ՀՀ ԿԱՌԱՎԱՐՈՒԹՅԱՆ ՈՐՈՇՈՒՄԸ ՀՀ ՇԻՐԱԿԻ ՄԱՐԶԻ ՄԻ ՇԱՐՔ ԳՅՈՒՂԱԿԱՆ ՀԱՄԱՅՆՔՆԵՐԻ ՎԱՐՉԱԿԱՆ ՍԱՀՄԱՆՆԵՐԻ ՆԿԱՐԱԳԻՐԸ ՀԱՍՏԱՏԵԼՈՒ ՄԱՍԻՆ

Գլխավոր տեղեկություն
Համար
N 776-Ն
Տիպ
Որոշում
Ակտի տիպ
Հիմնական ակտ (23.07.2005-24.12.2009)
Կարգավիճակ
Գործում է
Սկզբնաղբյուր
ՀՀՊՏ 2005.07.22/46.1 Հոդ.905.1
Ընդունող մարմին
ՀՀ կառավարություն
Ընդունման ամսաթիվ
25.05.2005
Ստորագրող մարմին
ՀՀ վարչապետ
Ստորագրման ամսաթիվ
23.06.2005
Վավերացնող մարմին
ՀՀ Նախագահ
Վավերացման ամսաթիվ
27.06.2005
Ուժի մեջ մտնելու ամսաթիվ
23.07.2005

«Վավերացնում եմ»
Հայաստանի Հանրապետության
Նախագահ Ռ. Քոչարյան
 27 հունիսի 2005 թ.

ՀԱՅԱՍՏԱՆԻ ՀԱՆՐԱՊԵՏՈՒԹՅԱՆ ԿԱՌԱՎԱՐՈՒԹՅՈՒՆ


Ո Ր Ո Շ ՈՒ Մ

25 մայիսի 2005 թվականի N 776-Ն

ՀԱՅԱՍՏԱՆԻ ՀԱՆՐԱՊԵՏՈՒԹՅԱՆ ՇԻՐԱԿԻ ՄԱՐԶԻ ՄԻ ՇԱՐՔ ԳՅՈՒՂԱԿԱՆ ՀԱՄԱՅՆՔՆԵՐԻ ՎԱՐՉԱԿԱՆ ՍԱՀՄԱՆՆԵՐԻ ՆԿԱՐԱԳԻՐԸ ՀԱՍՏԱՏԵԼՈՒ ՄԱՍԻՆ

«Տեղական ինքնակառավարման մասին» և «Հայաստանի Հանրապետության վարչատարածքային բաժանման մասին» Հայաստանի Հանրապետության օրենքների 6-րդ հոդվածներին համապատասխան և հաշվի առնելով Հայաստանի Հանրապետության մարզերի և համայնքների վարչական սահմանների նկարագրման աշխատանքների կարգավորման կառավարական հանձնաժողովի եզրակացությունը` Հայաստանի Հանրապետության կառավարությունը որոշում է.

1. Հաստատել Հայաստանի Հանրապետության Շիրակի մարզի`

1) Այգեբացի գյուղական համայնքի վարչական սահմանների նկարագիրը` համաձայն NN 1 և 11 հավելվածների,

2) Արևիկի գյուղական համայնքի վարչական սահմանների նկարագիրը` համաձայն NN 2 և 21 հավելվածների,

3) Արևշատի գյուղական համայնքի վարչական սահմանների նկարագիրը` համաձայն NN 3 և 31 հավելվածների,

4) Բագրավանի գյուղական համայնքի վարչական սահմանների նկարագիրը` համաձայն NN 4 և 41 հավելվածների,

5) Գեղանիստի գյուղական համայնքի վարչական սահմանների նկարագիրը` համաձայն NN 5 և 51 հավելվածների,

6) Գետքի գյուղական համայնքի վարչական սահմանների նկարագիրը` համաձայն NN 6 և 61 հավելվածների,

7) Գետափի գյուղական համայնքի վարչական սահմանների նկարագիրը` համաձայն NN 7 և 71 հավելվածների,

8) Գուսանագյուղի գյուղական համայնքի վարչական սահմանների նկարագիրը` համաձայն NN 8 և 81 հավելվածների,

9) Իսահակյանի գյուղական համայնքի վարչական սահմանների նկարագիրը` համաձայն NN 9 և 91 հավելվածների,

10) Լանջիկի գյուղական համայնքի վարչական սահմանների նկարագիրը` համաձայն NN 10 և 101 հավելվածների,

11) Լուսակերտի գյուղական համայնքի վարչական սահմանների նկարագիրը` համաձայն NN 11 և 111 հավելվածների,

12) Կապսի գյուղական համայնքի վարչական սահմանների նկարագիրը` համաձայն NN 12 և 121 հավելվածների,

13) Հառիճի գյուղական համայնքի վարչական սահմանների նկարագիրը` համաձայն NN 13 և 131 հավելվածների,

14) Հայկավանի գյուղական համայնքի վարչական սահմանների նկարագիրը` համաձայն NN 14 և 141 հավելվածների,

