«Թ» սահմանագծի ընդհանուր երկարությունը 903.25 մ է:
ՍԱՍՈՒՆԻԿ-ՕՇԱԿԱՆ ՍԱՀՄԱՆԱԳԻԾԸ` «Թ»-«Ա»
Սասունիկ, Օշական և Աշտարակ գյուղական համայնքների տարածքների բաժանման «Ա» հանգուցային կետից սահմանագիծն անցնում է հարավ-արևմուտք ջրբաժանով, ապա հատելով Օշական-Երևան մարզային ճանապարհը, անցնելով 2652.3 մ, հասնում է թիվ 1 կետին, որից թեքվում արևմուտք, անցնում է 595.8 մ, հասնում թիվ 2 կետին, ապա թեքվում հյուսիս-արևմուտք, անցնում 710.0 մ թիվ 3 կետով, դաշտային ճանապարհով միանում է թիվ 4 շրջադարձային կետին: Թիվ 4 կետից սահմանագիծը թեքվում է հարավ-արևմուտք դաշտամիջյան ճանապարհով, անցնելով 961.5 մ, միանում Սասունիկ, Օշական և Արմավիրի մարզի Դաշտ գյուղական համայնքների տարածքների բաժանման «Թ» հանգուցային սահմանակետին:
«Թ»-«Ա» սահմանագծի ընդհանուր երկարությունը 4919.7 մ է:
| Հայաստանի Հանրապետության կառավարության աշխատակազմի ղեկավար-նախարար |
Մ. Թոփուզյան |
|
Հավելված N 38 |
ՀՀ ԱՐԱԳԱԾՈՏՆԻ ՄԱՐԶԻ ՍԱՂՄՈՍԱՎԱՆԻ ԳՅՈՒՂԱԿԱՆ ՀԱՄԱՅՆՔԻ ՎԱՐՉԱԿԱՆ ՍԱՀՄԱՆՆԵՐԻ ՀԱՏԱԿԱԳԻԾԸ
(հավելվածն ուժը կորցրել է 14.10.10 N 1359-Ն)
|
Հավելված N 381 |
ՀՀ ԱՐԱԳԱԾՈՏՆԻ ՄԱՐԶԻ ՍԱՂՄՈՍԱՎԱՆԻ ԳՅՈՒՂԱԿԱՆ ՀԱՄԱՅՆՔԻ ՎԱՐՉԱԿԱՆ ՍԱՀՄԱՆՆԵՐԻ ՆԿԱՐԱԳՐՈՒԹՅՈՒՆԸ
(հավելվածն ուժը կորցրել է 14.10.10 N 1359-Ն)
|
Հավելված N 39 |
ՀՀ ԱՐԱԳԱԾՈՏՆԻ ՄԱՐԶԻ Վ. ՍԱՍՈՒՆԱՇԵՆԻ ԳՅՈՒՂԱԿԱՆ ՀԱՄԱՅՆՔԻ ՎԱՐՉԱԿԱՆ ՍԱՀՄԱՆՆԵՐԻ ՀԱՏԱԿԱԳԻԾԸ
(հավելվածն ուժը կորցրել է 14.10.10 N 1359-Ն)
|
Հավելված N 391 |