15) Հոռոմի գյուղական համայնքի վարչական սահմանների նկարագիրը` համաձայն NN 15 և 151 հավելվածների,

16) Մեղրաշենի գյուղական համայնքի վարչական սահմանների նկարագիրը` համաձայն NN 16 և 161 հավելվածների,

17) Մեծ Մանթաշի գյուղական համայնքի վարչական սահմանների նկարագիրը` համաձայն NN 17 և 171 հավելվածների,

18) Նահապետավանի գյուղական համայնքի վարչական սահմանների նկարագիրը` համաձայն NN 18 և 181 հավելվածների,

19) Շիրակի գյուղական համայնքի վարչական սահմանների նկարագիրը` համաձայն NN 19 և 191 հավելվածների,

20) Ջաջուռի գյուղական համայնքի վարչական սահմանների նկարագիրը` համաձայն NN 20 և 201 հավելվածների,

21) Ջրափիի գյուղական համայնքի վարչական սահմանների նկարագիրը` համաձայն NN 21 և 211 հավելվածների,

22) Սարատակի գյուղական համայնքի վարչական սահմանների նկարագիրը` համաձայն NN 22 և 221 հավելվածների,

23) Սարալանջի գյուղական համայնքի վարչական սահմանների նկարագիրը` համաձայն NN 23 և 231 հավելվածների,

24) Վարդաքարի գյուղական համայնքի վարչական սահմանների նկարագիրը` համաձայն NN 24 և 241 հավելվածների,

25) Տուֆաշենի գյուղական համայնքի վարչական սահմանների նկարագիրը` համաձայն NN 25 և 251 հավելվածների,

26) Փանիկի գյուղական համայնքի վարչական սահմանների նկարագիրը` համաձայն NN 26 և 261 հավելվածների,

27) Քարաբերդի գյուղական համայնքի վարչական սահմանների նկարագիրը` համաձայն NN 27 և 271 հավելվածների:

2. Թույլատրել Հայաստանի Հանրապետության կառավարությանն առընթեր անշարժ գույքի կադաստրի պետական կոմիտեի նախագահին Հայաստանի Հանրապետության պետական գեոդեզիական ցանցի հավասարակշռման արդյունքների հիման վրա հողային ֆոնդի ընթացիկ հաշվառման ժամանակ` սույն որոշմամբ սահմանված համայնքների հողային հաշվեկշիռներում սահմանված կարգով կատարել համապատասխան փոփոխություններ:

3. Սույն որոշումն ուժի մեջ է մտնում պաշտոնական հրապարակմանը հաջորդող օրվանից:


Հայաստանի Հանրապետության
վարչապետ

Ա. Մարգարյան


2005 թ. հունիսի 23
Երևան



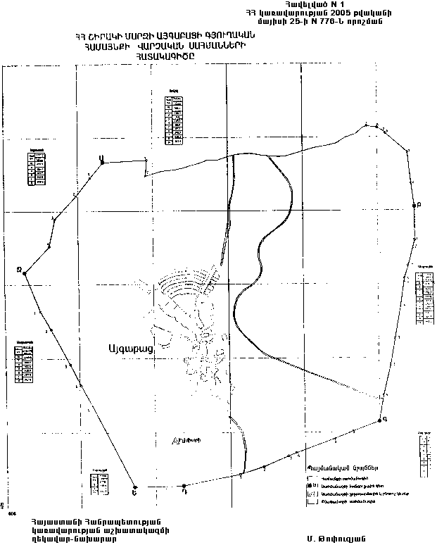
Հավելված N 1
ՀՀ կառավարության 2005 թվականի
մայիսի 25-ի N 776-Ն որոշման


ՀԱՅԱՍՏԱՆԻ ՀԱՆՐԱՊԵՏՈՒԹՅԱՆ ՇԻՐԱԿԻ ՄԱՐԶԻ ԱՅԳԱԲԱՑԻ ԳՅՈՒՂԱԿԱՆ ՀԱՄԱՅՆՔԻ ՎԱՐՉԱԿԱՆ ՍԱՀՄԱՆՆԵՐԻ ՀԱՏԱԿԱԳԻԾԸ


Հայաստանի Հանրապետության
կառավարության աշխատակազմի
ղեկավար-նախարար
Մ. Թոփուզյան


Հավելված N 11
ՀՀ կառավարության 2005 թվականի
մայիսի 25-ի N 776-Ն որոշման

Ներմուծեք նկարագրությունը_9164
Ներմուծեք նկարագրությունը_9165


Հայաստանի Հանրապետության
կառավարության աշխատակազմի
ղեկավար-նախարար
Մ. Թոփուզյան


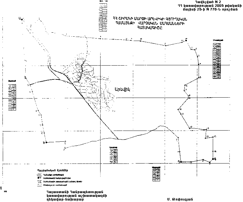
Հավելված N 2
ՀՀ կառավարության 2005 թվականի
մայիսի 25-ի N 776-Ն որոշման


ՀԱՅԱՍՏԱՆԻ ՀԱՆՐԱՊԵՏՈՒԹՅԱՆ ՇԻՐԱԿԻ ՄԱՐԶԻ ԱՐԵՎԻԿԻ ԳՅՈՒՂԱԿԱՆ ՀԱՄԱՅՆՔԻ ՎԱՐՉԱԿԱՆ ՍԱՀՄԱՆՆԵՐԻ ՀԱՏԱԿԱԳԻԾԸ


Հայաստանի Հանրապետության
կառավարության աշխատակազմի
ղեկավար-նախարար
Մ. Թոփուզյան


Հավելված N 21
ՀՀ կառավարության 2005 թվականի
մայիսի 25-ի N 776-Ն որոշման

Ներմուծեք նկարագրությունը_9166
Ներմուծեք նկարագրությունը_9167


Հայաստանի Հանրապետության
կառավարության աշխատակազմի
ղեկավար-նախարար
Մ. Թոփուզյան


Հավելված N 3
ՀՀ կառավարության 2005 թվականի
մայիսի 25-ի N 776-Ն որոշման


ՀԱՅԱՍՏԱՆԻ ՀԱՆՐԱՊԵՏՈՒԹՅԱՆ ՇԻՐԱԿԻ ՄԱՐԶԻ ԱՐԵՎՇԱՏԻ ԳՅՈՒՂԱԿԱՆ ՀԱՄԱՅՆՔԻ ՎԱՐՉԱԿԱՆ ՍԱՀՄԱՆՆԵՐԻ ՀԱՏԱԿԱԳԻԾԸ


Հայաստանի Հանրապետության
կառավարության աշխատակազմի
ղեկավար-նախարար
Մ. Թոփուզյան


Հավելված N 31
ՀՀ կառավարության 2005 թվականի
մայիսի 25-ի N 776-Ն որոշման

Ներմուծեք նկարագրությունը_9168
Ներմուծեք նկարագրությունը_9169
Ներմուծեք նկարագրությունը_9170


Հայաստանի Հանրապետության
կառավարության աշխատակազմի
ղեկավար-նախարար
Մ. Թոփուզյան


Հավելված N 4
ՀՀ կառավարության 2005 թվականի
մայիսի 25-ի N 776-Ն որոշման


ՀԱՅԱՍՏԱՆԻ ՀԱՆՐԱՊԵՏՈՒԹՅԱՆ ՇԻՐԱԿԻ ՄԱՐԶԻ ԲԱԳՐԱՎԱՆԻ ԳՅՈՒՂԱԿԱՆ ՀԱՄԱՅՆՔԻ ՎԱՐՉԱԿԱՆ ՍԱՀՄԱՆՆԵՐԻ ՀԱՏԱԿԱԳԻԾԸ


Հայաստանի Հանրապետության
կառավարության աշխատակազմի
ղեկավար-նախարար
Մ. Թոփուզյան


Հավելված N 41
ՀՀ կառավարության 2005 թվականի
մայիսի 25-ի N 776-Ն որոշման

Ներմուծեք նկարագրությունը_9171
Ներմուծեք նկարագրությունը_9172
Ներմուծեք նկարագրությունը_9007
Ներմուծեք նկարագրությունը_9173