ՀՀ ԱՐԱԳԱԾՈՏՆԻ ՄԱՐԶԻ Վ. ՍԱՍՈՒՆԱՇԵՆ ԳՅՈՒՂԱԿԱՆ ՀԱՄԱՅՆՔԻ ՎԱՐՉԱԿԱՆ ՍԱՀՄԱՆՆԵՐԻ ՆԿԱՐԱԳՐՈՒԹՅՈՒՆԸ
(հավելվածն ուժը կորցրել է 14.10.10 N 1359-Ն)
|
Հավելված N 40 |
ՀՀ ԱՐԱԳԱԾՈՏՆԻ ՄԱՐԶԻ Վ. ԲԱԶՄԱԲԵՐԴԻ ԳՅՈՒՂԱԿԱՆ ՀԱՄԱՅՆՔԻ ՎԱՐՉԱԿԱՆ ՍԱՀՄԱՆՆԵՐԻ ՀԱՏԱԿԱԳԻԾԸ
(հավելվածն ուժը կորցրել է 14.10.10 N 1359-Ն)
|
Հավելված N 401 |
ՀՀ ԱՐԱԳԱԾՈՏՆԻ ՄԱՐԶԻ Վ. ԲԱԶՄԱԲԵՐԴԻ ԳՅՈՒՂԱԿԱՆ ՀԱՄԱՅՆՔԻ ՎԱՐՉԱԿԱՆ ՍԱՀՄԱՆՆԵՐԻ ՆԿԱՐԱԳՐՈՒԹՅՈՒՆԸ
(հավելվածն ուժը կորցրել է 14.10.10 N 1359-Ն)
|
Հավելված N 41 |
ՀՀ ԱՐԱԳԱԾՈՏՆԻ ՄԱՐԶԻ Վ. ՍԱՍՈՒՆԻԿԻ ԳՅՈՒՂԱԿԱՆ ՀԱՄԱՅՆՔԻ ՎԱՐՉԱԿԱՆ ՍԱՀՄԱՆՆԵՐԻ ՀԱՏԱԿԱԳԻԾԸ
(հավելվածն ուժը կորցրել է 14.10.10 N 1359-Ն)
|
Հավելված N 411 |
ՀՀ ԱՐԱԳԱԾՈՏՆԻ ՄԱՐԶԻ Վ. ՍԱՍՈՒՆԻԿԻ ԳՅՈՒՂԱԿԱՆ ՀԱՄԱՅՆՔԻ ՎԱՐՉԱԿԱՆ ՍԱՀՄԱՆՆԵՐԻ ՆԿԱՐԱԳՐՈՒԹՅՈՒՆԸ
(հավելվածն ուժը կորցրել է 14.10.10 N 1359-Ն)
|
Հավելված N 42 |
ՀՀ ԱՐԱԳԱԾՈՏՆԻ ՄԱՐԶԻ ՎԱՐԴԵՆՈՒՏԻ ԳՅՈՒՂԱԿԱՆ ՀԱՄԱՅՆՔԻ ՎԱՐՉԱԿԱՆ ՍԱՀՄԱՆՆԵՐԻ ՀԱՏԱԿԱԳԻԾԸ
(հավելվածն ուժը կորցրել է 14.10.10 N 1359-Ն)
|
Հավելված N 421 |
ՀՀ ԱՐԱԳԱԾՈՏՆԻ ՄԱՐԶԻ ՎԱՐԴԵՆՈՒՏԻ ԳՅՈՒՂԱԿԱՆ ՀԱՄԱՅՆՔԻ ՎԱՐՉԱԿԱՆ ՍԱՀՄԱՆՆԵՐԻ ՆԿԱՐԱԳՐՈՒԹՅՈՒՆԸ
(հավելվածն ուժը կորցրել է 14.10.10 N 1359-Ն)
|
Հավելված N 43 |
ՀՀ ԱՐԱԳԱԾՈՏՆԻ ՄԱՐԶԻ ՈԻՇԻԻ ԳՅՈՒՂԱԿԱՆ ՀԱՄԱՅՆՔԻ ՎԱՐՉԱԿԱՆ ՍԱՀՄԱՆՆԵՐԻ ՀԱՏԱԿԱԳԻԾԸ
(հավելվածն ուժը կորցրել է 14.10.10 N 1359-Ն)
|
Հավելված N 431 |
ՀՀ ԱՐԱԳԱԾՈՏՆԻ ՄԱՐԶԻ ՈԻՇԻԻ ԳՅՈՒՂԱԿԱՆ ՀԱՄԱՅՆՔԻ ՎԱՐՉԱԿԱՆ ՍԱՀՄԱՆՆԵՐԻ ՆԿԱՐԱԳՐՈՒԹՅՈՒՆԸ
(հավելվածն ուժը կորցրել է 14.10.10 N 1359-Ն)