Հայաստանի Հանրապետության
կառավարության աշխատակազմի
ղեկավար-նախարար
Մ. Թոփուզյան


Հավելված N 5
ՀՀ կառավարության 2005 թվականի
մայիսի 25-ի N 776-Ն որոշման


ՀԱՅԱՍՏԱՆԻ ՀԱՆՐԱՊԵՏՈՒԹՅԱՆ ՇԻՐԱԿԻ ՄԱՐԶԻ ԳԵՂԱՆԻՍՏԻ ԳՅՈՒՂԱԿԱՆ ՀԱՄԱՅՆՔԻ ՎԱՐՉԱԿԱՆ ՍԱՀՄԱՆՆԵՐԻ ՀԱՏԱԿԱԳԻԾԸ


Հայաստանի Հանրապետության
կառավարության աշխատակազմի
ղեկավար-նախարար
Մ. Թոփուզյան


Հավելված N 51
ՀՀ կառավարության 2005 թվականի
մայիսի 25-ի N 776-Ն որոշման

Ներմուծեք նկարագրությունը_9174
Ներմուծեք նկարագրությունը_9175


Հայաստանի Հանրապետության
կառավարության աշխատակազմի
ղեկավար-նախարար
Մ. Թոփուզյան


Հավելված N 6
ՀՀ կառավարության 2005 թվականի
մայիսի 25-ի N 776-Ն որոշման


ՀԱՅԱՍՏԱՆԻ ՀԱՆՐԱՊԵՏՈՒԹՅԱՆ ՇԻՐԱԿԻ ՄԱՐԶԻ ԳԵՏՔԻ ԳՅՈՒՂԱԿԱՆ ՀԱՄԱՅՆՔԻ ՎԱՐՉԱԿԱՆ ՍԱՀՄԱՆՆԵՐԻ ՀԱՏԱԿԱԳԻԾԸ


Հայաստանի Հանրապետության
կառավարության աշխատակազմի
ղեկավար-նախարար
Մ. Թոփուզյան


Հավելված N 61
ՀՀ կառավարության 2005 թվականի
մայիսի 25-ի N 776-Ն որոշման

Ներմուծեք նկարագրությունը_9176
Ներմուծեք նկարագրությունը_9177


Հայաստանի Հանրապետության
կառավարության աշխատակազմի
ղեկավար-նախարար
Մ. Թոփուզյան


Հավելված N 7
ՀՀ կառավարության 2005 թվականի
մայիսի 25-ի N 776-Ն որոշման


ՀԱՅԱՍՏԱՆԻ ՀԱՆՐԱՊԵՏՈՒԹՅԱՆ ՇԻՐԱԿԻ ՄԱՐԶԻ ԳԵՏԱՓԻ ԳՅՈՒՂԱԿԱՆ ՀԱՄԱՅՆՔԻ ՎԱՐՉԱԿԱՆ ՍԱՀՄԱՆՆԵՐԻ ՀԱՏԱԿԱԳԻԾԸ


Հայաստանի Հանրապետության
կառավարության աշխատակազմի
ղեկավար-նախարար
Մ. Թոփուզյան


Հավելված N 71
ՀՀ կառավարության 2005 թվականի
մայիսի 25-ի N 776-Ն որոշման

Ներմուծեք նկարագրությունը_9178
Ներմուծեք նկարագրությունը_9179


Հայաստանի Հանրապետության
կառավարության աշխատակազմի
ղեկավար-նախարար
Մ. Թոփուզյան


Հավելված N 8
ՀՀ կառավարության 2005 թվականի
մայիսի 25-ի N 776-Ն որոշման



ՀԱՅԱՍՏԱՆԻ ՀԱՆՐԱՊԵՏՈՒԹՅԱՆ ՇԻՐԱԿԻ ՄԱՐԶԻ ԳՈՒՍԱՆԱԳՅՈՒՂԻ ԳՅՈՒՂԱԿԱՆ ՀԱՄԱՅՆՔԻ ՎԱՐՉԱԿԱՆ ՍԱՀՄԱՆՆԵՐԻ ՀԱՏԱԿԱԳԻԾԸ


Հայաստանի Հանրապետության
կառավարության աշխատակազմի
ղեկավար-նախարար
Մ. Թոփուզյան


Հավելված N 81
ՀՀ կառավարության 2005 թվականի
մայիսի 25-ի N 776-Ն որոշման

Ներմուծեք նկարագրությունը_9180
Ներմուծեք նկարագրությունը_9181
Ներմուծեք նկարագրությունը_9182


Հայաստանի Հանրապետության
կառավարության աշխատակազմի
ղեկավար-նախարար
Մ. Թոփուզյան


Հավելված N 9
ՀՀ կառավարության 2005 թվականի
մայիսի 25-ի N 776-Ն որոշման


ՀԱՅԱՍՏԱՆԻ ՀԱՆՐԱՊԵՏՈՒԹՅԱՆ ՇԻՐԱԿԻ ՄԱՐԶԻ ԻՍԱՀԱԿՅԱՆԻ ԳՅՈՒՂԱԿԱՆ ՀԱՄԱՅՆՔԻ ՎԱՐՉԱԿԱՆ ՍԱՀՄԱՆՆԵՐԻ ՀԱՏԱԿԱԳԻԾԸ


Հայաստանի Հանրապետության
կառավարության աշխատակազմի
ղեկավար-նախարար
Մ. Թոփուզյան


Հավելված N 91
ՀՀ կառավարության 2005 թվականի
մայիսի 25-ի N 776-Ն որոշման

Ներմուծեք նկարագրությունը_9183
Ներմուծեք նկարագրությունը_9184
Ներմուծեք նկարագրությունը_9185


Հայաստանի Հանրապետության
կառավարության աշխատակազմի
ղեկավար-նախարար
Մ. Թոփուզյան


Հավելված N 10
ՀՀ կառավարության 2005 թվականի
մայիսի 25-ի N 776-Ն որոշման


ՀԱՅԱՍՏԱՆԻ ՀԱՆՐԱՊԵՏՈՒԹՅԱՆ ՇԻՐԱԿԻ ՄԱՐԶԻ ԼԱՆՋԻԿԻ ԳՅՈՒՂԱԿԱՆ ՀԱՄԱՅՆՔԻ ՎԱՐՉԱԿԱՆ ՍԱՀՄԱՆՆԵՐԻ ՀԱՏԱԿԱԳԻԾԸ


Հայաստանի Հանրապետության
կառավարության աշխատակազմի
ղեկավար-նախարար
Մ. Թոփուզյան


Հավելված N 101
ՀՀ կառավարության 2005 թվականի
մայիսի 25-ի N 776-Ն որոշման

Ներմուծեք նկարագրությունը_9186
Ներմուծեք նկարագրությունը_9187


Հայաստանի Հանրապետության
կառավարության աշխատակազմի
ղեկավար-նախարար
Մ. Թոփուզյան


Հավելված N 11
ՀՀ կառավարության 2005 թվականի
մայիսի 25-ի N 776-Ն որոշման


ՀԱՅԱՍՏԱՆԻ ՀԱՆՐԱՊԵՏՈՒԹՅԱՆ ՇԻՐԱԿԻ ՄԱՐԶԻ ԼՈՒՍԱԿԵՐՏԻ ԳՅՈՒՂԱԿԱՆ ՀԱՄԱՅՆՔԻ ՎԱՐՉԱԿԱՆ ՍԱՀՄԱՆՆԵՐԻ ՀԱՏԱԿԱԳԻԾԸ


Հայաստանի Հանրապետության
կառավարության աշխատակազմի
ղեկավար-նախարար
Մ. Թոփուզյան


Հավելված N 111
ՀՀ կառավարության 2005 թվականի
մայիսի 25-ի N 776-Ն որոշման

Ներմուծեք նկարագրությունը_9188
Ներմուծեք նկարագրությունը_9189


Հայաստանի Հանրապետության
կառավարության աշխատակազմի
ղեկավար-նախարար
Մ. Թոփուզյան


Հավելված N 12
ՀՀ կառավարության 2005 թվականի
մայիսի 25-ի N 776-Ն որոշման


ՀԱՅԱՍՏԱՆԻ ՀԱՆՐԱՊԵՏՈՒԹՅԱՆ ՇԻՐԱԿԻ ՄԱՐԶԻ ԿԱՊՍԻ ԳՅՈՒՂԱԿԱՆ ՀԱՄԱՅՆՔԻ ՎԱՐՉԱԿԱՆ ՍԱՀՄԱՆՆԵՐԻ ՀԱՏԱԿԱԳԻԾԸ


Հայաստանի Հանրապետության
կառավարության աշխատակազմի
ղեկավար-նախարար
Մ. Թոփուզյան


Հավելված N 121
ՀՀ կառավարության 2005 թվականի
մայիսի 25-ի N 776-Ն որոշման

Ներմուծեք նկարագրությունը_9190
Ներմուծեք նկարագրությունը_9191


Հայաստանի Հանրապետության
կառավարության աշխատակազմի
ղեկավար-նախարար
Մ. Թոփուզյան


Հավելված N 13
ՀՀ կառավարության 2005 թվականի
մայիսի 25-ի N 776-Ն որոշման


ՀԱՅԱՍՏԱՆԻ ՀԱՆՐԱՊԵՏՈՒԹՅԱՆ ՇԻՐԱԿԻ ՄԱՐԶԻ ՀԱՌԻՃԻ ԳՅՈՒՂԱԿԱՆ ՀԱՄԱՅՆՔԻ ՎԱՐՉԱԿԱՆ ՍԱՀՄԱՆՆԵՐԻ ՀԱՏԱԿԱԳԻԾԸ


Հայաստանի Հանրապետության
կառավարության աշխատակազմի
ղեկավար-նախարար
Մ. Թոփուզյան


Հավելված N 131
ՀՀ կառավարության 2005 թվականի
մայիսի 25-ի N 776-Ն որոշման

Ներմուծեք նկարագրությունը_9192
Ներմուծեք նկարագրությունը_9193
Ներմուծեք նկարագրությունը_9194


Հայաստանի Հանրապետության
կառավարության աշխատակազմի
ղեկավար-նախարար
Մ. Թոփուզյան


Հավելված N 14
ՀՀ կառավարության 2005 թվականի
մայիսի 25-ի N 776-Ն որոշման


ՀԱՅԱՍՏԱՆԻ ՀԱՆՐԱՊԵՏՈՒԹՅԱՆ ՇԻՐԱԿԻ ՄԱՐԶԻ ՀԱՅԿԱՎԱՆԻ ԳՅՈՒՂԱԿԱՆ ՀԱՄԱՅՆՔԻ ՎԱՐՉԱԿԱՆ ՍԱՀՄԱՆՆԵՐԻ ՀԱՏԱԿԱԳԻԾԸ


Հայաստանի Հանրապետության
կառավարության աշխատակազմի
ղեկավար-նախարար
Մ. Թոփուզյան


Հավելված N 141
ՀՀ կառավարության 2005 թվականի
մայիսի 25-ի N 776-Ն որոշման

Ներմուծեք նկարագրությունը_9195
Ներմուծեք նկարագրությունը_9196


Հայաստանի Հանրապետության
կառավարության աշխատակազմի
ղեկավար-նախարար
Մ. Թոփուզյան


Հավելված N 15
ՀՀ կառավարության 2005 թվականի
մայիսի 25-ի N 776-Ն որոշման


ՀԱՅԱՍՏԱՆԻ ՀԱՆՐԱՊԵՏՈՒԹՅԱՆ ՇԻՐԱԿԻ ՄԱՐԶԻ ՀՈՌՈՄԻ ԳՅՈՒՂԱԿԱՆ ՀԱՄԱՅՆՔԻ ՎԱՐՉԱԿԱՆ ՍԱՀՄԱՆՆԵՐԻ ՀԱՏԱԿԱԳԻԾԸ


Հայաստանի Հանրապետության
կառավարության աշխատակազմի
ղեկավար-նախարար
Մ. Թոփուզյան


Հավելված N 151
ՀՀ կառավարության 2005 թվականի
մայիսի 25-ի N 776-Ն որոշման

Ներմուծեք նկարագրությունը_9197
Ներմուծեք նկարագրությունը_9198
Ներմուծեք նկարագրությունը_9199
Ներմուծեք նկարագրությունը_9200
Ներմուծեք նկարագրությունը_9201


Հայաստանի Հանրապետության
կառավարության աշխատակազմի
ղեկավար-նախարար
Մ. Թոփուզյան


Հավելված N 16
ՀՀ կառավարության 2005 թվականի
մայիսի 25-ի N 776-Ն որոշման


ՀԱՅԱՍՏԱՆԻ ՀԱՆՐԱՊԵՏՈՒԹՅԱՆ ՇԻՐԱԿԻ ՄԱՐԶԻ ՄԵՂՐԱՇԵՆԻ ԳՅՈՒՂԱԿԱՆ ՀԱՄԱՅՆՔԻ ՎԱՐՉԱԿԱՆ ՍԱՀՄԱՆՆԵՐԻ ՀԱՏԱԿԱԳԻԾԸ


Հայաստանի Հանրապետության
կառավարության աշխատակազմի
ղեկավար-նախարար
Մ. Թոփուզյան


Հավելված N 161
ՀՀ կառավարության 2005 թվականի
մայիսի 25-ի N 776-Ն որոշման

Ներմուծեք նկարագրությունը_9202
Ներմուծեք նկարագրությունը_9203


Հայաստանի Հանրապետության
կառավարության աշխատակազմի
ղեկավար-նախարար
Մ. Թոփուզյան


Հավելված N 17
ՀՀ կառավարության 2005 թվականի
մայիսի 25-ի N 776-Ն որոշման


ՀԱՅԱՍՏԱՆԻ ՀԱՆՐԱՊԵՏՈՒԹՅԱՆ ՇԻՐԱԿԻ ՄԱՐԶԻ Մ. ՄԱՆԹԱՇԻ ԳՅՈՒՂԱԿԱՆ ՀԱՄԱՅՆՔԻ ՎԱՐՉԱԿԱՆ ՍԱՀՄԱՆՆԵՐԻ ՀԱՏԱԿԱԳԻԾԸ


Հայաստանի Հանրապետության
կառավարության աշխատակազմի
ղեկավար-նախարար
Մ. Թոփուզյան


Հավելված N 171
ՀՀ կառավարության 2005 թվականի
մայիսի 25-ի N 776-Ն որոշման

Ներմուծեք նկարագրությունը_9204
Ներմուծեք նկարագրությունը_9205


Հայաստանի Հանրապետության
կառավարության աշխատակազմի
ղեկավար-նախարար
Մ. Թոփուզյան


Հավելված N 18
ՀՀ կառավարության 2005 թվականի
մայիսի 25-ի N 776-Ն որոշման


ՀԱՅԱՍՏԱՆԻ ՀԱՆՐԱՊԵՏՈՒԹՅԱՆ ՇԻՐԱԿԻ ՄԱՐԶԻ ՆԱՀԱՊԵՏԱՎԱՆԻ ԳՅՈՒՂԱԿԱՆ ՀԱՄԱՅՆՔԻ ՎԱՐՉԱԿԱՆ ՍԱՀՄԱՆՆԵՐԻ ՀԱՏԱԿԱԳԻԾԸ


Հայաստանի Հանրապետության
կառավարության աշխատակազմի
ղեկավար-նախարար
Մ. Թոփուզյան


Հավելված N 181
ՀՀ կառավարության 2005 թվականի
մայիսի 25-ի N 776-Ն որոշման

Ներմուծեք նկարագրությունը_9206
Ներմուծեք նկարագրությունը_9207
Ներմուծեք նկարագրությունը_9208


Հայաստանի Հանրապետության
կառավարության աշխատակազմի
ղեկավար-նախարար
Մ. Թոփուզյան


Հավելված N 19
ՀՀ կառավարության 2005 թվականի
մայիսի 25-ի N 776-Ն որոշման


ՀԱՅԱՍՏԱՆԻ ՀԱՆՐԱՊԵՏՈՒԹՅԱՆ ՇԻՐԱԿԻ ՄԱՐԶԻ ՇԻՐԱԿԻ ԳՅՈՒՂԱԿԱՆ ՀԱՄԱՅՆՔԻ ՎԱՐՉԱԿԱՆ ՍԱՀՄԱՆՆԵՐԻ ՀԱՏԱԿԱԳԻԾԸ


Հայաստանի Հանրապետության
կառավարության աշխատակազմի
ղեկավար-նախարար
Մ. Թոփուզյան


Հավելված N 191
ՀՀ կառավարության 2005 թվականի
մայիսի 25-ի N 776-Ն որոշման

Ներմուծեք նկարագրությունը_9209
Ներմուծեք նկարագրությունը_9210
Ներմուծեք նկարագրությունը_9211


Հայաստանի Հանրապետության
կառավարության աշխատակազմի
ղեկավար-նախարար
Մ. Թոփուզյան


Հավելված N 20
ՀՀ կառավարության 2005 թվականի
մայիսի 25-ի N 776-Ն որոշման


ՀԱՅԱՍՏԱՆԻ ՀԱՆՐԱՊԵՏՈՒԹՅԱՆ ՇԻՐԱԿԻ ՄԱՐԶԻ ՋԱՋՈՒՌԻ ԳՅՈՒՂԱԿԱՆ ՀԱՄԱՅՆՔԻ ՎԱՐՉԱԿԱՆ ՍԱՀՄԱՆՆԵՐԻ ՀԱՏԱԿԱԳԻԾԸ


Հայաստանի Հանրապետության
կառավարության աշխատակազմի
ղեկավար-նախարար
Մ. Թոփուզյան


Հավելված N 201
ՀՀ կառավարության 2005 թվականի
մայիսի 25-ի N 776-Ն որոշման

Ներմուծեք նկարագրությունը_9212
Ներմուծեք նկարագրությունը_9266
Ներմուծեք նկարագրությունը_9214
Ներմուծեք նկարագրությունը_9215
Ներմուծեք նկարագրությունը_9216


Հայաստանի Հանրապետության
կառավարության աշխատակազմի
ղեկավար-նախարար
Մ. Թոփուզյան


Հավելված N 21
ՀՀ կառավարության 2005 թվականի
մայիսի 25-ի N 776-Ն որոշման


ՀԱՅԱՍՏԱՆԻ ՀԱՆՐԱՊԵՏՈՒԹՅԱՆ ՇԻՐԱԿԻ ՄԱՐԶԻ ՋՐԱՓԻԻ ԳՅՈՒՂԱԿԱՆ ՀԱՄԱՅՆՔԻ ՎԱՐՉԱԿԱՆ ՍԱՀՄԱՆՆԵՐԻ ՀԱՏԱԿԱԳԻԾԸ


Հայաստանի Հանրապետության
կառավարության աշխատակազմի
ղեկավար-նախարար
Մ. Թոփուզյան


Հավելված N 211
ՀՀ կառավարության 2005 թվականի
մայիսի 25-ի N 776-Ն որոշման

Ներմուծեք նկարագրությունը_9217
Ներմուծեք նկարագրությունը_9218
Ներմուծեք նկարագրությունը_9219


Հայաստանի Հանրապետության
կառավարության աշխատակազմի
ղեկավար-նախարար
Մ. Թոփուզյան


Հավելված N 22
ՀՀ կառավարության 2005 թվականի
մայիսի 25-ի N 776-Ն որոշման


ՀԱՅԱՍՏԱՆԻ ՀԱՆՐԱՊԵՏՈՒԹՅԱՆ ՇԻՐԱԿԻ ՄԱՐԶԻ ՍԱՐԱՏԱԿԻ ԳՅՈՒՂԱԿԱՆ ՀԱՄԱՅՆՔԻ ՎԱՐՉԱԿԱՆ ՍԱՀՄԱՆՆԵՐԻ ՀԱՏԱԿԱԳԻԾԸ


Հայաստանի Հանրապետության
կառավարության աշխատակազմի
ղեկավար-նախարար
Մ. Թոփուզյան


Հավելված N 221
ՀՀ կառավարության 2005 թվականի
մայիսի 25-ի N 776-Ն որոշման

Ներմուծեք նկարագրությունը_9220
Ներմուծեք նկարագրությունը_9221


Հայաստանի Հանրապետության
կառավարության աշխատակազմի
ղեկավար-նախարար
Մ. Թոփուզյան


Հավելված N 23
ՀՀ կառավարության 2005 թվականի
մայիսի 25-ի N 776-Ն որոշման


ՀԱՅԱՍՏԱՆԻ ՀԱՆՐԱՊԵՏՈՒԹՅԱՆ ՇԻՐԱԿԻ ՄԱՐԶԻ ՍԱՐԱԼԱՆՋԻ ԳՅՈՒՂԱԿԱՆ ՀԱՄԱՅՆՔԻ ՎԱՐՉԱԿԱՆ ՍԱՀՄԱՆՆԵՐԻ ՀԱՏԱԿԱԳԻԾԸ


Հայաստանի Հանրապետության
կառավարության աշխատակազմի
ղեկավար-նախարար
Մ. Թոփուզյան


Հավելված N 231
ՀՀ կառավարության 2005 թվականի
մայիսի 25-ի N 776-Ն որոշման

Ներմուծեք նկարագրությունը_9222
Ներմուծեք նկարագրությունը_9224
Ներմուծեք նկարագրությունը_9224
Ներմուծեք նկարագրությունը_9223


Հայաստանի Հանրապետության
կառավարության աշխատակազմի
ղեկավար-նախարար
Մ. Թոփուզյան


Հավելված N 24
ՀՀ կառավարության 2005 թվականի
մայիսի 25-ի N 776-Ն որոշման


ՀԱՅԱՍՏԱՆԻ ՀԱՆՐԱՊԵՏՈՒԹՅԱՆ ՇԻՐԱԿԻ ՄԱՐԶԻ ՎԱՐԴԱՔԱՐԻ ԳՅՈՒՂԱԿԱՆ ՀԱՄԱՅՆՔԻ ՎԱՐՉԱԿԱՆ ՍԱՀՄԱՆՆԵՐԻ ՀԱՏԱԿԱԳԻԾԸ


Հայաստանի Հանրապետության
կառավարության աշխատակազմի
ղեկավար-նախարար
Մ. Թոփուզյան


Հավելված N 241
ՀՀ կառավարության 2005 թվականի
մայիսի 25-ի N 776-Ն որոշման

Ներմուծեք նկարագրությունը_9225
Ներմուծեք նկարագրությունը_9226
Ներմուծեք նկարագրությունը_9227


Հայաստանի Հանրապետության
կառավարության աշխատակազմի
ղեկավար-նախարար
Մ. Թոփուզյան


Հավելված N 25
ՀՀ կառավարության 2005 թվականի
մայիսի 25-ի N 776-Ն որոշման


ՀԱՅԱՍՏԱՆԻ ՀԱՆՐԱՊԵՏՈՒԹՅԱՆ ՇԻՐԱԿԻ ՄԱՐԶԻ ՏՈՒՖԱՇԵՆԻ ԳՅՈՒՂԱԿԱՆ ՀԱՄԱՅՆՔԻ ՎԱՐՉԱԿԱՆ ՍԱՀՄԱՆՆԵՐԻ ՀԱՏԱԿԱԳԻԾԸ


Հայաստանի Հանրապետության
կառավարության աշխատակազմի
ղեկավար-նախարար
Մ. Թոփուզյան


Հավելված N 251
ՀՀ կառավարության 2005 թվականի
մայիսի 25-ի N 776-Ն որոշման

Ներմուծեք նկարագրությունը_9010
Ներմուծեք նկարագրությունը_9228
Ներմուծեք նկարագրությունը_9229


Հայաստանի Հանրապետության
կառավարության աշխատակազմի
ղեկավար-նախարար
Մ. Թոփուզյան


Հավելված N 26
ՀՀ կառավարության 2005 թվականի
մայիսի 25-ի N 776-Ն որոշման


ՀԱՅԱՍՏԱՆԻ ՀԱՆՐԱՊԵՏՈՒԹՅԱՆ ՇԻՐԱԿԻ ՄԱՐԶԻ ՓԱՆԻԿԻ ԳՅՈՒՂԱԿԱՆ ՀԱՄԱՅՆՔԻ ՎԱՐՉԱԿԱՆ ՍԱՀՄԱՆՆԵՐԻ ՀԱՏԱԿԱԳԻԾԸ


Հայաստանի Հանրապետության
կառավարության աշխատակազմի
ղեկավար-նախարար
Մ. Թոփուզյան


Հավելված N 261
ՀՀ կառավարության 2005 թվականի
մայիսի 25-ի N 776-Ն որոշման

Ներմուծեք նկարագրությունը_9230
Ներմուծեք նկարագրությունը_9231
Ներմուծեք նկարագրությունը_9232


Հայաստանի Հանրապետության
կառավարության աշխատակազմի
ղեկավար-նախարար
Մ. Թոփուզյան


Հավելված N 27
ՀՀ կառավարության 2005 թվականի
մայիսի 25-ի N 776-Ն որոշման


ՀԱՅԱՍՏԱՆԻ ՀԱՆՐԱՊԵՏՈՒԹՅԱՆ ՇԻՐԱԿԻ ՄԱՐԶԻ ՔԱՐԱԲԵՐԴԻ ԳՅՈՒՂԱԿԱՆ ՀԱՄԱՅՆՔԻ ՎԱՐՉԱԿԱՆ ՍԱՀՄԱՆՆԵՐԻ ՀԱՏԱԿԱԳԻԾԸ


Հայաստանի Հանրապետության
կառավարության աշխատակազմի
ղեկավար-նախարար
Մ. Թոփուզյան


Հավելված N 271
ՀՀ կառավարության 2005 թվականի
մայիսի 25-ի N 776-Ն որոշման

Ներմուծեք նկարագրությունը_9233
Ներմուծեք նկարագրությունը_9140
Ներմուծեք նկարագրությունը_9141


Հայաստանի Հանրապետության
կառավարության աշխատակազմի
ղեկավար-նախարար
Մ. Թոփուզյան

Փոփոխման պատմություն
Փոփոխող ակտ Համապատասխան ինկորպորացիան
03.12.2009, N 1418-Ն 25.05.2005, N 776-Ն
Փոփոխված ակտ
Փոփոխող ակտ Համապատասխան ինկորպորացիան